Rother Local Plan 2025-2042 – Development Strategy and Site Allocations
Part 4 – Site Allocations
7. Site Allocations
Introduction
7.1. Site allocations identify specific areas of land where development is expected to take place during the Plan Period. They demonstrate how the Local Plan will address Rother’s identified needs for housing, employment and other types of development. Site allocations support and help give effect to the Development Strategy for the district. They provide clarity about the locations where new development will be directed to and built, together with supporting infrastructure, so that growth is plan-led and happens in a sustainable way.
7.2. Site allocation policies specify the types of land-uses that are acceptable on specific sites along with guidelines on the amount of development considered to be achievable on them. Site allocations also set out requirements and measures to ensure that development is acceptable and responds positively to its local context. This may include, for example, provisions for protecting and enhancing green blue infrastructure, transport/highway mitigations or design guidance.
About the proposed site allocations
7.3. This chapter of the draft Local Plan sets out proposed site allocations across the district along with some area-specific policies. These policies are organised by Rother’s five sub-areas, as set out earlier in this document, with a further section for gypsy, traveller and travelling showpeople accommodation.
7.4. For each site allocation, a development capacity figure is provided. This is an ‘indicative’ figure for the amount of development that the Council considers is appropriate and deliverable on the site. The capacity figure should not be read prescriptively. The ‘actual’ amount of development on a site will be determined on a case-by-case basis through the development management process.
7.5. For site allocations with an existing (extant) planning permission, the development capacity reflects the capacity of the consented scheme, as this has been established as an acceptable amount of development.
7.6. For housing site allocations where there is not an existing planning permission, including newly identified sites, the capacity figure is derived by applying a site density figure (in dwellings per hectare) to the ‘developable’ part of the site.[48] The density figure for sites in different areas of the district has generally been informed by findings of the Density Study (2026), also considering individual site constraints, findings of the Sustainability Appraisal and the assessment of appropriate density options – further details are set out in Part 2 of this document.
7.7. It is important to note that the Local Plan must be read as a whole. The site allocation policies set out in this Regulation 18 document do not cover all the policy requirements that development proposals will be required to comply with. The first draft Rother Local Plan (2024) set out policies covering a range of thematic topic areas which may be relevant to planning applications, depending upon the location and nature of a development. The Regulation 19 Proposed Submission version of the Local Plan will bring the proposed site allocations together with these other policies into a single document.
7.8. The proposed site allocations have been identified through an extensive site selection and screening exercise, as set out in the Housing and Employment Land Availability Assessment. A Draft HELAA (2024) was published alongside the first Regulation 18 consultation on the Rother draft Local Plan. Following the consultation, the HELAA has been updated and used to inform this document.
7.9. The land-uses prescribed by the site allocations respond to and seek to address the identified development needs for Rother, as discussed in Chapter 2 of this document. Development requirements and design guidelines have been set out for each site allocation, based on detailed site assessments and having regard to the NPPF and emerging Local Plan policies. The site allocations have also been considered through and informed by a Sustainability Appraisal.
Looking ahead
7.10. Additional technical evidence will be prepared to ensure the potential impacts (including cumulative impacts) of the level of growth planned in Rother is appropriately considered, as well as to ensure new development is suitably located and can be adequately supported by infrastructure, and is viable, in line with national policy and guidance.
7.11. This evidence includes detailed transport modelling and assessments, the next stage of Strategic Flood Risk Assessment (Level 2)[49], a whole plan Viability Assessment, and updating the Infrastructure Delivery Plan. Much of this work is contingent on having a portfolio of proposed site allocations to take forward for further assessment, which we now have with this document. Sustainability Appraisal and Habitats Regulations Assessment will also continue to be undertaken in parallel with the preparation of the plan.
7.12. Further, we will consider all feedback received to this public consultation and use this to inform the preparation of the Proposed Submission version of the Local Plan, including the final portfolio of site allocations and their associated policies.
Proposed Site Allocations for Bexhill
17. Do you have any comments on the proposed site allocations in Bexhill? Comment
18. Do you consider that there are any other possible sites in Bexhill which should be allocated for development in the Local Plan? Comment

Bexhill – Central Urban Area

The central area of Bexhill benefits from an excellent range of services and facilities, cultural assets, access to the mainline railway station and good bus services. However, there are things that need improving, including more pedestrian and cycle-friendly routes to enable people to travel around sustainably. There are also constraints including flood risks, and important assets that require protection, including public open spaces and the two Conservation Areas.
In the main, opportunities for development in the central area will arise on brownfield sites. In accordance with national planning policy, it is important that developments make the best use of land, and avoid homes being built at low densities.
Bexhill will benefit from £20 million government funding through the Pride in Place Programme. To plan how the funding will be spent to improve the town, the Bexhill-on-Sea Place Plan, and an associated 4-Year Investment Plan, has been developed by the Bexhill Neighbourhood Board, a partnership of local stakeholders. The Place Plan encompasses the entire town of Bexhill, with strategic emphasis on the town centre. The Place Plan and the new Local Plan are intended to align closely in their shared vision for improving Bexhill. This includes celebrating Bexhill’s heritage and enhancing the public realm, supporting opportunities for residents through improved access to skills, jobs and housing, and strengthening connections between the town centre, the coast, natural assets and neighbouring communities. Together, these plans will provide a coordinated framework for investment, spatial planning and delivery over the coming decade.
Policy Reference: BX1
Area Policy
Name: Bexhill Urban Area
Policy Text:
Subject to compliance with other Local Plan policies, new residential development within the designated Bexhill Urban Area as defined on the Location Plan, must make optimal use of land and seek to achieve densities of at least 110 dwellings per hectare, unless there are strong reasons why this would be inappropriate.
Proposals that intensify existing development to increase densities will generally be supported, provided they demonstrate high-quality design, have a satisfactory relationship with any heritage assets (whether designated or non-designated) and do not compromise residential amenity.
In the Bexhill Urban Area, car parking requirements for new residential developments will usually be lower than for areas that are less well served by public transport[1]. Improvements to pedestrian and cycle infrastructure, including safe and convenient connections to public transport facilities will be required.
All development should incorporate measures to support climate resilience and sustainability, including energy-efficient design, sustainable drainage systems (SuDS) and biodiversity enhancements. Where appropriate, the Urban Greening Factor (UGF) should be used to assess and guide the quantity and quality of green infrastructure provided on-site, in line with Natural England’s Green Infrastructure Framework.
Larger-scale developments should incorporate a mix of uses that complement existing services and facilities in the town and deliver necessary improvements to infrastructure.
Within the Bexhill Town Centre Conservation Area, development must accord with Policy HER1 of the Local Plan and preserve and enhance the character or appearance of the Conservation Area, responding carefully to the area’s heritage context, particularly in terms of scale, materials and street frontage.
Within the Bexhill Town Centre and Primary Shopping Area, development must accord with Policy ECO3 of the Local Plan.
Supporting Text:
In planning for the future of Bexhill, we’ve made a distinction between central urban areas and suburban areas. The Bexhill Urban Area has been identified as an area within reasonable walking distance of Bexhill mainline railway station and the services and facilities within Bexhill Town Centre. It includes the designated Town Centre and Primary Shopping Area, as well as the Beeching Road business area (see Policy BX4) and some key brownfield sites for redevelopment, identified by separate site allocation policies in this chapter.
This area accommodates a mix of uses and building typologies, and its proximity to public transport and services makes it a strategic location for residential intensification. In accordance with national planning policy, the use of minimum density standards in this area is considered appropriate.
To support higher densities, external amenity space provision may need to be reconfigured and reallocated. This could include:
- Smaller private gardens
- First-floor courtyards
- Roof terraces
- Shared communal spaces
These arrangements will be acceptable where:
- The overall design quality is high, in accordance with relevant policies in the Local Plan and national guidance, including the National Design Guide.
- Residential amenity is protected
- The development aligns with relevant policies, including the Live Well Locally principles and national design guidance (e.g. National Design Guide, National Model Design Code, and Building for a Healthy Life.
19. Do you have any comments on proposed Policy BX1: Bexhill Urban Area? Comment
Policy Reference: BX2
Area Policy
Name: Bexhill Cultural Area
Policy Text:
Bexhill Cultural Area is defined on the Policies Map and will be the primary focus for arts, culture and tourism activities within the town. Within the cultural area, the loss of significant existing arts, culture and tourism uses will be resisted.
Improvements to the quality of the public realm to complement the arts, culture and tourism offer, to improve the quality of the promenade experience, to strengthen connections between the beach and the town, and create a sense of place in keeping with the destination role of the seafront will be supported.
Façade restoration to reinstate the original architectural features at Marina Arcade will be supported, subject to compatibility with other Local Plan policies.
Additional infrastructure, including high quality visitor accommodation, to support cultural activity and facilities in close proximity to the Cultural Area will be encouraged, subject to compatibility with other Local Plan policies.
Supporting Text:
Policy BX2 takes forward adopted Policy BEX15 of the DaSA Local Plan, which designates a “cultural area” to afford the opportunity to focus the enhancement of the activity and facilities offer to improve patronage and the evening economy around the seafront as a significant amenity asset to the town.
The arts and cultural offer in Bexhill is centred around the De La Warr Pavilion, a Grade I listed building which is internationally renowned for art installations and as a venue for live music and the arts, and which benefits from Government Levelling Up Funding for a significant refurbishment. To the south lies the restored Grade II listed Colonnade, and the Bexhill Rowing Club, to the east the Grade II listed terrace of residential properties Marina Court Avenue, then Marina Arcade which comprises of a mixture of commercial and residential uses, and lastly Bexhill Sailing Club and the war memorial. Meanwhile the West Parade leads away from the Pavilion to Bexhill Museum to the west. The De La Warr Pavilion and its surrounding area is seen as a significant asset and hub for cultural and social activity within the town being the focal point for events such as the ‘Bexhill Festival of the Sea’ and ‘Bexhill Motofest’ and being critical in not only providing an important local amenity but also attracting visitors from further afield.
Reproduced from the Ordnance Survey mapping with the permission of the Controller of His Majesty’s Stationary Office. (Crown Copyright). Unauthorised reproduction infringes Crown copyright and may lead to prosecution or civil proceedings. No further copies may be made. Rother District Council Licence No. 100018643 2025
20. Do you have any comments on proposed Policy BX2: Bexhill Cultural Area? Comment
Policy Reference: BX3
Area Policy
Name: London Road- Sackville Road Enhancement Area
Policy Text:
The London Road – Sackville Road Enhancement Area, as shown on the Policies Map, is identified as a focus for townscape improvements to enhance this important gateway into Bexhill. Proposals will be supported where:
- clear enhancements to the public realm are achieved, resulting in a stronger sense of place;
- the commercial environment for business and visitors is improved;
- the living conditions and amenities of residents are improved; and
- improvements in terms of the safe and convenient movement for walking, wheeling, cycling, public transport and vehicles are secured.
The District Council will work with partners, including East Sussex County Council, to meet the objectives of this policy.
Supporting Text:
Policy BX3 takes forward adopted Policy BEX16 of the DaSA Local Plan, which identified shortcomings in the appearance and operation of London Road, Buckhurst Place and Sackville Road as a gateway to the town, seafront and the De La Warr Pavilion. The DaSA found issues in terms of impeded traffic flows, queuing traffic, lack of off-street parking, poor presentation of shopfronts and advertising. The significance of these streets to the appeal of, and approach to, the Town Centre was considered to warrant positive plans for their enhancement. Priorities include improvements to traffic flow, parking, pedestrian safety and public realm enhancements and supporting commercial activities
While some improvements to traffic operation have been achieved in recent years through the introduction of a mini-roundabout to control traffic into and out of Beeching Road, problems still remain and there are opportunities for improvements to the public realm and active travel connections in particular.
The Area adjoins the Cultural Area (Policy BX2) and the Beeching Road Enhancement Area (Policy BX4) and lies within the Bexhill Urban Area (Policy BX1), as well as adjoining some key brownfield sites allocated for redevelopment. It is intended that all these policies work together to complement each other and secure improvements and appropriate new development in this central area of Bexhill.
Reproduced from the Ordnance Survey mapping with the permission of the Controller of His Majesty’s Stationary Office. (Crown Copyright). Unauthorised reproduction infringes Crown copyright and may lead to prosecution or civil proceedings. No further copies may be made. Rother District Council Licence No. 100018643 2025
21. Do you have any comments on proposed Policy BX3: London Road – Sackville Road Enhancement Area? Comment
Policy Reference: BX4
Area Policy
Name: Beeching Road Enhancement Area
Policy Text:
Subject to compliance with other Local Plan policies, within the Beeching Road Enhancement Area as shown in the Location Plan, new employment and community uses which complement existing uses will be supported. New development should meet the following criteria:
- Include clear enhancements to the public realm;
- Protect the amenity of adjoining residents and businesses;
- Provide or financially contribute to the delivery of improved or new walking, wheeling and cycling (active travel) infrastructure, integrating with any applicable Local Cycling and Walking Infrastructure Plans and the East Sussex Local Transport Plan;
- Be of a high design quality, contributing to improving the appearance of the locality, in accordance with Policy LWL5 of the Local Plan (Distinctive Places);
- Make efficient use of land, contributing to intensifying existing employment areas and diversifying the employment mix.
Supporting Text:
The Beeching Road enhancement area comprises the Beeching Road industrial estate, which is the largest industrial area in Bexhill. It includes a mixture of uses, not limited to employment but also accommodating the Police and Fire Stations, the new Bexhill Diagnostic Centre, and community uses including a Day Centre, Scout Hall and public car parking areas.
This policy supports delivery of the Bexhill-on-Sea Place Plan, including exemplar projects for creative workspace activation, public realm improvements, and employment intensification.
The grade II listed former Bexhill West Station building at the southern edge of the Beeching Road estate plays an important role in providing a gateway to the area which should be enhanced. There is also some high-quality new development within the area such as the Beeching Road Studios. However, much of the existing building stock and public realm remain uninspiring and of varying quality particularly in terms of providing safe and convenient routes for active travel. This policy seeks to secure improvements to the appearance and design of the area and to support the diversification and intensification of the employment mix, as well as complementing improvements within the neighbouring London Road- Sackville Road Enhancement Area (Policy BX3). The Bexhill-on-Sea Place Plan particularly supports the creative industries and circular economy uses, in line with its proposals for a reuse hub and workspace activation.
The Beeching Road Enhancement Area includes a largely vacant plot in the south-eastern section of the industrial estate, which is also separately allocated for a residential-led mixed use development through Policy BX5. Development proposals for the BX5 area will also need to comply with Policy BX4 through the provision of an improved public realm, and improved pedestrian and cycle connections to Beeching Road, Terminus Road and Victoria Road/ Reginald Road and onwards towards the Town Centre.
22. Do you have any comments on proposed Policy BX4: Beeching Road Enhancement Area? Comment
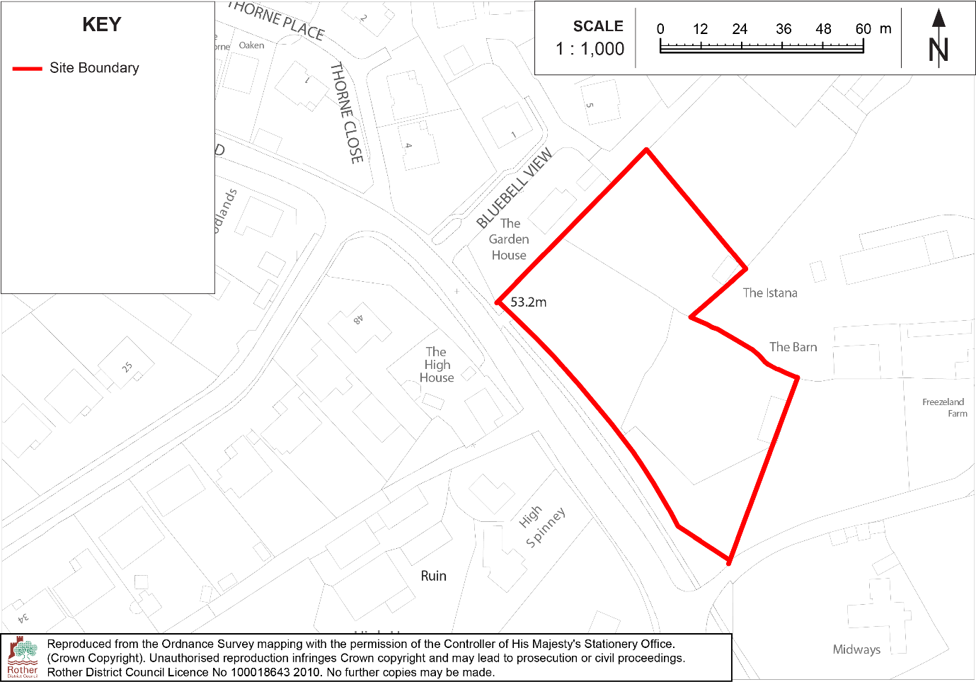
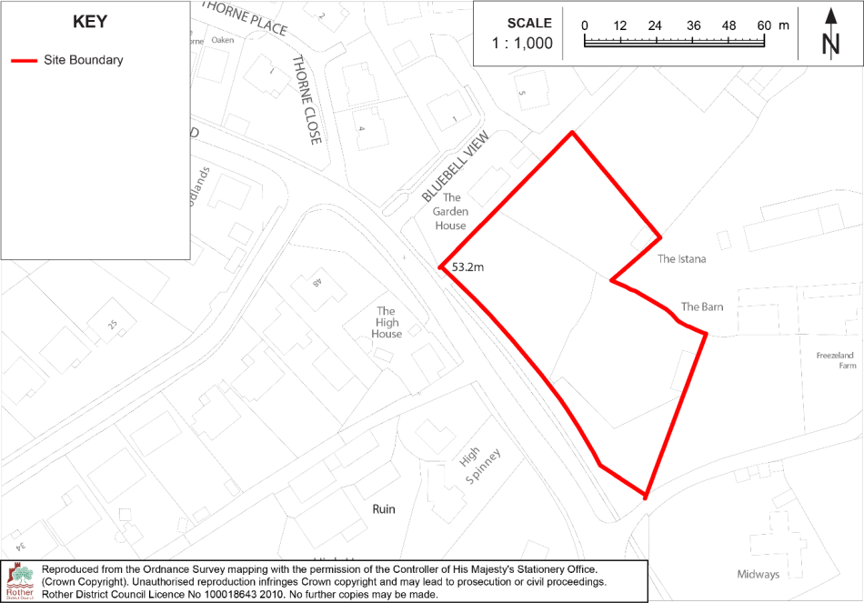
Policy Reference: BX5
Site name: Land south-east of Beeching Road
Site identification: Allocated site in DaSA Local Plan (Policy BEX14)
Greenfield/ Brownfield: Brownfield
Allocated use and capacity: The site is allocated for a residential-led, mixed-use development comprising:
- Some 200 dwellings;
- Commercial uses, subject to demand, which could include convenience floorspace (retail) use limited to food and ancillary retail sales;
- Community uses which could include a community hub and public car parking.
Density statistics:
|
Area type: |
Urban |
|
Site size (ha): |
2.81 |
|
Indicative size of area for built development (ha): |
2 |
|
Indicative residential density: |
120 dwellings per hectare |
Policy Text:
Development on this site must:
- Provide a policy-compliant amount of on-site affordable housing in line with policy HOU2 of the Rother Local Plan;
- Provide for some 200 dwellings comprising a mix of terraced houses, maisonettes and apartments;
- Provide for appropriate commercial and community uses;
- Comply with the requirements of Policy BX4 (Beeching Road Enhancement Area) including through the provision of an improved public realm, and improved pedestrian and cycle connections to Beeching Road, Terminus Road and Victoria Road/ Reginald Road and onwards towards the Town Centre;
- Provide financial contributions towards the improvement of public transport to serve the development;
- If retail development is included, provide a direct frontage onto Terminus Road to make a positive contribution to linked trips and create a visual connection with the Town Centre;
- Ensure the protection of the residential amenities of adjoining occupiers;
- If required, provide for an alternative scout hut premises elsewhere in the locality;
- Include an assessment of the options to re-provide the existing coach and lorry park, in liaison with the District Council, and make suitable alternative provision if required;
- Be subject to a site-specific flood risk assessment which demonstrates that the development will be safe for its lifetime, taking account of the vulnerability of its users, without increasing flood risk elsewhere, and where possible, will reduce flood risk overall;
- Include a connection to the local sewerage system at the nearest point of adequate capacity, in collaboration with the service provider;
- Include an 8 metre built development exclusion zone from either side of the main river culverts which pass through the site, to allow access to the existing outfall;
- Include sustainable drainage in accordance with Policy ENV2 of the Local Plan.
Supporting Text:
This is a brownfield site in the south-eastern part of the Beeching Road industrial estate. The northern section has been cleared, while the southern section includes vacant buildings as well as a veterinary surgery and scout hut, and areas for coach and public car parking. There is a Police Station adjacent to the site and predominantly two-storey residential properties along the eastern boundary (Reginald Road).
There are significant level differences across the site, falling from Beeching Road in the west towards the eastern boundary. There are two culverts which run through the site which would have a bearing on the siting of new buildings, requiring an 8m easement from each side of the culverts. A large proportion of the site is at risk of surface water flooding and therefore Sustainable Drainage (SuDS) would need to be incorporated in a redevelopment scheme.
The site is allocated in the DaSA Local Plan for a retail-led development through Policy BEX14. This allocation followed evidence developed for the Core Strategy (2014) which identified a need for convenience goods retail floorspace in Bexhill, but no suitable sites within the town centre itself. At less than 300 metres from the town centre, this site was considered “edge of centre” and was subsequently allocated for some 2,000sqm convenience goods floorspace.
However, the Rother Retail and Town Centre Uses Study (2023), developed to support the new Local Plan, has not identified a need for this quantum of additional convenience floorspace. The Study does, however find that it would be prudent to maintain policy support for convenience goods retail on the site as part of a wider mixed-use allocation, or extend the allocation of uses to more mixed commercial uses, for example, a hotel.
The site’s sustainable location, in walking distance of Bexhill town centre and railway station, and adjacent to a large residential area to the east, also makes it suitable for high density residential development. Additional commercial and business development could be accommodated as part of this, and also within the wider Beeching Road area. Community uses would also be suitable within the site, and the retention of some public car parking.
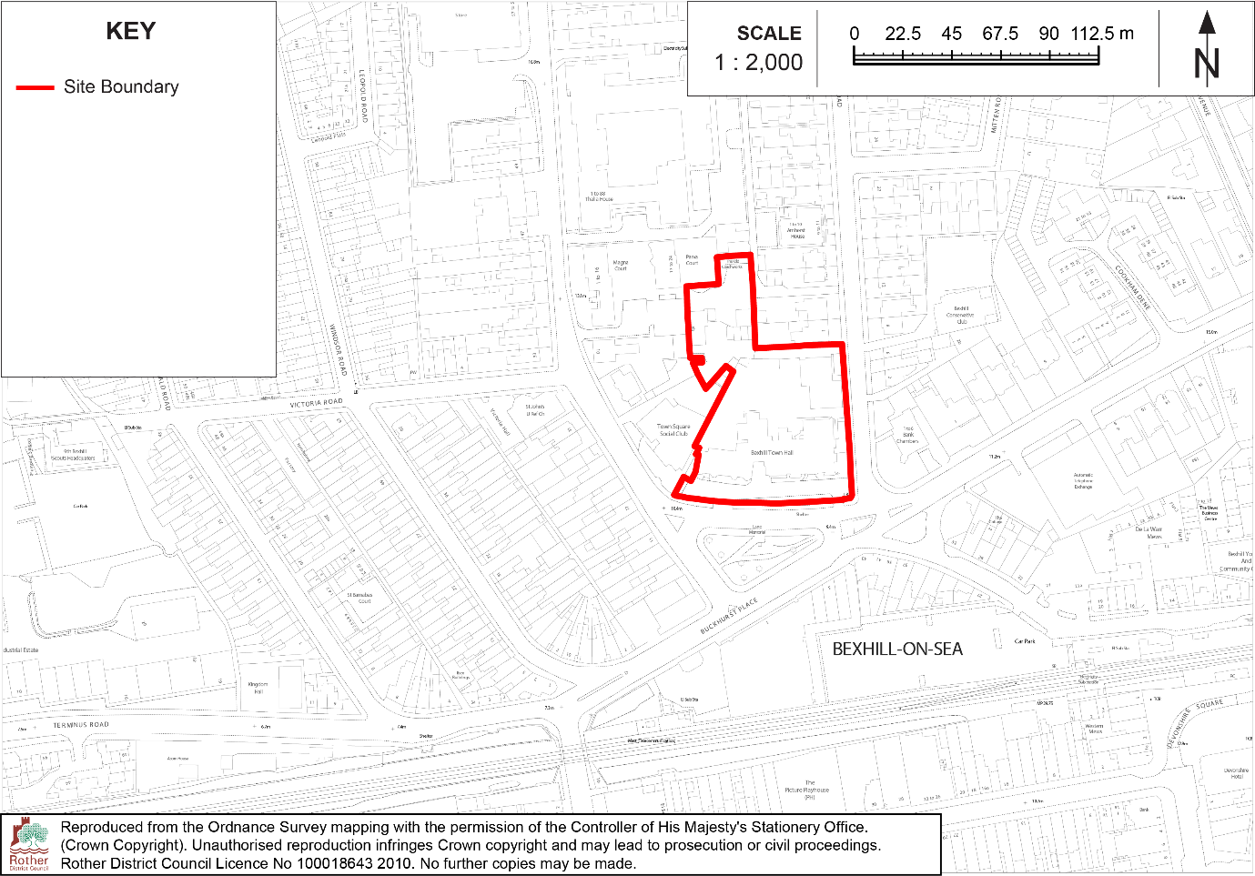
Policy Reference: BX6
Site name: Land adjacent to Bexhill Town Hall
Site identification: Council-owned land
Greenfield/ Brownfield: Brownfield
Allocated use and capacity: The site is allocated for a mixed-use residential development comprising:
- The retention of Bexhill Town Hall;
- The retention of existing office accommodation in the Amherst Road building;
- The conversion of Villa 1 and Villa 2 from office accommodation to residential use comprising some 8 apartments;
- The construction of a new residential building in the north-western part of the site to accommodate some 28 apartments.
Density statistics:
|
Area type: |
Urban |
|
Site size (ha): |
0.59 |
|
Indicative size of area for new built development (ha): |
0.1 |
|
Indicative residential density: |
200+ dwellings per hectare |
Policy Text:
Development on this site must:
- Provide a policy-compliant amount of on-site affordable housing in line with policy HOU2 of the Rother Local Plan;
- Preserve the setting of the Grade II listed building, Bexhill Town Hall;
- Protect the residential amenity of adjoining occupiers;
- Include improved pedestrian and cycle links to the new residential parts of the development;
- Include sustainable drainage in accordance with Policy ENV2 of the Local Plan.
Supporting Text:
This is a brownfield site within Bexhill Town Centre. The eastern part of the site contains Bexhill Town Hall, a grade II listed building, and a 20th century, four storey office building to the rear. Both of these buildings are in use as offices and would be retained. The western part of the site contains a pair of Victorian villas with 20th century extensions, most recently in office use but currently vacant, and an open yard to the rear which formerly accommodated a mechanic’s business.
The western part of the site provides an opportunity for redevelopment for residential use, through the conversion of the Villas and the construction of a new building within the cleared yard in the north-western section. Given the sustainable location and the constrained nature of the site, a high density, high quality residential development is appropriate.
The loss of offices (a main Town Centre use, as defined in national planning policy) is generally resisted through planning policy, however, legislation grants significant “permitted development” rights for the conversion of small offices to residential uses, although these may not apply in this case due to the site adjoining a listed building. Notwithstanding this, the Villas are not ideally suited to office use, being originally converted from residential use, and do not provide good quality, modern office space. The small loss of poor-quality, converted office space would be offset by the benefits arising from the provision of 8 new residential units in a highly sustainable location within walking distance of services, facilities and public transport.
Policy Reference: BX7
Site name: Sainsburys site, 1 Buckhurst Place
Site identification: Council-owned land
Greenfield/ Brownfield: Brownfield
Allocated use and capacity: The site is allocated for a mixed-use redevelopment comprising:
- Retention of the retail (supermarket) use together with separate small retail units fronting Town Hall Square
- Up to 75 dwellings comprising apartments above the retail use.
Density statistics:
|
Area type: |
Urban |
|
Site size (ha): |
0.67 |
|
Indicative size of area for built development (excluding car parking) (ha): |
0.4 |
|
Indicative residential density: |
180 dwellings per hectare |
Policy Text:
Development on this site must:
- Provide a policy-compliant amount of on-site affordable housing in line with policy HOU2 of the Rother Local Plan;
- Be informed by a comprehensive site masterplan which demonstrates how the retail and residential uses, public realm, landscaping, car parking and access will be accommodated within the site;
- Include clear enhancements to the public realm including an improved active frontage onto Buckhurst Place/ Town Hall Square;
- Protect the amenity of adjoining residents and businesses;
- Provide for improved walking, wheeling, cycling and public transport infrastructure within the site and linking it to Buckhurst Place and Station Road;
- Include the conservation and appropriate re-display of the three post-war concrete murals by Henry Collins and Joyce Millicent Pallot;
- Preserve the setting of the nearby Grade II listed buildings, The Lane Memorial and Bexhill Town Hall, and the Bexhill Town Centre Conservation Area;
- Include sustainable drainage in accordance with Policy ENV2 of the Local Plan.
Supporting Text:
The site comprises a two storey, 1970s building which accommodates a supermarket and a separate small residential unit on its ground floor, an adjoining large car parking area accessed from Station Road, and a service yard. It is within Bexhill town centre but outside the Conservation Area, and just north of the railway line.
The site offers an opportunity for redevelopment to improve its appearance, public realm, access, and its relationship with the town centre. Its sustainable location and large size means that it could accommodate a high number of residential units at a high density above retail use, which should be retained on the ground floor.
The site has some heritage sensitivities including its proximity to listed buildings and the conservation area and also three concrete murals which are recognised for their importance by the 20th Century Society. The policy requirements above reflect these.
Policy Reference: BX8
Site name: Former Bexhill High School site, Down Road
Site identification: Allocated site in DaSA Local Plan (Policy BEX4)
Greenfield/ Brownfield: Brownfield
Allocated use and capacity: The site is allocated for a residential development comprising some 80 dwellings.
Density statistics:
|
Area type: |
Urban |
|
Site size (ha): |
1.65 |
|
Indicative size of area for built development (ha): |
1 |
|
Indicative residential density: |
80 dwellings per hectare |
Policy Text:
Development on this site must:
- Provide a policy-compliant amount of on-site affordable housing in line with policy HOU2 of the Rother Local Plan;
- Be delivered through a comprehensive masterplan, ensuring a coordinated approach to housing, open space, landscaping, and public realm;
- Be subject to a site-specific flood risk assessment which demonstrates that the development will be safe for its lifetime, taking account of the vulnerability of its users, without increasing flood risk elsewhere, and where possible, will reduce flood risk overall;
- Provide a Green Infrastructure framework that retains and enhances habitats, alongside sustainable drainage (SuDS) measures;
- Provide children’s play space within the public open space, in accordance with an approved masterplan;
- Provide vehicular access from Down Road via changes to the existing Down Road junction with the provision of a mini roundabout;
- Provide internal pedestrian and cycle connections, retaining the existing Public Rights of Way and incorporating north–south linkages to the east of the site;
- Maintain access to the adjacent Leisure Centre and Drill Hall;
- Retain and enhance existing landscape buffers, particularly on the northern boundary;
- Undertake an archaeological investigation and assessment to ensure that the archaeological and historical interest of the site is safeguarded and recorded;
- Provide ancillary car/coach drop-off areas for the adjacent school;
- Provide a connection to the local sewerage system at the nearest point of adequate capacity, in collaboration with the service provider;
- Prepare and implement a Travel Plan to support sustainable travel choices for residents.
Supporting Text:
This vacant, brownfield site, formerly occupied by Bexhill High School, is located north of the Town Centre close to the junction of Combe Valley Way and the A259 and forms a prominent gateway to the town. Bexhill Leisure Centre and a former Skills Centre lie to the east, with King Offa Primary School to the west, and a large area of public open space, Bexhill Down, further west. There is a Ministry of Defence (MoD) Drill Hall to the south.
Two public footpaths cross the site, providing connections from Bancroft Road to Bexhill Down and linking to the Combe Valley Way underpass. The southern part of the site is within Flood Zone 2 and at risk of surface water flooding.
The site forms part of a larger site allocation in the DaSA Local Plan (Policy BEX4) which also includes the Leisure Centre to the east, and which benefits from planning permission. That allocation anticipated the construction of a new wet and dry sports and leisure facility of up to 6,500sqm and associated car parking and complementary commercial development, as well as new residential development. However, the land containing the existing Leisure Centre is no longer available and consequently, this new allocation relates to the adjacent vacant brownfield land only, and is restricted to a residential development.
The allocation seeks to deliver a high-quality, accessible residential development within walking distance of the Town Centre and public transport connections. The policy criteria would ensure the site is developed in a manner that is sustainable, accessible, and of high design quality, while addressing flood risk, ecological, and heritage considerations.
Policy Reference: BX9
Site name: Land south of Terminus Road
Site identification: Allocated site in DaSA Local Plan (Policy BEX8) plus adjoining additional land identified through the HELAA
Greenfield/ Brownfield: Brownfield
Allocated use and capacity: The site is allocated for a residential development comprising some 14 new dwellings
Density statistics:
|
Area type: |
Urban |
|
Site size (ha): |
0.19 |
|
Indicative size of area for built development (ha): |
0.16 |
|
Indicative residential density: |
94 dwellings per hectare |
Policy Text:
Development on this site must:
- Provide a policy-compliant amount of on-site affordable housing in line with policy HOU2 of the Rother Local Plan;
- Be subject to a site-specific flood risk assessment which demonstrates that the development will be safe for its lifetime, taking account of the vulnerability of its users, without increasing flood risk elsewhere, and where possible, will reduce flood risk overall;
- Retain and enhance existing boundary landscaping on the southern boundary;
- Improve the appearance of the frontage onto Terminus Road, including appropriate landscaping;
- Retain an 8-metre built development exclusion zone from the main river culvert along the western boundary.
Supporting Text:
This is a brownfield site currently occupied by car sales and car wash businesses and a small office. The larger, western, section is allocated for redevelopment for 10 dwellings in the DaSA Local Plan. Through the HELAA it has now been identified that a smaller adjoining plot to the east in the same ownership is also available, and consequently, the original allocated site has been extended to include this, and the indicative number of dwellings increased.
The site is bound by the railway line to the south and residential development to the west, with the Beeching Road industrial estate on the opposite side of the road to the north.
The western part of the site is at risk of surface water flooding and there is an underground surface water culvert and a separate main river culvert which runs along the western side of the site.
Previous appeal decisions have considered the car sales business within the site not to be an employment use and accepted that a solely residential scheme could be provided on the site without having an unacceptable impact on the Council’s employment land supply. The appeal decisions indicated that the site may only be suitable for a three-storey block of flats, given the characteristics of the locality. The inclusion of the additional plot to the east will result in the loss of a small office, however, this will not significantly affect the employment land supply and will allow for more dwellings on this constrained site.
Advice from the Environment Agency’s indicates that there should be a minimum of an 8-metre exclusion zone for development from the culvert on the site’s western boundary. Therefore, it is expected that built development on the site will be restricted to the eastern part of the site.
Reproduced from the Ordnance Survey mapping with the permission of the Controller of His Majesty’s Stationary Office. (Crown Copyright). Unauthorised reproduction infringes Crown copyright and may lead to prosecution or civil proceedings. No further copies may be made. Rother District Council Licence No. 100018643 2025
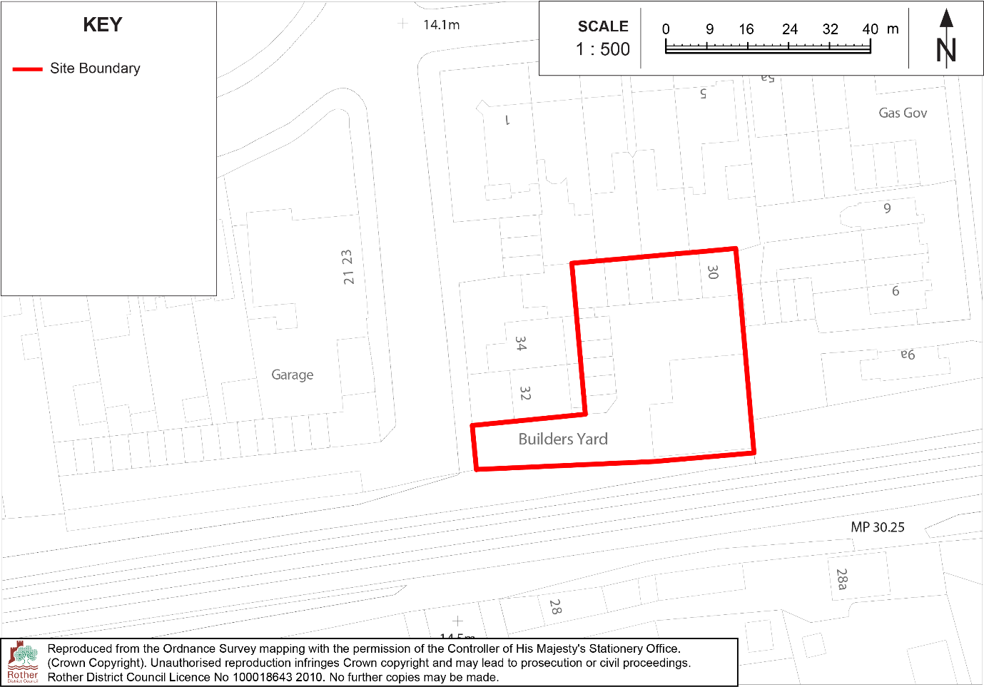
Policy Reference: BX10
Site name: 30 Dorset Road, Bexhill
Site identification: Outline permission for 8 residential units (flats).
Greenfield/ Brownfield: Brownfield
Sub-area: Bexhill
Allocated use and capacity: The site is allocated for residential-led mixed use development comprising 8 dwellings
Density statistics:
|
Area type |
Urban |
|
Site size (ha): |
0.08 |
|
Indicative size of area for built development (ha): |
0.06 |
|
Indicative residential density: |
120 dwellings per hectare |
Policy Text:
Development on this site must:
- Enhance the existing access to appropriately service the layout of the development, onto Dorset Road;
- Include a suitable pedestrian link to Dorset Road;
- Ensure that it does not unreasonably harm the amenities of nearby residential development in terms of loss of light, massing or overlooking;
- Include sustainable drainage in accordance with Policy ENV2 of the Rother Local Plan.
Supporting text:
The site is located behind a pair of semi-detached dwellings at Nos. 32 & 34 Dorset Road in the cul-de-sac section of Dorset Road within the Bexhill development boundary and is currently in use as a commercial yard. The site includes an older two-storey brick-built workshop (backing onto the houses in Ashdown Road) and a two-storey metal clad workshop. The access to the site is from the existing gated access on Dorset Road. The south side of the site joins to an embankment of a railway line. There are garages and other commercial properties on the other side of Dorset Road.
Outline planning permission was granted in 2024 for redevelopment of the existing builders’ yard to provide 8 flats with associated landscaping and parking with all matters reserved except for access which has not yet been implemented.
There are no significant environmental or other constraints affecting the site. The site is well located in relation to town services within Bexhill Town Centre.
Policy Reference: BX11
Site name: Rear of 11 Endwell Road, Bexhill
Site identification: Planning permission for 6 residential units (apartments).
Greenfield/ Brownfield: Brownfield
Sub-area: Bexhill
Allocated use and capacity: The site is allocated for residential development comprising some 6 dwellings.
Density statistics:
|
Area type |
Urban |
|
Site size (ha): |
0.04 |
|
Indicative size of area for built development (ha): |
0.03 |
|
Indicative residential density: |
200 dwellings per hectare |
Policy Text:
Development on this site must:
- Include new pedestrian links to Endwell Road;
- Ensure that it does not unreasonably harm the amenities of nearby residential development in terms of loss of light, massing or overlooking;
- Ensure an active frontage is provided along Endwell Road;
- Preserve and enhance the character and appearance of the Bexhill Town Centre Conservation Area;
- Include sustainable drainage in accordance with Policy ENV2 of the Rother Local Plan.
Supporting text:
The site is located on Endwell Road within Bexhill Town Centre. It comprises a privately-owned car park with 13 parking spaces and a single storey triple-bay garage. It is flanked by mixed-use commercial and residential development on either side.
Planning permission was granted in 2024 for the demolition of the garage block and provision of a 3 storey building containing 6 flats, which has not yet been implemented. The policy reflects the planning permission.
Environmental and other constraints affecting the site include the site being within the Bexhill Conservation Area with the policy requirements detailed above reflecting this.
Policy Reference: BX12
Site name: 2a Sackville Road, Bexhill
Site identification: Previous planning permission for 6 residential units (apartments).
Greenfield/ Brownfield: Brownfield
Sub-area: Bexhill
Allocated use and capacity: The site is allocated for a mixed-use development comprising:
- 6 dwellings
- 95sqm of retail floorspace (Class E).
Density statistics:
|
Area type |
Urban |
|
Site size (ha): |
0.03 |
|
Indicative size of area for built development (ha): |
0.03 |
|
Indicative residential density |
200 dwellings per hectare |
Policy Text:
Development on this site must:
- Include a ground floor commercial unit (Use Class E) with an active frontage to Sackville Road;
- Ensure that it does not unreasonably harm the amenities of nearby residential development in terms of loss of light, massing or overlooking;
- Preserve and enhance the character and appearance of the Bexhill Town Centre Conservation Area;
- Include soundproofing of the residential units against noise from the adjacent railway line and from noise from the ground floor commercial unit;
- Include sustainable drainage in accordance with Policy ENV2 of the Rother Local Plan.
Supporting text:
The site comprises an empty parcel of brownfield land on the western side of Sackville Road, which is characterised by a mix of residential and commercial properties. It is adjacent to the main line railway to the north and a terrace of properties comprising commercial uses at ground floor level and residential on the upper floors, to the south. The site has a steep bank on the north side adjacent with the railway line and the remaining part is level with the road. The site is located within Bexhill Town Centre and Conservation Area.
Planning permission was granted in 2020 for provision of a four-storey commercial and residential development to accommodate retail use (Class E) on the ground floor and six apartments on the first, second and third floors. While this has not been constructed, the site remains suitable, in principle, for such a redevelopment which would provide retail and residential development in a sustainable location, and enhance the appearance of the site within the street scene.
Environmental and other constraints affecting the site include the site being within the Bexhill Town Centre Conservation Area and containing areas at risk of surface water flooding, with the policy requirements detailed above reflecting these.
Policy Reference: BX13
Site name: Eversley Road Car Park, Eversley Road
Site identification: Council-owned land
Greenfield/ Brownfield: Brownfield
Allocated use and capacity: The site is allocated for:
- a residential development comprising up to ten dwellings;
- the retention of some public car parking (circa ten spaces).
Density statistics:
|
Area type: |
Urban |
|
Site size (ha): |
0.07 |
|
Indicative size of area for built development (ha): |
0.05 |
|
Indicative residential density: |
200 dwellings per hectare |
Policy Text:
Development on this site must:
- Ensure that it does not unreasonably harm the amenities of nearby residential development in terms of loss of light, massing or overlooking;
- Preserve and enhance the character and appearance of the Bexhill Town Centre Conservation Area;
- Include improvements to the public realm including on its boundary with the highway at Eversley Road;
- Include an assessment of the impact of the loss of public car parking and measures to mitigate any adverse effects.
Supporting Text:
The site is a public car park, providing some 35 spaces accessible from Bexhill Town Centre, in a largely residential street. It is within the Conservation Area but just outside the primary shopping area and town centre.
In principle it is suitable for redevelopment for a flatted residential scheme, with the retention of some public car parking. A careful design will be required to protect the amenity of adjacent properties and the character of the Conservation Area.
Bexhill – Suburban Area

The suburban area of Bexhill covers a large area outside the central urban area. The map above illustrates only a portion of it, focusing on locations where allocation sites are proposed. Generally, suburban areas are less centrally located in relation to key services, facilities and public transport connections, although some parts of the Bexhill suburban area do benefit from good access, including to the district centres at Sidley and Little Common.
In this area there are opportunities for both brownfield and greenfield development. While the higher densities typical of the central urban area may not suit all suburban contexts, medium-density development can support walkability and local service viability. In accordance with national planning policy, it remains important that developments avoid homes being built at low densities, and make optimal use of the potential of each site. Development should also respond positively to local character and contribute to a sense of place.
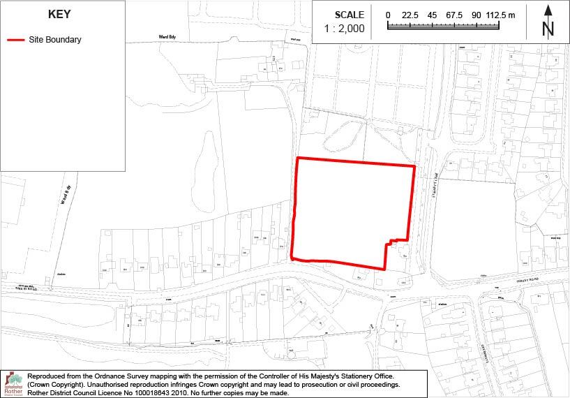
Policy Reference: BX14
Site name: Land west of Fryatts Way
Site identification: Outline planning permission RR/2021/1656/P and reserved matters planning application RR/2024/2171/P
Greenfield/ Brownfield: Greenfield
Allocated use and capacity: The site is allocated for residential development comprising up to 210 dwellings, including up to 30% affordable housing.
Density statistics:
|
Area type: |
Suburban |
|
Site size (ha): |
14.44 |
|
Indicative size of area for built development (ha): |
11 |
|
Indicative residential density: |
19 dwellings per hectare |
Policy Text:
Development on this site must:
- Provide a policy-compliant amount of on-site affordable housing in line with policy HOU2 of the Rother Local Plan;
- Deliver public open space, informal recreation areas, and a children’s play area;
- Retain and enhance existing hedgerows; provide additional planting, street trees and landscape management;
- Implement a Sustainable Drainage System (SuDS) with at least two stages of treatment, including maintenance and management arrangements;
- Provide biodiversity enhancements and a Landscape and Ecological Management Plan;
- Implement a Construction Environment Management Plan and Construction Management Plan addressing biodiversity, pollution prevention, air quality, noise mitigation, and contamination risks;
- Undertake an archaeological investigation, including post-investigation assessment, and provide mitigation if necessary;
- Provide a sustainable transport package including contributions towards Digital Demand Responsive Transport (DDRT), pedestrian improvements, and reasonable endeavours to establish a car club for a minimum of three years;
- Implement highway works necessary to secure safe site access and protect the strategic highway network;
- Be designed to allow for a vehicular and pedestrian access through the southern boundary to link to adjoining land subject to allocation Policy BX15 of this Plan.
Supporting Text:
This is a greenfield site in a suburban area of Bexhill, adjacent to a large area of public open space at Broadoak Park. It benefits from outline planning permission, granted on appeal, for up to 210 dwellings, and the policy requirements reflect this permission.
The appeal Inspector found that development would result in a moderate level of harm to local landscape character due to the introduction of built form on a remnant of the High Weald landscape and the partial erosion of the green corridor. Mitigation through sensitive layout, retention and enhancement of hedgerows, street trees, and new planting, as well as high-quality design of dwellings, will be critical to soften the impact and integrate the development with the surrounding area.
The site is not within a designated valued landscape, and while it has some intrinsic scenic and cultural value, the appeal Inspector concluded that this does not preclude development. The development should incorporate a green infrastructure network, including open space and informal recreational areas, enhancing biodiversity and providing amenity space for future residents.
A safe vehicular access is achievable from Fryatts Way, and the surrounding highway network can accommodate the additional traffic without significant congestion or safety issues. The site is currently poorly served by conventional bus services, but the provision of a contribution towards Digital Demand Responsive Transport (DDRT) will provide enhanced connectivity for residents, alongside opportunities for cycling, walking, rail access, and a car club. While the site is not within a particularly walkable neighbourhood, these measures provide some sustainable travel choices, albeit with limitations, and mitigate the transport impacts of the development to a moderate degree.
The appeal decision also confirmed that the site is suitable for surface water drainage management within the Pevensey Levels Hydrological Catchment Area, including the provision of SuDS with at least two stages of treatment. Detailed measures, including swales, attenuation basins, and permeable surfaces, will be required, and their implementation and maintenance will be secured through planning conditions and obligations.
Other supporting infrastructure, including on-site play areas, landscaping, ecological mitigation, and management plans, must be delivered alongside development. Archaeological investigation and heritage mitigation measures will also be required prior to development.
Policy Reference: BX15
Site name: Land north of Broadoak Lane
Site identification: Council-owned land
Greenfield/ Brownfield: Greenfield
Allocated use and capacity: The site is allocated for residential development comprising some 35 dwellings.
Density statistics:
|
Area type: |
Suburban |
|
Site size (ha): |
1.26 |
|
Indicative size of area for built development (ha): |
1 |
|
Indicative residential density: |
35 dwellings per hectare |
Policy Text:
Development on this site must:
- Provide a policy-compliant amount of on-site affordable housing in line with policy HOU2 of the Rother Local Plan;
- Include vehicular access from the adjoining land to the north (subject to allocation Policy BX14 of this Plan);
- Include pedestrian links to the existing public footpath (Bexhill 26a) on the southern boundary and cycle links to Broadoak Lane to the south via an upgrade to a short section of the public footpath;
- Retain and enhance existing mature trees and hedges on the site boundaries, other than where short sections need to be removed to facilitate access, which should be minimised as far as possible;
- Provide additional planting, street trees and landscape management;
- Implement a Sustainable Drainage System (SuDS) with at least two stages of treatment, including maintenance and management arrangements;
- Provide biodiversity enhancements and a Landscape and Ecological Management Plan;
- Implement a Construction Environment Management Plan and Construction Management Plan addressing biodiversity, pollution prevention, air quality, noise mitigation, and contamination risks;
- Undertake an archaeological investigation, including post-investigation assessment, and provide mitigation if necessary.
Supporting Text:
The site comprises a sloping grassed field on the edge of a residential area, just south of the land subject to site allocation Policy BX14 (Land at Fryatts Way) which benefits from planning permission granted on appeal for up to 210 dwellings.
There is a public footpath on its southern edge although the field itself is not currently publicly accessible. Consequently, having regard to the planning permission on adjoining land, this site provides an opportunity for additional residential development within Bexhill.
There is no suitable vehicular access point from Broadoak Lane, although pedestrian and cycle links could be provided. Therefore, vehicular access would need to be via the site to the north, subject to Policy BX14.
The interim HRA for the new Local Plan has identified that because the site is within the Pevensey Levels Hydrological Catchment Area, mitigation measures to protect against significant effects to the Habitats Site may be required, and the policy requirements above reflect this.
While it is not publicly accessible, the site forms part of the wider Broad Oak Park in Council ownership which is subject to a deed of dedication with Fields in Trust which seeks to protect it from alternative uses. Consequently, further investigation into the site’s availability for development will be required.
Policy Reference: BX16
Site name: Land west of Pages Lane, Bexhill
Site identification: New site identified through the HELAA
Greenfield/ Brownfield: Brownfield
Allocated use and capacity: The site is allocated for residential development comprising some 30 dwellings.
Density statistics:
|
Area type: |
Suburban |
|
Site size (ha): |
1.22 |
|
Indicative size of area for built development (ha): |
0.7 |
|
Indicative residential density: |
42 dwellings per hectare |
Policy Text:
Development on this site must:
- Provide a policy-compliant amount of on-site affordable housing in line with policy HOU2 of the Rother Local Plan;
- Include a Green Infrastructure Plan and landscaping and biodiversity plan, informed by a tree survey and ecological surveys, which retains existing trees and hedgerows wherever possible; provides additional planting, habitat enhancements and areas of public open space;
- Include pedestrian and cycle links to both Pages Lane and The Barnhams;
- Include off-site highway improvements and/ or financial contributions towards improvements, as advised by the Highway Authority, to encourage access by sustainable travel modes;
- Avoid built development in those parts of the site shown to be at risk of surface water flooding.
Supporting Text:
The site comprises a level grassed field currently accommodating electronic communications devices. It also contains a number of mature trees. It is within a residential area just north of the railway line within the Bexhill development boundary. Collington Wood, a Local Wildlife Site and area of ancient woodland, lies 60 metres to the east beyond houses on Pages Lane.
The landowner has advised that the current use of the site will continue until 2028 at which point it will be decommissioned and an alternative use pursued. Given its location, it is considered suitable for residential redevelopment in principle. The landowner has also indicated it should be considered available for a residential care home use. However, as the Hastings and Rother HEDNA (2024) did not identify a specific need to allocate land for residential care beds, a residential (Use Class C3) allocation is considered more suitable.
Initial comments of the Highway Authority suggest that a redevelopment scheme is unlikely to attract an objection on highway grounds, although pedestrian and cycle links to local facilities would need to be maximised. A careful design will be needed to retain mature trees as far as possible and provide a net gain for biodiversity.
Policy Reference: BX17
Site name: 81 Cooden Drive, Bexhill
Site identification: Planning permission for 6 new residential units (5 apartments and 1 bungalow) – planning reference RR/2024/2052/P.
Greenfield/ Brownfield: Brownfield
Sub-area: Bexhill
Allocated use and capacity: The site is allocated for residential development comprising some 6 new residential units.
Density statistics:
|
Area type |
Suburban |
|
Site size (ha): |
0.14 |
|
Indicative size of area for built development (ha): |
0.1 |
|
Indicative residential density: |
60 dwellings per hectare |
Site specific development requirements:
Development on this site must:
- Include a suitable vehicular access and crossovers from Cooden Drive or Pages Avenue;
- Include new pedestrian and cycle links to Cooden Drive;
- Ensure that it does not unreasonably harm the amenities of nearby residential development in terms of loss of light, massing or overlooking;
- Include sustainable drainage in accordance with Policy ENV2 of the Rother Local Plan.
Supporting text:
The site is situated on the southeast side of the junction between Cooden Drive and Pages Avenue. It is currently occupied by a detached bungalow that fronts the southern side of Cooden Drive with a wrap-around turfed garden area and hedgerow including trees to the west boundary.
Planning permission was approved in 2025 for demolition of the existing bungalow and garage, and provision of 5 apartments and 1 bungalow, including provision of a new access.
Environmental and other constraints affecting the site include an area nearby to the north boundary being at risk of surface water flooding with the policy requirements detailed above reflect these. The site is well-located to amenities and services available in Bexhill.
West Bexhill Growth Area

The Draft Local Plan (Regulation 18 version, 2024) first identified opportunities for strategic growth in North and West Bexhill, and these are further developed through the Development Strategy of this Plan.
Impacts of development in this area on the A259 Barnhorn Road and the Pevensey Levels in particular will need to be carefully considered and further work is being undertaken on this by the Council both during and after this Regulation 18 consultation. Previous analysis indicates that a new western road bypass of Bexhill is unlikely to be financially viable, but this will be explored again with partners in light of the potential housing growth set out in this document.
The largest sites suitable for development in West Bexhill are on greenfield land, although there are also some brownfield opportunities. Some substantial sites already have planning permission and additional land has been identified through the HELAA.
A master-planning approach, including through meaningful engagement with local communities, will be required to ensure connected communities that meet our Live Well Locally concept are created in West Bexhill. Parameters for master-planning will be developed further, informed by additional evidence documents, following this second Regulation 18 consultation.
Policy Reference: BX18
Area Policy
Name: West Bexhill Growth Area – Infrastructure Policy
Policy Text:
New development within the West Bexhill Growth Area will be coordinated through a master-planning approach. Proposals must appropriately contribute to the infrastructure required to create a sustainable, “Live Well Locally” community, to be provided in a timely manner, either by direct provision or through financial contributions attached to the respective planning permissions. This will include, but not be limited to:
- Improvements to the strategic and local road networks (including any improvements to the wider road network in the Bexhill area) that are necessary to make the impacts of development acceptable, in accordance with the requirements of National Highways and the Highway Authority;
- Improvements to pedestrian and cycling infrastructure to support and enable active travel, including new and improved safe and attractive routes to Little Common District Centre and Cooden Beach railway station;
- Improvements to public transport including in terms of its provision and infrastructure;
- A new Primary School with Early Years Nursery provision, to serve the West Bexhill area, to be so located to enable the maximum proportion of planned new homes within the Growth Area to be within walking distance of it;
- Provision for commercial units, retail space and/or local shopping within the western part of the Growth Area, with preference given to space suitable for groceries and professional services (such as a post office or banking);
- The provision of a GP surgery, unless already provided at Rosewood Park;
- A comprehensive network of Green and Blue Infrastructure, including attractive and landscaped public open spaces with retained mature trees and ponds, play areas for all ages, and areas for biodiversity enhancements;
- Outdoor sports facilities including formal playing pitches to meet the needs of new residents, with appropriate supporting infrastructure;
- Indoor meeting places such as a community centre, café, public house, place of worship;
- Sustainable Drainage Systems (SuDS) in accordance with Policy ENV2 to ensure appropriate drainage of new development and the protection of the Pevensey Levels SAC/ Ramsar site;
- Any necessary improvements to wastewater treatment infrastructure to ensure the proper management of foul drainage.
Supporting Text:
There is a need for a master-planning approach to the West Bexhill Growth Area to ensure the creation of a Live Well Locally sustainable community. New residential and employment development must be supported by new and improved infrastructure. Policy BX18 begins to identify shared infrastructure requirements, and this list of requirements will be further developed and costed, and phasing requirements determined, as the new Local Plan progresses. This ongoing work will be informed by updates to the draft Infrastructure Delivery Plan (IDP) and discussions with infrastructure providers. The IDP will be subject to regular review, ensuring it takes account of the latest available information including on development phasing and viability.
As well as meeting the needs of existing and new residents, many of the infrastructure requirements arise due to existing constraints in the West Bexhill area, including:
- Its proximity to the environmentally sensitive area of the Pevensey Levels, meaning any new development must incorporate careful sustainable drainage (SuDS) solutions comprising at least three treatment stages in accordance with Policy ENV2 of the draft Local Plan (2024);
- Impacts on the A259 trunk road, including the Little Common Roundabout where there are known capacity constraints leading to congestion;
- The road network away from the A259, which (particularly in the west) comprises narrow, winding country lanes unsuited to additional traffic;
- Its sensitive landscape setting, with long views into the countryside to the south-west and north;
- Areas at risk of flooding, which effectively encircle the Growth Area to the south and north;
- The distance of many large sites from services, facilities and public transport connections in Bexhill and Little Common, meaning that without careful planning and provision of infrastructure, new residential development could be unsustainable and largely car-dependent.
Following this Regulation 18 consultation, in addition to the Infrastructure Delivery Plan, further key evidence will be gathered to inform the final development strategy and site allocations in the West Bexhill Area. This includes detailed Transport Modelling, further work on the Habitats Regulations Assessment and Strategic Flood Risk Assessment, and a Green/ Blue Infrastructure Study. These evidence documents will also feed into the identification of infrastructure requirements for the Growth Area.
23. Do you have any comments on proposed Policy BX18: West Bexhill Growth Area – Infrastructure Policy? Comment
Policy Reference: BX19
Site name: Gorses Car Park and open space, The Gorses
Site identification: Council-owned land
Greenfield/ Brownfield: Brownfield
Allocated use and capacity: The site is allocated for residentialdevelopment comprising some 10 new dwellings.
Density statistics:
|
Area type: |
Suburban |
|
Site size (ha): |
0.39 |
|
Indicative size of area for built development (ha): |
0.06 |
|
Indicative residential density: |
166 dwellings per hectare |
Policy Text:
Development at this site must:
- Comprise of small (1-3 bedroom) dwellings to address the needs for small dwellings in the district;
- Be limited to the existing, hard-surfaced public car parking area and not extend into the area of public open space within the site, unless any loss would be replaced by equivalent provision in terms of quantity and quality in a suitable location;
- Include measures to protect and enhance biodiversity within the site.
Supporting Text:
The site comprises a small public car park and an adjoining larger area of public open space consisting of grassed and wooded areas. It is located in a relatively sustainable location within walking distance of Cooden Beach railway station and is bounded by residential development to the east and west.
There is ample on-street parking in the local area available for users of the nearby railway station, and consequently, the loss of the public car park is considered acceptable, on the basis that its redevelopment would allow for the provision of small dwellings, boosting the housing supply of this accommodation type in this area of Bexhill. However, the loss of the public open space within the site would be contrary to national planning policy as well as harmful to biodiversity in this location close to the Pevensey Levels SSSI, Ramsar site, SAC and Biodiversity Opportunity Area.
Policy Reference: BX20
Site name: Land off Spindlewood Drive, Bexhil
Site identification: Existing allocation in the DaSA Local Plan (Policy BEX9). Planning permission reference RR/2017/1705/P
Greenfield/ Brownfield: Greenfield
Allocated use and capacity: The site is allocated for residentialdevelopment comprising some 146 new dwellings.
Density statistics:
|
Area type: |
Suburban |
|
Site size (ha): |
7.3 |
|
Indicative size of area for built development (ha): |
3.4 |
|
Indicative residential density: |
43 dwellings per hectare |
Policy Text:
Development on this site must:
- Provide a policy-compliant amount of on-site affordable housing in line with policy HOU2 of the Rother Local Plan;
- Provide highway access from Spindlewood Drive and Barnhorn Road, including offsite highway works to make the development acceptable in highway terms;
- Provide a pedestrian footpath link to Barnhorn Road and footpath improvements at the Spindlewood Drive access;
- Provide children’s play space in the form of both a Locally Equipped Area for Play (LEAP) and a Local Area for Play (LAP);
- Provide a green corridor through the centre of the site between two areas of existing adjacent woodland areas for ecological and public recreational use. The corridor will include the retention and enhancement of the existing pond only for ecological value and not as part of the SuDS system, which should form part of an enhanced buffer to the adjacent Ancient Woodland;
- Include provision for the retention and future management of a buffer zone of semi-natural habitat, at least 15 metres wide (which does not include residential gardens), on the south-west boundary, between the edge of development and the ancient woodland;
- Retain and enhance existing boundary planting, particularly in relation to the existing Tree Preservation Orders on adjacent sites and the north and northeastern boundaries of the site;
- Incorporate appropriate SuDS in accordance with Policy ENV2 of the draft Local Plan (2024) and an Appropriate Assessment under the Habitats Regulations to demonstrate beyond reasonable scientific doubt that these can be delivered on the site without harming the integrity of the Pevensey Levels Special Area of Conservation/RAMSAR site;
- Include provision for any protected species found to be using the site, including appropriate mitigation and/or compensation for any loss of habitat, retaining physical linkages through the central wildlife corridor;
- Protect the amenity of adjoining residential properties to the north, north-east and south-east, and the existing character of the countryside and farm complex to the south-west and west.
- Include an assessment and evaluation of the site’s archaeological potential and the implementation of any mitigation measures identified through the assessment including provision for any significant archaeological artefacts identified through a trial trench investigation to be preserved in situ on the site.
- Provide improvements to existing local bus stop infrastructure and make financial contribution towards improving local bus services;
- Provide a connection to the local sewerage system at the nearest point of adequate capacity, in collaboration with the service provider.
Supporting text:
This greenfield site lies to the south of Barnhorn Road and west of Spindlewood Drive, Little Common. It is allocated for 160 dwellings in the DaSA Local Plan and was granted outline planning permission to reflect the allocation. However, more recent planning applications propose 146 dwellings at the site, and this allocation reflects those.
The site can be accessed from both Spindlewood Drive and Barnhorn Road and is close to bus services, shops and community facilities within Little Common District Centre. Highway impacts must be carefully assessed, with any proposals required to deliver appropriate off-site mitigation. This includes consideration of cumulative impacts from other developments. Improvements to pedestrian and sustainable transport links are essential. This includes a direct pedestrian route from the site to Barnhorn Road, footway improvements at the Spindlewood Drive access, upgraded bus stop infrastructure, and financial contributions towards improved local bus services. A site-specific green travel plan will be required to maximise the use of sustainable transport.
The site falls within the Pevensey Levels SAC/Ramsar hydrological catchment. Development must deliver Sustainable Drainage Systems (SuDS) treatment to prevent negative effects on water quality. SuDS must be designed to provide multiple benefits: protecting water quality, supporting biodiversity, enhancing recreational opportunities, and strengthening local landscape character. The south-western field provides open views towards the Levels and must be kept free of built development to protect the landscape setting. This area is considered most suitable for SuDS infrastructure, enabling the retention of its open character.
A connection to the nearest point in the foul sewerage network with adequate capacity will be required, agreed with the service provider. Development layout should also account for the existing wastewater pumping station at Spindlewood Drive to avoid land use conflicts.
There are two bands of trees that run through the site linking a wooded area to the north with Ancient Woodland to the south. This is an important landscape feature within the site and acts as a wildlife corridor between the two areas of woodland that should be retained for ecological and recreational open space. Part of the area may be suitable for children’s play space. It is recognised that the existing track bisecting the corridor (or an alternative to it) will need to be made up as part of the internal vehicular movement network. Appropriate mitigation measures to enable the safe movement of wildlife through the corridor will need to be incorporated in the detailed design. There is also a pond in this area which should be retained and enhanced for ecological purposes only and not as part of the SuDS. The pond lies adjacent to the Ancient Woodland and provides existing habitat for protected species. It would therefore be appropriate to include this area within an enhanced buffer zone to the woodland and to restrict public access to it. Elsewhere, a minimum 15m buffer between development and the Ancient Woodland should be maintained and other appropriate wildlife mitigation measures informed by a full evaluation of the site’s ecological value and potential will be required.
The north-west part of the site adjacent to the historic medieval farm complex is identified as an Archaeological Notification Area and a geophysical survey of the site has identified the potential for archaeological remains to be present throughout this whole field. It will be necessary to clarify the significance of these features through trial trench testing prior to the detailed layout of development on the site being designed so that any important remains can be retained in situ.
Policy Reference: BX21
Site name: Land north of Barnhorn Manor Caravan Park, Bexhill
Site identification: New site identified through the HELAA
Greenfield/ Brownfield: Greenfield
Allocated use and capacity: The site is allocated for residentialdevelopment comprising some 20 dwellings.
Density statistics:
|
Area type: |
Suburban |
|
Site size (ha): |
1 |
|
Indicative size of area for built development (ha): |
0.5 |
|
Indicative residential density: |
40 dwellings per hectare |
Policy Text:
Development on this site must:
- Provide a policy-compliant amount of on-site affordable housing in line with policy HOU2 of the Rother Local Plan;
- Utilise the same access from Barnhorn Road as the adjacent site subject to Policy BX20 of this Plan, including all necessary improvements to the access as required by National Highways;
- Include pedestrian and cycle links to the adjacent sites subject to Policies BX20 and BX22 of this Plan and to the existing public footpath network;
- Protect the setting of the Grade II Listed Building, Barnhorne Manor Lower Barnhorne, to the west of the site;
- Include a landscaping scheme to enhance the appearance of the development which includes the protection and retention of trees on the site boundaries;
- Avoid built development in those parts of the site identified to be at risk of surface water flooding;
- Incorporate appropriate SuDS in accordance with Policy ENV2 of the draft Local Plan (2024) and an Appropriate Assessment under the Habitats Regulations to demonstrate beyond reasonable scientific doubt that these can be delivered on the site without harming the integrity of the Pevensey Levels Special Area of Conservation/RAMSAR site;
- Include an assessment and evaluation of the site’s archaeological potential and the implementation of any mitigation measures identified through the assessment including provision for any significant archaeological artefacts identified through a trial trench investigation to be preserved in situ on the site;
- Provide a connection to the local sewerage system at the nearest point of adequate capacity, in collaboration with the service provider.
Supporting text:
This site lies just west of the land subject to Policy BX20 and is in the same ownership. It provides an opportunity for a small extension to the approved residential development at the adjoining site, utilising the same access point from Barnhorn Road.
The site previously contained a number of agricultural buildings including livestock barns although most of these have now been demolished, as agricultural activity in the area has been reduced in recent years. The site is sandwiched in between existing residential development on the southern side of Barnhorn Road and Oak Tree Place, planned residential development to the east, and Barnhorn Manor Caravan Park to the south (which is itself contained within the land subject to Policy BX22).
The site shares many of the environmental constraints of the larger site including its location within the Pevensey Levels Hydrological Catchment. Additionally, there are small areas at risk of surface water flooding including waterbodies in the eastern part of the site, and a grade II listed building, Barnhorne Manor, Lower Barnhorne, just west of this site, and the policy criteria reflect these constraints. The need to protect the setting of the listed building reduces the overall suitable developable area of the site.
Policy Reference: BX22
Site name: Land south of Barnhorn Road, Bexhill
Site identification: New site identified through the HELAA
Greenfield/ Brownfield: Greenfield
Allocated use and capacity: The site is allocated for a residential-led mixed use development comprising:
- Some 400 new dwellings;
- Some 3,000sqm employment floorspace or an equivalent amount of alternative commercial use which could include tourism uses / accommodation;
- Community uses.
Density statistics:
|
Area type: |
Live Well Locally |
|
Site size (ha): |
24 |
|
Indicative size of area for built development (ha): |
12 |
|
Indicative residential density: |
40 dwellings per hectare |
Policy Text:
Development on this site must:
- Provide a policy-compliant amount of on-site affordable housing in line with policy HOU2 of the Rother Local Plan;
- Accord with Policy BX18 of this Plan (West Bexhill Growth Area – Infrastructure Policy) in terms of including direct provision of and/ or financial contributions towards all necessary infrastructure to serve the development along with development in the wider West Bexhill area;
- Be informed by a landscape sensitivity assessment to determine an appropriate layout, form and detailed design to ensure the protection of the landscape and character of the Pevensey Levels to the south-west of the site and provide an appropriate edge to built development when viewed from the south and south-west;
- Include vehicular access(es) from Barnhorn Road to include necessary improvements and infrastructure to meet the requirements of National Highways;
- Include new pedestrian and cycle links within the site, linking to existing public rights of way and public highways outside the site, also retaining existing public footpaths within the site;
- Provide improvements to existing local bus stop infrastructure and a financial contribution towards improving local bus services;
- Include substantial areas of public open space (including play-space and formal playing pitch(es), subject to demand) and areas for Biodiversity Net Gain across the site in accordance with Local Plan policy;
- Include provision for the retention and future management of a buffer zone of semi-natural habitat, at least 15 metres wide (which does not include residential gardens), on the boundaries adjoining Cooden Wood, between the edge of development and the ancient woodland;
- Retain and enhance all existing hedgerows, mature trees and areas of woodland within the site and on the site boundaries, except for any short sections of hedgerow which are required to be removed to facilitate access, which should be minimised as far as possible;
- Retain and protect existing ponds, streams and ditches within the site and provide an appropriate buffer to any built development including roadways, as informed by ecological surveys, to be completed;
- Incorporate appropriate SuDS in accordance with Policy ENV2 of the draft Local Plan (2024) and an Appropriate Assessment under the Habitats Regulations to demonstrate beyond reasonable scientific doubt that these can be delivered on the site without harming the integrity of the Pevensey Levels Special Area of Conservation/RAMSAR site;
- Protect the setting of the Grade II Listed Building, Barnhorne Manor Lower Barnhorne, within the eastern part of the site;
- Include an assessment and evaluation of the site’s archaeological potential and the implementation of any mitigation measures identified through the assessment including provision for any significant archaeological artefacts identified through a trial trench investigation to be preserved in situ on the site;
- Provide a connection to the local sewerage system at the nearest point of adequate capacity, in collaboration with the service provider.
Supporting text:
This is a large area of mostly greenfield land to the south of Barnhorn Road, comprising agricultural fields at the rear of ribbon development. It also includes, in its eastern section, the Barnhorn Manor Caravan Park and a historic farmstead and Grade II listed building at Barnhorne Manor Lower Barnhorne.
Development of this site will result in a relatively large extension of the built form of Bexhill into the countryside. However, a carefully designed development, suitably landscaped and including a mix of uses and improved pedestrian and cycle links, will enable the creation of a sustainable community with a new urban edge while protecting the adjoining sensitive landscape and heritage assets.
The site is within the Pevensey Levels Hydrological Catchment, and parts of the site directly adjoin areas at risk of flooding and the Pevensey Levels SSSI, SAC and Ramsar site. Any development will need to be carefully designed to ensure the integrity of these protected habitats is retained, including through the provision of appropriate SuDS with at least three stages of treatment in accordance with Policy ENV2 of the draft Local Plan.
The proximity of the Levels, with its wide, open views south-westwards also constrains the extent of developable land south of Barnhorn Road in landscape terms, with adjoining land to the west (in the same ownership), unsuitable for development due to its exposure from the south-west, meaning development here would be very harmful to the landscape setting of Bexhill. The site itself, however, is relatively enclosed from wider views, containing individual fields benefiting from mature and substantial treed and hedged field boundaries. All existing field boundaries and individual mature trees (including veteran trees and ancient woodland) within and adjoining the site will need to be retained and protected as part of the development, together with existing ponds, ditches and streams.
Vehicular access to the site will need to come from Barnhorn Road to the north, however, a suitable access point is currently unclear. Land adjacent to the site to the north-west has been made available, however, this would result in development in a highly prominent location when viewed from the Levels to the south-west and could also harm the setting of the Grade II Listed building Barnhorn Manor, and is considered unacceptable in these terms. Consequently, an access further east will need to be identified, and the impacts of traffic arising from the development will need to be modelled to determine the extent of necessary improvements and interventions. Improvements to the existing public rights of way network as well as new pedestrian and cycle paths through the site and linking it to the district centre at Little Common and further south-east towards Cooden Beach station, will also be required, along with any necessary improvements to public transport.
The redevelopment of the caravan park will result in the loss of tourist accommodation, contrary to Local Plan policy, and consequently, the site will need to accommodate either new employment floorspace or an alternative, appropriate commercial use (which could include tourist accommodation). The provision of a mix of uses, to also include community uses, significant areas of green infrastructure and outdoor sports infrastructure (as appropriate) will also ensure the creation of a sustainable community in this south-western part of Bexhill. On-site Biodiversity Net Gain will also be required together with the protection of heritage assets.
Policy Reference: BX23
Site name: Land north of Rosewood Park
Site identification: Planning application resolved to approve (RR/2023/1721/P) plus a small additional plot of land identified through the HELAA
Greenfield/ Brownfield: Greenfield
Allocated use and capacity: The site is allocated for mixed-use development comprising:
- Some 340 new dwellings;
- Retail or community facilities (Use Classes E/F) located centrally within the development, including a convenience retail element.
Density statistics:
|
Area type |
Live Well Locally |
|
Site size (ha): |
25 |
|
Indicative size of area for built development (ha): |
18.9 (9.7ha of which is for housing) |
|
Indicative residential density |
35 dwellings per hectare |
Site specific development requirements:
Development on this site must:
- Provide a policy-compliant amount of on-site affordable housing in line with policy HOU2 of the Rother Local Plan;
- Provide a centrally located retail/community facility (Use Classes E/F) including a convenience retail element;
- Provide areas of public open space, including formal and informal open space, a central focal area, children’s play space and green corridors.
- Provide children’s play space in the form of a Neighbourhood Equipped Area for Play (NEAP), a Local Area for Play (LAP), and Trim Trails dedicated for children and young people;
- Provide new vehicular access from Stowe Drive via Brooklands Road and Barnhorn Road, with dedicated cycle lanes throughout the proposed main road network;
- Not include vehicular access from Sandhurst Lane (excepting emergency vehicles);
- Retain and enhance existing Public Rights of Way (PRoW) across the site and provide new recreational routes through areas of public open space to link with the wider countryside and PRoW network.
- Provide a Green Infrastructure network comprising retained habitats across the site, complemented by new landscaped areas of open space and sustainable drainage (SuDS);
- Incorporate SuDS, and secure Appropriate Assessment under the Habitats Regulations to demonstrate beyond reasonable scientific doubt that the development can proceed without adverse effect on the integrity of the Pevensey Levels SAC/Ramsar site;
- Undertake archaeological site investigation and assessment to ensure that the archaeological and historical interest of the site is safeguarded and recorded;
- Provide off-site transport infrastructure improvements;
- Contribute financially towards the upgrade of Footpath FP51b to accommodate increased use;
- Provide improvements to existing local bus stop infrastructure and financial contributions towards public transport services, including an additional flexibus service with a centrally located hub on-site;
- Provide a Travel Plan, with an associated auditing fee to promote sustainable travel choices, including cycling, walking, car sharing, and low/ultra-low emission vehicles;
- Provide Electric Vehicle Hire Car Club spaces and management;
- Provide a Local Employment and Skills Plan contribution;
- Provide a connection to the local sewerage system at the nearest point of adequate capacity, in collaboration with the service provider.
Supporting text:
This is a large greenfield site on the western edge of Bexhill, adjoining a sizeable, recently completed residential development at Rosewood Park. It is subject to planning application RR/2023/1721/P which is delegated to approve, and the policy requirements reflect the approved scheme. A small adjoining plot of land bounding Sandhurst Lane has also been identified as available for development through the HELAA, which has been included in the site allocation boundary.
The site predominantly consists of agricultural fields, with boundaries defined by hedgerows, woodland shaws and mature trees. It lies within the Pevensey Levels Hydrological Catchment Area and is located 0.9 km from the Pevensey Levels Ramsar, SAC and SSSI. Parts of the site fall within Flood Zones 2 and 3 and are at risk of surface water flooding, necessitating careful management of flood risk and drainage.
Development on this site provides an opportunity to deliver up to 340 homes, including affordable housing and self and custom build housing.
The development will also need to incorporate substantial new areas of public open space, including formal and informal provision, a central focal area, green corridors, and dedicated children’s play areas (NEAP, LAP and Trim Trails). The creation of a Green Infrastructure (GI) network is central to the required layout, retaining habitats of woodland, scrub, shaws, hedgerows, trees and floodplain grazing marsh, complemented by new landscaping and Sustainable Drainage Systems (SuDS). Development must be supported by a landscape-led masterplan, ensuring an integrated approach that enhances biodiversity and supports habitat connectivity. Appropriate Assessment under the Habitats Regulations will be required to demonstrate beyond reasonable scientific doubt that the development can proceed without adverse effects on the integrity of the Pevensey Levels SAC/Ramsar site.
The site lies in an area of known archaeological interest, and development must be preceded by archaeological investigation, assessment, and appropriate publication and archiving to safeguard the site’s historic environment in accordance with national policy.
Access will be taken from Stowe Drive via Brooklands Road and Barnhorn Road, supported by dedicated cycle lanes, improved public rights of way and new recreational links to the wider countryside. The development will also provide a centrally located retail/community facility (Use Classes E/F) including a convenience retail element to reduce the need for longer journeys.
To mitigate transport impacts, a comprehensive package of highway and sustainable transport measures will be secured. This includes off-site works, financial contribution towards Footpath FP51b upgrade, investment in bus services and digital demand responsive transport (DDRT), and a centrally located transport hub with shelter, lighting and seating, a Travel Plan, and provision of electric vehicle hire car club spaces.
Phasing of development is critical to ensure highway capacity and safety are maintained. Access arrangements, parking and cycle parking provision must be completed for each phase before its occupation.
Policy Reference: BX24
Site name: Land East of Sandhurst Lane
Site identification: New site identified through the HELAA
Greenfield/ Brownfield: Greenfield
Allocated use and capacity: The site is allocated for residential development comprising some 68 dwellings.
Density statistics:
|
Area type |
Live Well Locally |
|
Site size (ha): |
3.34 |
|
Indicative size of area for built development (ha): |
1.7 |
|
Indicative residential density |
40 dwellings per hectare |
Policy Text:
Development on this site must:
- Provide a policy-compliant amount of on-site affordable housing in line with policy HOU2 of the Rother Local Plan;
- Be brought forward as part of, or following, the development of the adjacent site to the south, subject to allocation Policy BX23 of this Plan;
- Include vehicular access from the adjacent land to the south only, subject to site allocation Policy BX23 of this Plan, via Brooklands Road from the A259;
- Not include vehicular access from Sandhurst Lane;
- Link to and retain the public footpath (Bexhill 71) within the site;
- Incorporate appropriate SuDS in accordance with Policy ENV2 of the draft Local Plan (2024) and an Appropriate Assessment under the Habitats Regulations to demonstrate beyond reasonable scientific doubt that these can be delivered on the site without harming the integrity of the Pevensey Levels Special Area of Conservation/RAMSAR site;
- Protect the setting of the historic farmstead, Gotham Farm, to the north of the site;
- Include an assessment and evaluation of the site’s archaeological potential and the implementation of any mitigation measures identified through the assessment;
- Be subject to a contaminated land assessment and incorporate any required mitigation and remediation measures and subsequent monitoring;
- Provide a connection to the local sewerage system at the nearest point of adequate capacity, in collaboration with the service provider;
- Include areas of public open space and areas for Biodiversity Net Gain across the site in accordance with Local Plan policy;
- Include provision for the retention and future management of a buffer zone of semi-natural habitat, at least 15 metres wide (which does not include residential gardens), on the south-eastern boundary, between the edge of development and the ancient woodland;
- Retain and enhance the existing hedgerows within the site and on site boundaries.
Supporting text:
The site comprises sections of two agricultural fields just north of the larger area of land subject to site allocation policy BX23 of this Plan, and is in the same ownership. It provides an opportunity to extend the residential development agreed on the larger site, using the same vehicular access. Policy criteria are included to address the environmental and heritage constraints affecting the site.
The site is not particularly well-located in relation to services and facilities in Little Common and Bexhill. Additionally, vehicular access from the adjoining road, Sandhurst Lane, would not be appropriate due to the narrow and winding nature of that lane. Consequently, the acceptability of the development of this site is dependent on the development of the adjoining site, subject to site allocation BX23 of this Plan – to provide both a vehicular access but also some mix of facilities and services in close proximity, namely, the retail/community facility (Use Classes E/F) and sustainable transport hub within the larger site.
Policy Reference: BX25
Site name: Land at Barnhorn Green
Site identification: Planning permission (reference RR/2022/3018/P)
Greenfield/ Brownfield: Greenfield
Allocated use and capacity: The site is allocated for a mixed-use development comprising:
- a medical centre;
- some 2,025 sqm employment floorspace (light industrial units).
|
Area type |
Suburban |
|
Site size (ha): |
1.58 |
Policy text:
Development on this site must:
- Include access from Brooklands Road, and provide parking and cycle parking areas prior to occupation;
- Include a Travel Plan to promote sustainable transport modes, including walking, cycling, public transport, car sharing, and low emission vehicles;
- Secure biodiversity net gain through habitat creation, ecological enhancements, and long-term management;
- Ensure the protection of protected species using the site;
- Deliver a sensitive lighting strategy to avoid impacts on protected species and neighbouring amenity;
- Provide foul and surface water drainage systems, including SuDS, in consultation with Southern Water and the Lead Local Flood Authority, prior to occupation;
- Provide improvements to existing local bus stop infrastructure and contribute financially towards improving local bus services;
- Provide for access through to the adjoining land to the north, subject to site allocation policy BX26 of this Plan.
Supporting text:
The 1.5-hectare site lies within the wider Rosewood Park development area, accessed from Brooklands Road off the A259. It is currently grassed with mature hedgerows and trees, including a north–south tree belt of landscape importance. The site adjoins existing residential areas and community facilities, with Little Common local centre within walking and cycling distance, offering shops and services for future employees.
The Council acquired the site in 2019 to ensure timely delivery of employment space and a GP surgery. Planning permission has since been granted which includes modern light industrial units, meeting a clear local need for small workshops. As development has not yet commenced the site allocation policy reflects the planning permission.
The site will also deliver a new medical centre to meet growing primary care needs. The existing Little Common Surgery is constrained and lacks capacity to expand. In partnership with the NHS and local GPs, the Council has developed a purpose-built facility to accommodate the Primary Care Network, provide additional clinical services, improve accessibility, and meet modern parking requirements. The centre will be delivered to Health Building Note standards and achieve BREEAM Excellent in line with funding requirements.
Ecological assessment has identified habitats and species of value, which will need to be safeguarded and enhanced through appropriate mitigation and biodiversity measures. Development will need to ensure integration with its surroundings and a cohesive design approach across the whole site.
Policy Reference: BX26
Site name: Land south of Sandhurst Lane, Bexhill
Site identification: New site identified through the HELAA
Greenfield/ Brownfield: Greenfield
Allocated use and capacity: The site is allocated for residential development comprising some 25 dwellings.
Density statistics:
|
Area type |
Live Well Locally |
|
Site size (ha): |
1.46 |
|
Indicative size of area for built development (ha): |
0.7 |
|
Indicative residential density |
40 dwellings per hectare |
Policy Text:
Development on this site must:
- Provide a policy-compliant amount of on-site affordable housing in line with policy HOU2 of the Rother Local Plan;
- Include vehicular access from Brooklands Road via the adjoining land to the south which is subject to site allocation Policy BX25 of this Plan;
- Not include vehicular access to Sandhurst Lane;
- Retain and enhance the existing hedgerows, trees (including protected trees) and woodland within the site and on the site boundaries;
- Retain and protect the existing pond in the north-eastern part of the site, and the pond on adjoining land to the east, and provide an appropriate buffer to any built development including roadways, as informed by an ecological survey, to be completed;
- Incorporate appropriate SuDS in accordance with Policy ENV2 of the draft Local Plan (2024) and an Appropriate Assessment under the Habitats Regulations to demonstrate beyond reasonable scientific doubt that these can be delivered on the site without harming the integrity of the Pevensey Levels Special Area of Conservation/RAMSAR site.
Supporting text:
This is a contained site comprising two land parcels, which is adjacent to existing and planned built development. It provides an opportunity for additional dwellings. While the site bounds Sandhurst Lane to the north, this would not provide an acceptable vehicular access to the site due to its narrow and winding nature and lack of footways. Consequently, vehicular access must come from adjoining land to the south (subject to Policy BX25 of this Plan).
The northern part of the site is more environmentally constrained than the southern section, containing mature trees (including protected trees on its eastern boundary), a pond within its eastern section and a further large pond on adjoining land. This part of the site offers opportunities for Biodiversity Net Gain enhancements. Ecological surveys will be required to support the planning application.
The two parts of the site could potentially come forward separately, providing access is via land to the south as set out in the policy. Any such proposals would need to take a comprehensive approach to facilitate an integrated scheme for development of the whole site in accordance with Policy DEV2 of the draft Local Plan (2024).
Policy Reference: BX27
Site name: Beeches Farm and land north of Barnhorn Road, Bexhill
Site identification: New site identified through the HELAA
Greenfield/ Brownfield: Greenfield
Allocated use and capacity: The site is allocated for residential-led mixed use development comprising:
- Some 540 new dwellings;
- A new one-form entry primary school with Early Years nursery provision;
- Local shop(s) which sell fresh fruit and vegetables and offer post office or bank services;
- Community uses.
Density statistics:
|
Area type |
Live Well Locally |
|
Site size (ha): |
29.7 |
|
Indicative size of area for built development (ha): |
15 |
|
Indicative residential density |
40 dwellings per hectare |
Policy Text:
Development on this site must:
- Provide a policy-compliant amount of on-site affordable housing in line with policy HOU2 of the Rother Local Plan;
- Accord with Policy BX18 of this Plan (West Bexhill Growth Area – Infrastructure Policy) in terms of including direct provision of and/ or financial contributions towards all necessary infrastructure to serve the development along with development in the wider West Bexhill area;
- Be informed by a landscape sensitivity assessment to determine an appropriate layout, form and detailed design to ensure the protection of the landscape and character of the countryside to the north and north-east of the site and provide an appropriate edge to built development;
- Include vehicular access from Barnhorn Road to include necessary improvements and infrastructure to meet the requirements of National Highways;
- Not include vehicular access from Sandhurst Lane or Coneyburrow Lane;
- Include new pedestrian and cycle links within the site, linking to existing public rights of way and public highways outside the site, also retaining existing public footpaths within the site;
- Provide improvements to existing local bus stop infrastructure and make financial contributions towards improving local bus services;
- Include substantial areas of public open space (including play-space and formal playing pitch(es), subject to demand) and areas for Biodiversity Net Gain across the site in accordance with Local Plan policy;
- Retain and enhance existing hedgerows, field boundaries and mature trees within the site and on the site boundaries, except for any short sections of hedgerow which are required to be removed to facilitate access, which should be minimised as far as possible;
- Incorporate appropriate SuDS in accordance with Policy ENV2 of the draft Local Plan (2024) and an Appropriate Assessment under the Habitats Regulations to demonstrate beyond reasonable scientific doubt that these can be delivered on the site without harming the integrity of the Pevensey Levels Special Area of Conservation/RAMSAR site;
- Protect the setting of the Grade II Listed Buildings, Beeches Farm and Sandhurst Lodge, to the east of the site;
- Include an assessment and evaluation of the site’s archaeological potential and the implementation of any mitigation measures identified through the assessment;
- Provide a connection to the local sewerage system at the nearest point of adequate capacity, in collaboration with the service provider.
Supporting text:
This is a large greenfield site on the northern side of Barnhorn Road (A259). It comprises a network of agricultural fields, with mature trees and hedges defining individual field boundaries.
The site provides an opportunity for a strategic-scale, residential-led, mixed-use development on the edge of Bexhill. Unlike many development sites in this area, the site has a direct frontage to Barnhorn Road and consequently, could be suitable to also accommodate the primary school and local shops required through Policy BX18 of this Plan (West Bexhill Growth Area – Infrastructure Policy). The site is also bound by Coneyburrow Lane and Sandhurst Lane although these are not suitable to provide vehicular access to the site due to their narrow and winding nature and lack of footways.
This is an undulating site and while much of it is relatively contained in the landscape by its topography, there are some higher sections affording long views across the countryside to the north and north-west. Consequently, development will need to be carefully and sensitively designed, informed by landscape assessments, to ensure an appropriate extension to the built form of Bexhill can be achieved without harming the intrinsic character and beauty of the countryside beyond. A key requirement to achieving a successful design will be the retention of existing field boundaries, including mature trees which are key landscape and ecological features.
The site is relatively unconstrained, environmentally, although it lies within the Pevensey Levels Hydrological Catchment Area, meaning that development must incorporate careful sustainable drainage (SuDS) solutions comprising at least three treatment stages in accordance with Policy ENV2 of the draft Local Plan (2024).
Potential issues with the site relate to the access, and the distance to existing services and facilities. Detailed transport modelling will be required to determine the extent of impacts on the A259 trunk road and the requirement for improvements and interventions. A mix of uses will be required within the site to provide for services and facilities in walking distance of new dwellings. Improvements to the existing public rights of way network as well as new pedestrian and cycle paths through the site and linking it to the district centre at Little Common will also be required, along with any necessary improvements to public transport provision and infrastructure.
Policy Reference: BX28
Site name: Land at Northeye, and adjoining land
Site identification: Part of site allocated through the DaSA Local Plan (Policy BEX10), parts of site are new sites identified through the HELAA
Greenfield/ Brownfield: Part brownfield, part greenfield
Allocated use and capacity: The site is allocated for a residential-led mixed use development comprising:
- some 384 dwellings;
- community uses which could include outdoor sports facilities including formal playing pitch(es).
Density statistics:
|
Area type |
Live Well Locally |
|
Site size (ha): |
19.21 |
|
Size of area for built development (ha): |
9.5 |
|
Residential density |
40 dwellings per hectare |
Policy text:
Development on this site must:
- Provide a policy-compliant amount of on-site affordable housing in line with policy HOU2 of the Rother Local Plan;
- Accord with Policy BX18 of this Plan (West Bexhill Growth Area – Infrastructure Policy) in terms of including direct provision of and/ or financial contributions towards all necessary infrastructure to serve the development along with development in the wider West Bexhill area;
- Be informed by a landscape sensitivity assessment to determine an appropriate layout, form and detailed design to ensure the protection of the landscape and character of the countryside to the north, west and south of the site and provide an appropriate edge to built development;
- Include vehicular access from Barnhorn Road or Wartling Drive to include necessary improvements and infrastructure to meet the requirements of National Highways and East Sussex County Council;
- Include new pedestrian and cycle links within the site, linking to existing public rights of way and public highways outside the site;
- Provide improvements to existing local bus stop infrastructure and make financial contribution towards improving local bus services;
- Include areas of public open space including play space and areas for Biodiversity Net Gain across the site in accordance with Local Plan policy;
- Include community uses including formal playing pitch(es) alongside ancillary changing and parking facilities, unless proposals are included to provide such pitches at an alternative off-site location;
- Retain and enhance the existing hedgerows, trees and field boundaries within the site and on the site boundaries;
- Retain and protect existing streams and ditches within the site and provide an appropriate buffer to any built development including roadways, as informed by ecological surveys, to be completed;
- Be subject to a site-specific flood risk assessment which demonstrates that the development will be safe for its lifetime, taking account of the vulnerability of its users, without increasing flood risk elsewhere, and where possible, will reduce flood risk overall, avoiding built development in the north-western part of the site which is shown to be at risk of flooding;
- Incorporate appropriate SuDS in accordance with Policy ENV2 of the draft Local Plan (2024) and an Appropriate Assessment under the Habitats Regulations to demonstrate beyond reasonable scientific doubt that these can be delivered on the site without harming the integrity of the Pevensey Levels Special Area of Conservation/RAMSAR site;
- Include an assessment and evaluation of the site’s archaeological potential and the implementation of any mitigation measures identified through the assessment;
- Provide a connection to the local sewerage system at the nearest point of adequate capacity, in collaboration with the service provider.
Supporting text:
This site comprises three separate land parcels. The largest parcel is brownfield, originally developed in the 1940s as a RAF base and later used as a prison and training centre, although it has been vacant for some years. It is allocated for 140 dwellings and playing pitches through Policy BEX10 of the DaSA Local Plan, however it was bought by the previous Government in 2023 for a potential alternative use. It is understood that this is not now to be pursued, and consequently, the site is available again for residential redevelopment. Two adjoining parcels, comprising agricultural fields in separate ownership, have been identified through the HELAA process. Together, the three parcels provide an opportunity for a substantial residential development on the edge of Bexhill, to form part of a Live Well Locally sustainable community.
The site, particularly the largest portion, is environmentally sensitive, containing Priority Habitat (Coastal and floodplain grazing marsh) in its north-western section, a habitat which links to the protected Pevensey Levels further west, and this section also lies within Flood Zone 3. The site is on the edge of the marsh, and long views are afforded north and westwards across the countryside. Development will need to be carefully designed to conserve Priority Habitats and avoid areas at risk of flooding but also to ensure an appropriate extension to the built form of Bexhill can be achieved without harming the intrinsic character and beauty of the countryside beyond. The whole site lies within the Pevensey Levels Hydrological Catchment Area and the policy requirements reflect this.
The site is undulating, including the two smaller land parcels. The extant DaSA allocation requires the provision of sports pitches on the level, northern section of the Northeye site, although the current landowner has indicated that in order to make development of the site viable, additional housing will be required (above the 140 currently allocated for) and the sports pitches may no longer be appropriate. It is appreciated that the redevelopment of this likely contaminated, brownfield site will be costly. However, there remains a need for additional outdoor sports provision including formal playing pitches in the district, as identified in the Rother and Hastings Playing Pitch and Built Facilities Strategy (2023), to meet the needs of new and existing residents. Consequently, if sports pitches are not to be provided at this site, proposals should be included to provide them at an alternative suitable location instead. The addition of the two separate parcels does provide an opportunity for additional public open space and community facilities within the wider site, should the northern section of the Northeye site be developed for housing.
Like for other sites in this area, detailed transport modelling will be required to determine the extent of impacts on the A259 trunk road and the requirement for improvements and interventions. A mix of uses will be required within the site and the wider West Bexhill area, to provide for services and facilities in walking distance of new dwellings. Improvements to the existing public rights of way network as well as new pedestrian and cycle paths through the site and linking it to the district centre at Little Common will also be required, along with any necessary improvements to public transport provision and infrastructure.
North Bexhill Growth Area


The North Bexhill Growth Area identified in this Plan encompasses a wide area of land stretching from the district’s border with Wealden in the west, towards the Strategic Gap between Rother and Hastings in the east. It includes many sites which are, or have previously been, subject to site allocations or planning permissions, together with some new, largely greenfield, sites identified through the HELAA.
The North Bexhill Growth Area builds on the major urban extension at North East Bexhill, originally planned for in the 2006 Rother Local Plan, guided by a Supplementary Planning Document (2009) and taken forward as site allocations in the DaSA Local Plan (2019). This has now, in part, come forward, although this Plan proposes to reallocate those developments not yet constructed. In addition, proposed allocations in this Plan go beyond the boundary of the original urban extension to take advantage of land now made accessible through the construction of new roads, and land now available to the west of Ninfield Road.
A master-planning approach, including through meaningful engagement with local communities, will be required to ensure connected communities that meet our Live Well Locally concept are created in West Bexhill. Parameters for master-planning will be developed further, informed by additional evidence documents, following this second Regulation 18 consultation.
Policy Reference: BX29
Area Policy
Name: North Bexhill Growth Area – Infrastructure Policy
Policy text:
New development within the North Bexhill Growth Area will be coordinated through a master-planning approach. Proposals must appropriately contribute to the infrastructure required to create a sustainable, “Live Well Locally” community, to be provided in a timely manner, either by direct provision or through financial contributions attached to the respective planning permissions. This will include, but not be limited to:
- Improvements to the strategic and local road networks (including any improvements to the wider road network in the Bexhill area) that are necessary to make the impacts of development acceptable, in accordance with the requirements of National Highways and the Highway Authority;
- Improvements to pedestrian and cycling infrastructure, including new and improved safe and attractive routes to Sidley District Centre and Bexhill Town Centre;
- Improvements to public transport including in terms of its provision and infrastructure, including financial contributions towards establishing a new bus service along Haven Brook Avenue;
- A new Primary School with Early Years Nursery provision, to serve the North-west Bexhill area, to be so located to enable the maximum proportion of planned new homes within the Growth Area to be within walking distance of it;
- Provision for commercial units, retail space and/or local shopping within the western part of the Growth Area, with preference given to space suitable for groceries and professional services (such as a post office or banking);
- Health and social infrastructure, as advised by the NHS and other bodies;
- A comprehensive network of Green and Blue Infrastructure, including attractive and landscaped public open spaces with retained mature trees and ponds, play areas for all ages, and areas for biodiversity enhancements;
- Outdoor sports facilities including formal playing pitches to meet the needs of new residents, with appropriate supporting infrastructure;
- Indoor meeting places such as a community centre, café, public house, place of worship;
- Sustainable Drainage Systems (SuDS) in accordance with Policy ENV2 to ensure appropriate drainage of new development and the protection of the Pevensey Levels SAC/ Ramsar site (the western part of the Growth Area lies within the Pevensey Levels Hydrological Catchment);
- Any necessary improvements to wastewater treatment infrastructure to ensure the proper management of foul drainage.
Supporting text:
There is a need for a masterplan approach to the North Bexhill Growth Area to ensure the creation of a Live Well Locally sustainable community. New residential and employment development must be supported by new and improved infrastructure. Policy BX29 begins to identify shared infrastructure requirements, and this list of requirements will be further developed and costed, and phasing requirements determined, as the new Local Plan progresses. This ongoing work will be informed by the emerging Infrastructure Delivery Plan (IDP) and discussions with infrastructure providers. The IDP will be subject to regular review, ensuring it takes account of the latest available information including on development phasing and viability.
A new primary school is likely to be required, to ensure there is provision within walking distance to serve future residents. There is a planned primary school at Worsham Farm, in north-east Bexhill, and consequently, the additional need will be in the western part of the growth area. Two potential options for its location are set out in this Plan.
North Bexhill is generally less environmentally constrained than West Bexhill, however, there are important features that must be protected, and improvements that are required. As well as meeting the needs of existing and new residents, some of the infrastructure requirements arise due to these characteristics, including:
- Impacts on the local road network, including on links to the wider strategic road network and key junctions, as well as narrow, winding country lanes in the north-west of Bexhill;
- The distance of many large sites from services, facilities and public transport connections in Sidley and Bexhill, meaning that without careful planning and provision of infrastructure, new residential development in the North Bexhill area could be unsustainable and largely car-dependent;
- A lack of attractive walking and cycling routes towards Sidley and Bexhill;
- Relative deprivation in the Sidley area;
- The proximity of some greenfield sites to the Strategic Gap between Bexhill, Crowhurst, St Leonards and Battle, and the landscape impact of new development at the edge of the urban area;
- The proximity of the Combe Valley Countryside Park, a strategic area of open space that serves Bexhill and Hastings.
Following this Regulation 18 consultation, in addition to the Infrastructure Delivery Plan, further key evidence will be gathered to inform the final development strategy and site allocations in the North Bexhill Area. This includes detailed Transport Modelling, further work on the Habitats Regulations Assessment and Strategic Flood Risk Assessment, and a Green/ Blue Infrastructure Study. These evidence documents will also feed into the identification of infrastructure requirements for the Growth Area.
24. Do you have any comments on proposed Policy BX29: North Bexhill Growth Area – Infrastructure Policy? Comment
Policy Reference: BX30
Area Policy
Name: Land south of Haven Brook Avenue - Infrastructure
Policy text:
In addition to meeting the requirements of Policy BX29 (North Bexhill Growth Area – Infrastructure Policy), the development of sites which are the subject of policies BX31, BX32, BX33 and BX34 shall contribute to shared infrastructure to serve those sites by:
- the provision of an overarching foul drainage strategy, in conjunction with Southern Water;
- the design and provision of complementary sustainable surface water drainage schemes in accordance with Policy ENV2;
- having regard to the transport requirements and impacts of the combined allocations and making proportionate financial contributions to off-site highway and cycleway/footpath improvements;
- as part of (iii) above, all developments off Watermill Lane should provide an integrated approach to ensuring safe and convenient movement for pedestrians and cyclists, as well as vehicles;
- ensuring an integrated approach to establishing a multi-functional ‘green corridor’ along the Combe Haven stream, extending from the A269 to the planned Enterprise Park (and beyond);
- as part of (v) above, all developments will contribute to the provision of outdoor sports facilities within site BX31, either directly or through proportionate (to the respective quantum of residential development) financial contributions;
- investigation of a common approach to securing superfast broadband.
The above shared infrastructure requirements shall be implemented by a combination of direct provision and legal (s106) agreements attached to the respective development proposals.
Supporting text:
The DaSA Local Plan (2019) allocates three sites south of Haven Brook Avenue for residential development through Policies BEX3a, BEX3b and BEX3c. BEX3a and b both now have planning permission which is resolved to approve and BEX3c (in separate ownership) is subject to a current planning application. Since the DaSA Local Plan was adopted, additional land has come forward south of Haven Brook Avenue and one large site (allocated through this Plan as BX33) also has planning permission delegated to approve.
This means that there is a large area of contiguous land south of Haven Brook Avenue which is suitable for residential development, but which has its own infrastructure requirements (in addition to the overarching infrastructure requirements for the West Bexhill Growth Area). These are set out in Policy BX30, which takes forward policy BEX3 of the DaSA Local Plan.
Specific infrastructure requirements for this area, identified through the DaSA policy, includes a major upgrade to the foul drainage system. There is also a requirement for a range of open space provision, including outdoor sports facilities, to serve new residential areas. The valley bottom of the Combe Haven stream is of ecological value, as well as having the potential to form a broad “green corridor” for both walking and cycling and as amenity green space integral to the setting of new development. It may also be suitable for local play provision and for mitigation of any biodiversity losses.
Addressing the cumulative impacts of additional movements on the existing highway network and implementing associated traffic management and/or mitigation measures, as well as access arrangements for adjacent sites, also require a comprehensive and integrated approach to the provision of housing and infrastructure.
Accessibility to local services requires careful attention. While the Ninfield Road benefits from regular bus services, and Haven Brook Avenue is also expected to be a bus route in the future, the nearest focus of local services is in Sidley District Centre. In fact, housing that is well connected to Sidley offers the opportunity to support the vitality of the District Centre. This is not to discount the provision of more local facilities to directly serve the new housing.
Good connectivity for pedestrians and cyclists is important for both existing and new residents in the locality and should be improved. The developments should provide new and enhanced routes from the built-up area to main destinations, notably Sidley, the new business developments, larger recreational areas, the Countryside Park further to the east and the wider countryside. The green corridor along the valley bottom will be the main artery for sustainable travel, with outdoor sports facilities, natural amenity spaces and play areas accessible from it.
25. Do you have any comments on proposed Policy BX30: Land south of Haven Brook Avenue – Infrastructure? Comment
Policy Reference: BX31
Site name: Land at Kiteye Farm, Bexhill
Site identification: Existing allocation: Development and Site Allocations Local Plan Policy BEX3a and additional land identified through the HELAA
Greenfield/ Brownfield: Part greenfield, part brownfield
Allocated use and capacity: The site is allocated for residential-led mixed use development comprising:
- Some 300 new dwellings; and
- At least 2.64 hectares for open space, including provision for outdoor sports facilities.
Density statistics:
|
Area type: |
Live Well Locally |
|
Site size (ha): |
18 |
|
Indicative size of area for built development (ha): |
12 |
|
Indicative residential density: |
25 dwellings per hectare |
Policy text:
Development on this site must:
- Provide a policy-compliant amount of on-site affordable housing in line with policy HOU2 of the Rother Local Plan;
- Deliver a new access arrangement onto Haven Brook Avenue, including measures to satisfactorily address any issues raised in a Road Safety Audit;
- Provide a fully accessible, safe and attractive pedestrian link between the site and Ninfield Road via the Kiteye Farm access;
- Provide accessible pedestrian routes connecting the two pedestrian accesses with nearest bus stops, including new footpaths and crossing points on Ninfield Road;
- Provide new bus stops on Haven Brook Avenue and upgrade existing Recreation Ground bus stops on Ninfield Road, including a suitable pedestrian crossing point;
- Contribute financially towards a new bus service along Haven Brook Avenue and towards a Car Share Club within the site for a period of three years;
- Ensure an integrated approach to establishing a multi-functional green corridor along the Combe Haven Stream, extending from the A269 to the planned Enterprise Park and beyond, including keeping the lower part of the valley open with an enhanced footpath–cycleway, incorporating a diversion to the north of Jim’s Place;
- Upgrade public right of way 56 and contribute financially towards future maintenance of the bridge located on public right of way 56;
- Keep the lower part of the valley open and laid out as part of a green corridor, with avenue tree planting along the edge of the site and intermediate landscaping;
- Ensure development adjacent to the A269/NBAR junction has principal elevations towards the roundabout;
- Prepare and implement a woodland management scheme for Birchen Shaw;
- Ensure that the outdoor sports facilities will be laid out at the same time as housing development, in accordance with a phasing plan to be agreed with the local planning authority;
- Ensure no more than 125 of the dwellings in the development are occupied until the scheme of works at the Bexhill Leisure Centre (A269) / King Offa Way (A259) junction has been fully implemented and opened to all traffic.
Supporting text:
This site is allocated for 250 dwellings through Policy BEX3a of the DaSA Local Plan and has since been subject to planning applications for two separate sections. Permission for the larger section (for 250 dwellings) is delegated to approve while there is a separate application for additional dwellings in the western section. Additionally, further land adjacent to Haven Brook Avenue has now become available although much of this is wooded, undulating or contains ponds. Consequently the site capacity has been increased to reflect these changes, although the overall density remains lower than for other parts of the two Live Well Locally areas in Bexhill.
The site is located between Ninfield Road and Haven Brook Avenue. The agricultural holding has been severed by the new road. The fields are relatively open, with only boundary trees, except for Birchen Shaw. There are no significant buildings within the site, though the modern farmhouse fronting Ninfield Road may need to be removed to facilitate access.
Development of this site is expected to deliver new access onto Haven Brook Avenue and Ninfield Road, safe pedestrian and cycle routes, and bus stop enhancements to promote sustainable travel.
Public footpath Bexhill 56 runs adjacent to the Combe Haven watercourse, connecting Ninfield Road (west) to Watermill Lane (east). A section of this path crosses the site; development therefore provides an opportunity to integrate this existing footpath with new recreational routes, pedestrian and cycle links, and the NBAR cycleway, improving overall connectivity and permeability.
The green corridor along the Combe Haven watercourse can be retained and enhanced, strengthening ecological connectivity, supporting nature recovery networks, and contributing to the multifunctional green infrastructure strategy for the site.
Policy Reference: BX32
Site name: Land west of Watermill Lane (south), Bexhill
Site identification: Existing allocation: Development and Site Allocations Local Plan Policy BEX3b.
Greenfield/ Brownfield: Greenfield
Allocated use and capacity: The site is allocated for residentialdevelopment comprising some 130 new dwellings.
Density statistics:
|
Area type |
Live Well Locally |
|
Site size (ha): |
6.15 |
|
Indicative size of area for built development (ha): |
5 |
|
Indicative residential density: |
26 dwellings per hectare |
Policy text:
Development on this site must:
- Provide a policy-compliant amount of on-site affordable housing in line with policy HOU2 of the Rother Local Plan;
- Provide a new access onto Watermill Lane;
- Provide an improvement scheme on Watermill Lane to provide appropriate footway and carriageway widths between the site access and the Mayo Lane junction to the south;
- Provide a suitable pedestrian link with appropriate width footways on Watermill Lane to the north of the site and through to Haven Brook Avenue;
- Provide a pair of new bus stops on Haven Brook Avenue (one in each direction);
- Provide suitable measures to discourage the use of Mayo Lane by vehicular traffic and to improve pedestrian safety;
- Upgrade bus stops on Ninfield Road close to the Mayo Lane junction (2 in total) along with a suitable pedestrian crossing point;
- Contribute financially to establish the new bus service along Haven Brook Avenue;
- Include a green corridor in the northern part of the site towards the stream course, which is to be kept open and incorporate an enhanced footpath/cycleway, which should extend to the planned outdoor sports facilities (see Policy BX31) and form part of a multi-functional green corridor along the Combe Haven stream, extending from the A269 to the planned Enterprise Park (and beyond);
- Retain and safeguard trees on the western boundary, alongside a buffer to protect the Ancient Woodland of at least 15m depth;
- Pay due regard to the amenities of adjacent properties in terms of height and proximity of dwellings;
- Contribute to the provision of outdoor sports facilities within site BX31, either directly or through proportionate (to the respective quantum of residential development) financial contributions;
- Contribute financially to establish the new bus service along Haven Brook Avenue.
Supporting text:
The site comprises agricultural fields on the western side of Watermill Lane, south of the Combe Haven stream.
It is allocated for 130 dwellings through Policy BEX3b of the DaSA Local Plan and is subject to a planning application which is delegated to approve. The policy takes forward the requirements of the allocation and application.
Provision of suitable measures to discourage the use of Mayo Lane by vehicular traffic and to improve pedestrian safety could potentially include new gateway features either end of the lane and possibly traffic calming measures. Other financial contributions include a Travel Plan auditing fee, and funding for a car share club within the site.
Policy Reference: BX33
Site name: Land west of Watermill Lane, Bexhill
Site identification: Planning application (reference RR/2021/2545/P)
Greenfield/ Brownfield: Greenfield
Allocated use and capacity: The site is allocated for residentialdevelopment comprising some 80 new dwellings.
Density statistics:
|
Area type: |
Live well locally |
|
Site size (ha): |
4.74 |
|
Indicative size of area for built development (ha): |
3 |
|
Indicative residential density: |
26 dwellings per hectare |
Policy text:
Development on this site must:
- Provide a policy-compliant amount of on-site affordable housing in line with policy HOU2 of the Rother Local Plan;
- Provide a new access onto Watermill Lane;
- Provide an improvement scheme on Watermill Lane to provide appropriate footway and carriageway widths between the site access and the Mayo Lane junction to the south;
- Provide a suitable pedestrian link with appropriate width footways on Watermill Lane to the north of the site and through to Haven Brook Avenue;
- Provide new bus stops on Haven Brook Avenue (one in each direction);
- Provide suitable measures to discourage the use of Mayo Lane by vehicular traffic and to improve pedestrian safety;
- Upgrade bus stops on Ninfield Road close to the Mayo Lane junction (2 in total) along with a suitable pedestrian crossing point;
- Ensure an integrated approach to establishing a multi-functional ‘green corridor’ along the Combe Haven stream, extending from the A269 to the planned Enterprise Park (and beyond);
- Retain and safeguard trees on the western boundary, alongside a buffer to protect the Ancient Woodland of at least 15m depth;
- Pay due regard to the amenities of adjacent properties in terms of height and proximity of dwellings;
- Contribute to the provision of outdoor sports facilities within adjoining site allocation, either directly or through proportionate (to the respective quantum of residential development) financial contributions;
- Contribute financially to establish the new bus service along Haven Brook Avenue;
- Investigation of a common approach to securing superfast broadband.
Supporting text:
This is a greenfield site on the western side of Watermill Lane, immediately south of Haven Brook Avenue. It is not allocated in the DaSA Local Plan but adjoins allocated sites within that Plan (and allocated sites BX31 and BX32 of this Plan). It is subject to a planning application for 80 dwellings which is delegated to approve, and the site allocation reflects both that application and the requirements of adjoining allocations.
Together with the adjoining allocated sites, development should deliver a range of infrastructure and community benefits, ensuring that growth is sustainable, well-connected, and sensitive to the local environment. The site’s location provides opportunities to enhance connectivity along Watermill Lane and improve access to surrounding residential and employment areas.
The development must support pedestrian safety and discourage unnecessary vehicular traffic through Mayo Lane. Potential measures could include gateway features at either end of the lane, traffic calming interventions, and enhanced pedestrian infrastructure. An appropriate pedestrian link should be provided from the site to Haven Brook Avenue to encourage walking and cycling, promoting a connected, active travel network.
Measures to support sustainable travel will be required, including provision of bus stops and improvements to existing bus infrastructure.
New access arrangements are necessary, including a new off-site access onto Watermill Lane and upgrades to the lane itself to provide adequate footway and carriageway widths between the site and the Mayo Lane junction.
Environmental and amenity considerations are critical to the site’s design. The scheme should retain and safeguard trees along the western boundary and maintain a buffer of at least 15m to protect the adjacent Ancient Woodland. An integrated, multi-functional green corridor is required along the Combe Haven stream, connecting the A269 to the planned Enterprise Park and beyond, while ensuring the height and proximity of new dwellings respect the amenities of existing properties. In addition, contributions toward outdoor sports facilities in the adjoining site allocation and investigations into delivering superfast broadband will help ensure the development provides long-term benefits for both new and existing communities.
Policy Reference: BX34
Site name: Land east of Watermill Lane, Bexhill
Site identification: Existing allocation: Development and Site Allocations Local Plan Policy BEX3c and additional land identified through the HELAA
Greenfield/ Brownfield: Greenfield
Allocated use and capacity: The site is allocated for residentialdevelopment comprising some 170 new dwellings.
Density statistics:
|
Area type |
Live Well Locally |
|
Site size (ha): |
9.85 |
|
Indicative size of area for built development (ha): |
5.5 |
|
Indicative residential density |
31 dwellings per hectare |
Policy text:
Development on this site must:
- Provide a policy-compliant amount of on-site affordable housing in line with policy HOU2 of the Rother Local Plan;
- Deliver associated public open space and landscaping;
- Retain the southern part of the site along the stream corridor as an open green corridor, incorporating an enhanced footway/cycleway extending from Watermill Lane to the planned Enterprise Park;
- Provide vehicular access from Watermill Lane, subject to the findings of a Transport Assessment, with the expectation that:
- (a) A single access will be provided along the line of the existing farm track;
- (b) Traffic management measures are introduced on Watermill Lane to calm traffic, with specific regard to the short section north of Mayo Lane, in order to to ensure the safe movement of pedestrians and cyclists between the site and Sidley in association with the provision of a new footway/cycleway;
- Contribute to shared infrastructure with adjoining sites in accordance with Policy BX30.
Supporting text:
The site comprises agricultural fields on the eastern side of Watermill Lane, south of Haven Brook Avenue. The majority of the site is allocated for 150 dwellings through Policy BEX3c of the DaSA Local Plan. Additional, adjoining land to the east alongside Haven Brook Avenue has also now become available and while the majority of this additional land is not suitable for development due to its wooded nature, ponds and topography, it has been included in the site area to accommodate additional landscaping, public access and, potentially, a small increase in dwelling numbers. Otherwise, the policy takes forward the existing allocation.
The eastern part of the site is subject to an outline planning application (RR/2025/699/P) for the erection of up to 98 dwellings including affordable housing, with public open space, landscaping, sustainable drainage system (SuDS) and vehicular access. The north-western portion is in separate ownership and is currently allocated for a site for Gypsies and Travellers. However, the landowner has indicated it will not be made available for that use. On this basis, it is appropriate to include this section within the residential allocation.
Policy Reference: BX35
Site name: Land at Levetts Wood and Oaktree Farm, Bexhill
Site identification: Existing allocation: Development and Site Allocations Local Plan Policy BEX1
Greenfield/ Brownfield: Greenfield
Allocated use and capacity: The site is allocated for employmentdevelopment comprising some 25,605 sqm employment floorspace (net internal area).
Density statistics:
|
Area type (refer to Density Study): |
Live well Locally |
|
Site size (ha): |
10.1 |
Policy text:
Development on this site must:
- Conform to a masterplan covering the site;
- Accord with Policy BX29 of this Plan (North Bexhill Growth Area – Infrastructure Policy) in terms of including direct provision of and/ or financial contributions towards all necessary infrastructure to serve the development;
- Include vehicular, pedestrian and cycle access from the adjoining site (subject to planning permission RR/2018/2790/P);
- Include cycleways, footways and connections to public rights of way, and proposed cycleway and footpath networks including to the adjacent residential allocation (Policy BX34);
- Deliver a surface water drainage strategy based on sustainable drainage principles, including wetland habitats (SuDS ponds) designed to enhance ecological value and connectivity;
- Protect and manage rivers and streams, ponds and associated buffer zones, and ensure no development occurs within 8 metres of the Combe Haven main river;
- Maintain and reinforce existing landscaped boundaries around and within the site and include proposals for open spaces, landscape and woodland belts and buffers as an integral part of the proposals;
- Implement an ecological design strategy (EDS) to retain and enhance habitats, wildlife corridors, semi-natural habitats, and integrate features to support protected and priority species;
- Implement a comprehensive energy strategy to secure low carbon and renewable energy generation;
- Secure the implementation of archaeological investigation, with post-investigation assessment, prior to each phase being brought into use;
- Provide details of proposed bus provision measures sufficient to mitigate transport impacts prior to occupation of each phase.
Supporting text:
The site forms part of a larger site allocated for employment floorspace through Policy BEX1 of the DaSA Local Plan. Outline planning permission was granted in 2018 (RR/2017/2181/P) for up to 33,500 sqm of employment floorspace across the whole site. A reserved matters approval was subsequently given for the eastern part of that site and development is currently under construction (RR/2018/2790/P – 7,895 sq m). This policy therefore relates to the remainder of the site (the western fields), which have capacity for approximately 25,605 sqm of employment floorspace (net internal area).
Development is expected to come forward in a phased manner, ensuring that each phase delivers not only floorspace but also associated appropriate infrastructure, parking, SuDS, and landscaping to create a coherent and high-quality working environment.
Given the site’s proximity to the Combe Haven SSSI, Levetts Wood Ancient Woodland, and associated ecological networks, strong environmental safeguards are necessary. The policy therefore requires:
- the delivery of green corridors and ecological buffer zones to maintain and enhance biodiversity;
- the provision of sustainable drainage systems (SuDS) designed to protect water quality and manage flood risk, including the creation of new wetland habitats; and
- the implementation of an ecological design strategy to support protected and priority species.
In addition, archaeological investigations and appropriate post-investigation assessments are required to ensure that the area’s heritage assets are properly safeguarded and recorded prior to or alongside development.
The policy also requires the delivery of infrastructure to support sustainable transport choices, including new footpath and cycleway connections and bus service improvements. Together, these measures will ensure the site is fully accessible and that travel impacts on the local road network are appropriately mitigated.
The allocation is expected to deliver a high-quality, sustainable employment site that contributes significantly to the district’s economic objectives while protecting and enhancing the natural and historic environment.
Policy Reference: BX36
Site name: Land north of Haven Brook Avenue (east), Bexhill
Site identification: New site identified through the HELAA
Greenfield/ Brownfield: Greenfield
Allocated use and capacity: The site is allocated for a residential-led mixed use development of up to 230 new dwellings.
Density statistics:
|
Area type |
Live Well Locally |
|
Site size (ha): |
11.5 |
|
Indicative size of area for built development (ha): |
5.75 |
|
Indicative residential density |
40 dwellings per hectare |
Policy text:
Development on this site must:
- Provide a policy-compliant amount of on-site affordable housing in line with policy HOU2 of the Rother Local Plan;
- Accord with Policy BX29 of this Plan (North Bexhill Growth Area – Infrastructure Policy) in terms of including direct provision of and/ or financial contributions towards all necessary infrastructure to serve the development along with development in the wider North Bexhill area;
- Be informed by a landscape sensitivity assessment to determine an appropriate layout, form and detailed design;
- Include vehicular access from Haven Brook Avenue or Watermill Lane to include necessary improvements and infrastructure to meet the requirements of East Sussex Council;
- Provide new and improved pedestrian and cycle infrastructure outside the site to link the site to the existing path on the southern side of Haven Brook Avenue, which could include a new footway on the northern side of Haven Brook Avenue and the western side of Watermill Lane, and additional crossing points;
- Maintain the existing public right of way within the site;
- Include provision for the retention and future management of a buffer zone of semi-natural habitat, at least 15 metres wide (which does not include residential gardens), on the northern and eastern boundaries of the site, between the edge of development and the ancient woodland;
- Retain and enhance the existing hedgerows, trees and woodland within the site and on the site boundaries, except for any short sections of hedgerow that have to be removed to facilitate access, which should be minimised as far as possible;
- Protect the setting of the Grade II Listed Building, Cockerels Farmhouse, to the west of the site;
- Include an assessment and evaluation of the site’s archaeological potential and the implementation of any appropriate mitigation measures identified through the assessment;
- Avoid built development in those areas of the site shown to be at risk of surface water flooding;
- Provide a connection to the local sewerage system at the nearest point of adequate capacity, in collaboration with the service provider.
Supporting text:
The site comprises fields on the northern side of Haven Brook Avenue, east of Watermill Lane. It was intended through the DaSA Local Plan that Haven Brook Avenue would provide the edge between the urban area and the countryside to the north, however, with the construction of the road and the future construction of significant development on its southern side, the character of this area will change significantly. These fields are clearly visible from the road and their character is influenced by it. In landscape terms they could accommodate some residential development without significantly impacting on views from the countryside further north.
However, currently, this site is not well located in relation to services and facilities, particularly a primary school, and consequently, a master-planned approach must be taken to ensure that the development of this site forms part of a sustainable new community at North Bexhill, with pedestrian and cycle access to a range of services and facilities.
The fields are sloping, and development, particularly in the southern field, will be highly visible from the south-east. Development will need to be of a high quality and informed by landscape assessment work to determine an appropriate layout and maintain appropriate distances from the ancient woodland adjoining the site.
The site does not have an existing vehicular access point although this should be achievable from the roundabout. The access will need to be carefully designed and positioned to ensure the protection of the Grade II listed building, Cockerels Farmhouse, on Watermill Lane, and also the retention of the public right of way.
Policy Reference: BX37
Site name: Land north of Haven Brook Avenue (west)
Site identification: New site identified through the HELAA
Greenfield/ Brownfield: Greenfield
Allocated use and capacity: The site is allocated for residential-led mixed use development comprising:
- Some 100 new dwellings (number dependent on whether a primary school is also provided); or
- Some 45 new dwellings and a one form-entry primary school with Early Years nursery provision
Density statistics:
|
Area type |
Live Well Locally |
|
Site size (ha): |
4.73 |
|
Indicative size of area for built development (ha): |
2.5 |
|
Indicative residential density |
40 dwellings per hectare |
Policy text:
Development on this site must:
- Provide a policy-compliant amount of on-site affordable housing in line with policy HOU2 of the Rother Local Plan;
- Accord with Policy BX29 of this Plan (North Bexhill Growth Area – Infrastructure Policy) in terms of including direct provision of and/ or financial contributions towards all necessary infrastructure to serve the development along with development in the wider North Bexhill area;
- Be informed by a landscape sensitivity assessment to determine an appropriate layout, form and detailed design;
- Include vehicular access from Haven Brook Avenue or Ninfield Road to include necessary improvements and infrastructure to meet the requirements of East Sussex Council;
- Not include vehicular access from Freezeland Lane;
- Provide new and improved pedestrian and cycle infrastructure outside the site to link the site to the existing paths on the southern side of Haven Brook Avenue and the eastern side of Ninfield Road, which could include a new footway on the northern side of Haven Brook Avenue and additional crossing points;
- Maintain the existing public right of way within the site;
- Include provision for the retention and future management of a buffer zone of semi-natural habitat, at least 15 metres wide (which does not include residential gardens), on the eastern boundary of the site, between the edge of development and the ancient woodland;
- Retain and enhance the existing hedgerows, trees and woodland within the site and on the site boundaries, except for any short sections of hedgerow that have to be removed to facilitate access, which should be minimised as far as possible;
- Include an assessment and evaluation of the site’s archaeological potential and the implementation of any appropriate mitigation measures identified through the assessment;
- Provide a connection to the local sewerage system at the nearest point of adequate capacity, in collaboration with the service provider.
Supporting text:
This site comprises fields on the northern side of Haven Brook Avenue, north-east of the roundabout with Ninfield Road, and south of Freezeland Lane.
As with Policy BX36, the extension of development to the northern side of Haven Brook Avenue represents a change compared to the proposals within the Development and Site Allocations Local Plan (2019). However, it is considered that these fields can accommodate development without harmfully impacting on the wider countryside further north. As the fields are sloping, development will appear prominent from the south and consequently, a sensitive design, informed by a landscape assessment, will be required.
This site is centrally located within the western part of the wider North Bexhill Growth Area, and consequently, could appropriately accommodate a one-form entry primary school which will be needed to serve the additional planned housing growth in the area. However, significant improvements to pedestrian infrastructure would be required, as currently there is no footway on the northern side of Haven Brook Avenue. Detailed discussions with the County Council as Education Authority and Highway Authority will be required to determine whether this could be a suitable site, as well as discussions with the landowners.
If a primary school is not developed at this site, it could potentially accommodate an alternative community use or local shop.
Policy Reference: BX38
Site name: Land west of Ninfield Road roundabout, Bexhill
Site identification: New site identified through the HELAA
Greenfield/ Brownfield: Greenfield
Allocated use and capacity: The site is allocated for residential development comprising some 80 dwellings.
Density statistics:
|
Area type |
Live Well Locally |
|
Site size (ha): |
4.1 |
|
Indicative size of area for built development (ha): |
2 |
|
Indicative residential density |
40 dwellings per hectare |
Policy text:
Development on this site must:
- Provide a policy-compliant amount of on-site affordable housing in line with policy HOU2 of the Rother Local Plan;
- Accord with Policy BX29 of this Plan (North Bexhill Growth Area – Infrastructure Policy) in terms of including direct provision of and/ or financial contributions towards all necessary infrastructure to serve the development along with development in the wider North Bexhill area;
- Include vehicular access from Ninfield Road to include necessary improvements and infrastructure to meet the requirements of East Sussex Council;
- Not include vehicular access from St Mary’s Lane;
- Provide new and improved pedestrian and cycle infrastructure outside the site to link the site to the existing paths on the eastern side of Ninfield Road, which could include a new footway outside the site on the western side of Ninfield Road and an additional crossing point;
- Maintain and enhance public access to the existing public right of way (Bexhill 18) within the southern part of the site, including through an additional crossing point on Ninfield Road to the satisfaction of the Highway Authority, and, where possible, the inclusion of safety improvement measures where the footpath meets St Mary’s Lane to improve pedestrian access to St Mary’s Recreation Ground and Bexhill Cemetery;
- Include measures to ensure the protection of the ancient woodland to the west of the site (on the opposite side of St Mary’s Lane) and the Priority Habitat (deciduous woodland) to the south of the site, as informed by ecological surveys to be undertaken;
- Retain and enhance the existing hedgerows, trees and woodland within the site and on the site boundaries, including the mature trees on the eastern site boundary, except for any short sections of hedgerow that have to be removed to facilitate access, which should be minimised as far as possible;
- Retain the southern part of the site as a multifunctional Green Infrastructure corridor, to include areas for Biodiversity Net Gain and enhanced amenity for the public footpath;
- Retain and protect existing ponds within the site and provide an appropriate buffer to any built development including roadways, as informed by ecological surveys, to be completed;
- Include an assessment and evaluation of the site’s archaeological potential and the implementation of any appropriate mitigation measures identified through the assessment;
- Incorporate appropriate SuDS in accordance with Policy ENV2 of the draft Local Plan (2024) and an Appropriate Assessment under the Habitats Regulations to demonstrate beyond reasonable scientific doubt that these can be delivered on the site without harming the integrity of the Pevensey Levels Special Area of Conservation/RAMSAR site;
- Provide a connection to the local sewerage system at the nearest point of adequate capacity, in collaboration with the service provider.
Supporting text:
The site comprises three adjoining plots which, together, form a triangular site between Ninfield Road (to the east) and St Mary’s Lane (to the west). It currently accommodates two large residential curtilages. The southern section is undeveloped and contains scrub vegetation which links to deciduous woodland further south.
At present, the site forms part of a rural gap between Bexhill and Lunsford Cross/ The Thorne, characterised by scattered dwellings, small fields and pockets of woodland. However, the character of the area has changed with the construction of Haven Brook Avenue and the roundabout on Ninfield Road, which is adjacent to this site. The area will become yet more urbanised with the construction of the large residential development at land at Kiteye Farm on the opposite side of the roundabout (allocated through Policy BEX3a of the DaSA Local Plan and reallocated through Policy BX31 of this Plan). Consequently, it is considered this site could accommodate additional residential development, and improved pedestrian and cycle connections towards Sidley District Centre, also contributing towards the wider infrastructure requirements of the North Bexhill Growth Area.
Policy Reference: BX39
Site name: Land west of Ninfield Road, Bexhill
Site identification: New site identified through the HELAA
Greenfield/ Brownfield: Greenfield
Allocated use and capacity: The site is allocated for residential-led mixed use development comprising:
- Some 500 new dwellings (number dependent on whether a primary school is also provided); or
- Some 445 new dwellings and a one-form entry primary school with Early Years nursery provision; and
- A retail and community building comprising new convenience retail floorspace and a separate community space suitable to accommodate uses such as community clubs, also with a mobility hub to include cycle parking, EV charging, electric car club (if required) and public transport infrastructure (if required).
Density statistics:
|
Area type |
Live Well Locally |
|
Site size (ha): |
28 |
|
Indicative size of area for built development (ha): |
13.6 |
|
Indicative residential density |
40 dwellings per hectare |
Policy text:
Development on this site must:
- Provide a policy-compliant amount of on-site affordable housing in line with policy HOU2 of the Rother Local Plan;
- Accord with Policy BX29 of this Plan (North Bexhill Growth Area – Infrastructure Policy) in terms of including direct provision of and/ or financial contributions towards all necessary infrastructure to serve the development along with development in the wider North Bexhill area;
- Be informed by a landscape sensitivity assessment to determine an appropriate layout, form and detailed design;
- Include vehicular access(es) from Ninfield Road to include necessary improvements and infrastructure to meet the requirements of East Sussex Council;
- Not include vehicular access from Pear Tree Lane;
- Retain the public right of way within the site and include new pedestrian and cycle links within the site, linking to existing public rights of way and public highways outside the site;
- Include improvements to pedestrian and cycling routes and public transport infrastructure outside the site, to improve links to Sidley District Centre;
- Include substantial areas of public open space and areas for Biodiversity Net Gain across the site in accordance with Local Plan policy;
- Include areas of play space (including equipped play space) and any formal playing pitches required (requirement to be informed by ongoing work by the Council);
- Protect the amenity of users of the holiday caravan park adjacent to the site and provide for its continued use;
- Retain a minimum 15 metres wide undeveloped buffer area (which does not include residential gardens) to all designated ancient woodland within and adjacent to the site;
- Retain and enhance the existing hedgerows, trees and woodland within the site and on the site boundaries except for any short sections of hedgerow that have to be removed to facilitate access, which should be minimised as far as possible;
- Protect the setting of the Grade II Listed Building, The High House, to the north of the site;
- Include an assessment and evaluation of the site’s archaeological potential and the implementation of any appropriate mitigation measures identified through the assessment;
- Incorporate appropriate SuDS in accordance with Policy ENV2 of the draft Local Plan (2024) and an Appropriate Assessment under the Habitats Regulations to demonstrate beyond reasonable scientific doubt that these can be delivered on the site without harming the integrity of the Pevensey Levels Special Area of Conservation/RAMSAR site;
- Provide a connection to the local sewerage system at the nearest point of adequate capacity, in collaboration with the service provider.
Supporting text:
This is a large site comprising a series of agricultural fields, a single vacant dwelling and agricultural buildings, and land currently in use as a holiday caravan park.
It offers an opportunity for a strategic scale, residential-led development. However, currently, it is not well located in relation to services and facilities, and consequently, the site must provide some of its own facilities as well as contributing to wider infrastructure requirements in the West Bexhill Growth Area, and significantly improving sustainable transport links and options to Sidley district centre and Bexhill town centre.
The size of the site means that it could also accommodate a primary school, however, this would result in the school being on the western edge of the growth area, and consequently, it may be better placed within site BX37 which is more centrally located. In any event, detailed discussions with the County Council as Education Authority to determine requirements and a suitable site will be required, as well as discussions with the landowners.
The site is relatively enclosed in the landscape although there are longer views from its western edge across the countryside. There are also areas of ancient woodland adjacent to the site and mature trees on field boundaries which must be retained. The topography is undulating and the southern section in particular slopes quite steeply downwards which will limit the development potential to an extent.
There are some areas at risk of surface water flooding and it is located within the Pevensey Levels Hydrological Catchment Area. The proximity of the clay quarry to the south is another potential constraint. Access would be from Ninfield Road to the north-east. The site also borders Pear Tree Lane to the north but this is narrow and winding with no footways and is not suitable for any vehicular access.
The reduction in the size of the holiday caravan park is a consideration, although part of this lies outside the site boundary and would remain, with the loss being limited to a field for touring caravans. While this would have some impact on the local economy, the benefits arising from a significant residential development are considered to outweigh any harm, providing that a sustainable community with a range of transport options and some retail/community facilities on site can be created together with other necessary infrastructure on and off the site.
Policy Reference: BX40
Site name: Land at Freezeland Farm, Freezeland Lane, Bexhill
Site identification: Outline planning permission for 5 new residential units – planning reference RR/2023/1706/P.
Greenfield/ Brownfield: Greenfield
Allocated use and capacity: The site is allocated for residential development comprising some 5 new dwellings.
Density statistics:
|
Area type |
Countryside |
|
Site size (ha): |
0.5 |
|
Indicative size of area for built development (ha): |
0.25 |
|
Indicative residential density: |
30 dwellings per hectare |
Policy text:
Development on this site must:
- Include a new vehicular access from Ninfield Road.
- Include new pedestrian and cycle links to Ninfield Road.
- Retain the existing hedgerows and trees to all boundaries of the site.
- Be carried out in accordance with the recommendations contained within a tree survey to ensure that protected trees (TPO388) are conserved during works on site.
- Be informed by a biodiversity strategy that makes provision for any protected species found to be using the site, and where necessary, includes appropriate mitigation and/ or compensation for any loss of habitat.
- Protect the setting of the Grade II listed building (The High House) opposite the site.
- Include sustainable drainage in accordance with Policy ENV2 of the Rother Local Plan.
Supporting text:
The site is located on the corner of Ninfield Road and Freezeland Lane. It is comprised of a field enclosed by well-established hedgerows and mature trees, with a workshop to the south. Outline planning permission was allowed by appeal in 2025 for removal of the existing workshop and provision of 5 dwellings, which has not yet been implemented. The site remains suitable for a small scale, sensitive residential development.
Environmental and other constraints affecting the site include the whole area being covered by a Tree Protection Order (TPO388), with adjacent areas at risk of surface water flooding and a Grade II Listed Building (The High House) opposite, with the policy requirements detailed above reflect these.
The site is located some distance to amenities and services available in Bexhill. However, there is a bus stop located in close proximity to the entrance of the site, and on balance, given its small scale, is considered acceptable in sustainability terms.
Policy Reference: BX41
Site name: Former Sidley Sports Ground, Glovers Lane, Bexhill
Site identification: Existing allocation for an alternative use: Development and Site Allocations Local Plan Policy BEX11
Greenfield/ Brownfield: Greenfield
Allocated use and capacity: The site is allocated for residential development comprising some 50 dwellings (subject to alternative and agreed sports pitch reprovision)
Density statistics:
|
Area type |
Suburban |
|
Site size (ha): |
1.94 |
|
Indicative size of area for built development (ha): |
0.9 |
|
Indicative residential density |
60 dwellings per hectare |
Policy text:
Development on this site must:
- Make provision for the construction of an appropriately specified 3G artificial grass pitch at an alternative, accessible and suitable location as agreed by the Council, which shall be provided prior to the occupation of any dwellings at the site;
- Provide a policy-compliant amount of on-site affordable housing in line with policy HOU2 of the Rother Local Plan;
- Include public open space and play space within the site;
- Protect the amenity of occupiers of properties bordering the site.
Supporting text:
The site was previously the sports ground of Sidley United Football Club but has been disused since around 2013. It is allocated through Policy BEX11 of the DaSA Local Plan for a 3G artificial grass pitch, a community hub and open space. A planning application for housing and a football pitch was refused and dismissed at appeal in 2019 due to conflict with that policy, loss of community facilities and design issues. The site was allocated as an Asset of Community Value in 2018 but the landowner declined to sell the site to the community group.
Current evidence suggests that the existing allocation is unlikely to come forward and the landowner has indicated that the site is available for a residential development. In principle, the site is in a sustainable location for housing.
However, the loss of a sports pitch and open space at the site is contrary to national planning policy unless it is demonstrated they are surplus to requirements or the loss would be replaced by equivalent or better provision in terms of quantity and quality in a suitable location. Consequently, residential development at the site can only be supported if the landowner provides a 3G pitch and associated facilities in a suitable alternative location.
Policy Reference: BX42
Site name: Land adjacent to 276 Turkey Road, Bexhill
Site identification: Existing allocation: Development and Site Allocations Local Plan Policy BEX6
Greenfield/ Brownfield: Greenfield
Allocated use and capacity: The site is allocated for residential development comprising some 30 dwellings.
Density statistics:
|
Area type |
Suburban |
|
Site size (ha): |
1.15 |
|
Indicative size of area for built development (ha): |
0.75 |
|
Indicative residential density |
40 dwellings per hectare |
Policy text:
Development on this site must:
- Provide a policy-compliant amount of on-site affordable housing in line with policy HOU2 of the Rother Local Plan;
- Include an appropriate access is provided onto Turkey Road, including any necessary off-site highway works necessary to make the development acceptable;
- Include provision for the retention and enhancement of boundary planting, particularly in relation to the existing Tree Preservation Order on the site;
- Include areas for Biodiversity Net Gain within the site;
- Make provision for an acceptable connection to the local sewerage system in agreement with the service provider;
- Incorporate appropriate SuDS in accordance with Policy ENV2 of the draft Local Plan (2024) and an Appropriate Assessment under the Habitats Regulations to demonstrate beyond reasonable scientific doubt that these can be delivered on the site without harming the integrity of the Pevensey Levels Special Area of Conservation/RAMSAR site.
Supporting text:
This site is allocated for 30 dwellings in the DaSA Local Plan and this policy takes that allocation forward.
This is an undeveloped greenfield site. There are three residential properties at the south-eastern corner of the site, with a further residential property along the western boundary. Bexhill Cemetery lies to the east and north of the site.
The site is partially contained from wider views by the boundary trees but there are more localised views into the site. There is an existing Tree Preservation Order (TPO 312) along the western and southern boundaries. Development of the site would require the protection of existing trees and hedgerows, including suitable buffers and provide for additional landscaping.
The site is relatively well located in terms of access to some services, notably schools and is close to existing bus routes. There is no footpath on the north side of Turkey Road but the site can be linked to footpaths on the opposite side of the road. The most likely access point is at the south-west corner of the site onto Turkey Road. Highway improvements are likely to be required to make the development acceptable.
Policy Reference: BX43
Site name: Cemetery Lodge, 250 Turkey Road, Bexhill
Site identification: Planning permission for 6 residential units (apartments) – planning reference RR/2022/1233/P.
Greenfield/ Brownfield: Brownfield
Allocated use and capacity: The site is allocated for residential development comprising some 6 new affordable dwellings.
Density statistics:
|
Area type |
Urban |
|
Site size (ha): |
0.07 |
|
Indicative size of area for built development (ha): |
0.05 |
|
Indicative residential density: |
80 dwellings per hectare |
Policy text:
Development on this site must:
- Comprise of affordable housing;
- Improve the vehicular access from the junction of St Marys Lane and Turkey Road to include necessary improvements to meet the requirements of East Sussex Council;
- Include new pedestrian and cycle links to Turkey Road;
- Retain the existing hedgerows and trees to all boundaries of the site;
- Be in accordance with a tree survey to ensure that designated trees are protected during works on site;
- Mitigate any significant effects on the Pevensey Levels Hydrological Catchment Area rising from construction or use of the site and include mitigation measures as necessary to protect against significant effects to water quality in the Pevensey Levels SAC/ Ramsar;
- Include sustainable drainage in accordance with Policy ENV2 of the Rother Local Plan.
Supporting text:
The site is located to the corner of St Mary’s Lane and Turkey Road, within the settlement boundary of Bexhill. It is currently occupied by a vacant building formerly in use in connection with Bexhill Cemetery. Planning permission was granted in 2023 for conversion and extension of the existing building to provide 6 affordable flats with car parking and landscaping which has not yet been implemented. The site remains suitable for small scale residential development. The existing building has a distinct character which should be maintained and reflected in the extension, in terms of design and massing.
Environmental and other constraints affecting the site include protected trees to the south boundary, Ancient Woodland and Priority Habitat nearby on the opposite side of St Mary’s Lane, being located within the Pevensey Levels Hydrological Catchment Area and risks of surface water on adjoining land with the policy requirements detailed above reflect these.
The site is well located in relation to town services but improvements to pedestrian and cycle infrastructure to encourage active travel are required, as detailed above.
Policy Reference: BX44
Site name: Our Lady of the Rosary Church, Southlands Road, Bexhill
Site identification: Planning permission for demolition of two church hall units and provision of eight residential units – planning reference RR/2024/127/P.
Greenfield/ Brownfield: Brownfield
Allocated use and capacity: The site is allocated for residential development comprising some 8 new dwellings.
Density statistics:
|
Area type |
Suburban |
|
Site size (ha): |
0.18 |
|
Indicative size of area for built development (ha): |
0.13 |
|
Indicative residential density: |
60 dwellings per hectare |
Policy text:
Development on this site must:
- Include appropriate access or crossovers to service the layout of the development, onto Southlands Road.
- Include new pedestrian links to Southlands Road.
- Ensure that it does not unreasonably harm the amenities of nearby residential development in terms of loss of light, massing or overlooking.
- Mitigate any significant effects on the Pevensey Levels Hydrological Catchment Area rising from construction or use of the site and include mitigation measures as necessary to protect against significant effects to water quality in the Pevensey Levels SAC/ Ramsar.
- Include sustainable drainage in accordance with Policy ENV2 of the Rother Local Plan.
Supporting text:
The site is located at the junction of Ninfield Road and Southlands Road in Sidley. It is currently occupied by a church, an ancillary hall, amenity space and hardstanding. There is a commercial property to the northeast, a three-storey block of sheltered accommodation to the east (Lawrence House), together with residential properties to the north, west and south.
Planning permission was granted in 2024 for demolition of the existing church hall units and provision of eight dwellings comprised of six semi-detached dwellings and two detached bungalows which has not yet been implemented. It is considered the site is suitable for a small-scale, sensitive residential development.
Environmental and other constraints affecting the site include the southern half of the site being located within the Pevensey Levels Hydrological Catchment Area with the policy requirements detailed above reflect these. The site is well located in relation to services in Sidley district centre.
Policy Reference: BX45
Site name: Land at Worsham Farm (East), Bexhill
Site identification: Planning permission (RR/2015/1760/P, RR/2022/2477/P, RR/2024/501/P)
Greenfield/ Brownfield: Greenfield
Allocated use and capacity: The site is allocated for residential-led mixed usedevelopment comprising:
- Some 354 new dwellings;
- Up to a two-form entry primary school with Early Years nursery provision;
- Three formal sports pitches and associated pavilion building and parking;
- Community building;
- Public open space.
Density statistics:
|
Area type: |
Live Well Locally |
|
Site size (ha): |
22.8 |
|
Indicative residential density |
34 dwellings per hectare |
Policy text:
Development on this site must:
- Accord with the requirements of planning permissions RR/2022/2477/P and RR/2024/501/P (or commensurate requirements, in the event of these permissions not being implemented);
- Deliver the school, sports pitches and associated development, community building and public open space in line with the agreed phasing;
- Provide a policy compliant amount of affordable housing;
- Be phased in accordance with the approved Section 106 legal agreement;
- Deliver a spine road connection through the site;
- Provide new and improved connections for pedestrians and cyclists, including continuation of the shared footpath and cycleway along the spine road;
- Provide suitable on-site parking provision, in accordance with East Sussex County Council’s Guidance on Parking at New Developments (2024);
- Retain and protect existing habitats and hedgerows where possible, with compensatory planting where loss is unavoidable;
- Retain a minimum 15 metres wide undeveloped buffer area (which does not include residential gardens) to all designated ancient woodland within and adjacent to the site;
- Deliver a comprehensive landscaping scheme, including mature planting, to establish a strong landscape structure throughout the site.
- Secure long-term conservation of the landscape and biodiversity enhancements through a Landscape and Ecological Management Plan;
- Design and implement appropriate flood risk management and Sustainable Drainage Systems (SuDS);
- Incorporate and implement ecological mitigation and enhancements;
- Safeguard the setting of the Grade II listed Boulder Cottage and nearby non-designated heritage assets, providing relief and landscaping around these assets to maintain their rural context;
- Provide estate roads and plot accesses designed to adoption standards and secure technical approval with East Sussex County Council;
- Contribute to bus service and infrastructure improvements as required.
Supporting text:
Land at Worsham Farm (East) forms part of the wider Worsham Farm strategic mixed-use development, originally permitted under outline consent RR/2015/1760/P. The site now allocated includes those parts of the site which have not yet commenced, including the third main phase of dwellings, primary school, formal playing pitches, community building and open space. These developments benefit from Reserved Matters approval (RR/2022/2477/P and RR/2024/501/P) and the policy takes forward those approvals.
The provision of a spine road through the site, with integrated pedestrian and cycle links, is essential to ensure access and multi modal connectivity to the wider area and access to the adopted highway network, particularly the A2691 Mount View Street.
The landscape context is sensitive, with the site bounded by ancient woodland and interspersed with hedgerows. While some hedgerow loss is unavoidable to enable access and delivery of housing numbers approved at outline stage, compensatory planting, together with a comprehensive landscaping scheme and mature planting, will deliver a robust landscape structure. Long-term landscape management and biodiversity enhancements will be secured through a Landscape and Ecological Management Plan.
The site lies immediately east of the Grade II listed Boulder Cottage and south of several historic agricultural buildings considered to be non-designated heritage assets. Development must safeguard the setting of these assets by incorporating sensitive layout and landscaping measures to maintain their rural context.
Detailed SuDS must be designed to prevent the increased risk of flooding elsewhere, protect water quality, safeguard levels in the Pevensey Levels Ramsar Site / SAC, and ensure future maintenance of the surface water drainage system.
Highways infrastructure, including road adoption, parking provision and visibility standards, are to be delivered in accordance with Highways Authorities’ requirements and adopted standards. Contributions to bus service and infrastructure improvements will be required to support sustainable transport choices.
Policy Reference: BX46
Site name: Land at Worsham Farm (West), Bexhill
Site identification: Previous planning permission (the site forms part of the wider mixed-use development which was permitted through outline consent RR/2015/1760/P, although reserved matters for this section was not sought or approved).
Greenfield/ Brownfield: Greenfield
Allocated use and capacity: The site is allocated for residential-led mixed usedevelopment comprising:
- Some 66 new dwellings;
- Some 540 sqm retail floorspace.
Density statistics:
|
Area type |
Live well locally |
|
Site size (ha): |
1.67 |
|
Indicative size of area for built development (ha): |
1.2 |
|
Indicative residential density |
55 dwellings per hectare |
Policy text:
Development on this site must:
- Provide a policy-compliant amount of on-site affordable housing in line with policy HOU2 of the Rother Local Plan;
- Provide a gateway street edge to Mount View Street to include apartments fronting the street above retail units providing local shops;
- Retain and protect existing habitats and hedgerows where possible, with compensatory planting where loss is unavoidable;
- Deliver a comprehensive landscaping scheme, including mature planting, to establish a strong landscape structure throughout the site.
- Secure long-term conservation of the landscape and biodiversity enhancements through a Landscape and Ecological Management Plan;
- Design and implement appropriate flood risk management and Sustainable Drainage Systems (SuDS);
- Incorporate and implement ecological mitigation and enhancements;
- Include an assessment and evaluation of the site’s archaeological potential and the implementation of any appropriate mitigation measures identified through the assessment;
- Contribute to bus service and infrastructure improvements as required.
Supporting text:
Land at Worsham Farm (West) originally formed part of the wider Worsham Farm strategic mixed-use development, permitted under outline consent RR/2015/1760/P. However, this site was subsequently sold to a third party, and the Reserved Matters, pursuant to the outline permission, was not sought or approved. The site has now become available again for a residential-led development and remains suitable in principle for this use.
The original outline consent anticipated around 50 dwellings in this location, together with retail space to provide local shops fronting Mount View Street. However, the re-allocation provides an opportunity to increaser the density on this relatively unconstrained site. It is anticipated that smaller dwellings will be appropriate, with the retail units provided underneath a flatted scheme.
Policy Reference: BX47
Site name: Plot 7, Bexhill Enterprise Park, Mount View Street, Bexhill
Site identification: Previous planning permission and previous allocation (Rother District Local Plan 2006)
Greenfield/ Brownfield: Greenfield
Allocated use and capacity: The site is allocated for a commercial development comprising some 15,000 sqm commercial floorspace.
|
Area type |
Live Well Locally |
|
Site size (ha): |
6.5 |
Policy Text:
Development on this site must:
- Accord with Policy BX29 of this Plan (North Bexhill Growth Area – Infrastructure Policy) in terms of including direct provision of and/ or financial contributions towards all necessary infrastructure to serve the development along with development in the wider North Bexhill area;
- Include vehicular access from Mount View Street and necessary improvements to infrastructure to meet the requirements of East Sussex Council;
- Include improved active travel routes to link to Mount View Street and nearby residential areas;
- Include improvements to bus stops and contributions towards bus services;
- Provide an active frontage onto Mount View Street
- Include sensitively designed, car and cycle parking to be integrated with green infrastructure and SUDS features;
- Make car and cycle parking available for visitors to the Combe Valley Countryside Park;
- Maintain and enhance the existing public right of way within the site to provide an attractive and accessible pedestrian entrance to the Combe Valley Countryside Park;
- Include provision for the retention and future management of a buffer zone of semi-natural habitat, at least 15 metres wide on the northern and eastern boundaries of the site, between the edge of development and the Priority Habitat, Local Wildlife Site and ancient woodland;
- Retain and enhance the existing hedgerows, trees and woodland within the site and on the site boundaries where possible, except for any short sections of hedgerow that have to be removed to facilitate access, which should be minimised as far as possible;
- Deliver a comprehensive landscaping scheme, including mature planting, to establish a strong landscape structure throughout the site;
- Include an assessment and evaluation of the site’s archaeological potential and the implementation of any appropriate mitigation measures identified through the assessment.
Supporting text:
This is a sloping field north of Mount View Street, previously in agricultural use and currently in temporary use in connection with the construction of the adjacent housing development at Worsham Farm.
There is a pond and a wastewater pumping station in its south-western corner which would need to be retained, and a Local Wildlife Site adjacent to the north, containing Priority Habitat linking to ancient woodland. The site is also adjacent to the Combe Valley Countryside Park, and a public footpath passes through its western section. It provides an opportunity for improved access to, and parking provision for users of, the Countryside Park, as set out in the policy.
This forms part of a larger site, extending to the south-west, which previously had outline planning permission for employment floorspace, and which was also allocated for business use through the Rother District Local Plan 2006 (policy no longer extant). While a section of the permitted site was subject to reserved matters approval and has been constructed (an office building on the southern side of Mount View Street), this larger area was not subject to a further application, and the outline permission has now expired. However, there have been no significant changes in circumstances which would mean the site is no longer suitable for some form of employment development. However, it is considered appropriate and beneficial to broaden the allocated use to include commercial uses generally, as the originally anticipated use as offices/ light industrial has not come forward in the considerable time period since it was first allocated.
The landowner has proposed the site for retail use, namely an out-of-town retail park. While some form of retail use could potentially form part of a sustainable community at North Bexhill, national planning policy requires that retail development and other main town centre uses are ordinarily directed to town centre areas. Therefore, comprehensive further evidence and study produced by the landowner and assessed by the Council would be required to support any out-of-town retail park, including an assessment of the impact on Bexhill and Hastings town centres. It is important that development at this site is designed to encourage access by active travel and public transport, car parking areas are not dominant, and an active frontage is provided to Mount View Street.
Policy Reference: BX48
Site name: Bexhill Enterprise Park – Escarpment Site B, south of Glovers End, Bexhill
Site identification: Extant planning permission (RR/2017/963/P) and additional site identified through the HELAA
Greenfield/ Brownfield: Greenfield
Allocated use and capacity: The site is allocated for employmentdevelopment comprising some 5,275 sqm employment floorspace
|
Area type: |
Live well locally |
|
Site size (ha): |
14.24 |
Policy text:
Development on this site must:
- Provide associated roads, cycleways, footways and connections to adjoining Public Rights of Way including enhanced connections between Glovers End and Glovers Lane via the public footbridge;
- Submit and implement a Travel Plan to promote sustainable transport modes, including provision for bus services;
- Retain and protect the woodland in the southern part of the site and include an appropriate buffer to the edge of any development;
- Deliver a comprehensive landscaping scheme, including mature planting, to establish a strong landscape structure throughout the site;
- Include an assessment and evaluation of the site’s archaeological potential and the implementation of any appropriate mitigation measures identified through the assessment;
- Design and implement appropriate flood risk management and Sustainable Drainage Systems (SuDS).
Supporting text:
This is a vacant, grassed, site on the southern side of Mount View Street. The northern section is relatively level while the southern section slopes up to join an area of woodland further south.
The northern part of the site has detailed planning permission for the construction of a three-storey office building with associated parking and landscaping (RR/2017/963/P). The permission included a separate office building on adjoining land to the west, which has now been constructed, thereby implementing the planning permission. The southern part of the site does not benefit from planning permission, although it offers an opportunity to potentially provide additional employment floorspace although this will need to be carefully designed having regard to the sloping nature of this part of the site and the need to protect the adjoining woodland, which is also a Priority Habitat. The allocation policy reflects the extant planning permission and also the potential of the adjoining land.
The allocation is expected to deliver a high-quality, sustainable employment site that contributes significantly to the district’s economic objectives while protecting and enhancing the natural and historic environment.
Policy Reference: BX49
Site name: Land west of Bexhill Innovation Park, Glovers End, Bexhill
Site identification: Previous planning permission and previous allocation (Rother Local Plan 2006)
Greenfield/ Brownfield: Greenfield
Allocated use and capacity: The site is allocated for employmentdevelopment comprising some 4,200 sqm commercial floorspace.
|
Area type |
Live Well Locally |
|
Site size (ha): |
1.6 |
Policy text:
Development on this site must:
- Provide associated roads, cycleways, footways and connections to adjoining Public Rights of Way, including enhanced pedestrian and cycle connections between Glovers End, Glovers Lane and the Combe Valley Countryside Park via the public footbridge and Byway (Bexhill 81);
- Submit and implement a Travel Plan to promote sustainable transport modes, including provision for bus services;
- Retain and protect the trees on the western boundary of the site and include an appropriate buffer to the edge of any development;
- Deliver a comprehensive landscaping scheme, including mature planting, to establish a strong landscape structure throughout the site;
- Include building assessment and recording (including architectural/ historical analysis) of the post-medieval barn within the site, and the retention and appropriate enhancement of the barn as part of the development;
- Include an assessment and evaluation of the site’s archaeological potential and the implementation of any mitigation measures identified through the assessment;
- Design and implement appropriate flood risk management and Sustainable Drainage Systems (SuDS).
Supporting text:
This is a vacant, grassed site on the southern side of the junction of Mount View Street and Combe Valley Way. It is raised up above the level of these roads and is accessed via Glovers End to the east. It previously contained a farmhouse associated with the former Glovers farm but this was destroyed by fire. An historic barn remains within the site and should be retained as part of the development.
This forms part of a larger site that was previously allocated for business use through the Rother District Local Plan 2006 (no longer extant), and which has also been subject to outline planning permission for business use (now expired). The northern part of the site was also more recently subject to a separate planning permission for a public house and hotel but this was not implemented and has also expired. However, there have been no significant changes in circumstances which would mean the site is not suitable for some form of employment development.
The allocation is expected to deliver a high-quality, sustainable employment/ commercial site that contributes significantly to the district’s economic objectives while protecting and enhancing the natural and historic environment.
Policy Reference: BX50
Site name: Land at Sidley Car Park, Ninfield Road, Bexhill
Site identification: Council-owned land
Greenfield/ Brownfield: Brownfield
Allocated use and capacity: The site is allocated for a mixed-use scheme comprising:
- Some 10 dwellings (apartments);
- The retention of public car parking
Density statistics:
|
Area type |
Suburban |
|
Site size (ha): |
0.33 |
|
Indicative size of area for built development (ha): |
0.1 |
|
Indicative residential density |
100 dwellings per hectare |
Policy text:
Development on this site must:
- Comprise of small (1-3 bedroom) dwellings to address the needs for small dwellings in the district;
- Provide an appropriate level of public parking provision
- Protect the amenity of the occupiers of adjacent properties.
Supporting text:
This is a public car park in Sidley District Centre, surrounded by residential and commercial development.
It is relatively large, and could accommodate a flatted scheme across part of its area while still retaining an appropriate amount of public car parking. This is on the basis that its redevelopment would allow for the provision of small dwellings, boosting the housing supply of this accommodation type in this area of Bexhill.
It is located in a sustainable location, in close proximity to shops, services and public transport connections. A scheme will need to be sensitively designed to avoid adversely affecting the amenity of adjacent residents.
[1] Refer to the latest version of East Sussex County Council’s guidance on Parking at New Developments.
Proposed Site Allocations for Southern Rother and the Hastings Fringes
Includes the parishes of Crowhurst, Fairlight, Guestling, Icklesham (west), Pett[1] and Westfield

Crowhurst
Parish: Crowhurst

Policy Reference: CR1
Site name: Land at Station Road and Forewood Lane, Crowhurst
Site identification: Existing Neighbourhood Plan allocation (reference CH1) and new site identified through HELAA (reference CRO0009)
Greenfield/ Brownfield: Greenfield
Sub-area: Southern Rother and the Hastings Fringes
Allocated use and capacity: The site is allocated for residential development comprising: Some 25 new dwellings.
Density statistics:
|
Area type |
Village |
|
Site size (ha): |
1.41 ha |
|
Indicative size of area for built development (ha): |
0.71 ha |
|
Indicative residential density: |
35 dwellings per hectare |
Site specific development requirements:
Development on this site must:
- Provide a policy-compliant amount of on-site affordable housing in line with policy HOU2 of the Rother Local Plan;
- Include 40% of the housing to be either one or two bedroom homes proportionately allocated across the market and affordable tenures in accordance with the Neighbourhood Plan;
- Incorporate the retention and conversion of the long brick barn in the southern part of the site;
- Allow for a comprehensive scheme to be developed across the whole site in the event the parcels of land come forward separately in accordance with Policy DEV2 of the Rother Local Plan;
- Include a significant area of green infrastructure, to include public open space and biodiversity net gain, across the southern half of the site;
- Include a vehicular access from Station Road to the satisfaction of the Highway Authority;
- Include appropriate pedestrian infrastructure inside and outside the site to link to footways on the southern side of Forewood Lane;
- Include pedestrian access onto the Public Right of Way (Crowhurst 8a) that is within the northern part of the site;
- Retain and enhance the existing trees and hedgerows on the boundaries and within the site;
- Include Sustainable Drainage features in accordance with Policy ENV2 of the Rother Local Plan;
- Be designed to protect the settings of the Grade I listed “Parish Church of St George” and the Grade II listed “Ruins of the Old Manor House”, which is also a Scheduled Monument;
- Include any necessary off-site highway works necessary to make the development acceptable (or financial contributions to such works);
- Be in compliance with policies within the Crowhurst Neighbourhood Plan and Design Guide.
Supporting text:
This site is in the centre of Crowhurst. Part of it is an extant Neighbourhood Plan allocation (site CH1) carried forward from the Crowhurst Neighbourhood Plan (reviewed 2025) and is still expected to come forward. The site is currently allocated for 12 dwellings though this Local Plan allocation seeks to increase the capacity, to ensure effective use of land, in line with the density policies within the Local Plan. The southern part of the site is newly identified and forms a logical extension to the original allocation.
The site is within the High Weald National Landscape and therefore a sensitive form of development is required in line with Local Plan policies. The southern part of the site is within the Strategic Gap, although given the current agricultural units on the site there is a form of built development currently present. The long brick barn within the site is a prominent feature in the local landscape, enhancing the rural character of the area, and for these reasons and to minimise the landscape impact of additional development in the Strategic Gap the policy requires its retention and conversion as part of the development of the site. The policy also outlines that the open space should be in the southern part of the site to maintain a separation to the wider Strategic Gap. To the south and west of the site are areas of land within Flood Zones 2 and 3 as well as areas at risk of surface water flooding and therefore Sustainable Drainage features will be required on site to not increase the risk of nearby flooding. There are also two listed buildings nearby to the site, the Grade I listed “Parish Church of St George” and the Grade II listed “Ruins of the Old Manor House” which is also a Scheduled Monument, and their settings will need to be protected. A comprehensive scheme across the whole site (including access and the provision of affordable housing and smaller dwellings) should be provided for, in the event the two parcels of land come forward separately.
Reproduced from the Ordnance Survey mapping with the permission of the Controller of His Majesty’s Stationary Office. (Crown Copyright). Unauthorised reproduction infringes Crown copyright and may lead to prosecution or civil proceedings. No further copies may be made. Rother District Council Licence No. 100018643 2025
Policy Reference: CR2
Site name: Land south of Forewood Rise, Crowhurst
Site identification: Existing Neighbourhood Plan allocation (reference CH2)
Greenfield/ Brownfield: Greenfield
Sub-area: Southern Rother and the Hastings Fringes
Allocated use and capacity: The site is allocated for residential development comprising: Some 18 new dwellings
Density statistics:
|
Area type |
Village |
|
Site size (ha): |
1.03 ha |
|
Indicative size of area for built development (ha): |
0.52 ha |
|
Indicative residential density: |
35 dwellings per hectare |
Site specific development requirements:
Development on this site must:
- Provide a policy-compliant amount of on-site affordable housing in line with policy HOU2 of the Rother Local Plan;
- Include 40% of the dwellings to be either 1 or 2 bedroom homes proportionately allocated across the market and affordable tenures in accordance with the Neighbourhood Plan policy;
- Include a significant area of green infrastructure, to include public open space and biodiversity net gain, across the southern and western parts of the site, as well as a Children’s Local Area for Play in accordance with the Neighbourhood Plan;
- Include a vehicular access from Forewood Lane to the satisfaction of the Highway Authority;
- Include appropriate pedestrian infrastructure inside and outside the site to link to footways on the southern side of Forewood Lane;
- Include pedestrian access onto the Public Rights of Way (Crowhurst 5a and Crowhurst 6a) that are inside the northern boundary and south of the site respectively;
- Retain and enhance the existing trees and hedgerows on the boundaries;
- Include any necessary off-site highway works necessary to make the development acceptable (or financial contributions to such works);
- Be in compliance with policies within the Crowhurst Neighbourhood Plan and Design Guide.
Supporting text:
This site is in the west of Crowhurst. It is an extant Neighbourhood Plan allocation (site CH2) carried forward from the Crowhurst Neighbourhood Plan (reviewed 2025) and is still expected to come forward. The site is currently allocated for 12 dwellings though this Local Plan allocation seeks to increase the capacity to make efficient use of land in line with the density policies within the Local Plan. The site is within the High Weald National Landscape and therefore a sensitive form of development is required in line with Local Plan policies. Access to the 1066 Country Walk, the Public Right of Way inside the northern boundary, is to be retained and enhanced along with providing access to the Public Right of Way to the south of the site to encourage active travel.
Reproduced from the Ordnance Survey mapping with the permission of the Controller of His Majesty’s Stationary Office. (Crown Copyright). Unauthorised reproduction infringes Crown copyright and may lead to prosecution or civil proceedings. No further copies may be made. Rother District Council Licence No. 100018643 2025
Policy Reference: CR3
Site name: Land adjacent to Station Car Park, Crowhurst
Site identification: Existing Neighbourhood Plan allocation (reference CH3)
Greenfield/ Brownfield: Greenfield
Sub-area: Southern Rother and the Hastings Fringes
Allocated use and capacity: The site is allocated for residential development comprising: some 6 new dwellings.
Density statistics:
|
Area type |
Village |
|
Site size (ha): |
0.08 ha |
|
Indicative size of area for built development (ha): |
0.08 ha |
|
Indicative residential density: |
75 dwellings per hectare |
Site specific development requirements:
Development on this site must:
- Provide a policy-compliant amount of on-site affordable housing in line with policy HOU2 of the Rother Local Plan;
- Be comprised of 1 or 2 bedroom dwellings only in the form of flats or apartments in accordance with the Neighbourhood Plan;
- Not exceed two storeys in accordance with the Neighbourhood Plan;
- Include a vehicular access to the satisfaction of the Highway Authority;
- Include appropriate pedestrian infrastructure inside and outside the site;
- Retain and enhance the existing mature trees on the site as far as practicable as informed by a tree survey;
- Include any necessary off-site highway works necessary to make the development acceptable (or financial contributions to such works);
- Be in compliance with policies within the Crowhurst Neighbourhood Plan and Design Guide.
Supporting text:
This site is in the centre of Crowhurst adjacent to the railway station. It is an extant Neighbourhood Plan allocation (site CH3) carried forward from the Crowhurst Neighbourhood Plan (reviewed 2025) and is still expected to come forward. The site is currently allocated for 6 dwellings in a flatted/apartment design. The site is within the High Weald National Landscape and therefore a sensitive form of development is required in line with Local Plan policies. The site is covered with trees which will need to be considered as part of the tree survey required in the policy and factored into the Biodiversity Net Gain calculations and delivery.
Reproduced from the Ordnance Survey mapping with the permission of the Controller of His Majesty’s Stationary Office. (Crown Copyright). Unauthorised reproduction infringes Crown copyright and may lead to prosecution or civil proceedings. No further copies may be made. Rother District Council Licence No. 100018643 2025
26. Do you have any comments on the proposed site allocations in Crowhurst Parish, detailed in Policies CR1 to CR3? Comment
Fairlight Cove
Parish: Fairlight

Policy Reference: FA1
Site name: Land east of Waites Lane, Fairlight Cove
Site identification: Existing allocation: Development and Site Allocations Local Plan Policy FAC2
Greenfield/ Brownfield: Greenfield
Sub-area: Southern Rother and the Hastings Fringes
Allocated use and capacity: The site is allocated for residential development comprising: Some 35 new dwellings;
Density statistics:
|
Area type |
Village |
|
Site size (ha): |
3.24 ha |
|
Indicative size of area for built development (ha): |
0.97 ha |
|
Indicative residential density: |
35 dwellings per hectare |
Site specific development requirements:
Development on this site must:
- Provide a policy-compliant amount of on-site affordable housing in line with policy HOU2 of the Rother Local Plan;
- Provide at least 50% of the dwellings as appropriately designed, age-restricted housing for older people;
- Include a significant area of green infrastructure, to include public open space and biodiversity net gain, across the southern and eastern parts of the site;
- Include a vehicular access from Pett Level Road;
- Include appropriate pedestrian infrastructure inside and outside the site to link to the northern side of Pett Level Road;
- Retain and enhance the existing trees and hedgerows on the boundaries of the site;
- Include no built development in the parts of the site along the southern boundary which are shown to be at risk of surface water flooding;
- Include SUDS in the southern section of the site in accordance with Policy ENV2 of the Rother Local Plan;
- Make an acceptable connection to the local sewerage system in liaison with the service provider;
- Include a financial contribution towards the improvement of doctors’ surgeries in the locality in lieu of a serviced plot;
- Include any necessary off-site highway works necessary to make the development acceptable (or financial contributions to such works);
- Include an assessment and evaluation of the site’s archaeological potential and the implementation of any mitigation measures identified through the assessment.
Supporting text:
The greenfield site is an extant Local Plan allocation carried forward from the DaSA , Local Plan (2019) and is still expected to come forward. It is within the High Weald National Landscape and therefore a sensitive form of development is required in line with Local Plan policies. Environmental and other constraints affecting the site include risks from flooding and the particular need for a sustainable drainage scheme and the policy requirements detailed above reflect these. Liaison with Southern Water will be required to ensure there is capacity for wastewater provision and an acceptable connection can be made to the mains. Pedestrian connections to the existing footways on Pett Level Road will be required to enable active travel to the services within Fairlight Cove and the bus stops nearby to the site. A pedestrian link from the development site to the west towards Waites Lane/Broadway would be advantageous in the interests of improving permeability, although this would require the use of third party land. The site has high potential to contain archaeological remains and an archaeological assessment will need to be undertaken as part of the planning application for its future development, the results of which may inform the site layout. The previous allocation policy required the provision of a doctors surgery subject to a business case from the NHS but it is currently understood that this is not required. The policy therefore requires a financial contribution in lieu of a serviced plot to improve existing surgeries in the locality.
Reproduced from the Ordnance Survey mapping with the permission of the Controller of His Majesty’s Stationary Office. (Crown Copyright). Unauthorised reproduction infringes Crown copyright and may lead to prosecution or civil proceedings. No further copies may be made. Rother District Council Licence No. 100018643 2025
27. Do you have any comments on the proposed site allocation in Fairlight Cove, detailed in Policy FA1? Comment
Hastings Fringes (Guestling Parish)
Settlement: Hastings Fringes (Rock Lane and Austen Way)
Parish: Guestling
Policy Reference: GU1
Site name: Land north of A265, Ivyhouse Lane, Hastings
Site identification: Existing allocation: Development and Site Allocations Local Plan Policy HAS3
Greenfield/ Brownfield: Greenfield
Sub-area: Southern Rother and the Hastings Fringes
Allocated use and capacity: The site is allocated for employment development comprising: Some 3,300 sqm of business floorspace.
Site specific development requirements:
Development on this site must:
- Allow for a comprehensive scheme to be developed in conjunction with the adjoining land allocated within Hastings Borough;
- Include a vehicular access from Ivyhouse Lane within Hastings Borough;
- Make provision for new footpaths across the site to join the recently completed business development adjacent to the east, with land to the west in Hastings Borough and extending northwards alongside the railway line for a potential future footpath link joining the existing public rights of way;
- Provide an appropriate financial contribution, as agreed by East Sussex County Council Rights of Way Team, towards off-site bridge works across the valley;
- Not detract from the principles set out in Policy GU6 relating to the adjacent Rock Lane Urban Fringe Management Area;
- Take account of Southern Water’s underground infrastructure in the design and layout of the site. Easements would be required, which may affect the site layout or require diversion, and these should be clear of all proposed buildings and tree planting;
- Include a landscape buffer to the north of the site which partly overlaps with areas shown to be at risk of surface water flooding;
- Include any necessary off-site highway works necessary to make the development acceptable (or financial contributions to such works);
- Be informed by agreed land stability and geotechnical reports
Supporting text:
This site comprises part of an undeveloped, partly wooded area adjacent to existing built development within Hastings Borough. It is an extant Local Plan allocation (HAS3) carried forward from the DaSA Local Plan (2019) and is still expected to come forward. There is also land in the wider ownership within Hastings Borough that is allocated in the current Hastings Local Plan (2015), also for employment development. The quantum of employment floorspace allocated within Rother District has been increased from 1,800 sqm allocated in the DaSA to 3,300sqm using the methodology set out within the latest Housing and Economic Development Needs Assessment. There has been a recently completed development within Ivyhouse Lane Industrial Estate totalling 4,800 sqm of floorspace which is broadly proportional to the increased floorspace within this allocation when compared to the overall site area.
The site is within the High Weald National Landscape and therefore a sensitive form of development is required in line with Local Plan policies. Environmental and other constraints affecting the site include risks from surface water flooding and the proximity to the Rock Lane Urban Fringe Management Area, and the policy requirements detailed above reflect these. The site is well located in relation to existing employment development, and services, and connections to the nearby footway infrastructure (via the land in Hastings Borough) to encourage active travel are required, as detailed above, as well as to the wider Public Rights of Way network to the north and northeast.
The site adjoins land within Hastings Borough. Hastings Borough Council’s (HBC’s) existing and emerging Local Plan policies require land stability and geotechnical reports for sloping sites and relevant developments, and consequently, this requirement is included as part of the policy to align with the HBC position
Policy Reference: GU2
Site name: Brackendale, Rock Lane, Hastings
Site identification: New site identified through HELAA (reference HAF0026)
Greenfield/ Brownfield: Part Brownfield (existing dwelling)
Sub-area: Southern Rother and the Hastings Fringes
Allocated use and capacity: The site is allocated for residential development comprising: Some 20 new dwellings on the land within Rother District
Density statistics:
|
Area type |
Suburban |
|
Site size (ha): |
1 ha is within Rother District. The whole site is 1.72 ha |
|
Indicative size of area for built development (ha): |
0.5 ha (within Rother District). |
|
Indicative residential density: |
40 dwellings per hectare (within Rother District) |
Site specific development requirements:
Development on this site must:
- Provide a policy-compliant amount of on-site affordable housing in line with policy HOU2 of the Rother Local Plan;
- Include an area of green infrastructure, to include public open space and biodiversity net gain;
- Allow for a comprehensive scheme to be developed in conjunction with the adjoining land within Hastings Borough;
- Include a vehicular access from Rock Lane;
- Include appropriate pedestrian infrastructure inside and outside the site to link to footways on the eastern side of Rock Lane;
- Retain an opportunity for a footpath/cycle link connection eastwards towards Winchelsea Lane;
- Include no built development in the parts of the site (mainly in the northern section) which are shown to be at risk of surface water flooding;
- Retain and enhance the existing trees within and on the boundaries of the site;
- Include any necessary off-site highway works necessary to make the development acceptable (or financial contributions to such works);
- Be informed by agreed land stability and geotechnical reports
Supporting text:
This site comprises a single residential dwelling in a large plot of land, adjacent to existing built development and is suitable for residential redevelopment. The plot straddles the district boundary, and there is land within the same ownership which lies within Hastings.
The site is within the High Weald National Landscape and therefore a sensitive form of development is required in line with Local Plan policies. The retention and enhancement of mature trees on the roadside boundary with Rock Lane is required to assist in screening the development from longer views to the west. Environmental and other constraints affecting the site include risks from surface water flooding in the northern parts of the site (within Rother) and the policy requirements detailed above reflect this.
The site is well located in relation to services in Hastings Borough, and connections to the existing footway infrastructure to encourage active travel are required, as detailed above.
The site adjoins land within Hastings Borough. Hastings Borough Council’s (HBC’s) existing and emerging Local Plan policies require land stability and geotechnical reports for sloping sites and relevant developments, and consequently, this requirement is included as part of the policy to align with the HBC position
28. Do you have any comments on the proposed site allocations in the Hastings Fringes (Guestling Parish), detailed in Policies GU1 and GU2? Comment
Policy Reference: GU3
The land between Ivyhouse Lane and Rock Lane is allocated as the Rock Lane Urban Fringe Management Area. Development that would harm the openness of this Urban Fringe Management Area or its significance and value to the local community will not be permitted.
Landscape management proposals which improve the landscape character, green infrastructure, biodiversity interest or formal access opportunities within this area will be supported, subject to compatibility with other policies of the Plan.
Development in the vicinity of the Urban Fringe Management Area should support the principles of its designation.
Supporting text:
The area of land north of Hastings either side of the railway as it approaches The Ridge, with Rock Lane to the east and Ivyhouse Lane to the west, is identified as an area of potential for a joint urban fringe management approach. It lies within the High Weald NL, but its quality could be improved. Moreover, it could provide a valuable amenity for the surrounding areas, especially if access opportunities were increased.
There is an opportunity in this location to facilitate the creation of an area of multifunctional green space as a buffer between town and countryside. The area has fallen into poor management, as it is not especially attractive for agricultural use and, due to this neglect, some areas are misused for anti-social behaviour. At the same time the area is well used as informal space, notably for dog walking, and this use could be formalised and greatly enhanced to be of greater benefit for the local population. Recently completed development sites within Ivyhouse Land Industrial Estate and on Rock Lane have reinforced the need to formalise access to this area through the creation of a new formal footpath network and the introduction of improved management of woodland and the wider countryside to protect existing nature and biodiversity. This Policy would provide an opportunity to secure the further future management of the area as green space for the local population.
Therefore, development in this locality, including that under proposed allocation policy GU1, should be viewed in the context of a wider area-based initiative to improve the landscape quality and formal access to the countryside to establish an appropriate transition area between the built-up area of Hastings and the High Weald NL countryside. Several sites have been assessed as part of this Local Plan process for potential allocation for development within this locality. The assessments of these sites, as detailed further within the HELAA, reached the conclusion that development within this area (which would therefore constitute the loss of some of the Rock Lane Urban Fringe Management Area) would cause an adverse impact to the landscape character of the area and the High Weald NL. Development in this location would also represent the loss of the buffer between the built-up area of Hastings and the countryside within Rother district where development is currently very limited.
Reproduced from the Ordnance Survey mapping with the permission of the Controller of His Majesty’s Stationary Office. (Crown Copyright). Unauthorised reproduction infringes Crown copyright and may lead to prosecution or civil proceedings. No further copies may be made. Rother District Council Licence No. 100018643 2025
29. Do you have any comments on the proposed site allocation in Three Oaks, detailed in Policy GU6? Comment
Guestling Green
Parish: Guestling
Policy Reference: GU4
Site name: Wild Meadows, Chapel Lane, Guestling Green
Site identification: New site identified through HELAA (reference GUE0012)
Greenfield/ Brownfield: Greenfield
Sub-area: Southern Rother and the Hastings Fringes
Allocated use and capacity: The site is allocated for residential development comprising: Some 20 new dwellings
Density statistics:
|
Area type |
Village |
|
Site size (ha): |
1.10 ha |
|
Indicative size of area for built development (ha): |
0.55 ha |
|
Indicative residential density: |
35 dwellings per hectare |
Site specific development requirements:
Development on this site must:
- Provide a policy-compliant amount of on-site affordable housing in line with policy HOU2 of the Rother Local Plan;
- Include a significant area of green infrastructure, to include public open space and biodiversity net gain, across the northern and eastern parts of the site;
- Include a vehicular access from Chapel Lane;
- Include appropriate pedestrian infrastructure inside and outside the site;
- Include pedestrian access onto the Public Right of Way (Guestling 37) that crosses the site;
- Include no built development in the parts of the site along the northern boundary which are shown to be at risk of surface water flooding;
- Retain and enhance the existing trees and hedgerows within and on the boundaries of the site;
- Be designed to protect the setting of the Grade II listed building “Honeysuckle Cottage” to the south of the site;
- Include any necessary off-site highway works necessary to make the development acceptable (or financial contributions to such works).
Supporting text:
This site comprises an existing large garden area associated with an existing residential property as well as land used for equestrian uses such as a sand school and stables. It is nearby to existing built development within Guestling Green and is suitable for residential development. It is within the High Weald National Landscape and therefore a sensitive form of development is required in line with Local Plan policies. Parts of the site are more sensitive in landscape terms due to longer views being gained from the northeast. Therefore, only the southwestern part of the site is considered suitable for residential development. Environmental and other constraints affecting the site include risks from surface water flooding. There is a need to protect and retain the existing trees and hedgerows that border the site in the interests of conserving the rural character of the locality and for biodiversity reasons, and the policy requirements detailed above reflect this. The site is well located in relation to the primary school and a bus route but offsite footway improvements will be required to ensure safe pedestrian access.
Reproduced from the Ordnance Survey mapping with the permission of the Controller of His Majesty’s Stationary Office. (Crown Copyright). Unauthorised reproduction infringes Crown copyright and may lead to prosecution or civil proceedings. No further copies may be made. Rother District Council Licence No. 100018643 2025
30. Do you have any comments on proposed Policy GU3: Rock Lane Urban Fringe Management Area? Comment
Policy Reference: GU5
Site name: Former Guestling Highways Depot, Guestling Green
Site identification: New site identified through HELAA (reference GUE0013)
Greenfield/ Brownfield: Brownfield
Sub-area: Southern Rother and the Hastings Fringes
Allocated use and capacity: The site is allocated for residential development comprising some 8 new dwellings
Density statistics:
|
Area type |
Village |
|
Site size (ha): |
0.39 ha |
|
Indicative Size of area for built development (ha): |
0.23 ha |
|
Indicative Residential density: |
35 dwellings per hectare |
Site specific development requirements:
Development on this site must:
- Provide a policy-compliant amount of on-site affordable housing in line with policy HOU2 of the Rother Local Plan;
- Use the existing vehicular access from Chapel Lane subject to the approval of the Highway Authority;
- Include appropriate pedestrian infrastructure inside and outside the site;
- Include no built development in the southern parts of the site which are shown to be at risk of surface water flooding;
- Retain and enhance the existing trees and hedgerows on the boundaries of the site, to include additional planting where necessary to provide screening of the site;
- Be designed to protect the setting of the Grade II listed buildings “Honeysuckle Cottage” and “The Stream/ Magnolia Cottage” to the west and south-east of the site;
- Include any necessary off-site highway works necessary to make the development acceptable (or financial contributions to such works).
Supporting text:
This site is a former County Council Highways Depot now used as a depot by a private company but available for potential redevelopment. It is nearby to existing built development within Guestling Green. While its re-use for employment purposes could be considered, in line with Local Plan policies that seek to retain such uses, in this case the site is not ideally located for business use due to its limited size, access via a narrow lane and adjoining sensitive uses. Furthermore, the existing depot use is limited in terms of its employment potential. Therefore, in this instance, an alternative residential use is appropriate. The site is well located in relation to the primary school and a bus route but offsite footway improvements will be required to ensure safe pedestrian access. Such improvements, together with any works to the existing access, will need to be sensitively designed to avoid harming the rural character of Chapel Lane and the setting of nearby listed buildings.
The site is within the High Weald National Landscape (HWNL) although it is brownfield and well screened from longer views into the landscape to the north and northeast by existing boundary vegetation. Subject to the retention of boundary trees and hedges and their supplementing with additional planting where necessary, together with sensitive access works as detailed above, a small scale residential development will have no adverse effect on the landscape or character of the HWNL. Environmental and other constraints affecting the site include risks from surface water flooding which are largely confined to the south-eastern boundary, and a grade II listed pair of cottages to the south-east and the policy requirements detailed above reflect these.
Reproduced from the Ordnance Survey mapping with the permission of the Controller of His Majesty’s Stationary Office. (Crown Copyright). Unauthorised reproduction infringes Crown copyright and may lead to prosecution or civil proceedings. No further copies may be made. Rother District Council Licence No. 100018643 2025
Three Oaks
Parish: Guestling
Policy Reference: GU6
Site name: Field at Halfhouse, Butchers Lane, Three Oaks
Site identification: New site identified through HELAA.
Greenfield/ Brownfield: Greenfield
Sub-area: Southern Rother and the Hastings Fringes
Allocated use and capacity: The site is allocated for residential development comprising:
Density statistics:
|
Area type |
Village |
|
Site size (ha): |
0.80 ha |
|
Indicative size of area for built development (ha): |
0.36 ha |
|
Indicative residential density: |
35 dwellings per hectare |
Site specific development requirements:
Development on this site must:
- Provide a policy-compliant amount of on-site affordable housing in line with policy HOU2 of the Rother Local Plan;
- Comprise of smaller dwellings of one to three bedrooms;
- Limit built development to the southern half of the site fronting Butchers Lane and include an area of public open space in the northern half of the site, including the land adjacent to the Ancient Woodland;
- Include a vehicular access from Butchers Lane;
- Include appropriate pedestrian infrastructure inside and outside the site;
- Include pedestrian access onto the Public Rights of Way (Guestling 27a and Guestling 28) that cross the site;
- Include provision for the retention and future management of a buffer zone of semi-natural habitat, at least 15 metres wide (which does not include residential gardens), on the northern boundary, between the edge of development and the ancient woodland;
- Retain and enhance the existing trees and hedgerows within and on the boundaries of the site;
- Retain and protect the existing pond to the north of the site and provide an appropriate buffer to any built development including roadways, as informed by an ecological survey, to be completed;
- Include any necessary off-site highway works necessary to make the development acceptable (or financial contributions to such works).
Supporting text:
This site is adjacent to the existing built development within the northern part of Three Oaks and is suitable for residential development. It forms the roadside portion of a large, open agricultural field. It is within the High Weald National Landscape and therefore a sensitive form of development is required in line with Local Plan policies. Environmental and other constraints affecting the site include Ancient Woodland, Priority Habitat and a pond adjacent to the site to the north and the existing trees and hedgerows that border the site and the policy requirements detailed above reflect these. The site and wider field also fully comprises an historic field boundary. Development in this location impacts on an undeveloped field and will have some impact on the National Landscape. However, a short row of dwellings on the road frontage, where there is existing residential development on the opposite side of the road, is acceptable in terms of its impact on the settlement pattern and will provide for additional smaller and affordable dwellings in a village with otherwise limited development potential due to its sensitive landscape setting. The retention of the wider field and appropriate boundary treatment to the development will limit impacts on the wider landscape, and measures are included in the policy to protect High Weald features including field boundaries, mature trees and a pond. The site is within walking distance from the railway station but there are no formal footways along Butchers Lane and it is unlikely to be feasible to provide one, however, accessibility improvements should be considered.
31. Do you have any comments on the proposed site allocations in Guestling Green, detailed in Policies GU4 and GU5? Comment
Icklesham
Parish: Icklesham
Policy Reference: IK1
Site name: Land adjacent to Little Sherwood Industry Park, Icklesham
Site identification: New site identified through HELAA (reference ICK0017)
Greenfield/ Brownfield: Greenfield
Sub-area: Southern Rother and the Hastings Fringes
Allocated use and capacity: The site is allocated for residential development comprising: Some 26 new dwellings
Density statistics:
|
Area type |
Village |
|
Site size (ha): |
1.7 ha |
|
Indicative size of area for built development (ha): |
0.77 ha |
|
Indicative residential density: |
35 dwellings per hectare |
Site specific development requirements:
Development on this site must:
- Provide a policy-compliant amount of on-site affordable housing in line with policy HOU2 of the Rother Local Plan;
- Include a significant area of green infrastructure, to include public open space and biodiversity net gain, across the southern and western parts of the site;
- Be informed by a landscape sensitivity assessment to determine an appropriate layout, form and detailed design to ensure the conservation and enhancement of the landscape and character of the High Weald National Landscape;
- Include a vehicular access from Main Road (A259);
- Include appropriate pedestrian infrastructure inside and outside the site to link to footways on the northern side of Main Road;
- Retain and enhance the existing trees and hedgerows within and on the boundaries of the site, except for any hedgerow removed to create a suitable access. Any hedgerow removed must be replanted subject to the visibility requirements of the highways authority;
- Retain and enhance connections to the Public Rights of Way within and adjacent to the site;
- Include Sustainable Drainage features in accordance with Policy ENV2 of the Rother Local Plan;
- Make an acceptable connection to the local sewerage system in liaison with the service provider;
- Include any necessary off-site highway works necessary to make the development acceptable (or financial contributions to such works) including the potential relocation of the bus stop to facilitate access into the site.
Supporting text:
This site comprises part of a field on the southern side of the A259 in Icklesham. The majority of the village’s built-form lies on the northern side of the main road, and suitable locations for further development are limited due to the sensitive landscape setting of the village, which sits on a ridge and provides for sweeping views across the countryside to the north and south, beyond existing ribbon development on the A259. However, this small field is relatively enclosed from longer views and adjoins a small pocket of development on this southern side of the road, and is considered suitable for a small-scale residential development. It is within the High Weald National Landscape and therefore a sensitive form of development is required in line with Local Plan policies. Environmental and other constraints affecting the site include the Public Rights of Way within and adjacent to the site, and the policy requirements detailed above reflect these. Connections to the existing footway infrastructure to encourage active travel are required, as detailed above. Initial comments from National Highways indicate an access can be made suitable in highways terms providing that there is a suitable separation distance (a minimum of 50 metres) from the junction with Broad Street. In addition, the current bus stop lay-by may need to be relocated to achieve the required visibility. This may involve the removal of sections of the established hedgerow and the policy requirements reflect the requirement for a new hedgerow to be replanted on the site.
Reproduced from the Ordnance Survey mapping with the permission of the Controller of His Majesty’s Stationary Office. (Crown Copyright). Unauthorised reproduction infringes Crown copyright and may lead to prosecution or civil proceedings. No further copies may be made. Rother District Council Licence No. 100018643 2025
Policy Reference: IK2
Site name: Land adjacent to Orchard Close, Icklesham
Site identification: New site identified through HELAA (reference ICK0041, ICK0047 and ICK0048)
Greenfield/ Brownfield: Greenfield
Sub-area: Southern Rother and the Hastings Fringes
Allocated use and capacity: The site is allocated for residential development comprising: Some 32 new dwellings
Density statistics:
|
Area type |
Village |
|
Site size (ha): |
2.36 ha |
|
Indicative size of area for built development (ha): |
0.94 ha |
|
Indicative residential density: |
35 dwellings per hectare |
Site specific development requirements:
Development on this site must:
- Provide a policy-compliant amount of on-site affordable housing in line with policy HOU2 of the Rother Local Plan;
- Include a significant area of green infrastructure, to include public open space and biodiversity net gain, across the northern and eastern parts of the site;
- Be informed by a landscape sensitivity assessment to determine an appropriate layout, form and detailed design to ensure the conservation and enhancement of the landscape and character of the High Weald National Landscape;
- Allow for a comprehensive scheme to be developed across the whole site in the event the parcels of land come forward separately;
- Ideally include a vehicular access from Orchard Close;
- Include appropriate pedestrian infrastructure inside and outside the site to link to footways on the northern side of Main Road (A259);
- Include no built development in the southern part of the site which is shown to be at risk of surface water flooding;
- Retain and enhance the existing trees and hedgerows on the boundaries of the site;
- Include on-site Biodiversity Net Gain which enhances the Deciduous Woodland and Traditional Orchard Priority Habitats adjacent to the site;
- Include Sustainable Drainage features in the northern section of the site in accordance with Policy ENV2 of the Rother Local Plan;
- Make an acceptable connection to the local sewerage system in liaison with the service provider;
- Include any necessary off-site highway works necessary to make the development acceptable (or financial contributions to such works).
Supporting text:
This site comprises sections of two agricultural fields on the northern side of the A259 in Icklesham. It relates well to adjoining development and is screened to some extent in the wider landscape, meaning it is considered suitable for residential development. The site is adjacent to a recently completed residential development, which was constructed as an affordable housing “rural exception site”. It is within the High Weald National Landscape and therefore a sensitive form of development is required in line with Local Plan policies. The policy requirements detailed above require the retention and enhancement of existing boundary trees and hedges and also require a large area of open space in the northern part of the site. These measures are required in order to soften the site’s visual impact in longer views from the north and maintain the rural setting of this edge of the village. Environmental and other constraints affecting the site include some Deciduous Woodland Priority Habitat adjacent to the site to the west and Traditional Orchard Priority Habitat to the east and the policy requirements detailed above reflect these. Connections to the existing footway infrastructure to encourage active travel are required, as detailed above. Ideally the site should be accessed via the adjoining development, “Orchard Close” in order to avoid the construction of a second vehicular access onto the A259 in close proximity to that site. Initial comments from National Highways support reusing the existing access and requires an assessment to be conducted for any new access.
Reproduced from the Ordnance Survey mapping with the permission of the Controller of His Majesty’s Stationary Office. (Crown Copyright). Unauthorised reproduction infringes Crown copyright and may lead to prosecution or civil proceedings. No further copies may be made. Rother District Council Licence No. 100018643 2025
32. Do you have any comments on the proposed site allocations in Icklesham, detailed in Policies IK1 and IK2? Comment
Hastings Fringes (Westfield Parish)
Settlement: Hastings Fringes (Woodlands Way and Parkwood Road)
Parish: Westfield
Policy Reference: WS1
Site name: Land at Michael Tyler Furniture, Woodlands Way, Hastings
Site identification: Existing allocation: Development and Site Allocations Local Plan Policy HAS2
Greenfield/ Brownfield: Brownfield
Sub-area: Southern Rother and the Hastings Fringes
Allocated use and capacity: The site is allocated for residential development comprising: Some 40 new dwellings
Density statistics:
|
Area type |
Suburban |
|
Site size (ha): |
0.94 ha |
|
Indicative size of area for built development (ha): |
0.66 ha |
|
Indicative residential density: |
60 dwellings per hectare |
Site specific development requirements:
Development on this site must:
- Provide a policy-compliant amount of on-site affordable housing in line with policy HOU2 of the Rother Local Plan;
- Include a significant area of green infrastructure, to include public open space and biodiversity net gain, across the site;
- Include a children’s play space in the form of a Local Area for Play (LAP);
- Include a vehicular access from Woodlands Way;
- Include appropriate pedestrian infrastructure inside and outside the site to link to footways on the western side of Woodlands Way;
- Include no built development in the parts of the site which are shown to be at risk of surface water flooding;
- Retain and enhance the existing tree belt on the west and north of the site;
- In addition, include provision for the retention and future management of a buffer zone of semi-natural habitat, at least 15 metres wide (which does not include residential gardens), adjacent to the northwest boundary, between the edge of development and the ancient woodland;
- Include on-site Biodiversity Net Gain to enhance the Deciduous Woodland Priority Habitats adjacent to the site;
- Include sustainable drainage in the site in accordance with Policy ENV2 of the Rother Local Plan;
- Include an acceptable connection to the local sewerage system in agreement with the service provider and ensure surface water drainage proposals do not adversely impact on the watercourses which feed into Park Wood;
- Include any necessary off-site highway works necessary to make the development acceptable (or financial contributions to such works).
Supporting text:
This brownfield site is on the northern side of The Ridge in Hastings. It is an extant Local Plan allocation (site HAS2) carried forward from the DaSA Local Plan (2019) and is still expected to come forward. It is adjacent and within the setting of the High Weald National Landscape and therefore a sensitive form of development is required in line with Local Plan policies. Environmental and other constraints affecting the site include an area of Ancient Woodland adjacent to the site to the north and an area of Priority Habitat to the south. There are also areas within the site at risk from surface water flooding and the policy requirements detailed above reflect these. The site is well located in relation to services and a bus route so connections to pedestrian infrastructure will be required to link to existing footways. There have been incremental residential developments off Woodlands Way which, individually, have not provided children’s play space. Additional residential development would assist in providing a play space in the form of a Local Area for Play (LAP) for a large residential area where there is a present lack of provision.
Reproduced from the Ordnance Survey mapping with the permission of the Controller of His Majesty’s Stationary Office. (Crown Copyright). Unauthorised reproduction infringes Crown copyright and may lead to prosecution or civil proceedings. No further copies may be made. Rother District Council Licence No. 100018643 2025
Policy Reference: WS2
Site name: Land east of Beaney’s Lane, Hastings
Site identification: New site identified through HELAA (reference HAF0023)
Greenfield/ Brownfield: Greenfield
Sub-area: Southern Rother and the Hastings Fringes
Allocated use and capacity: The site is allocated for residential development comprising: Some 70 new dwellings.
Density statistics:
|
Area type |
Suburban |
|
Site size (ha): |
7.60 ha |
|
Indicative size of area for built development (ha): |
2.30 ha |
|
Indicative residential density: |
40 dwellings per hectare |
Site specific development requirements:
Development on this site must:
- Provide a policy-compliant amount of on-site affordable housing in line with policy HOU2 of the Rother Local Plan;
- Include a significant area of green infrastructure, to include public open space and biodiversity net gain, across the northern two-thirds of the site;
- Be informed by a landscape sensitivity assessment to determine an appropriate layout, form and detailed design to ensure the conservation and enhancement of the landscape and character of the High Weald National Landscape
- Be informed by traffic modelling which demonstrates no unacceptable cumulative effects on the local highway network, including from other development in Hastings borough;
- Include a vehicular access from The Ridge (within Hastings borough) in the east of the site;
- Include appropriate pedestrian infrastructure inside and outside the site to link to footways on the northern side of The Ridge;
- Include no built development in the parts of the site to the north and west which are shown to be at risk of surface water flooding;
- Be informed by ecological and hydrological survey work which demonstrates development will have no adverse impact on the integrity of the Maplehurst Wood Site of Special Scientific Interest;
- Include provision for the retention and future management of a buffer zone of semi-natural habitat, at least 15 metres wide within the northeastern and western areas with the ancient woodland;
- Retain and enhance the existing trees on the boundaries of the site;
- Retain and protect the existing ponds in the site and provide an appropriate buffer to any built development including roadways, as informed by an ecological survey to be completed.
- Include any necessary off-site highway works necessary to make the development acceptable (or financial contributions to such works).
- Be informed by agreed land stability and geotechnical reports
Supporting text:
This site comprises an existing dwelling surrounded by a field with wooded boundaries which wraps around a small pocket of development on the northern side of The Ridge (B2093). The southern part of the field, within the same ownership (outside the site) is located in Hastings borough while the larger, northern, part is in Rother. The site is suitable for residential development, subject to further assessment of any cumulative traffic impacts on The Ridge arising from other development within Hastings borough.
The site is within the High Weald National Landscape and therefore a sensitive form of development is required in line with Local Plan policies. Environmental and other constraints affecting the site include adjoining Ancient Woodland, Deciduous Woodland Priority Habitats and Tree Preservation Orders, risks from surface water flooding partly linked with ponds to the west, and the other existing trees across the site and boundaries which the policy requirements detailed above reflect. The site is also in close proximity to the Maplehurst Wood SSSI with the northern boundary approximately 130m south of the SSSI.
Therefore, built development will need to be restricted to the southern thirds of the site, with a large area of green infrastructure in the northern section to provide buffers to the countryside and ancient woodland, as well as an amenity for future residents. Any development would also need to protect the amenity of the adjacent uses including a care home. The site is well located in relation to services within Hastings and connections to the existing footway infrastructure to encourage active travel are required, as detailed above.
The site adjoins land within Hastings Borough. Hastings Borough Council’s (HBC’s) existing and emerging Local Plan policies require land stability and geotechnical reports for sloping sites and relevant developments, and consequently, this requirement is included as part of the policy to align with the HBC position
33. Do you have any comments on the proposed site allocations in the Hastings Fringes (Westfield Parish), detailed in Policies WS1 and WS2? Comment
Westfield
Parish: Westfield
Policy Reference: WS3
Site name: Land at Moor Farm, Westfield
Site identification: Existing allocation: Development and Site Allocations Local Plan Policy WES3 and new site identified through HELAA (reference WES0021)
Greenfield/ Brownfield: Greenfield
Sub-area: Southern Rother and the Hastings Fringes
Allocated use and capacity: The site is allocated for residential development comprising: Some 50 new dwellings
Density statistics:
|
Area type |
Village |
|
Site size (ha): |
2.86 ha |
|
Indicative size of area for built development (ha): |
1.43 ha |
|
Indicative residential density: |
35 dwellings per hectare |
Site specific development requirements:
Development on this site must:
- Provide a policy-compliant amount of on-site affordable housing in line with policy HOU2 of the Rother Local Plan;
- Include a significant area of green infrastructure, to include public open space and biodiversity net gain, predominately across the southern half of the site;
- Be informed by a landscape sensitivity assessment to determine an appropriate layout, form and detailed design to ensure the conservation and enhancement of the landscape and character of the High Weald National Landscape;
- Include a vehicular access from Westfield Lane (A28) to the satisfaction of the Highway Authority;
- Include appropriate pedestrian infrastructure inside and outside the site to link to the existing footways, including new footways to link the new development to the existing Westfield Lane and Moor Lane footways. Any sections of boundary hedgerow removed on Moor Lane should be replanted at the rear of the footway subject to highways visibility requirements; and any necessary improvements to the Stonestile Lane/Moor Lane junction are to be implemented;
- Include pedestrian access onto the Public Right of Way (Westfield 44) that crosses the site;
- Retain and enhance the existing trees and hedgerows on the boundaries, save for the minimal amount of removal needed for the footway on Stonestile Lane/Moor Lane, and provide a new hedge on the southern boundary of the site;
- Respect the amenity value of adjoining residential properties on the northern and western boundaries;
- Include any necessary off-site highway works necessary to make the development acceptable (or financial contributions to such works);
- Include an assessment and evaluation of the site’s archaeological potential and the implementation of any mitigation measures identified through the assessment;
- Protect the setting of the Grade II listed building “Moor Farmhouse” to the east of the site.
Supporting text:
This site comprises part of a large field in the southern part of Westfield village and is suitable for residential development. A small part of the site forms the remaining unimplemented section of a 2006 Local Plan allocation, the majority of which has been developed with a housing estate known as Goulds Drive, this land has become overgrown and could provide an opportunity for Biodiversity Net Gain. The adjoining field has now become available and the site as a whole provides an opportunity to extend the built form of Westfield and provide additional dwellings in a sustainable location. It is within the High Weald National Landscape and therefore a sensitive form of development is required in line with Local Plan policies. There are some High Weald features within the site although the large fieldscape is of modern origin, and the development provides an opportunity to create a new field boundary and enhance existing boundary trees and hedgerows, while also enhancing pubic access through links to the existing public right of way. The site has high potential for prehistoric, Roman (including a major Roman road) and medieval archaeological remains relating to the historic core of Westfield Moor. There is also a Grade II Listed Building just east of the site, and the policy requirements above reflect these constraints. Initial indications are that a vehicular access could be achieved onto Westfield Lane (A28), and connections to the existing footway infrastructure to encourage active travel are required, as detailed above.
Reproduced from the Ordnance Survey mapping with the permission of the Controller of His Majesty’s Stationary Office. (Crown Copyright). Unauthorised reproduction infringes Crown copyright and may lead to prosecution or civil proceedings. No further copies may be made. Rother District Council Licence No. 100018643 2025
Policy Reference: WS4
Site name: Land on east side of Cottage Lane, Westfield
Site identification: Planning permission (RR/2022/1118/P: outline planning permission granted 27 June 2025 for up to 20 dwellings with new access from Cottage Lane)
Greenfield/ Brownfield: Greenfield
Sub-area: Southern Rother and the Hastings Fringes
Allocated use and capacity: The site is allocated for residential development comprising: Some 20 new dwellings
Density statistics:
|
Area type |
Village |
|
Site size (ha): |
1.19 ha |
|
Indicative size of area for built development (ha): |
0.60 ha |
|
Indicative residential density: |
35 dwellings per hectare |
Site specific development requirements:
Development on this site must:
- Provide a policy-compliant amount of on-site affordable housing in line with policy HOU2 of the Rother Local Plan;
- Include a significant area of green infrastructure, to include public open space and biodiversity net gain, across the site;
- Include a vehicular access from Cottage Lane;
- Include appropriate pedestrian infrastructure inside and outside the site;
- Include no built development in the southern part of the site which is shown to be at risk of surface water flooding;
- Include pedestrian access onto the Public Right of Way (Westfield 27) that is adjacent to the southern boundary;
- Retain and enhance the existing trees and hedgerows on the boundaries;
- Include on-site and off-site Biodiversity Net Gain for mitigation, compensation and enhancement measures;
- Include any necessary off-site highway works necessary to make the development acceptable (or financial contributions to such works);
- Include an assessment and evaluation of the site’s archaeological potential and the implementation of any mitigation measures identified through the assessment.
Supporting text:
This site comprises part of a field, previously a Christmas tree plantation but recently cleared, in the northern part of Westfield village. It is suitable for residential development having been granted outline planning permission for up to 20 dwellings in June 2025. It is within the High Weald National Landscape and therefore a sensitive form of development is required in line with Local Plan policies. Environmental and other constraints affecting the site include the potential for archaeological remains and the policy requirements detailed above reflect these. The site is subject to a Restocking Notice served by the Forestry Commission due to its recent clearance. However, this has been appealed by the landowner, and a decision is pending. If the Notice is upheld, the site will need to be replanted with trees and development will not, therefore, be able to come forward, despite the extant outline planning permission. In this event the site will not be allocated for development in the final version of the Local Plan.
Reproduced from the Ordnance Survey mapping with the permission of the Controller of His Majesty’s Stationary Office. (Crown Copyright). Unauthorised reproduction infringes Crown copyright and may lead to prosecution or civil proceedings. No further copies may be made. Rother District Council Licence No. 100018643 2025
Policy Reference: WS5
Site name: Freshfields Farm, Westfield Lane, Westfield
Site identification: New site identified through HELAA (reference WES0046)
Greenfield/ Brownfield: Part Greenfield, part Brownfield
Sub-area: Southern Rother and the Hastings Fringes
Allocated use and capacity: The site is allocated for residential development comprising: Some 2,000sqm of new business floorspace (Use Classes E(g) or B8)
Site specific development requirements:
Development on this site must:
- Use the existing vehicular access from Westfield Lane (A28) subject to the approval of the Highway Authority;
- Include appropriate pedestrian infrastructure inside and outside the site to link to the existing footways on the western sides of Westfield Lane;
- Be informed by a landscape sensitivity assessment to determine an appropriate layout, form and detailed design to ensure the conservation and enhancement of the landscape and character of the High Weald National Landscape;
- Be designed to be in keeping with the agricultural character of the site, including through the style of new buildings;
- Retain and enhance the existing trees and hedgerows on the boundaries;
- Provide a landscape buffer to the existing caravan park to the south;
- Include any necessary off-site highway works necessary to make the development acceptable (or financial contributions to such works);
- Include an assessment and evaluation of the site’s archaeological potential and the implementation of any mitigation measures identified through the assessment.
Supporting text:
This site comprises two fields that form part of a larger network of fields located in the countryside to the south of Westfield village. There are existing buildings within the site used for agricultural, business and retail purposes and the site is suitable for an expansion of the existing business uses. It is within the High Weald National Landscape and therefore a sensitive form of development is required in line with Local Plan policies. While the site is separated from Westfield village, further employment development here accords with national planning policy which supports the sustainable growth and expansion of business in rural areas, both through conversion of existing buildings and well-designed, new buildings, recognising that sites to meet local business needs in rural areas may have to be found adjacent to or beyond existing settlements. Notwithstanding this, connections to the existing footway infrastructure on Westfield Lane will encourage active travel, as detailed above.
Reproduced from the Ordnance Survey mapping with the permission of the Controller of His Majesty’s Stationary Office. (Crown Copyright). Unauthorised reproduction infringes Crown copyright and may lead to prosecution or civil proceedings. No further copies may be made. Rother District Council Licence No. 100018643 2025
34. Do you have any comments on the proposed site allocations in Westfield, detailed in Policies WS3 to WS5? Comment
35. Do you consider that there are any other possible sites in the Southern Rother and Hastings Fringes sub-area (which includes the parishes of Crowhurst, Fairlight, Guestling, Pett, Westfield and Icklesham (west)) which should be allocated for development in the Local Plan? Comment
Proposed Site Allocations for Battle and Surrounding Settlements
Includes the parishes of Ashburnham, Battle, Brightling, Catsfield, Dallington, Mountfield, Sedlescombe and Whatlington[2]

Battle
Parish: Battle
Policy Reference: BT1
Site name: Land south of Hastings Road, Battle.
Site identification: One small part of the site is an existing allocation in the Battle Neighbourhood Plan (Policy HD2, site BA31a), the remainder of the site comprises new land identified through HELAA.
Greenfield/ Brownfield: Greenfield.
Sub-area: Battle and surrounding settlements.
Allocated use and capacity: The site is allocated for residential development comprising:
- Some 220 new dwellings
- Open space
- Community space
Density statistics:
|
Area type: |
Suburban |
|
Site size (ha): |
11.09 |
|
Indicative size of area for built development (ha): |
5.54 |
|
Indicative residential density: |
40 dwellings per hectare |
Site specific development requirements:
Development on this site must:
- Provide a policy-compliant amount of on-site affordable housing in line with policy HOU2 of the Rother Local Plan
- Comply with a whole-site masterplan, to be developed by the site promoter, to identify uses and areas for development, areas for green infrastructure, and vehicular, pedestrian and cycle links. The masterplan should be informed by a landscape sensitivity assessment to determine an appropriate layout, form and detailed design to ensure the conservation and enhancement of the landscape and character of the High Weald National Landscape and the protection of the setting of heritage assets.
- Include new vehicular access(es) from Hastings Road and Glengorse.
- Include new pedestrian and cycle links to Hastings Road and Glengorse.
- Include areas of green infrastructure and public open space in line with the ratios indicated above.
- Provide accessible pedestrian and cycle links permeating the extent of the site from each access on Glengorse and Hastings Road.
- Provide community uses to include a building for community use, as required.
- Establish a strong landscape buffer to the southern and eastern edges of the site.
- Ensure the setting of Glengorse Estate is protected.
- Include provision for the retention and future management of a buffer zone of semi-natural habitat, at least 15 metres wide (which does not include residential gardens), on the southern boundary, between the edge of development and the ancient woodland. Retain the existing hedgerows/ trees on the boundaries of the site.
- Retain and enhance the High Weald Wildflower Meadow Priority Habitat in the western part of the site, as part of the overall Green Infrastructure.
- Retain and protect the existing pond in the south-eastern part of the site and provide an appropriate buffer to any built development including roadways, as informed by an ecological survey, to be completed.
- Include sustainable drainage in accordance with Policy ENV2 of the Rother Local Plan.
- Include an assessment and evaluation of the site’s archaeological potential and the implementation of any mitigation measures identified through the assessment.
Supporting text:
This is a large site on the southern fringe of the town of Battle comprising a number of separate land parcels consisting of fields, paddocks and a residential curtilage. It gradually slopes away south from existing built development located adjacent to Hastings Road and Glengorse to the north. The site is located within the High Weald National Landscape, therefore a sensitive form of development is required in line with Local Plan policies. Environmental and other constraints affecting the site include priority habitats, ancient woodland and surface water flooding risk to the southern boundaries of the site, with the policy requirements detailed above reflect these. The Glengorse Estate, located to the west of the main body of the allocation, is a non-designated heritage asset within the Battle Neighbourhood Plan, therefore its setting must be protected.
Subject to a sensitive design that addresses the constraints, the site is considered suitable for a larger-scale residential development comprising some 250 dwellings and community uses (as appropriate) together with large areas of green infrastructure, to include public open space and the retention and protection of priority habitat.
The sustainability of the site, in terms of its proximity to services and facilities in Battle, graduates from north-west to south-east with the western areas being closer to services and amenities and the eastern areas being less sustainably located. As such, pedestrian and cycle infrastructure must be designed to encourage active travel to the main access points to the site, as detailed through the policy requirements above, in addition to strong linkages to existing bus stops and potentially provision of new stops in consultation with the local Highway Authority. The site is some distance from primary schools in Battle and Crowhurst and further consultation with the Education Authority will be required to ensure any adverse impacts are mitigated, for example through improved transport links or financial contributions towards off-site infrastructure improvements. The size of the site does however lend itself to the inclusion of community uses which could potentially include provision of a community building to be used by an early-years nursery, should this be required.
Reproduced from the Ordnance Survey mapping with the permission of the Controller of His Majesty’s Stationary Office. (Crown Copyright). Unauthorised reproduction infringes Crown copyright and may lead to prosecution or civil proceedings. No further copies may be made. Rother District Council Licence No. 100018643 2025
Policy Reference: BT2
Site name: Land at Breadsell, Battle
Site identification: Submitted site identified through HELAA.
Greenfield/ Brownfield: Greenfield.
Sub-area: Battle and surrounding settlements.
Potential allocated use and capacity: Residential development comprising some 145 new dwellings.
Density statistics:
|
Area type: |
Countryside |
|
Site size (ha): |
6.95 |
|
Indicative size of area for built development (ha): |
4.17 |
|
Indicative residential density: |
35 dwellings per hectare |
Site specific development requirements:
Development on this site must:
- Form part of a comprehensive scheme to be developed in conjunction with the adjoining, larger, plot of land to the south within Hastings borough. A stand-alone development on the area of land within Rother district will not be accepted.
- Provide a policy-compliant amount of on-site affordable housing in line with policy HOU2 of the Rother Local Plan.
- Be informed by a landscape sensitivity assessment to determine an appropriate layout, form and detailed design to ensure the conservation of the setting of the adjacent High Weald National Landscape.
- Be carried out in accordance with the recommendations of ecological and hydrological surveys (to be completed) to ensure the protection of the nearby Marline Woods Site of Special Scientific Interest.
- Include a new vehicular access from Hastings Road A2100 to the satisfaction of the Highway Authority.
- Include new pedestrian and cycle links to Hastings Road A2100 and to adjoining land within Hastings borough to the south-west.
- Include any off-site highway improvements necessary to make the development acceptable, in accordance with the requirements of the Highway Authority, including improvements to pedestrian, cycle and bus infrastructure.
- Include significant areas of green infrastructure, to include public open space and areas for biodiversity net gain across the site, as informed by the landscape sensitivity assessment.
- Include provision for the retention and future management of a buffer zone of semi-natural habitat, at least 15 metres wide (which does not include residential gardens), on the southern boundary, between the edge of development and the ancient woodland.
- Retain and enhance the existing hedgerow/ trees on the south-eastern boundary of the site.
- Be carried out in accordance with the recommendations of a Flood Risk Assessment (FRA) across the site.
- Include Sustainable Drainage in the southern section of the site in accordance with Policy ENV2 of the Rother Local Plan.
- Provide a connection to the sewerage system at the nearest point of adequate capacity, as advised by Southern Water and ensure future access to the existing sewerage and water supply infrastructure for maintenance and upsizing purposes.
- Be informed by agreed land stability and geotechnical reports
Supporting text:
This site comprises the northern sections of wide, open fields on high ground to the south of the A2100, adjacent to the Hastings Borough boundary. The site forms part of a larger area of land, comprising five fields extending south into Hastings, which has been considered by both Local Authorities in the past for a potential strategic, cross-boundary, mixed-use development, the larger part of which would be in Hastings. The part of the site that lies within Rother comprises two sections of two large fields.
Environmental and other constraints affecting the site include ancient woodland and priority habitat adjacent to the southern boundary, the High Weald National Landscape adjacent to the west, Local Wildlife Site Beauport Park on the opposite side of the road to the site and surface water flooding to the southern boundary. In addition, the Marline Valley Woods Site of Special Scientific Interest (SSSI) is located adjacent to the south-western boundary and runs along the eastern edge of the wider site within Hastings Borough.
A scoping level hydrological and hydrogeological assessment of a proposed housing development on this site was carried out in 2009 by specialists, Rigare, to investigate the potential effects on the Marline Valley Woods SSSI. This indicated that a development would likely lead to impacts on the SSSI, and set out that significant work, including a lengthy period of ecohydrological monitoring, is required to understand impacts. Consequently, following advice from Natural England, the site was not included in the adopted Hastings Local Plan although the Rother Core Strategy (adopted 2014) does make provision for a sustainable scheme to come forward in the longer term at the site, if the environmental, access to services and transport constraints were satisfactorily addressed.
The site promoter has now been in contact with Hastings Borough Council, Rother District Council and Natural England to seek to agree a programme of monitoring that would be sufficient to determine the impact upon the SSSI. Once this programme has been agreed, monitoring of the site will be carried out by the site promoter to determine the impacts of development upon the SSSI and any mitigation measures that could make development acceptable. Consequently, at the current time, the potential of the site for development is uncertain until the required monitoring has been undertaken. However, as in the past, if the constraints can be satisfactorily addressed, the land within Rother could be suitable to form part of a strategic scale, cross-boundary, residential-led development.
The land within Rother is not suitable for development without the adjoining land within Hastings due to it being too small for a strategic development and being in an unsustainable location, not well related to other development or services. It is also in a sensitive landscape adjacent to the High Weald National Landscape and within the Strategic Gap between Crowhurst, Battle and Hastings, allocated in order to maintain the separate identities of the settlements. In the event of a strategic scale residential-led development coming forward across the wider site, the benefits of the significant level of additional housing could potentially outweigh the impact on the Strategic Gap. In landscape terms, a larger scale development, as indicated, would result in, in effect, a logical extension to the built form of Hastings rather than an isolated pocket of development encroaching into the countryside.
The vehicular access to the wider site would come from the A2100 Hastings Road, within Rother. Initial Highway Authority comments identify that transport assessment and road safety assessment work would be required to determine impacts on the road network. The A2100 only has a footway on one side and derestricted speeds at this point, factors which are not conducive to encouraging active travel. Improvements to bus infrastructure and means of access to bus stops would be required, together with pedestrian links to adjoining land in Hastings to the south-west.
The site adjoins land within Hastings Borough. Hastings Borough Council’s (HBC’s) existing and emerging Local Plan policies require land stability and geotechnical reports for sloping sites and relevant developments, and consequently, this requirement is included as part of the policy to align with the HBC position
Policy Reference: BT3
Site name: Beech Farm, Battle.
Site identification: Planning permission for 8 new employment units comprising 1895sqm of new floorspace (use class E and B8) – planning reference RR/2022/1765/P.
Greenfield/ Brownfield: Greenfield
Sub-area: Battle and surrounding settlements.
Allocated use and capacity: The site is allocated for employment and commercial development comprising some 1895 square metres of new floorspace (use class E and B8).
Density statistics:
|
Area type: |
Countryside |
|
Site size (ha): |
0.91 |
|
Indicative size of area for built development (ha): |
0.2 |
Site specific development requirements:
Development on this site must:
- Include a new vehicular access from North Trade Road
- Provide links to the public right of way that runs adjacent to the southern boundary of the site
- Retain and enhance the existing hedgerow/ trees on the north, west and east boundaries of the site all of which are historic field boundaries
Supporting text:
The site comprises a relatively well-contained undeveloped area to the north of the Beech Estate industrial park in the countryside near Battle, suitable for small scale employment development. It is within the High Weald National Landscape and therefore a sensitive form of development is required in line with Local Plan policies. Environmental and other constraints affecting the site include historic field boundaries to the north, west and east boundaries including a public right of way running adjacent to the southern boundary, with the policy requirements detailed above to reflect these.
The site is not within walking distance of town services, however it adjoins an established business park and is appropriately located for these uses. National planning policy supports the sustainable growth and expansion of all types of business in rural areas, recognising that sites in rural areas may have to be found beyond existing settlements. The site benefits from an extant planning permission but development has not yet been constructed. The policy requirements reflect the requirements of the planning permission.
Reproduced from the Ordnance Survey mapping with the permission of the Controller of His Majesty’s Stationary Office. (Crown Copyright). Unauthorised reproduction infringes Crown copyright and may lead to prosecution or civil proceedings. No further copies may be made. Rother District Council Licence No. 100018643 2025
Policy Reference: BT4
Site name: Land at Caldbec House, Caldbec Hill.
Site identification: Existing allocation in the Battle Neighbourhood Plan.
Greenfield/ Brownfield: Greenfield.
Sub-area: Battle and surrounding settlements.
Allocated use and capacity: The site is allocated for residential development comprising some 5 new dwellings.
Density statistics:
|
Area type: |
Suburban |
|
Site size (ha): |
0.47 |
|
Indicative size of area for built development (ha): |
0.15 |
|
Indicative residential density: |
40 dwellings per hectare |
Site specific development requirements:
Development on this site must:
- Include a new vehicular access from Caldbec Hill
- Include new pedestrian and cycle links to Caldbec Hill
- Retain and enhance the boundary planting to the south-east of the site
- Include an assessment and evaluation of the site’s archaeological potential and the implementation of any mitigation measures identified through the assessment.
Supporting text:
The site comprises an existing dwelling and large wrap-around garden space in the town of Battle and within the High Weald National Landscape. Development of the site will impact on High Weald character features, however, having regard to existing residential development on Caldbec Hill, it is considered that a small scale residential development can be accepted across the southern part of the site, subject to a sensitive design. Environmental and other constraints affecting the site include an adjacent historic field boundary to the south-east of the site and the policy requirements detailed above reflect these. The site is well located in relation to town services.
Reproduced from the Ordnance Survey mapping with the permission of the Controller of His Majesty’s Stationary Office. (Crown Copyright). Unauthorised reproduction infringes Crown copyright and may lead to prosecution or civil proceedings. No further copies may be made. Rother District Council Licence No. 100018643 2025
Policy Reference: BT5
Site name: Rutherfords Business Park, Battle.
Site identification: Site allocated for employment use through Rother Local Plan (2006) – Policy EM4
Greenfield/ Brownfield: Part Brownfield, Part Greenfield.
Sub-area: Battle and surrounding settlements.
Allocated use and capacity: The site is allocated for employment development comprising some 2700 sqm of employment floorspace.
Density statistics:
|
Area type: |
Countryside |
|
Site size (ha): |
2.78 |
|
Indicative size of area for built development (ha): |
1.39 |
Site specific development requirements:
Development on this site must:
- Improve where appropriate the existing vehicular access from Marley Lane.
- Retain a suitable undeveloped buffer area to the designated priority habitat to the east and west boundaries of the site.
- Include provision for the retention and future management of a buffer zone of semi-natural habitat, at least 15 metres wide on the western boundary, between the edge of development and the ancient woodland.
- Retain the existing hedgerow/ trees on the west, east and south boundaries of the site.
- Avoid built development in those parts of the site (in the southern section) which are shown to be at risk of surface water flooding.
- Include an assessment and evaluation of the site’s archaeological potential and the implementation of any mitigation measures identified through the assessment.
Supporting text:
The site comprises the existing, but currently vacant, Rutherfords Business Park and an adjoining field to the north, on the fringes of Battle and within the High Weald National Landscape. The site was previously allocated for business purposes through the Rother District Local Plan 2006, with the existing business park identified as being suitable for redevelopment and potential intensification and the field to the north having capacity for an extension to the business park. The site is still considered suitable for employment uses and could result in additional floorspace of some 2700sqm. Development of the field will impact on High Weald character features, however, having regard to the existing development on site, it is considered that a medium scale intensification of the business park can be accepted, subject to a sensitive design and compliance with the policy requirements.
Environmental and other constraints affecting the site include a Historic Fieldscape Assart within the north section, Historic Field Boundary to the south, Priority Habitat encroaching the east boundary, Ancient woodland and priority habitat adjacent to the west boundary and surface water flood risk nearby to the south boundary, with the policy requirements detailed above to reflect these.
The site is relatively remote in relation to services, however it includes an established business park (currently vacant) and is appropriately located for business uses. National planning policy supports the sustainable growth and expansion of all types of business in rural areas, recognising that sites in rural areas may have to be found beyond existing settlements. However, the site’s relatively remote location, the lack of pedestrian links to services in Battle, and the very infrequent bus service, does mean it is not considered suitable for other uses, particularly residential uses, as residential occupiers in this location are likely to be almost wholly reliant on private vehicles for accessing all day-to-day services.
Reproduced from the Ordnance Survey mapping with the permission of the Controller of His Majesty’s Stationary Office. (Crown Copyright). Unauthorised reproduction infringes Crown copyright and may lead to prosecution or civil proceedings. No further copies may be made. Rother District Council Licence No. 100018643 2025
Policy Reference: BT6
Site name: Land north of Sunny Rise, Battle.
Site identification: The site was previously allocated in the Rother Local Plan (2006) - Policy BT3.
Greenfield/ Brownfield: Greenfield.
Sub-area: Battle and surrounding settlements.
Allocated use and capacity: The site is allocated for residential development comprising some 10 new dwellings.
Density statistics:
|
Area type: |
Suburban |
|
Site size (ha): |
0.58 |
|
Indicative size of area for built development (ha): |
0.35 |
|
Indicative residential density: |
35 dwellings per hectare |
Site specific development requirements:
Development on this site must:
- Provide a policy-compliant amount of on-site affordable housing in line with policy HOU2 of the Rother Local Plan
- Include a new access via Sunny Rise, suitable for vehicles, pedestrians and cyclists
- Include no built development in the northern part of the site which is shown to be at risk of surface water flooding
- Include provision for the retention and future management of a buffer zone of semi-natural habitat, at least 15 metres wide (which does not include residential gardens), on the northern and eastern boundaries, between the edge of development and the ancient woodland; retain the existing hedgerow and trees on the north, east and west boundaries of the site
- Include sustainable drainage (SUDS) features in the northern section of the site in accordance with Policy ENV2 of the Rother Local Plan
- Protect the setting of the Grade II listed building (Beacon Cottage)
Supporting text:
This site comprises a well-contained field located to the north of existing residential development at Sunny Rise and is considered suitable for small-scale residential development. It is within the High Weald National Landscape and therefore a sensitive form of development is required in line with Local Plan policies. Environmental and other constraints affecting the site include Ancient Woodland and Deciduous Woodland Priority Habitat located adjacent to the site, with part of the site at risk from surface water flooding, and a Grade II listed building nearby the access to the site, with the policy requirements detailed above reflecting these. The site is well located in relation to amenities and services located in Battle. Vehicular access must come via Sunny Rise, as an alternative access route from the south-east would be unacceptable due to impacts on residential amenity, established woodland and highway safety.
Reproduced from the Ordnance Survey mapping with the permission of the Controller of His Majesty’s Stationary Office. (Crown Copyright). Unauthorised reproduction infringes Crown copyright and may lead to prosecution or civil proceedings. No further copies may be made. Rother District Council Licence No. 100018643 2025
Policy Reference: BT7
Site name: Land at Almonry Farm, Battle.
Site identification: Site submitted for assessment in the HELAA.
Greenfield/ Brownfield: Greenfield.
Sub-area: Battle and surrounding settlements.
Allocated use and capacity: The site is allocated for residential development comprising some 80 new dwellings.
Density statistics:
|
Area type: |
Suburban |
|
Site size (ha): |
4.80 |
|
Indicative size of area for built development (ha): |
2.4 |
|
Indicative residential density: |
35 dwellings per hectare |
Site specific development requirements:
Development on this site must:
- Provide a policy-compliant amount of on-site affordable housing in line with policy HOU2 of the Rother Local Plan
- Be informed by a landscape sensitivity assessment to determine an appropriate layout, form and detailed design to ensure the conservation and enhancement of the landscape and character of the High Weald National Landscape and the protection of the setting of heritage assets.
- Include a new vehicular access from Tollgates.
- Include pedestrian and cycle links to Tollgates.
- Include pedestrian links to the public right of way that runs adjacent to the northern boundary of the site.
- Include an area of public open space (and no built development) across the western part of the site in line with the ratios indicated above, in order to protect the setting of the adjacent listed building and views from the Battle Abbey Gatehouse Scheduled Monument.
- Include provision for the retention and future management of a buffer zone of semi-natural habitat, at least 15 metres wide (which does not include residential gardens), on the eastern boundary, between the edge of development and the ancient woodland.
- Retain the existing historic field boundaries comprised of hedgerows and trees throughout the site where possible, ensuring impacts from necessary access points are minimised as far as possible.
- Retain, and where appropriate enhance, the historic field boundary comprised of hedgerows and trees to the southern boundary of the site.
- Protect the setting of the Grade II listed building (Lower Almonry Farmhouse) adjacent to the access of the site, including through the design of the access point.
- Include an assessment and evaluation of the site’s archaeological potential and the implementation of any mitigation measures identified through the assessment.
- Include any necessary off-site highway works necessary to make the development acceptable (or financial contributions to such works).
Supporting text:
The site comprises two fields to the south of existing built development at Battle. It lies within a network of similar historic fields and is considered suitable for medium-scale residential development. The site is located within the High Weald National Landscape and contains High Weald features including well-wooded historic field boundaries defined by mature trees and hedging, and therefore a sensitive form of development is required in line with Local Plan policies.
Environmental constraints relating to the site include Ancient Woodland and Deciduous Woodland Priority Habitat located adjacent to the eastern boundary of the site, with parts of the site being at risk from surface water flooding, with the policy requirements detailed above to mitigate impacts. Given its location, the site has potential to be of high value for biodiversity including protected species, and appropriate measures to achieve Biodiversity Net Gain will be required. A full tree survey would be required to inform the development with a view to retaining all existing hedges and mature trees where possible and enhancing them with appropriate supplementary planting.
Heritage constraints relating to the site include its proximity to heritage assets including the Registered Battlefield where the 1066 Battle of Hastings was fought, a Grade II listed building and Battle Conservation Area, with the policy requirements detailed above set out to protect and limit impacts on these assets. A heritage impact assessment and archaeological assessment will be required to inform the design of the development, including the vehicular access, to ensure heritage assets, including the setting of the adjoining Grade II listed building are protected.
The site is well located in relation to amenities and services in Battle if pedestrian and cycle links are provided as detailed above. Initial indications suggest that a vehicular access via Tollgates appears achievable, although further assessments of junction capacity on North Trade Road and the A2100 roundabout will be required to inform any necessary mitigations or improvements to the local highway network.
Reproduced from the Ordnance Survey mapping with the permission of the Controller of His Majesty’s Stationary Office. (Crown Copyright). Unauthorised reproduction infringes Crown copyright and may lead to prosecution or civil proceedings. No further copies may be made. Rother District Council Licence No. 100018643 2025
Policy Reference: BT8
Site name: Land adjacent to 1 Loose Farm Cottages, Battle.
Site identification: Site submitted through the HELAA.
Greenfield/ Brownfield: Greenfield.
Sub-area: Battle and surrounding settlements.
Allocated use and capacity: The site is allocated for residential development comprising some 5 new dwellings which could include live-work units.
Density statistics:
|
Area type: |
Suburban |
|
Site size (ha): |
0.17 |
|
Indicative size of area for built development (ha): |
0.11 |
|
Indicative residential density: |
35 dwellings per hectare |
Site specific development requirements:
Development on this site must:
- Provide a policy-compliant amount of on-site affordable housing in line with policy HOU2 of the Rother Local Plan
- Include a new vehicular access from Hastings Road.
- Include new pedestrian and cycle links to Hastings Road.
- Establish a strong boundary hedge to form a visual buffer to the southern and western edges of the site.
Supporting text:
The site comprises the northern section of a gently sloping field, to the south of ribbon development along Hastings Road and close to scattered development along the adjacent private lane, including cottages to the north and a residential care home and historic farmstead to the south, on the southern edge of Battle and within the High Weald National Landscape. Development of the site will impact on High Weald character features, however, having regard to existing residential development on Hastings Road, it is considered that a small-scale residential development can be accepted subject to a sensitive design. The site is located some distance from Battle town centre, however there is a bus service operating along Hastings Road nearby.
Reproduced from the Ordnance Survey mapping with the permission of the Controller of His Majesty’s Stationary Office. (Crown Copyright). Unauthorised reproduction infringes Crown copyright and may lead to prosecution or civil proceedings. No further copies may be made. Rother District Council Licence No. 100018643 2025
Policy Reference: BT9
Site name: Land east of Coronation Gardens, Battle.
Site identification: Site submitted through the HELAA.
Greenfield/ Brownfield: Greenfield.
Sub-area: Battle and surrounding settlements.
Allocated use and capacity: The site is allocated for residential development comprising some 75 new dwellings
Density statistics:
|
Area type: |
Suburban |
|
Site size (ha): |
4.58 |
|
Indicative size of area for built development (ha): |
2.29 |
|
Indicative residential density: |
35 dwellings per hectare |
Site specific development requirements:
Development on this site must:
- Provide a policy-compliant amount of on-site affordable housing in line with policy HOU2 of the Rother Local Plan
- Be informed by a landscape sensitivity assessment to determine an appropriate layout, form and detailed design to ensure the conservation and enhancement of the landscape and character of the High Weald National Landscape.
- Include a new vehicular access from Marley Lane
- Include new pedestrian and cycle links through to Coronation Gardens, or if possible, attaching to the existing nearest pedestrian footpath alongside Marley Lane, opposite Harrier Lane.
- Include an area of public open space across the northern part of the site in line with the ratios indicated above.
- Retain the established hedgerows and trees to all boundaries of the site, barring removal of those required for safe access to the site in line with local Highway Authority standards
- Leave a minimum safe distance to the sewerage works located to the north-west of the site, as advised by the sewerage undertaker
- Include no built development in the northern fringe of the site which is shown to be at risk of surface water flooding and include sustainable drainage in accordance with Policy ENV2 of the Rother Local Plan
Supporting text:
The site comprises a well-contained set of three fields adjacent to existing built development on the edge of Battle, considered suitable for medium scale residential development. Development of the site will impact on High Weald character features and the Battle Neighbourhood Plan Green Gap, however, having regard to existing residential development at Coronation Gardens, it is considered that a well-contained, medium scale residential development can be accepted across the southern part of the site, to provide a rounded edge to the settlement without compromising the remainder of the Green Gap, subject to a sensitive design. A new area of public open space will also need to be included. Environmental and other constraints affecting the site include an area of surface water flooding to the northern boundary located adjacent to a sewerage works and historic field boundary, with the policy requirements detailed above to reflect these.
The site is relatively well located in relation to amenities and services available in Battle and to Battle railway station. However, currently there is a lack of pedestrian connectivity due to no footway along this stretch of Marley Lane, and this must be remedied as part of the development in order to make it acceptable. This could either be via a pedestrian link through to Coronation Gardens, or if possible, attaching to the existing nearest pedestrian footpath alongside Marley Lane, opposite Harrier Lane, subject to the requirements of the Highway Authority. Cycle connections will also be required.
Reproduced from the Ordnance Survey mapping with the permission of the Controller of His Majesty’s Stationary Office. (Crown Copyright). Unauthorised reproduction infringes Crown copyright and may lead to prosecution or civil proceedings. No further copies may be made. Rother District Council Licence No. 100018643 2025
Policy Reference: BT10
Site name: Land adjoining Little Brans, Battle.
Site identification: Site submitted through the HELAA.
Greenfield/ Brownfield: Greenfield.
Sub-area: Battle and surrounding settlements.
Allocated use and capacity: The site is allocated for residential development comprising some 65 new dwellings.
Density statistics:
|
Area type: |
Suburban |
|
Site size (ha): |
5.75 |
|
Indicative size of area for built development (ha): |
2.29 |
|
Indicative residential density: |
30 dwellings per hectare |
Site specific development requirements:
Development on this site must:
- Provide a policy-compliant amount of on-site affordable housing in line with policy HOU2 of the Rother Local Plan
- Be informed by a landscape sensitivity assessment to determine an appropriate layout, form and detailed design to ensure the conservation and enhancement of the landscape and character of the High Weald National Landscape.
- Include a new vehicular access from Hastings Road.
- Include new pedestrian and cycle links to Hastings Road.
- Include off-site pedestrian infrastructure as required by the Highway Authority (which could include new pedestrian footways and/ or a crossing point on Hastings Road).
- Include areas of public open space across the south-western part of the site in line with the ratios indicated above.
- Retain the established hedgerows and trees to all boundaries of the site.
- Retain a suitable undeveloped buffer area to the designated priority habitat adjacent to the southern boundary of the site
- Include provision for the retention and future management of a buffer zone of semi-natural habitat, at least 15 metres wide (which does not include residential gardens), on the southern boundary, between the edge of development and the ancient woodland.
- Be carried out in accordance with the recommendations contained within a Flood Risk Assessment and avoid built development in the areas at risk of surface water flooding.
- Include sustainable drainage throughout the site in accordance with Policy ENV2 of the Rother Local Plan
Supporting text:
The site comprises a well-contained field at the rear of existing built development fronting Hastings Road, on the southern edge of Battle. Development of the site will impact on High Weald character features, in particular a historic fieldscape (assart), however, having regard to existing residential development on Hastings Road, it is considered that a well-contained, medium scale residential development can be accepted across the north-eastern half of the site, subject to a sensitive design. Limiting development to the north-eastern section (closest to existing ribbon development) will serve to limit the effect on the settlement pattern.
Environmental and other constraints affecting the site include an area of designated ancient woodland and priority habitat adjacent to the southern boundary and areas at risk of surface water flooding, with the policy requirements detailed above to reflect these.
The site is located some distance to amenities and services available in Battle and Battle Train Station. However, there is a bus stop located in close proximity to the entrance of the site, and subject to pedestrian and cycle links being provided as detailed above together with necessary improvements to pedestrian infrastructure, it is considered acceptable in sustainability terms.
Reproduced from the Ordnance Survey mapping with the permission of the Controller of His Majesty’s Stationary Office. (Crown Copyright). Unauthorised reproduction infringes Crown copyright and may lead to prosecution or civil proceedings. No further copies may be made. Rother District Council Licence No. 100018643 2025
Policy Reference: BT11
Site name: Battle Market Square, Battle.
Site identification: Council-owned land.
Greenfield/ Brownfield: Brownfield.
Sub-area: Battle and surrounding settlements.
Allocated use and capacity: The site is allocated for a mixed-use development comprising:
- The retention and expansion of existing retail floorspace
- Some 52 new dwellings (apartments)
- Public car parking
- The retention and enhancement of the existing Market Square.
Density statistics:
|
Area type: |
Urban |
|
Site size (ha): |
1 |
|
Indicative size of area for built development (ha): |
0.8 |
|
Indicative residential density: |
65 dwellings per hectare |
Site specific development requirements:
Development on this site must:
- Provide a policy-compliant amount of on-site affordable housing in line with policy HOU2 of the Rother Local Plan.
- Comply with a whole-site masterplan, to be developed by the site promoter, to identify uses and areas for development, areas for green infrastructure, and vehicular, pedestrian and cycle links. The masterplan should be informed by a character assessment to determine an appropriate layout, form and detailed design to ensure the conservation and enhancement of the character of the High Weald National Landscape and the protection of the setting of heritage assets including Battle Conservation Area.
- Include a vehicular access from Market Road.
- Include new and improved pedestrian and cycle links to Market Road and the High Street.
- Include links to the public footpath that runs along the southern boundary of the site.
- Ensure an active frontage is provided along Market Road.
- Ensure that it does not unreasonably harm the amenities of nearby residential development in terms of loss of light, massing or overlooking.
- Retain and enhance the existing Market Square space in the eastern part of the site.
- Retain the hedgerow and trees to the south boundary of the site.
- Protect the setting of the of the Grade II listed building (The Almonry) nearby to the east boundary of the site.
- Include an assessment and evaluation of the site’s archaeological potential and the implementation of any mitigation measures identified through the assessment.
- Be carried out in accordance with the recommendations of a Flood Risk Assessment (FRA) across the site.
- Include sustainable drainage in accordance with Policy ENV2 of the Rother Local Plan.
Supporting text:
The site occupies a large corner plot at the northern end of Battle High Street, within the designated Town Centre. It includes a large building, set down and back from Market Road, occupied by retail uses (including a supermarket) with a large public car and coach park to the south, and a market square area to the east. It is considered that re-development of the site to include additional residential and retail uses will enhance its appearance and use, subject to a sensitive design.
The policy anticipates a relatively high number of dwellings. To accommodate this number, these would need to comprise apartments, with retail on the ground floor of the buildings. Within the Rother and Hastings HEDNA (2024) it is shown that there is a need for specialist housing for older people in Rother district over the Plan period. Battle is identified as one of the most sustainable settlements in the District, and given the site’s location, housing for older people could be suitable.
Environmental and other constraints affecting the site include areas to the east and west boundaries being at risk of surface water flooding, the east of the site being within an archaeological notification area and within, and adjacent to, the Battle Conservation Area. In addition, there are several listed buildings nearby to the east, including The Almonry, and the Battle of Hastings Registered Battlefield nearby to the south boundary alongside a public footpath. Additionally, the site is located adjacent to residential development on Market Road, Abbey Way and Woodhams Close.
The site is in close proximity to, and contains, a very good range and level of amenities and services. Improvements to pedestrian and cycle links through the site will further enhance the accessibility of the site within the wider High Street.
Site Location Plan: BT11
Reproduced from the Ordnance Survey mapping with the permission of the Controller of His Majesty’s Stationary Office. (Crown Copyright). Unauthorised reproduction infringes Crown copyright and may lead to prosecution or civil proceedings. No further copies may be made. Rother District Council Licence No. 100018643 2025
36. Do you have any comments on the proposed site allocations in Battle, detailed in Policies BT1 to BT11? Comment
Brightling
Parish: Brightling
Policy Reference: BRI1
Site name: Coldharbour Farm Estate, Battle Road, Brightling.
Site identification: Planning permission for 2 replacement units comprising 1861sqm of new floorspace (use class B1 and B8) – planning reference RR/2018/480/P.
Greenfield/ Brownfield: Brownfield.
Sub-area: Battle and surrounding settlements.
Allocated use and capacity: The site is allocated for employment development comprising some 1861sqm of employment (use class E and B8) floorspace.
Density statistics:
|
Area type: |
Countryside |
|
Site size (ha): |
0.97 |
|
Indicative size of area for built development (ha): |
0.18 |
Site specific development requirements:
Development on this site must:
- Be informed by a landscape sensitivity assessment to determine an appropriate layout, form and detailed design to ensure the conservation and enhancement of the landscape and character of the High Weald National Landscape.
- Include a new vehicular access from Battle Road (B2096).
- Retain the existing tree line which runs through the site.
- Protect the setting of the two Grade II listed buildings (Coldharbour Farmhouse and Coldharbour Barn) to the west of the site.
- Mitigate any significant effects on the Pevensey Levels Hydrological Catchment Area rising from construction or use of the site and include mitigation measures as necessary to protect against significant effects to water quality in the Pevensey Levels SAC/ Ramsar
Supporting text:
The site is located on the southern side of Battle Road (B2096), outside of any settlement and within the High Weald National Landscape. It is currently occupied by redundant agricultural buildings and a car parking area for an adjacent business. Planning permission was granted in 2018 for two new business units on the site which have not yet been constructed. Having regard to the existing employment development on site and adjacent to the site, it is considered that the previously permitted development remains acceptable in principle. Development would need to be limited to the western part of the site to limit the effect on the landscape and nearby listed building, as reflected in the planning permission.
Environmental and other constraints affecting the site include being located partly within a Minerals Safeguarding Area. Further, because the site is within the Pevensey Levels Hydrological Catchment Area, mitigation measures to protect against significant effects to the Pevensey Levels SAC/ Ramsar Habitats Site may be required. There are also two Grade II listed buildings (Coldharbour Farmhouse and Barn) nearby to the west boundary of the site with the policy requirements detailed above to reflect these, and the requirement of the planning permission.
The site is not within walking distance of services, however it is appropriately located for the industrial uses on site. National planning policy supports the sustainable growth and expansion of all types of business in rural areas, recognising that sites in rural areas may have to be found beyond existing settlements.
Reproduced from the Ordnance Survey mapping with the permission of the Controller of His Majesty’s Stationary Office. (Crown Copyright). Unauthorised reproduction infringes Crown copyright and may lead to prosecution or civil proceedings. No further copies may be made. Rother District Council Licence No. 100018643 2025
37. Do you have any comments on the proposed site allocation in Brightling, detailed in Policy BRI1? Comment
Catsfield
Parish: Catsfield
Policy Reference: CT1
Site name: Land west of B2204, Catsfield.
Site identification: Existing allocation, Policy CAT1 of the DaSA Local Plan.
Greenfield/ Brownfield: Greenfield.
Sub-area: Battle and surrounding settlements.
Allocated use and capacity: The site is allocated for residential development comprising some 30 new dwellings.
Density statistics:
|
Area type: |
Village |
|
Site size (ha): |
1.66 |
|
Indicative size of area for built development (ha): |
0.83 |
|
Indicative residential density: |
35 dwellings per hectare |
Site specific development requirements:
Development on this site must:
- Provide a policy-compliant amount of on-site affordable housing in line with policy HOU2 of the Rother Local Plan
- Include a new vehicular access from the B2204.
- Include a pedestrian link to the 1066 Country Walk.
- Include an area of amenity open space across the road frontage
- Retain and enhance the existing hedgerow/ trees on the north, west and south boundaries of the site.
- Protect the setting of the Grade II Listed Buildings (The White Hart Public House and The Cottage) adjacent to the access of the site.
- Include an assessment and evaluation of the site’s archaeological potential and the implementation of any mitigation measures identified through the assessment.
Supporting text:
The site comprises an overgrown, undeveloped field at the rear of the White Hart public house and residential properties fronting the B2204 (The Green), which has a frontage to the road. It is within the High Weald National Landscape but is well contained and screened from the wider landscape by mature trees. It is in close proximity to village services and bus stops.
An area of at least 0.3 hectares of amenity open space should be provided at the front of the site as part of its development. In addition, a thick tree screen and area for biodiversity net gain must be included in the north-west area of the site which is estimated to reduce the number of new dwellings from 35 as currently allocated in the DaSA to 30 in this Local Plan. In addition to providing a facility for new residents and enhancing the appearance of the development, this will also ensure the protection of the setting of the adjacent public house and cottage, both Grade II Listed Buildings. In terms of its design, the open space should benefit from passive surveillance of residential properties fronting onto it.
Historic field boundaries are present to the south-west, north-west, north-east and south-east of the site, which should be retained and reinforced with buffer planting of native species.
A tree survey will need to inform the future development scheme to ensure the retention of boundary trees, including the provision of a suitable buffer to protect their roots, and to avoid undue overshadowing from trees in the site layout. A new hedgerow of native species should be provided on the south-eastern boundary.
The site has high potential for prehistoric, Roman and medieval archaeological remains. Appropriate archaeological assessment will need to be undertaken in support of a planning application for its future development. The findings of the assessment may need to inform the layout and design of the proposal.
A sewer line crosses the eastern part of the site and this will also need to be considered in planning a development layout.
Reproduced from the Ordnance Survey mapping with the permission of the Controller of His Majesty’s Stationary Office. (Crown Copyright). Unauthorised reproduction infringes Crown copyright and may lead to prosecution or civil proceedings. No further copies may be made. Rother District Council Licence No. 100018643 2025
Policy Reference: CT2
Site name: Land south of Wilton House Equestrian Centre, Catsfield.
Site identification: Site submitted through HELAA.
Greenfield/ Brownfield: Greenfield.
Sub-area: Battle and surrounding settlements.
Allocated use and capacity: The site is allocated for residential development comprising some 20 new dwellings.
Density statistics:
|
Area type: |
Village |
|
Site size (ha): |
1.23 |
|
Indicative size of area for built development (ha): |
0.6 |
|
Indicative residential density: |
35 dwellings per hectare |
Site specific development requirements:
Development on this site must:
- Provide a policy-compliant amount of on-site affordable housing in line with policy HOU2 of the Rother Local Plan
- Include a new vehicular, pedestrian and cycle access from the adjacent site, CT1, across the Public Right of Way, with necessary improvements and safety measures as required by the Highway Authority.
- Provide pedestrian links to the 1066 Public Right of Way to the north-eastern boundary of the site.
- Include an area of public open space across the southern part of the site in line with the ratios indicated above.
- Protect the setting of the Grade II listed buildings (Broomham and Barn at Broomham) located nearby to the north-west is protected.
- Include an assessment and evaluation of the site’s archaeological potential and the implementation of any mitigation measures identified through the assessment.
- Include sustainable drainage in accordance with Policy ENV2 of the Rother Local Plan.
- Include no built development in the western part of the site which is shown to be at risk of surface water flooding.
Supporting text:
The site comprises a portion of a relatively well-contained field, divided into paddocks, adjacent to existing built development in the village of Catsfield, suitable for small-medium scale residential development. The site is located within the High Weald National Landscape and therefore a sensitive form of development is required in line with Local Plan policies. Built development should largely be limited to the north-eastern part of the site, with remaining land retained as public open space and to accommodate Biodiversity Net Gain and sustainable drainage measures. Environmental and other constraints affecting the site include an area of surface water flooding associated with a small stream the runs along the southern boundary of the site, in addition to Grade II Listed Buildings (Broomham and Barn at Broomham to the South East of the House) being located nearby to the north-west and a public right of way running adjacent to the northern boundary, with the policy requirements detailed above to reflect these. The site has high potential for prehistoric, Roman and medieval archaeological remains. Appropriate archaeological assessment will need to be undertaken in support of a planning application for its future development. The findings of the assessment may need to inform the layout and design of the proposal.
The site is well located in relation to village services but improvements to pedestrian and cycle infrastructure to encourage active travel are required, as detailed above.
The site’s main constraint is vehicular access. This will not be possible via the existing private lane east of the site due to the narrow width of the lane and there being no scope for widening or improvement. Consequently, the only possible vehicular access route would be via the adjacent allocated site to the north-east (Policy CT1, Land west of the B2204), across the public right of way, which also forms part of the 1066 Country Walk. Further investigation into the acceptability and achievability of this is required. If a route is possible it will need to be carefully designed to ensure the safety and protection of amenity of users of the footpath, furthermore, the loss of a section of the mature tree line on the south-western boundary of the adjacent site would need to be minimised and compensated.
Reproduced from the Ordnance Survey mapping with the permission of the Controller of His Majesty’s Stationary Office. (Crown Copyright). Unauthorised reproduction infringes Crown copyright and may lead to prosecution or civil proceedings. No further copies may be made. Rother District Council Licence No. 100018643 2025
Policy Reference: CT3
Site name: Land south of Church Road, Catsfield.
Site identification: Site submitted through HELAA.
Greenfield/ Brownfield: Greenfield.
Sub-area: Battle and surrounding settlements.
Allocated use and capacity: The site is allocated for residential development comprising some 35 new dwellings.
Density statistics:
|
Area type: |
Village |
|
Site size (ha): |
3.11 |
|
Indicative size of area for built development (ha): |
1 |
|
Indicative residential density: |
35 dwellings per hectare |
Site specific development requirements:
Development on this site must:
- Provide a policy-compliant amount of on-site affordable housing in line with policy HOU2 of the Rother Local Plan.
- Provide vehicular access from Church Road.
- Provide pedestrian and cycle links to Church Road and Powdermill Lane.
- Provide crossing points to the pathways opposite the site on Church Road.
- Restrict built development to the south and eastern part of the site only.
- Be carried out in accordance with the recommendations within a Flood Risk Assessment (FRA) across the site and include no built development in areas of the site which are shown to be at risk of flooding.
- Include provision for the retention and future management of a buffer zone of semi-natural habitat, at least 15 metres wide (which does not include residential gardens), on the southern boundary, between the edge of development and the Ancient Woodland.
- Protect the setting of the Grade II Listed Buildings (Brooksidedatchett Dene, Pear Tree Cottage and 4 and 5 Broadley View) adjacent to the north boundary of the site.
Supporting text:
This site comprises a large field located between Church Road and Powdermill Lane in the southern part of the village of Catsfield. The site lies just outside the High Weald National Landscape although is within its setting. It is well related to the built form of the village, and in landscape terms, could accommodate a medium scale residential development across the south and eastern part of the site only, subject to a sensitive design. The remainder of the site would remain undeveloped although could accommodate sustainable drainage features, public open space and biodiversity net gain.
However, large areas of the site are at risk of surface water flooding, and there are high groundwater levels, and as such, the sequential test would need to be undertaken in accordance with national planning policy before it can be determined if the site is suitable for allocation. If the sequential test is passed, an exception test would need to demonstrate that development of the site would provide wider sustainability benefits to the community that outweigh flood risk, and that development would be safe for its lifetime.
Other environmental and heritage constraints affecting the site include Ancient Woodland and Priority Habitat to the southern boundary and three Grade II Listed Buildings to the northern boundary. The policy requirements above reflect these. The site is well located in relation to village services, however, a crossing point from the site would be required to enable occupiers to access the kerbside path on Church Road.
Reproduced from the Ordnance Survey mapping with the permission of the Controller of His Majesty’s Stationary Office. (Crown Copyright). Unauthorised reproduction infringes Crown copyright and may lead to prosecution or civil proceedings. No further copies may be made. Rother District Council Licence No. 100018643 2025
38. Do you have any comments on the proposed site allocations in Catsfield, detailed in Policies CT1 to CT3? Comment
Netherfield
Parish: Battle
Policy Reference: NE1
Site name: Swallow Barn, Netherfield.
Site identification: Existing allocation in the Battle Neighbourhood Plan.
Greenfield/ Brownfield: Part greenfield and part brownfield.
Sub-area: Battle and surrounding settlements.
Allocated use and capacity: The site is allocated for residential development comprising some 10 new dwellings.
Density statistics:
|
Area type: |
Village |
|
Site size (ha): |
0.43 |
|
Indicative size of area for built development (ha): |
0.28 |
|
Indicative residential density: |
35 dwellings per hectare |
Site specific development requirements:
Development on this site must:
- Provide a policy-compliant amount of on-site affordable housing in line with policy HOU2 of the Rother Local Plan.
- Include a new vehicular access from Battle Road (B2096).
- Include new pedestrian and cycle links to Battle Road (B2096).
- Include pedestrian links to the adjacent recreation ground and playground
- Retain the existing trees and hedgerow flanking the east and north boundaries of the site.
- Include an assessment and evaluation of the site’s archaeological potential and the implementation of any mitigation measures identified through the assessment.
- Mitigate any significant effects on the Pevensey Levels Hydrological Catchment Area rising from construction or occupancy of the site and include mitigation measures as necessary to protect against significant effects to water quality in the Pevensey Levels SAC/ Ramsar.
Supporting text:
The site comprises a relatively contained site consisting of a dwelling and wrap around land, located adjacent to existing built development in the village of Netherfield, suitable for small scale residential development. It is within the High Weald National Landscape and therefore a sensitive form of development is required in line with Local Plan policies. Environmental and other constraints include a strong hedgerow and tree boundary to the east and north boundaries of the site with the policy requirements detailed above to reflect these. Further, because the site is within the Pevensey Levels Hydrological Catchment Area, mitigation measures to protect against significant effects to the Pevensey Levels SAC/ Ramsar Habitats Site may be required.
The site is well located in relation to village services but improvements to pedestrian and cycle infrastructure to encourage active travel are required, particularly to link the site to the nearby recreation area, as detailed above.
Reproduced from the Ordnance Survey mapping with the permission of the Controller of His Majesty’s Stationary Office. (Crown Copyright). Unauthorised reproduction infringes Crown copyright and may lead to prosecution or civil proceedings. No further copies may be made. Rother District Council Licence No. 100018643 2025
Policy Reference: NE2
Site name: White House Poultry Farm, Netherfield.
Site identification: Existing allocation in the Battle Neighbourhood Plan, with planning permission for 24 dwellings – planning reference RR/2023/164/P
Greenfield/ Brownfield: Greenfield.
Sub-area: Battle and surrounding settlements.
Allocated use and capacity: The site is allocated for residential development comprising some 24 dwellings.
Density statistics:
|
Area type: |
Village |
|
Site size (ha): |
0.98 |
|
Indicative size of area for built development (ha): |
0.68 |
|
Indicative residential density: |
35 dwellings per hectare |
Site specific development requirements:
Development on this site must:
- Provide a policy-compliant amount of on-site affordable housing in line with policy HOU2 of the Rother Local Plan
- Include a new vehicular access from Battle Road (B2096)
- Include new pedestrian and cycle links to Battle Road and Swift Close
- Include an area of public open space in line with the ratios indicated above
- Include an assessment and evaluation of the site’s archaeological potential and the implementation of any mitigation measures identified through the assessment.
- Mitigate any significant effects on the Pevensey Levels Hydrological Catchment Area rising from construction or occupancy of the site and include mitigation measures as necessary to protect against significant effects to water quality in the Pevensey Levels SAC/ Ramsar.
- Protect the setting of the Grade II Listed Building (Darwell Beach) to the west of the site.
Supporting text:
The site comprises part of a larger field adjacent to existing built development in the village of Netherfield, suitable for small scale residential development. It is within the High Weald National Landscape and therefore a sensitive form of development is required in line with Local Plan policies. Environmental and other constraints affecting the site include being located adjacent to a Grade ll Listed Building (Darwell Beach) to the west of the site with policy requirements detailed above to reflect these. Further, because the site is within the Pevensey Levels Hydrological Catchment Area, mitigation measures to protect against significant effects to the Pevensey Levels SAC/ Ramsar Habitats Site may be required.
The site is relatively well located in relation to village services but improvements to pedestrian and cycle infrastructure to encourage active travel are required, as detailed above. The site benefits from an extant planning permission but development has not yet commenced, and the policy requirements reflect the requirements of the planning permission.
Reproduced from the Ordnance Survey mapping with the permission of the Controller of His Majesty’s Stationary Office. (Crown Copyright). Unauthorised reproduction infringes Crown copyright and may lead to prosecution or civil proceedings. No further copies may be made. Rother District Council Licence No. 100018643 2025
39. Do you have any comments on the proposed site allocations in Netherfield, detailed in Policies NE1 and NE2? Comment
Sedlescombe
Parish: Sedlescombe
Policy Reference: SD1
Site name: Land at Sunningdale, Sedlescombe.
Site identification: Existing allocation Policy 2 in the Sedlescombe Neighbourhood Plan with outline permission for 8 dwellings – planning reference RR/2019/2485/P
Greenfield/ Brownfield: Greenfield.
Sub-area: Battle and surrounding settlements
Allocated use and capacity: The site is allocated for residential development comprising some 8 new dwellings.
Density statistics:
|
Area type: |
Village |
|
Site size (ha): |
0.47 |
|
Indicative size of area for built development (ha): |
0.32 |
|
Indicative residential density: |
35 dwellings per hectare |
Site specific development requirements:
Development on this site must:
- Provide a policy-compliant amount of on-site affordable housing in line with policy HOU2 of the Rother Local Plan.
- Include a new vehicular access from Gregory Walk.
- Include new pedestrian and cycle links to Gregory Walk.
- Retain and enhance the existing hedgerow/ trees on all boundaries of the site
- Be in accordance with the recommendations contained within a Flood Risk Assessment.
- Include sustainable drainage in the south-western section of the site in accordance with Policy ENV2 of the Rother Local Plan.
- Include an assessment and evaluation of the site’s archaeological potential and the implementation of any mitigation measures identified through the assessment.
Supporting text:
The site comprises a field in close proximity to existing built development in the village of Sedlescombe and within the High Weald National Landscape. Development of the site will impact on High Weald character features, however, having regard to existing residential development on the opposite site of Gregory Walk, it is considered that a small-scale residential development can be accepted across the eastern part of the site, subject to a sensitive design. Environmental and other constraints affecting the site include the site being in an archaeological notification area, adjacent to Sedlescombe Conservation Area, being located adjacent to historic field boundaries and small areas on the southern boundary being within Flood Risk Zones 2 and 3 and at risk of surface water flooding with the policy requirements detailed above to reflect these. The site is well located in relation to village services but improvements to pedestrian and cycle infrastructure to encourage active travel are required, as detailed above.
Reproduced from the Ordnance Survey mapping with the permission of the Controller of His Majesty’s Stationary Office. (Crown Copyright). Unauthorised reproduction infringes Crown copyright and may lead to prosecution or civil proceedings. No further copies may be made. Rother District Council Licence No. 100018643 2025
Policy Reference: SD2
Site name: Land at Church Hill Farm, North of Village Hall, Sedlescombe.
Site identification: Existing allocation Policy 4 in the Sedlescombe Neighbourhood Plan.
Greenfield/ Brownfield: Greenfield.
Sub-area: Battle and surrounding settlements.
Allocated use and capacity: The site is allocated for residential development comprising some 12 new dwellings
Density statistics:
|
Area type: |
Village |
|
Site size (ha): |
0.82 |
|
Indicative size of area for built development (ha): |
0.32 |
|
Indicative residential density: |
35 dwellings per hectare |
Site specific development requirements:
Development on this site must:
- Provide a policy-compliant amount of on-site affordable housing in line with policy HOU2 of the Rother Local Plan
- Include a new vehicular access from The Street via Church Hill.
- Include new pedestrian and cycle links to The Street via Church Hill.
- Retain a suitable undeveloped buffer area to the designated priority habitat adjacent to the south-eastern boundary of the site
- Retain and enhance the existing hedgerow/ trees on the south and western boundaries of the site
- Be in accordance with the recommendations contained within a Flood Risk Assessment
- Include sustainable drainage in the western section of the site in accordance with Policy ENV2 of the Rother Local Plan
- Include an assessment and evaluation of the site’s archaeological potential and the implementation of any mitigation measures identified through the assessment.
Supporting text:
The site comprises a section of a larger field in close proximity to existing built development in the village of Sedlescombe and within the High Weald National Landscape. Development of the site will impact on High Weald character features, however, having regard to the existing village hall to the south of the site, it is considered that a small-scale residential development can be accepted across the southern part of the site, subject to a sensitive design. Environmental and other constraints affecting the site include the site being in an archaeological notification area, containing Priority Habitat to the southern boundary, being located adjacent to historic field boundaries and small areas on the southern-western boundary being at risk of surface water flooding with the policy requirements detailed above to reflect these. The site is well located in relation to village services but improvements to pedestrian and cycle infrastructure to encourage active travel are required, as detailed above.
Reproduced from the Ordnance Survey mapping with the permission of the Controller of His Majesty’s Stationary Office. (Crown Copyright). Unauthorised reproduction infringes Crown copyright and may lead to prosecution or civil proceedings. No further copies may be made. Rother District Council Licence No. 100018643 2025
Policy Reference: SD3
Site name: Land at Sedlescombe Sawmills, Sedlescombe.
Site identification: Existing allocation Policy 5 in the Sedlescombe Neighbourhood Plan.
Greenfield/ Brownfield: Brownfield.
Sub-area: Battle and surrounding settlements.
Allocated use and capacity: The site is allocated for mixed-use development comprising:
- Some 8 new dwellings
- Some 1,115 square metres of new employment floorspace
Density statistics:
|
Area type: |
Countryside/ Village |
|
Site size (ha): |
1.16 |
|
Indicative size of area for built development (ha): |
0.69 |
|
Indicative residential density: |
30 dwellings per hectare |
Site specific development requirements:
Development on this site must:
- make provision for a residential scheme, provided:
- the number of dwellings is assessed to be the minimum required to cross-subsidise the employment scheme, based on a submitted viability appraisal;
- the design of all the dwellings makes sufficient provision for dedicated office and/or workshop space for the benefit of the occupants; and
- includes the demolition of existing buildings and structures that detract from the scenic beauty of the adjoining landscape.
- Include a new vehicular access from Junction Road.
- Include a link to the nearby Public Right of Way.
- Preserve the area of the site designated as Priority Habitat and include a suitable undeveloped buffer around the area.
- Include provision for the retention and future management of a buffer zone of semi-natural habitat, at least 15 metres wide (which does not include residential gardens), on the south-west boundary, between the edge of development and the ancient woodland.
- Retain and enhance the existing hedgerow/ trees to all boundaries of the site.
- Include sustainable drainage in accordance with Policy ENV2 of the Rother Local Plan.
- Include an assessment and evaluation of the site’s archaeological potential and the implementation of any mitigation measures identified through the assessment.
Supporting text:
The site comprises a partially derelict sawmill with open space intertwined by derelict business units and sawmill structures, in close proximity to a vineyard to the west and therapy centre to the north, north of the village of Sedlescombe and within the High Weald National Landscape. Development of the site will impact on High Weald character features, however, having regard to existing development referenced above, it is considered that a small-scale mixed-use development can be accepted across the site, subject to a sensitive design.
Environmental and other constraints affecting the site include ancient woodland adjacent to the south-western boundary, an area of Priority Habitat in the south-west corner, small area at risk of surface water flooding, being within an Archaeological Notification Area, located adjacent to Historic field boundaries and a Public Right of Way nearby, with the policy requirements detailed above to reflect these.
The site is not well located in relation to village services, however the policy encourages a mixed-use scheme to enable sufficient development value to be generated to cross-subsidise a viable employment scheme, which will also provide links to the Public Right of Way and is an existing site allocation in the Neighbourhood Plan.
Reproduced from the Ordnance Survey mapping with the permission of the Controller of His Majesty’s Stationary Office. (Crown Copyright). Unauthorised reproduction infringes Crown copyright and may lead to prosecution or civil proceedings. No further copies may be made. Rother District Council Licence No. 100018643 2025
Policy Reference: SD4
Site name: Land adjacent to St John the Baptist Church, Sedlescombe.
Site identification: Existing allocation Policy 6 in the Sedlescombe Neighbourhood Plan.
Greenfield/ Brownfield: Greenfield.
Sub-area: Battle and surrounding settlements.
Allocated use and capacity: The site is allocated for residential development comprising some 17 new dwellings.
Density statistics:
|
Area type: |
Village |
|
Site size (ha): |
1.16 |
|
Indicative size of area for built development (ha): |
0.46 |
|
Indicative residential density: |
35 dwellings per hectare |
Site specific development requirements:
Development on this site must:
- Provide a policy-compliant amount of on-site affordable housing in line with policy HOU2 of the Rother Local Plan
- Include a new vehicular access from the B2244.
- Include new pedestrian and cycle links to the B2244.
- Retain and enhance the existing hedgerow/ trees on all boundaries of the site
- Include sustainable drainage in the western section of the site in accordance with Policy ENV2 of the Rother Local Plan.
- Include an assessment and evaluation of the site’s archaeological potential and the implementation of any mitigation measures identified through the assessment.
- Make provision for a community benefit scheme, comprising:
- a car park to serve the Church of at least 30 spaces, that can be used by cars and coaches for dropping off and collecting Church visitors;
- the use of the Church facilities by the local community during the entire year and during evenings;
- a renewable energy heating solution to service the new homes and the Church;
- a restoration scheme of the Church, including interior alterations to make the space more usable for community activities;
- Protect the setting of the Grade II Listed Building (The Parish Church of St John the Baptist) to the south-east of the site.
Supporting text:
The site comprises a well-contained field in close proximity to existing built development in the village of Sedlescombe and within the High Weald National Landscape. Development of the site will impact on High Weald character features, however, having regard to existing residential development on the B2244 (Sandrock Hill), it is considered that a small/ medium scale residential development can be accepted across the site, subject to a sensitive design. Environmental and other constraints affecting the site include the site being in an archaeological notification area, being located adjacent to historic field boundaries, a Grade II Listed Building (The Parish Church of St John the Baptist) nearby and small areas on the adjacent road being at risk of surface water flooding with the policy requirements detailed above to reflect these. The site allocation policy in the Sedlescombe Neighbourhood Plan emphasises that only the minimum number of units required to deliver the community benefit scheme set out in vii (evidenced by a financial viability appraisal) should be provided on the site, with the overarching aim of development on this site being to secure a financially sustainable church and community services.
The site is relatively well located in relation to village services but improvements to pedestrian and cycle infrastructure to encourage active travel are required, as detailed above.
Reproduced from the Ordnance Survey mapping with the permission of the Controller of His Majesty’s Stationary Office. (Crown Copyright). Unauthorised reproduction infringes Crown copyright and may lead to prosecution or civil proceedings. No further copies may be made. Rother District Council Licence No. 100018643 2025
Policy Reference: SD5
Site name: Land at Gate Cottage, Sedlescombe.
Site identification: Existing allocation Policy 7 in the Sedlescombe Neighbourhood Plan with outline permission for 5 dwellings – planning reference RR/2023/1406/P
Greenfield/ Brownfield: Greenfield.
Sub-area: Battle and surrounding settlements.
Allocated use and capacity: The site is allocated for residential development comprising some 8 new dwellings.
Density statistics:
|
Area type: |
Village |
|
Site size (ha): |
0.39 |
|
Indicative size of area for built development (ha): |
0.23 |
|
Indicative residential density: |
35 dwellings per hectare |
Site specific development requirements:
Development on this site must:
- Provide a policy-compliant amount of on-site affordable housing in line with policy HOU2 of the Rother Local Plan
- Include a new vehicular access from The Street.
- Include new pedestrian and cycle links to The Street.
- Retain the existing Public Right of Way that runs adjacent to the northern boundary.
- Retain and enhance the existing hedgerow/ trees on the east and south boundaries of the site.
- Be in accordance with the recommendations contained within a Flood Risk Assessment.
- Include sustainable drainage in the eastern section of the site in accordance with Policy ENV2 of the Rother Local Plan
- Include an assessment and evaluation of the site’s archaeological potential and the implementation of any mitigation measures identified through the assessment.
Supporting text:
The site comprises a parcel of land in close proximity to existing built development in the village of Sedlescombe and within the High Weald National Landscape. Development of the site will likely impact on High Weald character features, however, having regard to existing residential development on The Street, it is considered that a small-scale residential development can be accepted across the site, subject to a sensitive design. The number of dwellings allocated on this site Environmental and other constraints affecting the site include the site being located adjacent to a Public Right of Way to the north, being in an archaeological notification area, and small areas on the eastern boundary being at risk of surface water flooding with the policy requirements detailed above to reflect these.
The site is well located in relation to village services but improvements to pedestrian and cycle infrastructure to encourage active travel are required, as detailed above.
Reproduced from the Ordnance Survey mapping with the permission of the Controller of His Majesty’s Stationary Office. (Crown Copyright). Unauthorised reproduction infringes Crown copyright and may lead to prosecution or civil proceedings. No further copies may be made. Rother District Council Licence No. 100018643 2025
Policy Reference: SD6
Site name: Land at Church Hill Farm, Sedlescombe.
Site identification: Existing allocation Policy 8 in the Sedlescombe Neighbourhood Plan.
Greenfield/ Brownfield: Greenfield.
Sub-area: Battle and surrounding settlements.
Allocated use and capacity: The site is allocated for residential development comprising some 10 new dwellings.
Density statistics:
|
Area type: |
Village |
|
Site size (ha): |
0.46 |
|
Indicative size of area for built development (ha): |
0.32 |
|
Indicative residential density: |
35 dwellings per hectare |
Site specific development requirements:
Development on this site must:
- Provide a policy-compliant amount of on-site affordable housing in line with policy HOU2 of the Rother Local Plan
- Include a new vehicular access from the adjacent allocated site SD5.
- Include new pedestrian and cycle links to the adjacent allocated site SD5.
- Retain the Public Right of Way that runs through the northern boundary of the site.
- Be in accordance with the recommendations contained within a Flood Risk Assessment.
- Include sustainable drainage in the southern section of the site in accordance with Policy ENV2 of the Rother Local Plan.
- Include an assessment and evaluation of the site’s archaeological potential and the implementation of any mitigation measures identified through the assessment.
Supporting text:
The site comprises a field in close proximity to existing built development in the village of Sedlescombe and within the High Weald National Landscape. Development of the site will impact on High Weald character features, however, having regard to existing residential development on The Street, it is considered that a small scale residential development can be accepted across the site, subject to a sensitive design. Environmental and other constraints affecting the site include the site being in an archaeological notification area, a Public Right of Way running through the northern boundary of the site and small areas on the southern boundary being at risk of surface water flooding with the policy requirements detailed above to reflect these. The site is well located in relation to village services but improvements to pedestrian and cycle infrastructure to encourage active travel are required, as detailed above.
Reproduced from the Ordnance Survey mapping with the permission of the Controller of His Majesty’s Stationary Office. (Crown Copyright). Unauthorised reproduction infringes Crown copyright and may lead to prosecution or civil proceedings. No further copies may be made. Rother District Council Licence No. 100018643 2025
Policy Reference: SD7
Site name: Street Farm, Sedlescombe
Site identification: Planning permission RR/2022/2619/P - 21 new dwellings including 4 affordable units, public open space and associated land for use as a school playing field.
Greenfield/ Brownfield: Greenfield.
Sub-area: Battle and surrounding settlements.
Allocated use and capacity: The site is allocated for residential development comprising some 21 new dwellings and associated land for use as a school playing field.
Density statistics:
|
Area type: |
Village |
|
Site size (ha): |
1.13 |
|
Indicative size of area for built development (ha): |
0.62 |
|
Indicative residential density: |
35 dwellings per hectare |
Site specific development requirements:
Development on this site must:
- Provide a policy-compliant amount of on-site affordable housing in line with policy HOU2 of the Rother Local Plan
- Include a new vehicular access from Brede Lane.
- Include new pedestrian and cycle links to Brede Lane.
- Link to the existing Public Right of Way to the southern boundary of the site.
- Retain and enhance the existing hedgerows and trees to the north, east and south boundaries of the site.
- Retain a suitable undeveloped buffer to the designated priority habitat adjacent to the southern boundary of the site.
- Include provision for the retention and future management of a buffer zone of semi-natural habitat, at least 15 metres wide (which does not include residential gardens), on the southern boundary, between the edge of development and the ancient woodland.
- Provide a natural screening of a hedge and tree planting to the western boundary of the site.
- Include an assessment and evaluation of the site’s archaeological potential and the implementation of any mitigation measures identified through the assessment.
Supporting text:
The site comprises a section of sloping land which is a part of a larger field, with the eastern part of the site being well contained by boundary trees and ancient woodland, graduating to the more exposed western section. It is in close proximity to existing built development in the village of Sedlescombe and within the High Weald National Landscape. Having regard to existing residential development on the adjacent East View Terrace, it is considered that a medium scale residential development can be accepted across the site, subject to a sensitive design. Environmental and other constraints affecting the site include a Public Right of Way, Historic Field boundaries, Ancient Woodland and Priority Habitat to the southern boundary, with the policy requirements detailed above to reflect these.
The site is relatively well-located in relation to village services but improvements to pedestrian and cycle infrastructure to encourage active travel are required, as detailed above. The site benefits from an extant planning permission but development has not yet commenced. The policy requirements reflect the requirements of the planning permission.
Reproduced from the Ordnance Survey mapping with the permission of the Controller of His Majesty’s Stationary Office. (Crown Copyright). Unauthorised reproduction infringes Crown copyright and may lead to prosecution or civil proceedings. No further copies may be made. Rother District Council Licence No. 100018643 2025
Policy Reference: SD8
Site name: Marley Lane Business Park, Marley Lane.
Site identification: Planning permission reference RR/2006/3467/P for provision of 2,400sqm employment floorspace (use classes B2 and B8)
Greenfield/ Brownfield: Brownfield.
Sub-area: Battle and surrounding settlements.
Allocated use and capacity: The site is allocated for employment development comprising some 2,400 square metres of new employment (use classes B2 and B8) floorspace.
Density statistics:
|
Area type: |
Countryside |
|
Site size (ha): |
2.38 |
|
Indicative size of area for built development (ha): |
0.83 |
Site specific development requirements:
Development on this site must:
- Use the existing vehicular access from Marley Lane.
- Include provision for the retention and future management of a buffer zone of semi-natural habitat, at least 15 metres wide on the site boundaries, between the edge of development and the ancient woodland, and also around the ancient woodland within the site.
- Retain a suitable undeveloped buffer area to the designated priority habitat surrounding and within the site.
Supporting text:
The site comprises a well-contained business park located on the northern side of Marley Lane, close to its junction with the A21 and outside of any settlement, in the parish of Sedlescombe within the High Weald National Landscape. The Marley Lane Business Park comprises two large industrial buildings and associated car parking and forecourt areas, together with a large, open, grassed area in its eastern section which is surrounded by ancient woodland on three boundaries, much of which is protected with a Tree Preservation Order. This undeveloped section of the site was subject to a planning application for a third industrial building, granted in 2007 but this was not constructed. In principle, this part of the site remains suitable for employment development, subject to a sensitive design and appropriate buffers to the Ancient Woodland and Priority Habitat surrounding the site and extending into it, and Tree Preservation Orders on the site’s boundaries.
While the site is outside any settlement, it has good access to the strategic road network and forms part of an established business estate and is appropriately located for these uses. National planning policy supports the sustainable growth and expansion of all types of business in rural areas, recognising that sites in rural areas may have to be found beyond existing settlements.
Reproduced from the Ordnance Survey mapping with the permission of the Controller of His Majesty’s Stationary Office. (Crown Copyright). Unauthorised reproduction infringes Crown copyright and may lead to prosecution or civil proceedings. No further copies may be made. Rother District Council Licence No. 100018643 2025
Policy Reference: SD9
Site name: Land at Felon’s Field, Marley Lane.
Site identification: Existing allocation Policy MAR1 in the DaSA Local Plan.
Greenfield/ Brownfield: Brownfield.
Sub-area: Battle and surrounding settlements.
Allocated use and capacity: The site is allocated for employment development comprising some 3,000 square metres of new employment floorspace.
Density statistics:
|
Area type: |
Countryside |
|
Site size (ha): |
2.27 |
|
Indicative size of area for built development (ha): |
1.02 |
Site specific development requirements:
Development on this site must:
- Provide a new vehicular access from Marley Lane.
- Retain trees subject to Tree Preservation Orders and retain and strengthen boundary tree belts with native species.
- Be informed by a biodiversity strategy that makes provision for any protected species found to be using the site, and where necessary, includes appropriate mitigation and/ or compensation for any loss of habitat.
- Ensure there is no adverse effect on ground water.
- Include sustainable drainage in accordance with Policy ENV2 of the Rother Local Plan.
- Be informed by a travel plan to show how the traffic to be generated is to be minimised.
- Include an assessment and evaluation of the site’s archaeological potential and the implementation of any mitigation measures identified through the assessment.
Supporting text:
The site comprises an overgrown undeveloped field, with a central part that is hard surfaced. It is well-contained by woodland to the north, west and south boundaries, located in close proximity to an existing industrial area to the east and Marley Lane Business Park located opposite to the west, in the parish of Sedlescombe within the High Weald National Landscape. Having regard to nearby industrial development, it is considered that a medium scale industrial development can be accepted, subject to a sensitive design.
However, the site has been allocated for business development for some time and has not come forward, and in that time the site has become overgrown and is likely to accommodate wildlife habitats and potentially protected species. Ecological surveys and tree surveys will be required to ascertain if development can still be accepted at this location.
Environmental and other constraints affecting the site include thick tree belts on all boundaries, other than the north-eastern boundary, including a single Oak in the central part of the site, all of which are protected by a Tree Preservation Order (TPO). A groundwater protection zone and an area of flood risk lies to the south, with evidence of protected species, including dormice, using the site. In addition, the site has potential archaeological interest due to its location within an area of medieval and post-medieval activity.
While the site lies outside any settlement, it has good access to the strategic road network and is appropriately located for business uses. National planning policy supports the sustainable growth and expansion of all types of business in rural areas, recognising that sites in rural areas may have to be found beyond existing settlements.
Reproduced from the Ordnance Survey mapping with the permission of the Controller of His Majesty’s Stationary Office. (Crown Copyright). Unauthorised reproduction infringes Crown copyright and may lead to prosecution or civil proceedings. No further copies may be made. Rother District Council Licence No. 100018643 2025
Policy Reference: SD10
Site name: Land north of Gorselands, Sedlescombe.
Site identification: Submitted site identified through HELAA.
Greenfield/ Brownfield: Greenfield.
Sub-area: Battle and surrounding settlements.
Allocated use and capacity: The site is allocated for residential development comprising some 15 new dwellings.
Density statistics:
|
Area type: |
Village |
|
Site size (ha): |
2.62 |
|
Size of area for built development (ha): |
0.52 |
|
Residential density: |
35 dwellings per hectare |
Site specific development requirements:
Development on this site must:
- Provide a policy-compliant amount of on-site affordable housing in line with policy HOU2 of the Rother Local Plan
- Be informed by a landscape sensitivity assessment to determine an appropriate layout, form and detailed design to ensure the conservation and enhancement of the landscape and character of the High Weald National Landscape.
- Include a new vehicular access from Gorselands
- Include new pedestrian and cycle links to Gorselands
- Include an area of public open space in line with the ratios indicated above
- Include provision for the retention and future management of a buffer zone of semi-natural habitat, at least 15 metres wide (which does not include residential gardens), on the northern and south-eastern boundaries, between the edge of development and the ancient woodland and priority habitat;
- Retain and enhance the existing hedgerows and trees on the north, east and west boundaries of the site
- Retain and provide links to the public right of way that dissects the site from the access at Gorselands to the north-eastern corner
- Include an assessment and evaluation of the site’s archaeological potential and the implementation of any mitigation measures identified through the assessment.
Supporting text:
The site comprises a sloping field on the northern edge of Sedlecombe village, within the High Weald National Landscape. The south-eastern section is well contained by boundary trees and ancient woodland, while the western/ northern section is more exposed in the landscape.
Having regard to adjoining residential development at Gorselands to the south of the site, it is considered that a small/ medium scale residential development can be accepted across the south-eastern part of the site, to be informed by a landscape sensitivity assessment to determine an appropriate layout, form and detailed design.
Environmental and other constraints affecting the site include Priority Habitat woodland (which is also protected by a Tree Preservation Order) to the south-eastern boundary, Lowland Meadows Priority Habitat to the west, Ancient Woodland to the northern boundary, a public right of way that dissects the site from north to south, and historic field boundaries, with the policy requirements detailed above to reflect these.
The site is relatively well-located in relation to village services but improvements to pedestrian and cycle infrastructure to encourage active travel are required, as detailed above. The access road would need to be widened to serve a development.
Reproduced from the Ordnance Survey mapping with the permission of the Controller of His Majesty’s Stationary Office. (Crown Copyright). Unauthorised reproduction infringes Crown copyright and may lead to prosecution or civil proceedings. No further copies may be made. Rother District Council Licence No. 100018643 2025
Policy Reference: SD11
Site name: Land north of Brede Lane, Sedlescombe.
Site identification: Submitted site identified through HELAA.
Greenfield/ Brownfield: Greenfield.
Sub-area: Battle and surrounding settlements.
Allocated use and capacity: The site is allocated for residential development comprising some 38 new dwellings.
Density statistics:
|
Area type: |
Village |
|
Site size (ha): |
2.76 |
|
Indicative size of area for built development (ha): |
1.1 |
|
Indicative residential density: |
35 dwellings per hectare |
Site specific development requirements:
Development on this site must:
- Provide a policy-compliant amount of on-site affordable housing in line with policy HOU2 of the Rother Local Plan
- Be informed by a landscape sensitivity assessment to determine an appropriate layout, form and detailed design to ensure the conservation and enhancement of the landscape and character of the High Weald National Landscape.
- Include areas of green infrastructure to include public open space and Biodiversity Net Gain, in line with the ratios indicated above, the location of which is to be determined through the landscape sensitivity assessment.
- Include a new vehicular access from Brede Lane.
- Include new pedestrian and cycle links to Brede Lane.
- Include provision for the retention and future management of a buffer zone of semi-natural habitat, at least 15 metres wide (which does not include residential gardens), on the eastern and western boundaries, between the edge of development and the ancient woodland and priority habitat;
- Retain and enhance the existing hedgerow on the southern boundary of the site, save for a short section to be removed to facilitate an access.
- Be carried out in accordance with the recommendations contained within a Flood Risk Assessment.
- Include sustainable drainage in the south-eastern section of the site in accordance with Policy ENV2 of the Rother Local Plan.
- Include an assessment and evaluation of the site’s archaeological potential and the implementation of any mitigation measures identified through the assessment.
Supporting text:
The site comprises approximately half of a large, irregularly shaped field abutted by ancient woodland and priority habitat on the northern side of Brede Lane, east of Sedlescombe village. There is a well-established hedgerow to the southern (roadside) boundary and the adjoining woodland to the west is protected by a Tree Preservation Order.
Like the whole village of Sedlescombe, the site lies within the High Weald National Landscape and contains character features including the woodland and hedgerow, it also forms part of an Early Post-Medieval Fieldscape. However, it is close to existing 20th century residential development on the opposite (southern) side of Brede Lane and the character of its southern section is influenced by this. It is within walking distance of services and facilities in the village although improvements to pedestrian and cycle infrastructure to encourage active travel are required. Consequently, it is considered that a medium scale residential development can be accepted across part of the site, together with a substantial area of green infrastructure, to be informed by a landscape sensitivity assessment to determine an appropriate layout, form and detailed design.
Environmental and other constraints affecting the site include Priority Habitat adjacent to the western boundary (which is also protected by a Tree Preservation Order), Ancient Woodland to the eastern boundary and small areas at risk of surface water flooding to the south-east of the site, and the policy requirements above reflect these.
Reproduced from the Ordnance Survey mapping with the permission of the Controller of His Majesty’s Stationary Office. (Crown Copyright). Unauthorised reproduction infringes Crown copyright and may lead to prosecution or civil proceedings. No further copies may be made. Rother District Council Licence No. 100018643 2025
40. Do you have any comments on the proposed site allocations in Sedlescombe, detailed in Policies SD1 to SD11? Comment
41. Do you consider that there are any other possible sites in the Battle and Surrounding Settlements sub-area (which includes the parishes of Ashburnham, Battle, Brightling, Catsfield, Dallington, Mountfield, Sedlescombe and Whatlington) which should be allocated for development in the Local Plan? Comment
Proposed Site Allocations for Rye and the Eastern Settlements Cluster
Includes the parishes of Beckley, Brede, Camber, East Guldeford, Icklesham (east), Iden, Northiam, Peasmarsh, Playden, Rye Foreign, Rye and Udimore[3]

Beckley and Four Oaks
Parish: Beckley
Policy Reference: BC1
Site name: Land South and West of Buddens Green, Beckley Four Oaks
Site identification: Existing site allocation in the DaSA Local Plan (Policy BEC2 Land South of Buddens Green), boundary now extended to include adjoining land identified through the HELAA
Greenfield/ Brownfield: Greenfield
Sub-area: Rye and the eastern settlements
Allocated use and capacity: The site is allocated for residential development comprising some 20 new dwellings of which 40% are affordable.
Density statistics:
|
Area type: |
Village |
|
Site size (ha): |
1.49 |
|
Indicative size of area for built development (ha): |
0.75 |
|
Indicative residential density: |
26 dwellings per hectare |
Site specific development requirements:
Development on this site must:
- Provide a policy-compliant amount of on-site affordable housing in line with policy HOU2 of the Rother Local Plan
- Include a new vehicular access from Buddens Green and on-site parking which serves the new dwellings.
- Include any new highways works outside the site, as recommended by the Highway Authority to improve opportunities for active travel or access by public transport, such as upgrades to the nearby bus stop on Main Street.
- Retain existing trees on the southern and eastern boundaries and provide a new hedgerow of native species on the western boundary.
- Retain and enhance the existing pond to the southwest of the site and provide a minimum 10 metres buffer to any built development including roadways as informed by an ecological survey.
- Include sustainable drainage along the western boundary of the site in accordance with Policy ENV2 of the Rother Local Plan
- Protect the setting of the Grade II listed buildings, Braeside House and Orchard Cottage, on Main Street.
Supporting text:
This site comprises a section of a field, south of a small housing estate at Buddens Green. The eastern part of the site is currently allocated for 6 dwellings through the DaSA Local Plan and now additional adjoining land is available to allow an increase in the size of a new residential development here. The additional land forms part of a larger field which extends to Main Street to the north, however this northern part of the field is not suitable for development due to risks from flooding.
The site is within the High Weald National Landscape and therefore a sensitive form of development is required in line with Local Plan policies. The site is enclosed by a mature tree belt to the south and east, limiting the visual impact on the wider landscape, although it is visible from the road to the north. The western boundary has a low risk of surface water flooding. The land to the east has historic field boundaries. A public footpath runs adjacent to the east boundary. The layout of the residential scheme will need to be carefully designed to take account of the shadowing effect of the adjacent trees.
The site is well located in relation to some services, however improvements to pedestrian infrastructure may be required to improve opportunities for active travel and the use of public transport.
Reproduced from the Ordnance Survey mapping with the permission of the Controller of His Majesty’s Stationary Office. (Crown Copyright). Unauthorised reproduction infringes Crown copyright and may lead to prosecution or civil proceedings. No further copies may be made. Rother District Council Licence No. 100018643 2025
Policy Reference: BC2
Site name: Land East of Hobbs Lane, Beckley Four Oaks
Site identification: Existing allocation: Development and Site Allocations Local Plan Policy BEC1
Greenfield/ Brownfield: Part Brownfield
Sub-area: Rye and the eastern settlements
Allocated use and capacity: The site is allocated for residential development comprising some 20 new dwellings.
Density statistics:
|
Area type |
Village |
|
Site size (ha): |
0.71 |
|
Indicative size of area for built development (ha): |
0.5 |
|
Indicative residential density: |
40 dwellings per hectare |
Site specific development requirements:
Development on this site must:
- provide a policy-compliant amount of on-site affordable housing in line with policy HOU2 of the Rother Local Plan;
- include access from Hobbs Lane to the satisfaction of the Highway Authority;
- provide screening tree and hedgerow planting employing native species on the eastern boundary of the site, and retain and enhance the tree belt on the northern boundary with additional planting;
- provide a new footway alongside Hobbs Lane to link the new development to the existing Hobbs Lane footway
- take care to respect the amenity value of adjoining residential properties on the southern boundary; and
- make developer’s contributions towards open space, specifically play provision for children and young people, in lieu of on-site provision.
Supporting text:
The site is on the northern edge of the village on the eastern side of Hobbs Lane. It comprises an existing brownfield site known as the Former Manroy Engineering Works and a smaller area of adjoining farmland which creates a more logical development area. Development of the brownfield land offers the opportunity to improve the appearance of the site, particularly where it is viewed from Hobbs Lane.
The former industrial use of part of the site could have led to ground contamination, and appropriate surveys will need to be undertaken as part of the planning application process, with the need to employ appropriate measures to mitigate any such contamination. The site is bordered to the south by residential development alongside Hobbs Lane and Coombs Close. Bungalows on the northern side of Coombs Close have a clear view across the site and the amenity of existing and future residents must be protected in designing an appropriate scheme. Regard must also be had to the relationship with the small cluster of commercial/ industrial uses on the opposite side of Hobbs Lane.
Reproduced from the Ordnance Survey mapping with the permission of the Controller of His Majesty’s Stationary Office. (Crown Copyright). Unauthorised reproduction infringes Crown copyright and may lead to prosecution or civil proceedings. No further copies may be made. Rother District Council Licence No. 100018643 2025
Policy Reference: BC3
Site name: Land west of Oaklea Cottages, Beckley Four Oaks
Site identification: New site identified through the HELAA (reference BEC0011)
Greenfield/ Brownfield: Greenfield
Sub-area: Rye and the eastern settlements
Allocated use and capacity: The site is allocated for residential development comprising some 13 new dwellings.
Density statistics:
|
Area type: |
Village |
|
Site size (ha): |
0.48 |
|
Indicative size of area for built development (ha): |
0.4 |
|
Indicative residential density |
35 dwellings per hectare |
Site specific development requirements:
Development on this site must:
- Provide a policy-compliant amount of on-site affordable housing in line with policy HOU2 of the Rother Local Plan.
- Provide access from Main Street.
- Reflect the terraced layout of the adjoining development.
- Include access for parking areas that takes advantage of being shared and minimised where possible. On-site turning is a requirement.
- Retain and enhance the existing boundary hedges and trees to the north, south and west (excepting a section of hedgerow on the southern boundary which would need to be removed to facilitate safe access, which should be minimised as far as possible).
- Protect the setting of the Grade II listed buildings, Westfield Cottage and The Cottage.
- Include sustainable drainage in the site in accordance with Policy ENV2 of the Rother Local Plan.
Supporting text:
This site is a small field on the northern side of Main Street, adjacent to a short terrace of dwellings. It is reasonably well located in relation to services in the village. While Beckley is characterised by undeveloped gaps between areas of built form, this particular site is relatively enclosed in the landscape without the same long views northwards as the adjoining, larger fields. The site is allocated for thirteen dwellings.
Environmental constraints include the site being located within the High Weald National Landscape. There are some minor areas at risk of surface water flooding on adjacent land. The site boundaries are historic field boundaries. There are listed buildings nearby. The policy requirements detailed above reflect these.
Reproduced from the Ordnance Survey mapping with the permission of the Controller of His Majesty’s Stationary Office. (Crown Copyright). Unauthorised reproduction infringes Crown copyright and may lead to prosecution or civil proceedings. No further copies may be made. Rother District Council Licence No. 100018643 2025
42. Do you have any comments on the proposed site allocations in Beckley, detailed in Policies BC1 to BC3? Comment
Broad Oak
Parish: Brede
Policy Reference: BR1
Site name: Land west of A28, Northiam Rd, Brede
Site identification: Existing allocation in the DaSA Local Plan
Greenfield/ Brownfield: Greenfield
Sub-area: Rye and the eastern settlements
Allocated use and capacity: The site is allocated for residential development comprising some 29 new dwellings
Density statistics:
|
Area type: |
Village |
|
Site size (ha): |
2.57 |
|
Indicative size of area for built development (ha): |
1.53 |
|
Indicative residential density: |
30 dwellings per hectare |
Site specific development requirements:
Development on this site must:
- Provide a policy-compliant amount of on-site affordable housing in line with policy HOU2 of the Rother Local Plan
- Include a new vehicular access via Oakhill Drive to the east, to the satisfaction of the Highway Authority;
- Provide for a pedestrian and cycle link into the adjoining land to the south which is subject to allocation Policy BR2 of this Plan.
- Retain existing trees and hedgerows on the site boundaries, and new screen tree and hedgerow planting employing native species is provided where appropriate
- Include provision for the retention and future management of a buffer zone of semi-natural habitat, at least 15m wide (which does not include residential gardens), on the north-western boundary, between the edge of development and the ancient woodland; and
- Provide for an acceptable connection to the local sewerage system.
Supporting text:
The site comprises a narrow field at the rear of residential properties fronting the A28 Northiam Road. It is well-related to the village core, providing good access to services, and is relatively well-contained within the landscape. It provides direct access to the public right of way network, and an appropriate buffer to adjoining ancient woodland can be achieved.
The site forms part of a larger area, allocated for 40 dwellings and allotments through the Development and Site Allocations Local Plan (Policy BRO2). However, the remainder of the previously allocated site, to the east of the field, comprises land in multiple ownerships including dwellings and residential garden land containing protected trees, and a planning application has not been forthcoming despite its allocation. A recent planning application for the site subject to the new allocation has determined that an access can be achieved via Oakhill Drive rather than the A28. Consequently, the land to the east is not needed to bring development forward. Given the considerable tree cover and more limited development potential of the land to the east, this land has been removed from the new allocation to assist in the deliverability of the remaining field. It could potentially come forward as windfall development should an acceptable scheme be proposed as it remains within the development boundary.
The removal of the eastern section from the new allocation has resulted in the loss of an area previously proposed through the policy for allotments, however, a new, larger area of land to the south has now come forward for potential development, this is subject to a separate site allocation policy in this Plan (Policy BR2 – Land west of Tillingham View). In addition to more dwellings, this larger area provides an opportunity for public open space, potentially to include allotments, should there be a continued need in the village.
The site has a medium potential to contain prehistoric, Roman and medieval remains. An archaeological assessment would be a planning application requirement.
Reproduced from the Ordnance Survey mapping with the permission of the Controller of His Majesty’s Stationary Office. (Crown Copyright). Unauthorised reproduction infringes Crown copyright and may lead to prosecution or civil proceedings. No further copies may be made. Rother District Council Licence No. 100018643 2025
Policy Reference: BR2
Site name: Land west of Tillingham View
Site identification: New site submitted through the HELAA (BRE0060)
Greenfield/ Brownfield: Greenfield
Sub-area: Rye and the eastern areas
Allocated use and capacity: The site is allocated for residential development comprising some 70 new dwellings
Density statistics:
|
Area type: |
Village |
|
Site size (ha): |
4.5 |
|
Indicative size of area for built development (ha): |
2.0 |
|
Indicative residential density: |
35 dwellings per hectare |
Site specific development requirements:
Development on this site must:
- Provide a policy-compliant amount of on-site affordable housing in line with policy HOU2 of the Rother Local Plan
- Include a new vehicular access from B2089/ Chitcombe Road. This will likely involve the demolition of the Owls Hollow residence.
- Include a community use subject to an assessment of needs in the locality.
- Tie into existing footways and include any necessary off-site highway improvements such as crossings, any improvements for non-motorised users, and access to public transport. In particular, improvements should focus on ensuring active-travel connectivity between the site and the primary school and the public right of way.
- Provide for a pedestrian and cycle link into the adjoining land to the north which is subject to allocation Policy BR1 of this Plan.
- Include large areas of Green Infrastructure and public open space, including children’s play space, to serve the new development and help meet any identified deficiencies in the locality as well as needs arising from the development of sites BR1 and BR2.
- Avoid development on the eastern part of the site which is shown to be at risk of surface water flooding.
- Include provision for the retention and future management of a buffer zone of semi-natural habitat, at least 15m wide (which does not include residential gardens), on the northern boundary, between the edge of development and the ancient woodland.
- Retain and enhance the existing hedgerows/ trees on each site boundary.
Supporting text:
This is a large field on the north-western edge of the village. While it does contribute to the rural setting of the village, it has relatively few distinguishing landscape features, and long views are very limited, meaning it is relatively enclosed in the landscape. It adjoins substantial 20th century development and is in close proximity to village services including the school, shop and bus stops. Consequently, it provides an opportunity for a relatively large, well-designed residential development and public open space in a sustainable location. The size of the site also provides an opportunity to include a community use, subject to an assessment of needs in the locality. Access would be from Chitcombe Road and is likely to involve the demolition of an existing dwelling.
Adjoining land to the north-east is also allocated for residential development (Policy BR1 of this Plan). The two sites are separated by a substantial tree belt which adjoins ancient woodland and consequently, a vehicular access between the two sites is unlikely to be appropriate, although pedestrian and cycle links will be required to facilitate connectivity. Off-site highways improvements may also be required to encourage active travel between the site and the village facilities, including the nearby primary school.
The site has a medium potential to contain prehistoric, Roman and medieval remains. An archaeological assessment would be a planning application requirement.
Reproduced from the Ordnance Survey mapping with the permission of the Controller of His Majesty’s Stationary Office. (Crown Copyright). Unauthorised reproduction infringes Crown copyright and may lead to prosecution or civil proceedings. No further copies may be made. Rother District Council Licence No. 100018643 2025
Policy Reference: BR3
Site name: Land at Broad Oak Lodge, Chitcombe Road
Site identification: Submitted through the HELAA process (BRE0035 and BRE0044)
Greenfield/ Brownfield: Part brownfield (existing dwelling and garden land)
Sub-area: Rye and the eastern areas
Allocated use and capacity: The site is allocated for residential development comprising some 20 new dwellings.
Density statistics:
|
Area type: |
Village |
|
Site size (ha): |
2.24 |
|
Indicative size of area for built development (ha): |
0.6 |
|
Indicative residential density |
35 dwellings per hectare |
Site specific development requirements:
Development on this site must:
- Provide a policy-compliant amount of on-site affordable housing in line with policy HOU2 of the Rother Local Plan.
- Include a new vehicular access from Chitcombe Road.
- Include any necessary off-site highway improvements to improve pedestrian and cycle links towards services in Broad Oak including the Primary School.
- Limit development to the southern part of the site (avoiding the existing pond and mature trees).
- Include provision for the retention and future management of a buffer zone of semi-natural habitat, at least 15m wide (which does not include residential gardens), on the northern boundary, between the edge of development and the designated ancient woodland Redland Wood.
- Retain and enhance the existing hedgerow and trees on the southern and eastern boundaries of the site.
- Retain and enhance the existing pond on the southern boundary part of the site and informed by ecological surveys, provide an appropriate buffer to any built development including roadways.
- Protect the setting of the Grade II listed building ‘Whiteacres’ to the east of the site.
Supporting text:
The site includes the residential curtilage of a single dwelling together with a field to the rear, and the southern portion of a separate field to the west, at the western end of Broad Oak village. While development of the entire fields would not be acceptable, as it would extend into the countryside, be out of character with the settlement pattern and would impact on an adjacent area of ancient woodland, extending the existing residential curtilage slightly northwards and into the adjoining field to the west provides an opportunity to achieve an appropriately designed development in keeping with the character of the adjoining small cul-de-sac development (to the east), while retaining an appropriate separation from the existing pond and mature trees at the front of the site. The location is relatively sustainable, accessible via the existing footway on Chitcombe Road to services and bus stops further east in Broad Oak, although improvements to off-site pedestrian and cycle facilities may be required.
Environmental constraints include the site being located within the High Weald National Landscape, ancient woodland adjoining the northern boundary, a pond located near the southern boundary and a nearby listed building. The above policy requirements reflect the constraints.
Reproduced from the Ordnance Survey mapping with the permission of the Controller of His Majesty’s Stationary Office. (Crown Copyright). Unauthorised reproduction infringes Crown copyright and may lead to prosecution or civil proceedings. No further copies may be made. Rother District Council Licence No. 100018643 2025
43. Do you have any comments on the proposed site allocations in Broad Oak, Brede, detailed in Policies BR1 to BR3? Comment
Camber
Parish: Camber
Policy Reference: CM1
Site name: Land at the Former Putting Green Site, Old Lydd Road, Camber
Site identification: Allocated site in the DaSA Local Plan
Greenfield/ Brownfield: Brownfield
Sub-area: Rye and eastern areas
Allocated use and capacity: The site is allocated for residential development comprising some 10 new dwellings.
Density statistics:
|
Area type: |
Village |
|
Site size (ha): |
0.2 |
|
Indicative size of area for built development (ha): |
0.2 |
|
Indicative residential density |
50 dwellings per hectare |
Site specific development requirements:
Development on this site must:
- Provide a policy-compliant amount of on-site affordable housing in line with policy HOU2 of the Rother Local Plan
- In relation to the form of development, give regard to the Council’s adopted Camber Village Supplementary Planning Document (2014);
- Undertake a site-specific flood risk assessment which demonstrates that the development will be safe for its lifetime, taking account of the vulnerability of its users, without increasing flood risk elsewhere, and where possible, will reduce flood risk overall;
- Provide a new access from Marchants Drive to the east and/ or the private track to the west
- Provide a new footway alongside the site’s southern boundary to link the new development to the existing Marchants Drive footway
- Ensure no adverse impact on the adjacent Dungeness, Romney Marsh and Rye Bay SSSI; and
- Ensure the development has no adverse effect on the integrity of the adjacent Dungeness, Romney Marsh, and Rye Bay Special Protection Area and RAMSAR sites and the Dungeness Special Area of Conservation (SAC) and supports the implementation of the Sustainable Access and Recreation Management Strategy (SARMS) as appropriate.
Supporting text:
The brownfield site is centrally located in the southern part of the village. It is a raised, rectangular shaped plot of 0.2 hectares, formerly used as a putting green but now cleared and in use as a pay and display car park for 70 cars. It is suitable for redevelopment for residential purposes and has planning permission for 10 dwellings although these may come forward later in the Plan period, as the site is still currently required for public car parking. Built development should be focused on the southern section of the site to avoid overlooking and a reduction in light for the adjacent residential development to the north and west.
The site lies within Flood Zone 2 and a Flood Risk Assessment (FRA) will need to accompany the planning application.
The sand dunes opposite the site are significant both as major landscape features and as part of the Dungeness, Romney Marsh & Rye Bay SSSI. Historically, the site was used as a school and is of local archaeological interest. The policy requirements reflect these constraints.
The site’s redevelopment will result in a small reduction in public car parking capacity in the village. However, there is a significant amount of alternative car parking provision in Camber, and the benefits of redeveloping this prominent site, including in terms of it making a valuable contribution to the village’s housing supply and improving the street scene, are considered to outweigh this loss. It is noted that any additional demand for car parking in the winter months could be adequately accommodated elsewhere in the village, including at the Central Car Park, in the event of the redevelopment of the former putting green site. It is not proposed to utilise the Western Car Park in the winter months (which would raise potential nature conservation issues).
Reproduced from the Ordnance Survey mapping with the permission of the Controller of His Majesty’s Stationary Office. (Crown Copyright). Unauthorised reproduction infringes Crown copyright and may lead to prosecution or civil proceedings. No further copies may be made. Rother District Council Licence No. 100018643 2025
Policy Reference: CM2
Site name: Land at the Central Car Park, Old Lydd Road, Camber
Site identification: Allocated in the DaSA Local Plan
Greenfield/ Brownfield: Brownfield
Sub-area: Rye and the eastern areas
Allocated use and capacity: The site is allocated for a comprehensive mixed-use scheme to include an improved public realm with tourism (including visitor accommodation), commercial and operational uses.
Density statistics:
| Area type: | Village |
| Site size (ha): | 0.6 |
| Indicative size of area for built development (ha): | 0.6 |
Site specific development requirements:
Development on this site must:
- In relation to the form of development, give regard to the Council’s adopted Camber Village Supplementary Planning Document (2014);
- Include access from Old Lydd Road;
- Include a traffic management scheme to manage traffic impacts arising from the development, both during and after the construction period. The scheme shall include an assessment of the impact on public car parking provision throughout the year and demonstrate that appropriate provision will be retained in the village during the winter period (October to March);
- Undertake a site-specific flood risk assessment which demonstrates that the development will be safe for its lifetime, taking account of the vulnerability of its users, that it will not increase flood risk elsewhere, and where possible, will reduce flood risk overall; and
- Ensure there is no adverse impact on the integrity of the adjacent Dungeness, Romney Marsh and Rye Bay SSSI, SPA or Ramsar site, including the sand dunes; and supports the implementation of the Sustainable Access and Recreation Management Strategy (SARMS) as appropriate.
Supporting text:
The brownfield site, located within Flood Zone 3, is presently the principal car park for this part of the village, open all year round.
Given its prime position, the redevelopment of the Central Car Park site is an opportunity to act as a catalyst for the regeneration of Camber village by enhancing the tourist offer. A scheme should be brought forward as a comprehensive mixed-use development to include an improved public realm together with tourism, commercial and operational uses (beach patrol office, police/ medical offices) and some car parking. An accessible route to the beach for pedestrians should be retained.
The new Camber Welcome Centre has recently opened and as such, the allocation has been implemented in part. The remainder of the site remains available for uses such as visitor accommodation and tourism.
The Environment Agency has advised that, whilst much of Camber is protected from flooding to an appropriate standard by the presence of the sand dunes, the car park is not defended and therefore the site is not suitable for permanent residential development. However, holiday accommodation at first floor level, above the design flood level, would be acceptable. An application would need to be accompanied by a site-specific flood risk assessment
The site is immediately adjacent to the Dungeness, Romney Marsh and Rye Bay SSSI to the east, west and south, and also to the Ramsar and SPA to the south. The dunes to the west are also designated as a Local Geological Site. The protection and management of the dunes are key landscape and ecological objectives of the SPD. A key factor contributing to dune erosion at Camber is the large numbers of recreational visitors, and effects are worst around the Central Car Park. Consequently, a planning application for the site’s redevelopment will need to include measures to manage access to the dunes adjacent to the site and demonstrate that there will be no adverse effect on the designated areas, including the dunes, from visitors. In view of the proximity of the site to the international wildlife designations and the potential for additional recreational impacts, the development should ensure that there is no adverse effect on the integrity of the SPA/Ramsar site, with mitigation if necessary, in line with the provisions of the SARMS.
There are underground sewers in the central part of the site, and these will need to be taken into account in planning the site layout.
The site contains World War II defence remains of local archaeological interest. A heritage statement which considers any archaeological impacts, including the preservation of any visible extant remains, will need to accompany the planning application.
In the winter period the site it is relied upon as the principal car park, due to part of the large car park at the western end of the village being closed to allow the grass to regrow. In busy summer periods, visitors seeking to access the car park can lead to congestion on Old Lydd Road. Therefore, the traffic implications of the site’s redevelopment, including the reduction in car parking capacity, will need careful consideration including through a traffic management plan.
An opportunity to mitigate the reduction in car parking spaces exists in the “overflow car park” to the north-east of the site. This area, which is accessed through the Central Car Park, is currently only used on the busiest days when the Central Car Park is full. Increased use and formalisation of the overflow car park will require the agreement of the County Council as landowner and should be investigated through a traffic management plan. Another potential traffic management measure to ease congestion, identified in the SPD, is the formation of a one-way through-route from Old Lydd Road to the overflow car park and on to Lydd Road. This would necessitate a new access from Lydd Road to the overflow car park, through the adjacent public open space known as Johnson’s Field, which would require the agreement of the County Council (both as landowner and highway authority) and the Parish Council, which leases the open space. Any such proposals, which could also be considered through a traffic management plan, will also need to assess the implications for open space provision and highway safety, as well as ensuring there is no adverse effect on the adjacent SSSI.
Policy Reference: CM3
Reproduced from the Ordnance Survey mapping with the permission of the Controller of His Majesty’s Stationary Office. (Crown Copyright). Unauthorised reproduction infringes Crown copyright and may lead to prosecution or civil proceedings. No further copies may be made. Rother District Council Licence No. 100018643 2025
Site name: Lydd Road Garage, Lydd Road, Camber
Site identification: Previous planning permission
Greenfield/ Brownfield: Brownfield
Sub-area: Rye and the eastern areas
Allocated use and capacity: The site is allocated for mixed use development comprisingsome 5 new dwellings and some 80 square metres of new retail floorspace.
Density statistics:
|
Area type: |
Village |
|
Site size (ha): |
0.13 |
|
Indicative size of area for built development (ha): |
0.13 |
|
Indicative residential density: |
35 dwellings per hectare |
Site specific development requirements:
Development on this site must:
- Include a new vehicular access from Lydd Road
- Provide a scheme for the provision of foul and surface water drainage before the commencement of works.
- Provide a remediation strategy and site investigation scheme to deal with the risks associated with the contamination of the site which identifies:
- all previous uses
- potential contaminants associated with those uses
- a conceptual model of the site indicating sources, pathways and receptors
- potentially unacceptable risks arising from contamination at the site. Development should be carried out in accordance with the findings of the remediation strategy and site investigation scheme.
- Be carried out in accordance with the recommendations of a site-specific flood risk assessment, to include details of finished floor levels for non-sleeping accommodation, which must be set no lower than 6.11 meters AOD and finished floor levels for sleeping accommodation are set no lower than 6.41 meters, or as otherwise advised by the Environment Agency.
Supporting text:
This is a brownfield site located centrally in Camber, previously occupied by a car repair garage and petrol station. It has been vacant for some years. Planning permission was granted in 2015 for a mixed-use development comprising a terrace of 5 dwellings and a commercial unit but this has not been constructed, although the site remains suitable in principle for development. However, the site is entirely within Flood Zone 3 and is at risk of surface water flooding and contains contaminated land due to its former use, which are clear complications for its redevelopment. The policy criteria reflect these constraints.
Reproduced from the Ordnance Survey mapping with the permission of the Controller of His Majesty’s Stationary Office. (Crown Copyright). Unauthorised reproduction infringes Crown copyright and may lead to prosecution or civil proceedings. No further copies may be made. Rother District Council Licence No. 100018643 2025
44. Do you have any comments on the proposed site allocations in Camber, detailed in Policies CM1 to CM3? Comment
Iden
Parish: Iden
Policy Reference: ID1
Site name: Land south of Elmsmead, Iden
Site identification: Existing allocation (Policy IDE1 of the Development and Site Allocations Local Plan) together with additional land to the south, all now subject to planning permission
Greenfield/ Brownfield: Greenfield
Sub-area: Rye and the eastern settlements
Allocated use and capacity: The site is allocated for residentialdevelopment comprising some 15 new dwellings
Density statistics:
|
Area type: |
Village |
|
Site size (ha): |
0.5 |
|
Indicative size of area for built development (ha): |
0.5 |
|
Indicative residential density: |
35 dwellings per hectare |
Site specific development requirements:
Development on this site must:
- Provide a policy-compliant amount of on-site affordable housing in line with policy HOU2 of the Rother Local Plan
- Include a new vehicular access either from Elmsmead to the north-west or via Main Street to the east;
- Provide planting, comprising native species to maintain and reinforce the existing trees/ hedgerows on the site boundaries;
- Provide a biodiversity strategy that makes provision for any protected species found to be using the site, and where necessary, includes appropriate mitigation and/ or compensation for any loss of habitat. The strategy shall include the retention and management of the pond and an ecological buffer around the pond;
- Carry out an assessment and evaluation of the site’s archaeological potential and mitigation measures are implemented;
- Respect the amenity of occupiers of adjoining residential properties on the northern and eastern boundaries.
- Protect the setting of the Grade II listed buildings adjoining the site.
- Include improvements to off-site highway infrastructure including nearby bus stops and financial contributions to other measures to encourage active travel, as required by the Highway Authority.
Supporting text:
The site is located on the western side of Main Street. It adjoins existing development to the north and east and is in close proximity to the village core and all amenities. The site forms an undeveloped field associated with an adjacent residential property, Conkers, which was formerly a public house. Conkers is one of several Grade II listed buildings fronting Main Street to the south-east of the site. There is a further Grade II listed building, Rose Cottage, adjacent to the site to the north-east.
The site is largely laid to rough grass with scattered self-seeded trees. Taller trees and scrub define the eastern and western boundaries. Existing trees on the eastern and western boundaries will need to be retained and enhanced. A small pond is located in the south-eastern corner of the site. The pond, together with adjoining trees and the field south of the site, has the potential to support biodiversity, including protected species.
The northern part of the site was allocated for 12 dwellings through the Development and Site Allocations Local Plan (2019) but subsequently, planning permission has been granted for 15 dwellings (in total) across an extended site area which also includes an additional part of the field to the south (RR/2023/2153/P). There is no natural boundary between the original allocated site and the extension, and furthermore, extending southwards has allowed for a vehicular access from Main Street rather than Elmsmead. As development has not yet commenced it is appropriate to allocate the extended site, and the policy requirements reflect both the site constraints and the requirements of the planning permission.
Reproduced from the Ordnance Survey mapping with the permission of the Controller of His Majesty’s Stationary Office. (Crown Copyright). Unauthorised reproduction infringes Crown copyright and may lead to prosecution or civil proceedings. No further copies may be made. Rother District Council Licence No. 100018643 2025
Policy Reference: ID2
Site name: Land at Street Field, Main Street, Iden
Site identification: Site submittedthrough the HELAA process (IDE0010)
Greenfield/ Brownfield: Greenfield
Sub-area: Rye and eastern areas
Allocated use and capacity: The site is allocated forresidential development comprising some 10 new dwellings.
Density statistics:
|
Area type: |
Village |
|
Site size (ha): |
0.35 |
|
Indicative size of area for built development (ha): |
0.3 |
|
Indicative residential density: |
35 dwellings per hectare |
Site specific development requirements:
Development on this site must:
- Provide a policy-compliant amount of on-site affordable housing in line with policy HOU2 of the Rother Local Plan
- Include a new vehicular access from Main Street
- Restrict development to a linear layout of small, terraced houses along Main Street
- Retain and enhance the existing hedgerow on the western boundary with Main Street, except for a short section to be removed to facilitate an access point and sight lines, which should be minimised as far as possible.
- Be subject to ecological surveys if it is demonstrated they are required.
- Protect the setting of the Grade II listed buildings opposite and to the north and south of the site and retain and enhance the on-site historic field boundary.
- Provide improvements to off-site highway infrastructure to encourage active travel and for pedestrian safety, including new pedestrian footway, improvements to nearby bus stops and pedestrian access to bus stops, and financial contributions to other measures to encourage active travel, as required by the Highway Authority.
- Include an assessment and evaluation of the site’s archaeological potential and the implementation of any mitigation measures identified through the assessment.
Supporting text:
The site forms the western section of a gently sloping open field at the southern end of the village, forming part of a wider fieldscape which extends into open countryside to the east. It is bordered by a short terrace of cottages, including grade II listed buildings, on its southern boundary. It has a substantial roadside hedge on its boundary with Main Street and a field access.
The site is suitable for a short terrace of small houses fronting Main Street, which would continue the adjoining ribbon development northwards. This is subject to the retention of as much of the roadside hedge as possible, allowing for an access and footway. Development must be of an appropriate high-quality design in order to respect the rural setting of the village within the High Weald National Landscape, the setting of adjacent listed buildings and the presence of an archaeological notification area.
Reproduced from the Ordnance Survey mapping with the permission of the Controller of His Majesty’s Stationary Office. (Crown Copyright). Unauthorised reproduction infringes Crown copyright and may lead to prosecution or civil proceedings. No further copies may be made. Rother District Council Licence No. 100018643 2025
45. Do you have any comments on the proposed site allocations in Iden, detailed in Policies ID1 and ID2? Comment
Northiam
Parish: Northiam
Policy Reference: NR1
Site name: Land south of Northiam Church of England Primary School, Northiam
Site identification: Allocated in the Development and Site Allocations Local Plan (Policy NOR1)
Greenfield/ Brownfield: Greenfield
Sub-area: Rye and the eastern areas
Allocated use and capacity: The site is allocated for residential development comprising some 7 new dwellings.
Density statistics:
|
Area type: |
Village |
|
Site size (ha): |
0.34 |
|
Indicative size of area for built development (ha): |
0.2 |
|
Indicative residential density: |
35 |
Site specific development requirements:
Development on this site must:
- Provide a policy-compliant amount of on-site affordable housing in line with policy HOU2 of the Rother Local Plan
- Include vehicle access to the A28 to the satisfaction of the Highway Authority;
- Retain existing trees on the eastern and western boundaries, protected by Tree Preservation Orders, and retain and enhance the hedgerow on the eastern boundary with native species; and
- Include an assessment and evaluation of the site’s archaeological potential and the implementation of any mitigation measures identified through the assessment.
Supporting text:
The site is on the southern fringe of the village on the western side of the A28. It comprises an undeveloped area of land between the Primary School and Nursery (to the north) and a detached residential property (to the south). It is allocated for 6 dwellings in the DaSA Local Plan but it is considered appropriate to increase the capacity slightly.
The land slopes down away from the road and is mostly laid to grass. There are 2 mature Oak trees and a Pine tree on the frontage of the site and 2 mature Oak trees at the rear of the site, all of which are protected by Tree Preservation Orders. A comprehensive tree survey will need to inform any future development scheme to ensure the retention of the protected trees, including the provision of a suitable buffer to protect their roots, and to avoid undue overshadowing from the trees in planning the site layout. The opportunity should also be taken to enhance the existing hedgerow on the front boundary of the site and give consideration to the site’s location within the Biodiversity Opportunity Area in identifying any additional opportunities for biodiversity enhancements as part of the development.
A single access point onto the A28 should be provided. This is likely to be achieved towards the northern end of the site’s eastern boundary and must not harm protected trees on the site boundary. Access from the A28 to the adjacent school playing field must be retained. Given the close proximity of the site to the school and the junction with the B2088, a safety audit will need to be carried out as part of the planning application and suitable sight lines achieved, to the satisfaction of the Highway Authority.
A scheme for the site’s development will need to be of a high design quality, appropriate to its location within the High Weald AONB and adjacent to the Northiam Conservation Area.
The site has high potential for prehistoric, Roman and medieval archaeological remains and an archaeological assessment will need to be undertaken as part of the planning application for its future development, the results of which may need to inform the site layout.
A sewer line passes close to the northern boundary of the site, and this will also need to be considered in planning a development layout.
Reproduced from the Ordnance Survey mapping with the permission of the Controller of His Majesty’s Stationary Office. (Crown Copyright). Unauthorised reproduction infringes Crown copyright and may lead to prosecution or civil proceedings. No further copies may be made. Rother District Council Licence No. 100018643 2025
Policy Reference: NR2
Site name: Land at Egmont Farm, Station Road, Northiam
Site identification: Site submitted through the HELAA (NOR0026)
Greenfield/ Brownfield: Greenfield
Sub-area: Rye and the eastern settlements
Allocated use and capacity: The site is allocated for residential development comprising some 25 dwellings.
Density statistics:
|
Area type: |
Village |
|
Site size (ha): |
1.61 |
|
Indicative size of area for built development (ha): |
1 |
|
Indicative residential density: |
25 dwellings per hectare |
Site specific development requirements:
Development on this site must:
- Provide a policy-compliant amount of on-site affordable housing in line with policy HOU2 of the Rother Local Plan
- Be informed by a landscape sensitivity assessment to determine an appropriate layout, form and detailed design to ensure the conservation and enhancement of the landscape and character of the High Weald National Landscape.
- Include areas of green infrastructure, to include public open space and areas for biodiversity net gain, in accordance with the ratios detailed above
- Include a new vehicular access to the satisfaction of the Highway Authority.
- Include new pedestrian and cycle links to Station Road and any other off-site improvements to highway infrastructure and/ or financial contributions for measures identified by the Highway Authority as necessary to improve access to the site by active travel and public transport
- Retain and enhance the existing hedgerow on the north, south and eastern boundaries of the site, except for any short sections required to be removed to facilitate safe access, which should be minimised as far as possible.
- Retain and enhance the existing pond in the southern of the site and provide an appropriate buffer to any built development including roadways, as informed by an ecological survey, to be completed.
- Include sustainable drainage in the southern section of the site in accordance with Policy ENV2 of the Rother Local Plan.
Supporting text:
This is a large field occupying almost the full length of Coppards Lane on its northern side. It is used as paddocks associated with development at the western end of the site. In landscape terms, the site is influenced by human activity, although it does contribute to the rural setting of the village within the High Weald National Landscape. Therefore, a sensitive form of development, including significant areas of green infrastructure, and the retention and enhancement of High Weald features including hedgerows, is required in line with Local Plan policies.
Environmental and other constraints affecting the site include a pond on site and historic field boundaries; the policy requirements detailed above reflect these.
The site is some distance from village services although there are footways and bus stops nearby on Station Road. Improvements to pedestrian and cycle infrastructure to encourage active travel are required, as detailed above, together with other off-site highway works (or financial contributions towards improvement measures) as may be recommended by the Highway Authority. Northiam is a village with a reasonable level of services but there are extremely limited alternative suitable development opportunities closer to the village centre, as shown through the Housing and Economic Land Availability Assessment. Consequently, subject to the accessibility improvements and mitigation measures detailed, the site is considered suitable for additional dwellings.
Reproduced from the Ordnance Survey mapping with the permission of the Controller of His Majesty’s Stationary Office. (Crown Copyright). Unauthorised reproduction infringes Crown copyright and may lead to prosecution or civil proceedings. No further copies may be made. Rother District Council Licence No. 100018643 2025
46. Do you have any comments on the proposed site allocations in Northiam, detailed in Policies NR1 and NR2? Comment
Peasmarsh
Parish: Peasmarsh
Policy Reference: PE1
Site name: Land south of Main Street, Peasmarsh
Site identification: Site submitted through the HELAA process (PEA0001 and PEA0035)
Greenfield/ Brownfield: Greenfield
Sub-area: Rye and eastern areas
Allocated use and capacity: The site is allocated for residential development comprising some 70 new dwellings.
Density statistics:
|
Area type: |
Village |
|
Site size (ha): |
3.2 |
|
Indicative size of area for built development (ha): |
2 |
|
Indicative residential density |
35 dwellings per hectare |
Site specific development requirements:
Development on this site must:
- Provide a policy-compliant amount of on-site affordable housing in line with policy HOU2 of the Rother Local Plan
- Provide vehicular, pedestrian and cycle access from Main Street (which is likely to require demolition of a dwelling), to the satisfaction of the Highway Authority;
- Include improvements to off-site highway infrastructure (and necessary financial contributions), including: a new pedestrian crossing on Main Street, a new bus stop on the westbound side of Main Street, improvements to the existing eastbound bus stop, and financial contributions towards bus services, all in accordance with the requirements of the Highway Authority;
- Include new pedestrian links to Jempsons and south-eastwards towards School Lane, integrating (and diverting as necessary) the existing public right of way and including any necessary improvements, to the satisfaction of the Rights of Way Officer;
- Provide for new pedestrian and cycle links to the adjoining allocated site to the south-east (“Land at Pippins, Main Street”);
- Retain and enhance the existing hedgerows/ trees on the boundaries of the site and within the site, and include an additional landscaped buffer area of Green Infrastructure in the southern part of the site and along the south-western boundary, which could also include sustainable drainage, public open space and new tree planting to screen the site in views from the south-west and protect and enhance the adjoining area of Priority Habitat (traditional orchard) to the south-east;
- Include an assessment and evaluation of the site’s archaeological potential and the implementation of any mitigation measures identified through the assessment.
Supporting text:
The site comprises a series of paddocks and a horse menage, at the rear of ribbon development fronting Main Street. It is relatively level and enclosed from views from the wider countryside. On its south-eastern boundary the site adjoins land allocated for housing and open space through Policy PEA1 of the DaSA Local Plan (and proposed allocation PE2 of this Plan), and the site is suitable for additional residential development, subject to improvements to encourage active travel, protection of trees and hedges, and the provision of an appropriate landscape- and open space- buffer on its southern section to screen long views to the south and to tie in with the open space provision in the allocated site to the east.
The site is within the High Weald National Landscape and therefore a sensitive form of development is required in line with Local Plan policies. Environmental constraints including Traditional Orchard Priority Habitat (protected by a Tree Preservation Order) adjacent to the eastern boundary must be considered in proposals as detailed above. The site is also partly within an Archaeological Notification Area and contains a Historic Field Boundary and Public Right of Way within the site, and the policy requirements above reflect these.
The site is close to existing services and facilities in Peasmarsh, and improvements to off-site highway infrastructure (including bus stops) and pedestrian and cycle linkages are required through the policy to encourage active travel.
It is acknowledged that this site, together with the adjoining allocated site (Policy PE2) will result in a large residential development on the edge of the village and within the National Landscape. In landscape terms both sites are well-related to the built form of the village, and enhancements to High Weald features including boundary trees and hedgerows and historic field boundaries can be secured. The level of services in the village is good although improvements to bus services will assist in reducing residents’ reliance on private vehicles and these are also secured through the policy. Discussions with infrastructure providers will continue through the development of the Local Plan to determine any additional provision required.
Reproduced from the Ordnance Survey mapping with the permission of the Controller of His Majesty’s Stationary Office. (Crown Copyright). Unauthorised reproduction infringes Crown copyright and may lead to prosecution or civil proceedings. No further copies may be made. Rother District Council Licence No. 100018643 2025
Policy Reference: PE2
Site name: Land rear of Pippins, Main Street, Peasmarsh
Site identification: Site allocation in the DaSA (Policy PEA1)
Greenfield/ Brownfield: Greenfield
Sub-area: Rye and the eastern settlements
Allocated use and capacity: The site is allocated for residential developmentcomprising some 45 new dwellings.
Density statistics:
|
Area type: |
Village |
|
Site size (ha): |
3.21 |
|
Indicative size of area for built development (ha): |
1.3 |
|
Indicative residential density: |
35 dwellings per hectare |
Site specific development requirements:
Development on this site must:
- Provide a policy-compliant amount of on-site affordable housing in line with policy HOU2 of the Rother Local Plan
- Include a vehicular access from Main Street to the satisfaction of the Highway Authority;
- Additional pedestrian access is provided to the north-east of the site, connecting down the length of the eastern boundary via a green corridor; and southwards connecting to the footpath network;
- Provide a children’s play area, which should be subject to passive surveillance from residential frontages, with funding and management arrangements secured for its ongoing maintenance;
- Provide open space in the southern part of the site as shown on the Detail Map, incorporating the traditional orchard within it, with funding and management arrangements secured for its on-going maintenance;
- Retain and enhance the other existing ecological and High Weald NL character features as far as reasonably practicable, including historic field boundaries, boundary hedgerows, existing trees and existing pond;
- Maintain and reinforce the existing landscaped boundaries around the site are with native planting, and new landscaped boundaries are created on exposed western edges;
- Include an assessment and evaluation of the site’s archaeological potential and the implementation of any mitigation measures identified through the assessment; and
- Provide sustainable drainage (SuDS) in accordance with Policy ENV2: Sustainable Surface Water Drainage.
Supporting text:
The site comprises fields/ paddocks and a traditional orchard at the rear of residential properties on Main Street. The developable area is 1.5 hectares and it is anticipated that 45 dwellings will be provided, 40% of which will be affordable. Open space provision including a children’s play area also forms part of the allocation. Access will be from Main Street via land currently occupied by “Pippins”, a detached residential property which would be demolished. A priority solution for traffic will be required on a narrow section of the access road, some 70m into the site. A Road Safety Audit will be required to inform the precise details of the access, to be determined at planning application stage.
New pedestrian routes should traverse the site, linking it to Main Street to the north and the public footpath network to the south and west. The existing track off Main Street, identified for this purpose, may require some upgrading. This would be for further consideration at planning application stage.
Residential development will be limited to the northern and central parts of the site as these areas are well screened from the wider countryside. The southern section has a rising topography and a more rural character and is suited to use as public open space. A children’s play area should be provided in the south-eastern part of the site. In addition to serving the new residents, this will help address an existing shortfall in the village, identified through the Council’s Open Space, Sport and Recreation Study (2007).
The traditional orchard, which is both a Priority Habitat and a character feature of the High Weald NL, is to be retained, together with other existing ecological and NL character features. These include historic field boundaries on the southern edges of the site, boundary hedgerows, mature trees (including a large oak tree on the western side of the site) and ponds. Additional hedgerows of native species would assist in screening the residential development and offer the opportunity for biodiversity enhancement. Future maintenance and management of these elements will need to be secured through a planning permission.
Surface water flow paths cross the southern part of the site and SuDS are likely to be required. Opportunities should be taken where possible to provide multi-functional SuDS, for example, a wetland habitat green corridor alongside the pedestrian link.
The site has high potential for prehistoric, Roman and medieval archaeological remains. Appropriate archaeological assessment will need to be undertaken in support of a planning application for its future development.
Reproduced from the Ordnance Survey mapping with the permission of the Controller of His Majesty’s Stationary Office. (Crown Copyright). Unauthorised reproduction infringes Crown copyright and may lead to prosecution or civil proceedings. No further copies may be made. Rother District Council Licence No. 100018643 2025
Policy Reference: PE3
Site name: Tanyard, Main Street, Peasmarsh
Site identification: New site identified through HELAA (PEA0024)
Greenfield/ Brownfield: Greenfield
Sub-area: Rye and the eastern settlements
Allocated use and capacity: The site is allocated for residentialdevelopment comprising some 15 new Affordable dwellings.
Density statistics:
|
Area type: |
Village |
|
Site size (ha): |
1.8 |
|
Indicative size of area for built development (ha): |
0.5 |
|
Indicative residential density: |
35 dwellings per hectare |
Site specific development requirements:
Development on this site must:
- Provide for a wholly or substantially affordable housing scheme in accordance with policy HOU3 of the Rother Local Plan
- Include a new vehicular access from Main Street and any necessary off-site highway infrastructure improvements (or financial contributions towards such works) as required by the Highway Authority.
- Provide a pedestrian link to the adjacent Public Right of Way leading from School Lane.
- Be informed by a landscape sensitivity assessment to determine an appropriate layout, form and detailed design to ensure the conservation and enhancement of the landscape and character of the High Weald National Landscape.
- Retain and enhance the existing hedgerow and trees on the southern and eastern boundaries of the site and within the site, and provide an area of Green Infrastructure to include public open space and land for Biodiversity Net Gain in the southern part of the site.
- Protect the setting of the two Grade II listed buildings, Stream Farm Cottage and Stream Farmhouse to the north of the site access.
- Protect and enhance the Deciduous Woodland Priority Habitat to the south of the site.
- Protect the residential amenity of the occupiers of adjoining dwellings.
- Include an assessment and evaluation of the site’s archaeological potential and the implementation of any mitigation measures identified through the assessment.
Supporting text:
This site comprises a section of a field, south and to the rear of linear development on Main Street and School Lane. It slopes up from the edge of the village and is visible from public and private viewpoints. Development in the southern part of the site (on the highest ground) would be prominent in views and would not relate well to the established linear settlement pattern. However, in landscape terms, a small residential development could be accommodated in the northern and eastern parts of the site, with an area of green infrastructure to the south which would also provide a buffer to the adjoining woodland (priority habitat). The landowner has indicated that the site is available for an affordable housing scheme of 15 dwellings.
The site is within the High Weald National Landscape and therefore a sensitive form of development is required in line with Local Plan policies. Environmental constraints include two nearby listed buildings, the tree and hedgerow boundary and the Deciduous Woodland Priority Habitat area to the south. The policy requirements detailed above reflect these. The site is well located in relation to village services but improvements to public transport infrastructure may be required in line with the recommendations of the Highway Authority.
Reproduced from the Ordnance Survey mapping with the permission of the Controller of His Majesty’s Stationary Office. (Crown Copyright). Unauthorised reproduction infringes Crown copyright and may lead to prosecution or civil proceedings. No further copies may be made. Rother District Council Licence No. 100018643 2025
Policy Reference: PE4
Site name: Land East of Orchard Way
Site identification: Existing allocation in the Peasmarsh Neighbourhood Plan
Greenfield/ Brownfield: Greenfield
Sub-area: Rye and the eastern areas
Allocated use and capacity: The site is allocated for residential development comprising some 7 new dwellings.
Density statistics:
|
Area type: |
Village |
|
Site size (ha): |
0.2 |
|
Indicative size of area for built development (ha): |
0.15 |
|
Indicative residential density: |
35 dwellings per hectare |
Site specific development requirements:
Development on this site must:
- Provide a policy-compliant amount of on-site affordable housing in line with policy HOU2 of the Rother Local Plan
- Include a new vehicular access from Main Street.
- Include no built development in the southern part of the site which is shown to be at risk of surface water flooding.
- Retain and enhance the existing hedgerow and trees on the western boundary of the site.
- Retain and enhance the existing pond in the south-eastern part of the site and provide an appropriate buffer to any built development including roadways, as informed by an ecological survey, to be completed.
- Include sustainable drainage in the southern section of the site in accordance with Policy ENV2 of the Rother Local Plan.
- Protect the setting of the Grade II listed buildings, Stream Farmhouse and Stream Cottage, to the southwest of the site. Include an assessment and evaluation of the site’s archaeological potential and the implementation of any mitigation measures identified through the assessment.
Supporting text:
The site is located at the end of a short lane, behind the houses on Main Street directly east of the lane. It is allocated for 7 dwellings in the Peasmarsh Neighbourhood Plan but development has not yet come forward so it is appropriate to reallocate the site.
The site is within the High Weald National Landscape and therefore a sensitive form of development is required in line with Local Plan policies. Environmental and other constraints affecting the site include two listed buildings located to the west of the site, surface water flooding is a risk in the southern half of the site and there is a pond located in the southeast corner. The policy requirements detailed above reflect the constraints.
Reproduced from the Ordnance Survey mapping with the permission of the Controller of His Majesty’s Stationary Office. (Crown Copyright). Unauthorised reproduction infringes Crown copyright and may lead to prosecution or civil proceedings. No further copies may be made. Rother District Council Licence No. 100018643 2025
Policy Reference: PE5
Site name: Land at Malthouse Business Park, The Maltings, Peasmarsh
Site identification: Council-owned land
Greenfield/ Brownfield: Brownfield
Sub-area: Rye and the eastern areas
Allocated use and capacity: The site is allocated for mixed use development comprising some 6 new dwellings and 400 sqm of business floorspace Use Class E(g).
Density statistics:
|
Area type: |
Village |
|
Site size (ha): |
0.18 |
|
Indicative size of area for built development (ha): |
0.18 |
|
Indicative residential density: |
35 dwellings per hectare |
Site specific development requirements:
Development on this site must:
- Provide a policy-compliant amount of on-site affordable housing in line with policy HOU2 of the Rother Local Plan.
- Comprise of smaller dwellings of one and two bedroom flats.
- Reuse the vehicular access from The Malting/The Old Hop Garden.
- Retain and enhance the existing hedgerow and trees on the site.
- Include provision for the retention and future management of a buffer zone of semi-natural habitat, at least 15 metres wide (which does not include residential gardens), on the northern boundary, between the edge of development and the ancient woodland.
- Protect and enhance the Deciduous Woodland Priority Habitat within the north of the site.
- Be designed to protect the amenity of the neighbouring properties.
Supporting text:
The site comprises a small business park containing six single-storey business units and an associated parking and turning area. It is within a largely residential area adjacent to the village recreation ground, children's play area and pavilion. located at the end of a short lane, behind the houses on Main Street directly east of the lane. The site provides for a redevelopment opportunity by retaining the quantum of existing business floorspace and allowing for a mixed-use development with smaller flats on the upper storeys.
The site is within the High Weald National Landscape and therefore a sensitive form of development is required in line with Local Plan policies. Environmental and other constraints affecting the site include areas of Ancient Woodland to the north of the site as well as Deciduous Woodland Priority Habitat within the northern boundary. The policy requirements detailed above reflect the constraints.
Reproduced from the Ordnance Survey mapping with the permission of the Controller of His Majesty’s Stationary Office. (Crown Copyright). Unauthorised reproduction infringes Crown copyright and may lead to prosecution or civil proceedings. No further copies may be made. Rother District Council Licence No. 100018643 2025
47. Do you have any comments on the proposed site allocations in Peasmarsh, detailed in Policies PE1 to PE5? Comment
Playden
Parish: Playden

Policy Reference: PL1
Site name: Land South of Poppyfields and Corner House (combined)
Site identification: New site identified through HELAA.
Greenfield/ Brownfield: Greenfield
Sub-area: Rye and the eastern areas
Allocated use and capacity: The site is allocated for residential development comprising some 25 new dwellings.
Density statistics:
|
Area type: |
Village |
|
Site size (ha): |
1.12 |
|
Indicative size of area for built development (ha): |
0.7 |
|
Indicative residential density: |
35 dwellings per hectare |
Site specific development requirements:
Development on this site must:
- Provide a policy-compliant amount of on-site affordable housing in line with policy HOU2 of the Rother Local Plan
- Include a new vehicular access and necessary off-site highway improvements to provide for access by pedestrians and cyclists.
- Provide a replacement car parking area for community use off Houghton Green Lane, should the existing area for community car parking be reduced through creation of a site access.
- Be informed by a tree survey to ensure the retention and protection of the mature trees on the western boundary of the site, which should not be included within residential garden areas.
- Include an area of green infrastructure (which could contain public open space and biodiversity net gain) in the western part of the site, which also facilitates the retention and protection of the mature trees on the western boundary.
- Retain and enhance existing trees and hedgerows on the northern and southern boundaries other than any short section to be removed from the northern boundary to facilitate a vehicular access point, which should be minimised as far as possible.
- Include a new boundary hedgerow of native species to define the site’s eastern boundary.
- Protect the setting of the Grade II listed building “Corner House” (also known as the Playden Oasts Hotel) to the north-west of the site.
- Include an assessment and evaluation of the site’s archaeological potential and the implementation of any mitigation measures identified through the assessment.
Supporting text:
The site comprises a field/ garden land associated with “Corner House”, together with the western part of an adjoining agricultural field and a small car parking area. It is located between Houghton Green Lane (to the north) and Rye Road (the A268) (to the west).
The site is relatively level and enclosed from longer views and it lies outside the High Weald National Landscape, which is on the opposite side of the road to the west. A sensitive design will be necessary to ensure the setting of Corner House, a grade II listed building, is protected, and existing mature trees on the (western) roadside boundary with Rye Road are also retained and protected. Policy requirements would ensure the protection and enhancement of existing boundary hedges and trees and also the provision of a new hedge to define the eastern boundary of the site.
Access and accessibility are potential constraints. A vehicular access from Houghton Green Lane to the north would also have constraints due to there being, a level change between the eastern part of the site and the Lane, meaning that the most appropriate access point is likely to be through an existing car parking area, associated with the Women’s Institute Hall (which is itself on the opposite side of the lane). Landowner agreement to the use of this land would be necessary, and any loss of car parking provision replaced as part of the site’s development. Furthermore, Houghton Green Lane is narrow with no footways and is unsuited for pedestrian use. In terms of accessibility, the site is at the northern end of the village but within walking distance of bus stops and some services.
Policy Reference: PL2
Site name: Land between Saltcote and The Steps
Site identification: New site identified through the HELAA (PLA0008)
Greenfield/ Brownfield: Greenfield
Sub-area: Rye and the eastern settlements
Allocated use and capacity: The site is allocated for residential development comprising some 14 new dwellings
Density statistics:
|
Area type: |
Village |
|
Site size (ha): |
0.59 |
|
Indicative size of area for built development (ha): |
0.4 |
|
Indicative residential density: |
35 dwellings per hectare |
Site specific development requirements:
Development on this site must:
- Provide a policy-compliant amount of on-site affordable housing in line with policy HOU2 of the Rother Local Plan
- Include a new vehicular access from New England Lane in the south-western corner of the site, to the satisfaction of the Highway Authority.
- Be informed by a landscape sensitivity assessment to determine an appropriate layout, form and detailed design to ensure the protection of the setting of the Grade I Listed building “The Parish Church of St Michael” to the north of the site.
- Include off-site highway improvements to include a new pedestrian footway alongside New England Lane to link the site to the existing footway alongside the A268, Rye Road.
- Include no built development close to the southern boundary in order to ensure the protection of mature trees on this boundary and to avoid the area which is shown to be at risk of surface water flooding
- Include sustainable drainage in accordance with Policy ENV2 of the Rother Local Plan
- Retain and enhance the existing hedgerows and trees on the boundaries of the site
- Include an assessment and evaluation of the site’s archaeological potential and the implementation of any mitigation measures identified through the assessment.
Supporting text:
The site is a small field on the northern side of New England Lane. Access is along the narrow lane only, and consequently, an appropriate vehicular access point would need to be at the south-western corner before the Lane narrows significantly and the levels change. The pedestrian footway will also need to be extended to reach the site. In accessibility terms the site is close to services in Playden and bus stops on Rye Road.
The site is generally well enclosed by adjoining development and trees and lies outside the High Weald National Landscape. A pond is located outside the site to the north and the southern boundary has a risk of surface water flooding in the centre. The existing tree boundary to the north and east partly screen the site from the wider countryside. The existing trees on the roadside (southern) boundary are large and significant features in the local landscape and should be retained in the site layout. A Grade I listed building is located nearby, The Parish Church of St Michael, to the northwest. The detailed design will need to be informed by a landscape sensitivity assessment to ensure the setting remains protected.
48. Do you have any comments on the proposed site allocations in Playden, detailed in Policies PL1 and PL2? Comment
Rye
Parish: Rye
Policy Reference: RY1
Site name: Former Tilling Green School, Rye
Site identification: Existing site allocation in the Rye Neighbourhood Plan
Greenfield/ Brownfield: Brownfield site
Sub-area: Rye and the eastern areas
Allocated use and capacity: The site is allocated for residential development comprising some 25 new dwellings.
Density statistics:
|
Area type: |
Urban |
|
Site size (ha): |
0.92 |
|
Indicative size of area for built development (ha): |
0.5 |
|
Indicative residential density: |
40 dwellings per hectare |
Site specific development requirements:
Development on this site must:
- Provide a policy-compliant amount of on-site affordable housing in line with policy HOU2 of the Rother Local Plan
- Include a new vehicular access from Mason Road
- Retain the community centre in-situ or relocate to an agreed location before the last dwelling is occupied.
- Require the design of any development to be sympathetic to the building form and materials used in surrounding buildings and provide appropriate external amenity areas for the dwellings and the community centre.
- Provide car parking in accordance with appropriate standards with approved road access.
- Demonstrate through a site-specific flood risk assessment that any residential development is safe for the lifetime of the development, taking into account future climate change scenarios and incorporating appropriate flood resilient and resistant measures including safe access and escape routes.
- Require reduced water consumption by incorporating water re-use measures.
- Identify and preserve existing flow routes and drainage features, such as ditches, traditional sewers and drains.
- Incorporate measures to alleviate the historical surface water flooding in Mason Road.
- Phase the occupation of the development to align with the delivery of sewerage infrastructure.
Supporting text:
The Tilling Green site comprises the former school building and playing field/green space and is currently used for community purposes. It is allocated for residential development through the Rye Neighbourhood Plan but has not yet come forward, therefore it is appropriate to reallocate the site. Environmental and other constraints affecting the site include that the site sits in Flood Zone 3 and the policy requirements detailed above reflect this.
Reproduced from the Ordnance Survey mapping with the permission of the Controller of His Majesty’s Stationary Office. (Crown Copyright). Unauthorised reproduction infringes Crown copyright and may lead to prosecution or civil proceedings. No further copies may be made. Rother District Council Licence No. 100018643 2025
Policy Reference: RY2
Site name: Winchelsea Road (East side)
Site identification: Allocated site in the Rye Neighbourhood Plan
Greenfield/ Brownfield: Brownfield
Sub-area: Rye and the eastern areas
Allocated use and capacity: The site is allocated for mixed use development comprising some 10 new dwellings and 500 square metres of new employment space.
Density statistics:
|
Area type: |
Urban |
|
Site size (ha): |
1.71 |
|
Indicative size of area for built development (ha): |
1.5 |
|
Indicative residential density: |
40 dwellings per hectare |
Site specific development requirements:
Development on this site must:
- Provide a policy-compliant amount of on-site affordable housing in line with policy HOU2 of the Rother Local Plan.
- Include a new vehicular access from Winchelsea Road.
- Include new cycle links to Rye Town Centre and Rye Nature Reserve.
- Be designed so that if it is developed in phases, the form of the development does not prejudice the redevelopment of adjacent land.
- Be of high architectural quality and create a strong sense of place to enhance its setting against the Rye Conservation Area and having regard to its riverside location.
- There should be provision for riverside green spaces and access for the England South East Coastal Path.
- Conserve riverside green spaces and access for the King Charles III England Coast path.
- Provide visual permeability to the Rye Citadel from the East, with roof heights set not to obstruct longer views from the countryside towards Rye.
- Demonstrate through a site-specific flood risk assessment that any residential development is safe for the lifetime of the development, taking into account future climate change scenarios and incorporating appropriate flood resilient and resistant measures including safe access and escape routes.
- Ensure that development is raised above the design flood level with an allowance for Climate Change, and as flood defences are present the estimated flood level should account for the residual flood risk if they breached or overtopped.
- Incorporate SuDS measures to take appropriate account of local conditions. Adopt measures to include flow attenuation (such as green roofs) and water re-use such as rainwater harvesting, surface water harvesting and/or grey water recycling systems. Identify and preserve existing surface water flow routes and drainage features within the site e.g. ditches and drains.
- Ensure future access to existing infrastructure for maintenance and upsizing purposes.
Supporting text:
This broad location runs from the Harbour Road to the former Total Garage on the east side of the Winchelsea Road. It is allocated as a broad location for additional development through the Rye Neighbourhood Plan but has not yet come forward, therefore it is appropriate to reallocate the site. Environmental and other constraints affecting the site include the site being located within Flood Zone 3 and the policy requirements detailed above reflect these. The site is well located in relation to town services but improvements to cycle infrastructure to encourage active travel are required, as detailed above.
Reproduced from the Ordnance Survey mapping with the permission of the Controller of His Majesty’s Stationary Office. (Crown Copyright). Unauthorised reproduction infringes Crown copyright and may lead to prosecution or civil proceedings. No further copies may be made. Rother District Council Licence No. 100018643 2025
Policy Reference: RY3
Site name: Winchelsea Road (West side)
Site identification: Existing allocation in the Rye neighbourhood Plan
Greenfield/ Brownfield: Brownfield
Sub-area: Rye and the eastern areas
Allocated use and capacity: The site is allocated for mixed use development comprising:
- Some 59 new dwellings including 43 supported apartments for older people, and
- Some 1900 square metres floorspace for commercial use
Density statistics:
|
Area type: |
Suburban |
|
Indicative site size (ha): |
1.57 |
|
Indicative size of area for built development (ha): |
1.57 |
|
Indicative residential density: |
58 dwelling per hectare |
Site specific development requirements:
Development on this site must:
- Provide a policy-compliant amount of on-site affordable housing in line with policy HOU2 of the Rother Local Plan.
- Include a new vehicular access from Winchelsea Road.
- Include new cycle links to Rye Town centre and Harbour Road.
- Phase the implementation so that one element does not prejudice the development of adjacent land.
- Create a strong sense of place through careful design.
- Demonstrate through a site-specific flood risk assessment that any residential development is safe for the lifetime of the development, taking account of future climate change scenarios and incorporating appropriate flood resilient and resistant measures including safe access and escape routes.
- Ensure that all development is raised above the design flood level with an allowance for Climate Change, and flood defences must take account of the estimated flood level and the residual flood risk if defences are breached or overtopped.
- Incorporate sustainable drainage measures to take appropriate account of local conditions. Measures should include flow attenuation (such as green roofs) and water re-use such as rainwater harvesting, surface water harvesting and/or grey water recycling systems.
- Identify and preserve existing surface water flow routes and drainage features within the site including ditches, drains and seasonally dry watercourses.
- Plan the layout to ensure future access to existing utility infrastructure for maintenance and upsizing purposes.
- Phase the occupation of the development to align with the delivery of sewerage infrastructure.
- Protect the setting of the Grade II listed buildings, Willow Tree House and Martello Tower No.30 (also a Scheduled Monument), to the west and south of the site.
Supporting text:
The site sits on the west side of the main gateway to Rye from the A259 trunk road. The location is lower than the road by some 2 metres and is bounded by the road in the East and the marsh in the West. Environmental and other constraints affecting the site include the location being wholly within Flood Zone 3 and adjacent to an area of Priority Habitat, the Brede Valley Local Wildlife Site and the High Weald National Landscape boundary. There are also nearby Grade II listed buildings Willow Tree House and Martello Tower Number 30. The policy requirements detailed above reflect these.
The site is allocated for a mixed-use development including 20 dwellings and employment floorspace through the Rye Neighbourhood Plan. However, it is also subject to a current planning application for a higher number of dwellings (including older people’s housing) and a retail unit (supermarket). It is appropriate to reallocate the site, and pending the determination of the current planning application, a higher number of dwellings might be considered appropriate, given the sustainability of the location and the need to make efficient use of brownfield land. An alternative commercial use could also potentially be accepted, as there is significant employment floorspace capacity within the Harbour Road employment area nearby.
Reproduced from the Ordnance Survey mapping with the permission of the Controller of His Majesty’s Stationary Office. (Crown Copyright). Unauthorised reproduction infringes Crown copyright and may lead to prosecution or civil proceedings. No further copies may be made. Rother District Council Licence No. 100018643 2025
Policy Reference: RY4
Site name: Rye Creative Centre (former Freda Gardham School)
Site identification: Site allocations in the Rye Neighbourhood Plan
Greenfield/ Brownfield: Brownfield
Sub-area: Rye and the eastern settlements cluster
Allocated use and capacity: The site is allocated for a mixed-use development comprising:
- some 50 dwellings; and
- a petrol station and/ or convenience store provision of up to 500 sqm of floorspace.
Density statistics:
|
Area type: |
Suburban |
|
Site size (ha): |
1.61 |
|
Indicative size of area for built development (ha): |
1.25 |
|
Indicative residential density: |
40 dwellings per hectare |
Site specific development requirements:
Development on this site must:
- Provide a policy-compliant amount of on-site affordable housing in line with policy HOU2 of the Rother Local Plan.
- Include a new vehicular access from New Road.
- Incorporate appropriate treatment to the south and west boundaries to protect the countryside and habitats beyond.
- Demonstrate through a site-specific flood risk assessment that any residential development is safe for the lifetime of the development, taking account of future climate change scenarios, by incorporating appropriate flood resilient and resistant measures including safe access and escape routes.
- Ensure that all development is raised above the design flood level with an allowance for climate change. Site specific flood defences should take account of the estimated flood level and the residual flood risk if the defences are breached or overtopped.
- Incorporate SuDS measures using measures to include flow attenuation (such as green roofs) and water re-use such as rainwater harvesting, surface water harvesting and/or grey water recycling systems. Existing surface water flow routes and drainage features within the site should be identified and preserved e.g. ditches and seasonally dry watercourses.
Supporting text:
This is a brownfield site, a former school, on the eastern edge of Rye, comprising school buildings, a disused swimming pool and playing field between, all verging onto Romney Marsh. The Rye Creative Centre is currently located in the former school building. Environmental and other constraints affecting the site include that the site is wholly located in Flood Zone 3 and the policy requirements detailed above reflect this.
The site is allocated for residential development (30 new dwellings) and also a petrol station and/ or convenience store through the Rye Neighbourhood Plan but has not yet come forward, therefore it is appropriate to reallocate the site. The site capacity is considered to be greater than 30 dwellings (given the need to make best use of brownfield land in sustainable locations) as reflected in this revised policy.
Reproduced from the Ordnance Survey mapping with the permission of the Controller of His Majesty’s Stationary Office. (Crown Copyright). Unauthorised reproduction infringes Crown copyright and may lead to prosecution or civil proceedings. No further copies may be made. Rother District Council Licence No. 100018643 2025
Policy Reference: RY5
Site name: Rock Channel Site A
Site identification: Site allocation in the Rye Neighbourhood Plan
Greenfield/ Brownfield: Brownfield
Sub-area: Rye and the eastern areas
Allocated use and capacity: The site is allocated for residential development comprising some 80 new dwellings.
Density statistics:
|
Area type: |
Urban |
|
Site size (ha): |
2.04 |
|
Indicative size of area for built development (ha): |
1.7 |
|
Indicative residential density: |
47 dwellings per hectare |
Site specific development requirements:
Development on this site must:
- Provide a policy-compliant amount of on-site affordable housing in line with policy HOU2 of the Rother Local Plan.
- Include a new vehicular access from Undercliff Road.
- Include new cycle links to Rye and to Rye Nature Reserve.
- Adopt an innovative design, of high architectural quality to enhance the site setting against the Rye Conservation Area and having regard to its riverside location, with green spaces, improved and accessible riverside walks including provision for the King Charles III England Coast path.
- Access the site via the existing track on the west side of the site, upgraded as necessary, with an improved two way access point from St Margaret’s Terrace onto the A259, as required by National Highways.
- Demonstrate through a site-specific flood risk assessment that any residential development is safe for the lifetime of the development, taking into account future climate change scenarios and incorporating appropriate flood resilient and resistant measures including safe access and escape routes.
- Incorporate sustainable drainage measures to take appropriate account of local conditions. Adopt measures to include flow attenuation (such as green roofs) and water re-use such as rainwater harvesting, surface water harvesting and/or grey water recycling systems. Identify and preserve existing surface water flow routes and drainage features within the site. eg ditches and drains.
- Design the development so that elements of each phase do not prejudice the redevelopment of adjacent land.
- Phase the development to align with the delivery of sewerage infrastructure.
- Plan the development to ensure future access to existing utility infrastructure for maintenance and upsizing purposes.
Supporting text:
This is a brownfield site in the southern part of Rye. It is bounded by dwellings fronting the A259 trunk road to the north and the river to the west and south. Environmental constraints affecting the site include the site being wholly located in Flood Zone 3 and the policy requirements detailed above reflect this. The site is well located in relation to town services but improvements to cycle infrastructure to encourage active travel are required, as detailed above.
The site is allocated for residential development (at least 30 dwellings) through the Rye Neighbourhood Plan but has not yet come forward. It is appropriate to reallocate the site and it is considered it could accommodate a higher number of dwellings, given its sustainable location and the need to make efficient use of brownfield land.
Reproduced from the Ordnance Survey mapping with the permission of the Controller of His Majesty’s Stationary Office. (Crown Copyright). Unauthorised reproduction infringes Crown copyright and may lead to prosecution or civil proceedings. No further copies may be made. Rother District Council Licence No. 100018643 2025
Policy Reference: RY6
Site name: Former Council Depot, Cyprus Place
Site identification: Council-owned land
Greenfield/ Brownfield: Brownfield
Sub-area: Rye and the eastern areas
Allocated use and capacity: The site is allocated for residential development comprising some 7 new dwellings.
Density statistics:
|
Area type: |
Urban |
|
Site size (ha): |
0.08 |
|
Indicative size of area for built development (ha): |
0.08 |
|
Indicative residential density: |
40 dwellings per hectare |
Site specific development requirements:
Development on this site must:
- Provide a policy-compliant amount of on-site affordable housing in line with policy HOU2 of the Rother Local Plan.
- Include a new vehicular access from Cyprus Place.
- Ensure the character of development is in keeping with the historic streetscape. This should include development being adjacent to the pavement line and massing kept to two or two and a half storeys to echo the domestic character of the street.
- Give consideration to the quality of external space, which should be at an appropriate level for the town centre location.
- Demonstrate through a site-specific flood risk assessment that any residential development is safe for the lifetime of the development, taking into account future climate change scenarios and incorporating appropriate flood resilient and resistant measures including safe access and escape routes.
- Protect the setting of the Grade II listed buildings, 2-6 Ferry Road, 8 & 10 Ferry Road, 12 & 14 Ferry Road to the northeast of the site.
- Include an assessment and evaluation of the site’s archaeological potential and the implementation of any mitigation measures identified through the assessment.
Supporting text:
This brownfield site comprises a yard and buildings on a busy road junction in the built-up area of Rye, close to Rye Town Centre, currently occupied by a hire company. It is adjacent to a number of residential properties and occupies a prominent position in the streetscape. There is scope to improve its appearance through a sensitively designed redevelopment.
There is a small area at risk of surface water flooding on its western edge and furthermore, the site is within an area potentially at risk of tidal flooding in the future as a result of climate change. The sequential and exception tests may be required. Subject to this, the site is suitable for redevelopment for a small residential scheme subject to relocation of the current use.
Environmental and other constraints affecting the site include the proximity of the Rye Conservation Area, three Grade II listed buildings and the surrounding archaeological notification area. The policy requirements detailed above reflect these.
Reproduced from the Ordnance Survey mapping with the permission of the Controller of His Majesty’s Stationary Office. (Crown Copyright). Unauthorised reproduction infringes Crown copyright and may lead to prosecution or civil proceedings. No further copies may be made. Rother District Council Licence No. 100018643 2025
Policy Reference: RY7
Site name: Rye Boatyard, Rock Channel, Rye
Site identification: Planning application
Greenfield/ Brownfield: Brownfield
Sub-area: Rye and the eastern areas
Allocated use and capacity: The site is allocated for some 600 square metres of commercial/ employment floorspace.
Density statistics:
|
Area type: |
Urban |
|
Indicative site size (ha): |
0.48 |
Site specific development requirements:
Development on this site must:
- Ensure that the development is of high design quality that contributes positively towards the character and appearance of the locality.
- Ensure that highway safety and the living conditions of surrounding residents are not adversely affected during the construction period, and to ensure that the public’s access to Public Footpath Rye 33 is maintained at all times during the construction period.
- Ensure that there is adequate parking and turning provision on the site.
- Provide cycle parking areas in accordance with details to be submitted to and approved in writing by the Local Planning Authority.
Supporting text:
The site lies on the southern edge of the town, on land historically reclaimed from the sea, and is essentially flat. There are a small number of dwellings along this section. However, the surroundings are those of an industrial area, much of which comprises boatyards. The site comprises two boatyards which are separated by two residential properties (‘The Cabin’ and ‘Wrest’) but operate as a single entity. They are used for the storage and repair of boats with associated ancillary facilities (slipways, car parking etc.) and private boat moorings. It lies wholly within Flood Zone 3.
The site is subject to an expired planning permission for redevelopment, including change of use of clubhouse to restaurant, and construction of two-storey commercial buildings for office/ light industrial uses, also ancillary works and improvement of maritime open storage provision. It remains suitable in principle for that use so it is appropriate to allocate it as such.
Reproduced from the Ordnance Survey mapping with the permission of the Controller of His Majesty’s Stationary Office. (Crown Copyright). Unauthorised reproduction infringes Crown copyright and may lead to prosecution or civil proceedings. No further copies may be made. Rother District Council Licence No. 100018643 2025
Policy Reference: RY8
Site name: 17-19 Tower Street, Rye
Site identification: Planning application
Greenfield/ Brownfield: Brownfield
Sub-area: Rye and the eastern areas
Allocated use and capacity: The site is allocated for residential development comprising some 6 new dwellings.
Density statistics:
|
Area type: |
Urban |
|
Site size (ha): |
0.1 (Including built commercial) |
|
Indicative size of area for built development (ha): |
0.03 (1/3 of land) |
|
Indicative residential density: |
40 dwellings per hectare |
Site specific development requirements:
Development on this site must:
- Ensure the protection of the amenity of adjoining occupiers and commercial uses.
- Ensure the protection of the architectural and historic character of the historic buildings and the conservation area.
- Ensure the creation of a high-quality public realm, landscape setting and high architectural quality including in terms of the means of enclosure (walls), hard surfacing materials to the courtyard, retained historic brick surface, demarcation of parking bays, any proposed lighting, details of bin enclosures and soft landscaping details.
- Include cycle parking provision to encourage access by non-car modes.
- Protect the setting of the Grade II listed buildings, several of which are to the north east and south of the site.
Supporting text:
The site is an existing commercial site, located behind residential properties which face onto Tower Street, Rope Walk and Landgate. It comprises a two-storey warehouse and a separate two storey building linked by a single storey section. A linear one storey building, historically used as stables, is situated across the western boundary of the site.
The site has an extant planning permission for six dwellings and an office/ shop. It is understood that the commercial element has been constructed but the dwellings have not and consequently it is appropriate to allocate it for this use.
Reproduced from the Ordnance Survey mapping with the permission of the Controller of His Majesty’s Stationary Office. (Crown Copyright). Unauthorised reproduction infringes Crown copyright and may lead to prosecution or civil proceedings. No further copies may be made. Rother District Council Licence No. 100018643 2025
Policy Reference: RY9
Site name: Former Lower School Site, off Ferry Road, Rye
Site identification: Site allocation in the Rye Neighbourhood Plan
Greenfield/ Brownfield: Brownfield
Sub-area: Rye and the eastern areas
Allocated use and capacity: The site is allocated for residential development comprising up to 88 new dwellings.
Density statistics:
|
Area type: |
Urban |
|
Site size (ha): |
0.76 |
|
Indicative size of area for built development (ha): |
0.65 |
|
Indicative residential density: |
130 dwellings per hectare |
Site specific development requirements:
Development on this site must:
- Provide a policy-compliant amount of on-site affordable housing in line with policy HOU2 of the Rother Local Plan
- Be subject to a site-specific flood risk assessment that demonstrates that the residential development is safe for the lifetime of the development incorporating appropriate flood resilient and resistant measures including safe access and escape routes where required;
- Be designed to avoid damage to the belt of trees adjacent to the railway which is protected by Tree Preservation Order (TPO);
- Include access to the site that is carefully designed to be safe, accessible for pedestrians and cyclists as well as vehicles and avoid conflict with the nearby level crossing of the railway;
- Include parking provision in accordance with local standards;
- Be phased to align with the delivery of sewerage infrastructure.
Supporting text:
This site was formerly occupied by a school but has been cleared of buildings and is overgrown. It is in a sustainable location within walking distance of Rye town centre and its shops and services and the mainline railway station. It is almost wholly within Flood Zone 3 and is partly at risk of surface water flooding. It is adjacent to an area of Priority Habitat and protected trees. It is partly within an Archaeological Notification Area. Along the western edge is a Public Right of Way.
The site is allocated for at least 50 dwellings through Policy H8 of the Rye Neighbourhood Plan. It was previously subject to a planning permission for 63 dwellings which expired in 2023. It is currently subject to a planning application for 88 dwellings, comprising apartments (including older people’s housing). Consequently, it may be appropriate for the allocated number to be increased as proposed, although this higher number will only be achieved with a flatted scheme to include older people’s housing.
Reproduced from the Ordnance Survey mapping with the permission of the Controller of His Majesty’s Stationary Office. (Crown Copyright). Unauthorised reproduction infringes Crown copyright and may lead to prosecution or civil proceedings. No further copies may be made. Rother District Council Licence No. 100018643 2025
49. Do you have any comments on the proposed site allocations in Rye, detailed in Policies RY1 to RY9? Comment
Rye Harbour
Parish: Icklesham
Policy Reference: RH1
Site name: Land at Stoneworks Cottages, Rye Harbour
Site identification: Existing allocation (Policy RHA1 of the Development and Site Allocations Local Plan).
Greenfield/ Brownfield: Brownfield
Sub-area: Rye and the eastern areas
Allocated use and capacity: The site is allocated for residential development comprising some 40 new dwellings.
Density statistics:
|
Area type: |
Village |
|
Site size (ha): |
1.59 |
|
Indicative size of area for built development (ha): |
1.2 |
|
Indicative residential density: |
35 dwellings per hectare |
Site specific development requirements:
Development on this site must:
- Provide a policy-compliant amount of on-site affordable housing in line with policy HOU2 of the Rother Local Plan.
- Provide a new access from Harbour Road;
- Retain and enhance the tree belt on the south-western boundary with native species, with appropriate fencing erected to maintain an effective barrier between the site and the adjacent Dungeness, Romney Marsh and Rye Bay SSSI, SPA and Ramsar Site,
- Retain and enhance a screen of tree and hedgerow planting, employing native species provided on other boundaries of the site
- Ensure ecological surveys are carried out which demonstrate that there is no adverse impact on protected species or, if any protected species are found to be using the site, sets out appropriate mitigation for any loss of habitat;
- Demonstrate that the development will be safe for its lifetime, taking account of the vulnerability of its users, without increasing flood risk elsewhere, and where possible, will reduce flood risk overall;
- Ensure a ground contamination assessment has been undertaken which demonstrates that pollution risks, including to the underlying aquifer, will be managed appropriately through the re-development process; and
- Ensure the development has no adverse effect on the integrity of the adjacent Dungeness, Romney Marsh and Rye Bay SSSI, SPA and Ramsar Site, and supports the implementation of the Sustainable Access and Recreation Management Strategy (SARMS) as appropriate.
Supporting text:
The site is on the southern side of Harbour Road, to the west of existing residential development. It comprises a brownfield site currently in low-key employment use. Part of the site has been allocated for residential development since 2006 and the remainder since 2019 but development has not come forward. Further evidence is needed to establish the landowner’s intentions in bringing it forward.
Furthermore, the site lies within Flood Zone 3 and there are small areas of surface water flooding. The sequential test will need to be undertaken to ensure the site remains suitable for redevelopment.
Site boundaries are generally defined by unmanaged vegetation although there is a substantial tree belt on the south-western boundary which separates the site from a water-body within the adjacent Special Protection Area (SPA) and Ramsar site, and which should be retained and enhanced with native species to provide a buffer to the protected area.
The site lies outside but in close proximity to the Dungeness, Romney Marsh and Rye Bay SSSI, SPA and Ramsar site. The Rye Harbour SSSI lies 140m to the north-west. In view of the proximity of the site to the international wildlife designations and the potential for additional impacts, the development should ensure that there is no adverse effect on the integrity of the SPA/Ramsar site, with mitigation if necessary, in line with the provisions of the Sustainable Access and Recreation Management Strategy (SARMS). An ecological survey has indicated that the site should not be considered as functional habitat for the Ramsar site and does not support the qualifying habitats or species; but it is likely to accommodate protected species. Therefore, further ecological surveys would need to accompany the planning application and mitigation measures proposed. Lighting will need to be carefully designed to prevent adverse effects on wildlife.
The site is also in close proximity to two Grade II listed buildings, the School House and Church of the Holy Spirits, located to the north-west. The development will need to respect the setting of both.
A public footpath adjoins the eastern boundary and a pedestrian link to the site would be beneficial in the interests of providing a direct route to the Nature Reserve.
The groundwater is particularly shallow beneath the surface of the site and there may be an existing level of contamination which could leave the underlying aquifer vulnerable to pollution in the event of the site being developed. Therefore, a planning application will need to be accompanied by a land contamination assessment that demonstrates that any unacceptable risks will be managed appropriately through the re-development process.
Reproduced from the Ordnance Survey mapping with the permission of the Controller of His Majesty’s Stationary Office. (Crown Copyright). Unauthorised reproduction infringes Crown copyright and may lead to prosecution or civil proceedings. No further copies may be made. Rother District Council Licence No. 100018643 2025
50. Do you have any comments on the proposed site allocation in Rye Harbour, detailed in Policy RH1? Comment
Policy Reference: RH2
Site name: Employment Land, Harbour Road
Site identification: Allocated site (Policy RHA2, Development and Site Allocations Local Plan)
Greenfield/ Brownfield: Brownfield
Sub-area: Rye and the eastern areas
Allocated use and capacity: The site is allocated for employment development in Use Classes E(g) (i, ii, iii), B2 and B8.
Site specific development requirements:
Within the Harbour Road Policy Area, as defined on the Policies Map, business development in Use Classes E(g) (i, ii, iii), B2 and B8 will be permitted where the following criteria are met:
- Proposals which result in a significant increase in vehicle, especially HGV, movements along Harbour Road adjoining the A259 will only be permitted where the relevant highway authorities are satisfied that any impacts are acceptable;
- A ground contamination assessment has been undertaken which demonstrates that pollution risks, including to the underlying aquifer, will be managed appropriately through the development process;
- Proposals with frontages to Harbour Road include a comprehensive landscaping strategy to improve the overall appearance of development;
- The development has no adverse effect on the integrity of the adjacent Dungeness, Romney Marsh and Rye Bay SSSI, Special Protection Area and Ramsar Site and supports the implementation of the Sustainable Access and Recreation Management Strategy (SARMS) as appropriate;
- A site specific flood risk assessment has been undertaken which demonstrates that the development will be safe for its lifetime, taking account of the vulnerability of its users, without increasing flood risk elsewhere, and where possible, will reduce flood risk overall;
- There are no adverse impacts on the capacity of wharves for the landing, processing, handling or associated storage of minerals; or on safeguarded waste management operations; and
- An appropriate foul and surface water drainage scheme is provided, in accordance with Policy ENV2.
Supporting text:
The Harbour Road employment area is a long-established concentration of industrial uses, bisected by Harbour Road. Much of the employment land has a very stark industrial appearance with many buildings close to the road. It is within Flood Zone 3a; parts of it are affected by ground contamination; and it adjoins designated nature conservation sites. The area has been subject to a supportive employment policy since 2006 and given the importance of the area to the local economy, it is appropriate for this to continue.
There are opportunities for further intensification of employment uses on brownfield sites at Harbour Road as this would not encroach into the protected sites. All proposals will need to include a site specific flood risk assessment and measures to alleviate the potential risks from flooding, appropriate to the scale and nature of the development.
The employment area incorporates two wharves (one of which is currently operational). One function of the wharf is the landing of minerals and, in accordance with the Waste and Minerals Local Plan, it will be necessary for proposals that could affect the wharf to demonstrate that the capacity for landing, processing, handling and associated storage of minerals is safeguarded and that there is no net loss of capacity within Rye Port. It is also important that future development does not prejudice operations at safeguarded waste management sites.
In view of the proximity of the site to the international wildlife designations and the potential for additional impacts, the development should ensure that there is no adverse effect on the integrity of the SPA/Ramsar site, with mitigation if necessary, in line with the provisions of the Sustainable Access and Recreation Management Strategy (SARMS).
Development will also need to include provision for appropriate foul and surface water drainage, having regard to sewer provision and existing levels of contamination. The scheme should include elements of SuDS where practicable, although these will need to be carefully designed having regard to the high water table and risk of underlying contamination.
There is currently some 17,481 sqm potential supply of employment floorspace in the Harbour Road Employment Area (comprised of areas with extant planning permissions and expired planning permissions) and while the individual sites are not specifically allocated through this Plan it forms part of the anticipated employment land supply over the plan period.
Reproduced from the Ordnance Survey mapping with the permission of the Controller of His Majesty’s Stationary Office. (Crown Copyright). Unauthorised reproduction infringes Crown copyright and may lead to prosecution or civil proceedings. No further copies may be made. Rother District Council Licence No. 100018643 2025
51. Do you have any comments on proposed Policy RH2: Employment Land, Harbour Road? Comment
52. Do you consider that there are any other possible sites in the Rye and the Eastern Settlements Cluster sub-area (which includes the parishes of Beckley, Brede, Camber, East Guldeford, Iden, Northiam, Peasmarsh, Playden, Rye Foreign, Rye, Udimore and Icklesham (east)) which should be allocated for development in the Local Plan? Comment
Proposed Site Allocations for Northern Rother
Includes the parishes of Bodiam[4], Burwash, Etchingham, Ewhurst, Hurst Green, Salehurst and Robertsbridge and Ticehurst

Burwash
Parish: Burwash
Policy Reference: BWC1
Site name: Land north of Shrub Lane, Burwash
Site identification: Site submitted through Call for Sites (HELAA site reference BUR0042)
Greenfield/ Brownfield: Greenfield
Sub-area: Northern Rother
Allocated use and capacity: The site is allocated for residential development comprising some 35 new dwellings
Density statistics:
|
Area type: |
Village |
|
Site size (ha): |
4.63 |
|
Indicative size of area for built development (ha): |
1.1 |
|
Indicative residential density: |
35 dwellings per hectare |
Site specific development requirements:
Development on this site must:
- Provide a policy-compliant amount of on-site affordable housing in line with policy HOU2 of the Rother Local Plan;
- Include an area of public open space comprising (e.g. an amenity green space and a Locally Equipped Area of Play);
- Be informed by a landscape sensitivity assessment to determine an appropriate layout, form and detailed design to ensure the conservation and enhancement of the landscape and character of the High Weald National Landscape;
- Include new broad-leaved woodland (mix native species) planting of 30 meters wide to contain the new development from the north and the east;
- Include provision for the retention and future management of a buffer zone of semi-natural habitat, at least 15 metres wide (which does not include residential gardens), on the eastern boundary, between the edge of development and the ancient woodland within Shrub Wood;
- Retain and protect the existing pond within Shrub Wood and ensure an appropriate buffer to any built development including roadways, as informed by an ecological survey, to be completed;
- Include a new vehicular access from Shrub Lane into the south-west corner of the site;
- Include new pedestrian and cycle connections to a new footway on Shrub Lane;
- Include the creation of a new footway along the frontage of Strand Meadow, linking the site with the bus stop to the southern end of Strand Meadow;
- Include a formalised footway link onto Hornbeam via existing path between 34 and 35 Hornbeam;
- Include package treatment plant on site, in consultation with Southern Water;
- Include sustainable drainage in accordance with Policy ENV2 of the Rother Local Plan; and,
- Include an assessment and evaluation of the site’s archaeological potential and the implementation of any mitigation measures identified through the assessment.
Supporting text:
The developable portion of the site is a field on the north-western edge of Burwash village within the High Weald National Landscape. It is well located in relation to services in Burwash and provides an opportunity for a small extension of the built form of the village. The site has some planning history, being subject to a planning application for 42 dwellings which was refused in 2017 due to an adverse impact on the National Landscape. Notwithstanding this, a reduced site area comprising the southeastern area of the site only, is considered suitable for a sensitive form of residential development of some 35 dwellings. However, the deliverability of the site is uncertain due to agreement across multiple land ownerships being required to provide a site access, consequently, further investigations will continue before the new Local Plan is finalised.
The developable portion of the site lies to the east of an area of Ancient Woodland and Priority Habitat known as Shrub Wood, while and the northern and eastern parts of the site are unsuitable for development. However, there is an opportunity for the creation of a new woodland of native species within the site, providing a community resource, a significant increase in biodiversity and a strongly defined village edge screening the site permanently in the landscape.
In the previous 2017 application, the County Archaeologist noted that, while the site does not contain archaeological remains of national significance, the survey at the time identified potential remains of local archaeological interest, including a possible kiln. Consequently, further investigative work will be required.
The site would require a new vehicular and pedestrian access onto Shrub Lane, including the creation of a new footway along the northern side of the road to connect to the bus stop at Strand Meadow.
Consultation with Southern Water will be required to ensure that any wastewater created by the development can be adequately dealt with.
Reproduced from the Ordnance Survey mapping with the permission of the Controller of His Majesty’s Stationary Office. (Crown Copyright). Unauthorised reproduction infringes Crown copyright and may lead to prosecution or civil proceedings. No further copies may be made. Rother District Council Licence No. 100018643 2025
Policy Reference: BWC2
Site name: Land at 101 Shrub Lane, Burwash
Site identification: New site identified through HELAA (HELAA site reference BUR0010)
Greenfield/ Brownfield: Greenfield
Sub-area: Northern Rother
Allocated use and capacity: The site is allocated for residential development comprising some 6 new dwellings
Density statistics:
|
Area type: |
Village |
|
Site size (ha): |
0.18 |
|
Indicative size of area for built development (ha): |
0.18 |
|
Indicative residential density: |
36 dwellings per hectare |
Site specific development requirements:
Development on this site must:
- Provide a policy-compliant amount of on-site affordable housing in line with policy HOU2 of the Rother Local Plan;
- Include vehicular and pedestrian access from Shrub Lane;
- Include a new public footway alongside Shrub Lane behind the existing hedgerow frontage;
- Retain and enhance the existing roadside hedgerows along the boundaries of Shrub Lane and Greenfield Road; and,
- Ensure that the setting of the Grade II listed buildings, 51 & 53 Shrub Lane, to the west of the site, are protected.
Supporting text:
The site comprises a single 20th century dwelling in a large plot, fronting Shrub Lane, within the built-up area of Burwash village and within the High Weald National Landscape. It provides an opportunity for redevelopment to provide a small number of additional dwellings without encroaching into the countryside or harming the High Weald National Landscape. The site is well located for services in Burwash although improvements to pedestrian infrastructure are required to encourage active travel.
A public footway should be delivered behind the hedgerow fronting Shrub Lane, as there is likely to be insufficient space alongside Shrub Lane itself.
Reproduced from the Ordnance Survey mapping with the permission of the Controller of His Majesty’s Stationary Office. (Crown Copyright). Unauthorised reproduction infringes Crown copyright and may lead to prosecution or civil proceedings. No further copies may be made. Rother District Council Licence No. 100018643 2025
Policy Reference: BWC3
Site name: Land east of Shrub Lane (north), Burwash
Site identification: New site identified through HELAA (HELAA site reference BUR0031)
Greenfield/ Brownfield: Greenfield
Sub-area: Northern Rother
Allocated use and capacity: The site is allocated for residential development comprising some 15 new dwellings.
Density statistics:
|
Area type: |
Village |
|
Site size (ha): |
0.59 |
|
Indicative size of area for built development (ha): |
0.59 |
|
Indicative residential density: |
25 dwellings per hectare |
Site specific development requirements:
Development on this site must:
- Provide a policy-compliant amount of on-site affordable housing in line with policy HOU2 of the Rother Local Plan;
- Provide vehicular parking through a shared use surface to the rear of the dwellings with a new vehicular access onto Shrub Lane;
- Provide pedestrian access via a new public footway behind the hedgerow frontage;
- Retain and enhance the existing boundary hedgerows along Shrub Lane, except for any short sections which need to be removed to facilitate access which should be minimised as far as possible;
- Provide new hedgerow along the site’s eastern boundary; and,
- Include any necessary off-site highway works necessary to make the development acceptable (or financial contributions to such works).
Supporting text:
The site comprises the roadside portion of an open field on the north-eastern edge of Burwash village with a hedgerow frontage. It provides an opportunity to sensitively extend the existing ribbon development along Shrub Lane, together with site allocation Policy BW3 to the northeast. Development will need to be carefully designed to be similar in character to the existing ribbon development alongside Shrub Lane. The roadside boundary hedgerow will need to be retained and the setting of the terrace of houses to the north should be respected. To this extent, development must not extend beyond the depth of the existing ribbon development, which is reflected in the mapped site area.
A pedestrian footway would need to be provided along the frontage, behind the hedgerow. Vehicular parking will need to be provided through a shared use surface to the rear of the dwellings, connecting to Shrub Lane via a new vehicular access through a portion of the hedgerow frontage. A new hedgerow should be provided along the site’s eastern boundary to provide a landscaped buffer between the rear vehicular access lane and the wider field. Further measures to improve pedestrian accessibility and safety may also be required, subject to the advice of the Highway Authority.
Reproduced from the Ordnance Survey mapping with the permission of the Controller of His Majesty’s Stationary Office. (Crown Copyright). Unauthorised reproduction infringes Crown copyright and may lead to prosecution or civil proceedings. No further copies may be made. Rother District Council Licence No. 100018643 2025
Policy Reference: BWC4
Site name: Land east of Shrub Lane (south), Burwash
Site identification: New site identified through HELAA (HELAA site reference BUR0032)
Greenfield/ Brownfield: Greenfield
Sub-area: Northern Rother
Allocated use and capacity: The site is allocated for residential development comprising some 8 new dwellings.
Density statistics:
|
Area type: |
Village |
|
Site size (ha): |
0.32 |
|
Indicative size of area for built development (ha): |
0.32 |
|
Indicative residential density: |
25 dwellings per hectare |
Site specific development requirements:
Development on this site must:
- Provide a policy-compliant amount of on-site affordable housing in line with policy HOU2 of the Rother Local Plan
- Provide vehicular parking through a shared use surface to the rear of the dwellings with a new vehicular access onto Shrub Lane;
- Provide pedestrian access via a new public footway behind the hedgerow frontage;
- Retain and enhance the existing boundary hedgerows fronting Shrub Lane, except for any short sections which need to be removed to facilitate access which should be minimised as far as possible.
- Retain and enhance the trees/ hedgerow on the site’s north-eastern and south-western boundaries;
- Provide new hedgerow along the site’s eastern boundary; and,
- Include any necessary off-site highway works necessary to make the development acceptable (or financial contributions to such works).
Supporting text:
The site comprises the roadside portion of an open field on the north-eastern edge of Burwash village with a hedgerow frontage. It provides an opportunity to sensitively extend the existing ribbon development along Shrub Lane, together with site allocation Policy BW4 to the southwest. Development will need to be carefully designed to be similar in character to the existing ribbon development alongside Shrub Lane. The roadside boundary hedgerow will need to be retained and the setting of the terrace of houses to the north should be respected. To this extent, development must not extend beyond the depth of the existing ribbon development, which is reflected in the mapped site area. It is also important that the historic field boundary on the north-eastern boundary of the site is retained.
A pedestrian footway would need to be provided along the frontage, behind the hedgerow. Vehicular parking will need to be provided through a shared use surface to the rear of the dwellings, connecting to Shrub Lane via a new vehicular access through a portion of the hedgerow frontage. A new hedgerow should be provided along the site’s eastern boundary to provide a landscaped buffer between the rear vehicular access lane and the wider field. Further measures to improve pedestrian accessibility and safety may also be required, subject to the advice of the Highway Authority.
Reproduced from the Ordnance Survey mapping with the permission of the Controller of His Majesty’s Stationary Office. (Crown Copyright). Unauthorised reproduction infringes Crown copyright and may lead to prosecution or civil proceedings. No further copies may be made. Rother District Council Licence No. 100018643 2025
53. Do you have any comments on the proposed site allocations in Burwash, detailed in Policies BW1 to BW4? Comment
Burwash Common
Parish: Burwash
Policy Reference: BC1
Site name: Land south of Heathfield Road, Burwash Common
Site identification: New site identified through HELAA (HELAA site reference BUR0027)
Greenfield/ Brownfield: Greenfield
Sub-area: Northern Rother
Allocated use and capacity: The site is allocated for residential use comprising some 7 new dwellings
Density statistics:
|
Area type: |
Village |
|
Site size (ha): |
0.36 |
|
Indicative size of area for built development (ha): |
0.2 |
|
Indicative residential density: |
35 dwellings per hectare |
Site specific development requirements:
Development on this site must:
- Provide a policy-compliant amount of on-site affordable housing in line with policy HOU2 of the Rother Local Plan;
- Include vehicular and pedestrian access onto the A265;
- Include improvements to the existing footway outside the site;
- Retain and enhance the roadside boundary hedgerow, save for any removal to facilitate a safe access point;
- Retain and enhance the trees and hedgerows that form all site boundaries, most notably the historic field boundaries to the north, south and west;
- Create a new boundary hedge to define the site’s eastern boundary and separate it from the remaining section of field outside the site;
- Include no development within the southern part of the site, which will form an area of green infrastructure; and,
- Include no built development in the north-western part of the site which is shown to be at risk of surface water flooding
Supporting text:
This is a small, relatively enclosed field on the edge of Burwash Common within the High Weald National Landscape. It sits topographically lower than adjacent areas of the village to the east, with a strong tree boarder along the southern boundary.
Burwash Common is a settlement with limited services, however the site is close to bus stops on the A265, and the village hall and recreation ground are within walking distance. The closest primary school is in Burwash, 3.5km to the north-east the A265, with the town of Heathfield being just over 5km to the west. Stonegate Railway station is the nearest train access, at just over 4km to the north.
In landscape terms there is scope for a small number of dwellings fronting the main road that retains the existing hedge and tree frontage, with an access road between the site boundary and dwellings to the south, without harming the character of the National Landscape.
The site’s existing access point is within a 40 mph stretch of the A265, while the speed limit rises to 50mph east of the site’s western boundary. The delivery of vehicular and pedestrian access will therefore require consultation with the highways authority. Improvements to pedestrian infrastructure outside the site, as required through the policy, will encourage opportunities for active travel.
Reproduced from the Ordnance Survey mapping with the permission of the Controller of His Majesty’s Stationary Office. (Crown Copyright). Unauthorised reproduction infringes Crown copyright and may lead to prosecution or civil proceedings. No further copies may be made. Rother District Council Licence No. 100018643 2025
Policy Reference: BC2
Site name: Old Orchard Nursery, Heathfield Road, Burwash Common
Site identification: New site identified through HELAA (HELAA site reference BUR0039)
Greenfield/ Brownfield: Greenfield
Sub-area: Northern Rother
Allocated use and capacity: The site is allocated for residential use comprising some 9 new dwellings.
Density statistics:
|
Area type: |
Village |
|
Site size (ha): |
0.3 |
|
Indicative size of area for built development (ha): |
0.3 |
|
Indicative residential density: |
30 dwellings per hectare |
Site specific development requirements:
Development on this site must:
- Provide a policy-compliant amount of on-site affordable housing in line with policy HOU2 of the Rother Local Plan;
- Include adequate vehicular and pedestrian access onto the A265, to the satisfaction of the Highways Authority;
- Include sustainable drainage in accordance with Policy ENV2 of the Rother Local Plan;
- Retain the trees that are located along the site’s eastern, northern and western boundaries.
Supporting text:
This is an enclosed site located in Burwash Common north of the A265. The site was previously part of a plant and tree nursery, but now forms excess land that lies to the rear of the remaining sections of the business. It is considered site is suitable for a small residential development of some 9 dwellings. The site is a well contained, infill site with developed areas to the south, the east and north east, while trees provide dense screening to the west, north and east. For this reason, it is important that these boundary trees are retained.
Given the site’s former use, the site is served by an existing access onto a wide layby alongside the A265. For the purposes of the above residential development, the necessary visibility splays will need to be determined in conjunction with the highway authority. The site is also served by an existing pedestrian footway that connects to a bus stop some 130m beyond the junction to the east.
Reproduced from the Ordnance Survey mapping with the permission of the Controller of His Majesty’s Stationary Office. (Crown Copyright). Unauthorised reproduction infringes Crown copyright and may lead to prosecution or civil proceedings. No further copies may be made. Rother District Council Licence No. 100018643 2025
54. Do you have any comments on the proposed site allocations in Burwash Common, detailed in Policies BWC1 and BWC2? Comment
Etchingham
Parish: Etchingham
Policy Reference: EC1
Site name: Land at Oxenbridge Lane, Etchingham
Site identification: Site identified through HELAA process (HELAA reference ETC0003 & ETC0020)
Greenfield/ Brownfield: Greenfield
Sub-area: Northern Rother
Allocated use and capacity: The site is allocated for residential development comprising some 10 new dwellings
Density statistics:
|
Area type |
Village |
|
Site size (ha): |
0.62 |
|
Indicative size of area for built development (ha): |
0.23 |
|
Indicative residential density: |
35 dwellings per hectare |
Site specific development requirements:
Development on this site must:
- Provide a policy-compliant amount of on-site affordable housing in line with policy HOU2 of the Rother Local Plan;
- Be subject to a site-specific Flood Risk Assessment in accordance with national planning policy, which demonstrates the development will be safe for its lifetime. It must take account of the vulnerability of its users, without increasing flood risk elsewhere, and, where possible, reduce flood risk overall. The Assessment must ensure that:
- Dwellings are located in the areas of lowest flood risk;
- Development is designed to be appropriately flood resistant and incorporate sustainable drainage systems, unless there is clear evidence that this would be inappropriate;
- Any residual risk is safely managed; and
- Safe access and escape routes are included, as part of an agreed emergency plan;
- Focus dwellings to northern areas of the site;
- Retain the southern part of the site (within flood zones 2 or 3) as green infrastructure, except for vehicular access via Oxenbridge Lane to the east;
- Provide vehicular, pedestrian, and cycle access via Oxenbridge Lane;
- Be designed sensitively, having particular regard to the landscape setting of the nearby River Dudwell;
- Retain the site’s western boundary hedgerow;
- Be designed to have regard to the intrinsically dark skies of the High Weald National Landscape;
- Provide space for public car parking within the site to replace the loss of existing parking in the public car park on Oxenbridge Lane.
Supporting text:
The site lies on the southern edge of Etchingham village within the High Weald National Landscape. It comprises a small field behind existing dwellings at Oxenbridge Row and a small Council-owned public car park at the end of Oxenbridge Lane which would provide vehicular and pedestrian access. It provides an opportunity for a logical, small extension to the built form of the village, in a sustainable location within walking distance of village services including the primary school and mainline railway station.
The site lies north of the River Dudwell and is largely within Flood Zone 2 (medium risk of flooding), including its access from Oxenbridge Lane. While the site is included as a proposed site allocation within this Regulation 18 document for public consultation, prior to its formal allocation, it will need to pass the sequential test and then potentially the exception test, in accordance with national planning policy. There is limited land within Etchingham village that is not affected by flooding or other environmental constraints.
Any planning application for development at the site will need to be accompanied by a site-specific flood risk assessment as detailed in the policy. For flood risk reasons, built development should be located within the higher, northern part of the site to the rear of Oxenbridge Row. An emergency access may also need to be considered although this may be reliant on third-party land.
The surrounding landscape of the Dudwell valley is highly sensitive, and any development will need to consider this in the development’s design and layout, including the potential for green infrastructure to soften the visual impact of development from views from the flat, open landscape to the south. Dark skies as an intrinsic component of the High Weald National Landscape will need to be factored into any development.
As the site includes an existing public car park, development will also need to accommodate public car parking within the site.
Reproduced from the Ordnance Survey mapping with the permission of the Controller of His Majesty’s Stationary Office. (Crown Copyright). Unauthorised reproduction infringes Crown copyright and may lead to prosecution or civil proceedings. No further copies may be made. Rother District Council Licence No. 100018643 2025
Policy Reference: EC2
Site name: Land at Church Lane, Etchingham
Site identification: Site identified through HELAA process (HELAA site reference ETC0016)
Greenfield/ Brownfield: Greenfield
Sub-area: Northern Rother
Allocated use and capacity: The site is allocated for residential development comprising some 5 new dwellings
Density statistics:
|
Area type: |
Village |
|
Site size (ha): |
0.24 |
|
Indicative size of area for built development (ha): |
0.15 |
|
Indicative residential density: |
35 dwellings per hectare |
Site specific development requirements:
Development on this site must:
- Provide a policy-compliant amount of on-site affordable housing in line with policy HOU2 of the Rother Local Plan
- Be subject to a site-specific Flood Risk Assessment in accordance with national planning policy, which demonstrates the development will be safe for its lifetime taking account of the vulnerability of its users, without increasing flood risk elsewhere, and, where possible, will reduce flood risk overall. Within the site, the dwellings shall be located in the areas of lowest flood risk; the development shall be designed to be appropriately flood resistant and shall incorporate sustainable drainage systems, unless there is clear evidence that this would be inappropriate; any residual risk shall be safely managed; and safe access and escape routes are included, as part of an agreed emergency plan
- Limit development to the northernmost portion of the site outside the area at risk of flooding.
- Retain the southern portion of the site, within flood zone 3, as green infrastructure.
- Provide vehicular, pedestrian, and cycle access via Church Lane.
- Include any necessary improvements to Church Lane, informed by traffic speed and volume surveys, as required by the Highway Authority, to improve safety for pedestrians and cyclists and encourage active travel to village services.
- Retain and enhance the roadside hedgerow, which is a historic field boundary, save for any removal required to allow for a safe access
- Where necessary, relocate the overhead power cables.
- Be designed to ensure the protection of the amenity of residents on the opposite side of Church Lane
Supporting text:
This site forms a small roadside section of a sloping field on the northern edge of Etchingham. While the character of the area is rural and the site is contiguous with the wider National Landscape to the west, it lies directly opposite a short row of cottages and provides an opportunity for a small number of additional dwellings within the village.
Church Lane has no footways but it does contain a number of residential properties and is only a short walking distance back to village services including the railway station, however traffic speed and volume surveys would be required to determine likely impacts and inform any necessary improvement measures.
The southern section of the site is within Flood Zone 3b (functional floodplain) and is unsuitable for any development. While the site is included as a proposed site allocation within this Regulation 18 document for public consultation, prior to its formal allocation, it will need to pass the sequential test and then potentially the exception test, in accordance with national planning policy. There is limited land within Etchingham village that is not affected by flooding or other environmental constraints.
Any development would need, as far as possible given access requirements, to retain the roadside hedgerow, which is a historic field boundary.
Reproduced from the Ordnance Survey mapping with the permission of the Controller of His Majesty’s Stationary Office. (Crown Copyright). Unauthorised reproduction infringes Crown copyright and may lead to prosecution or civil proceedings. No further copies may be made. Rother District Council Licence No. 100018643 2025
Policy Reference: EC3
Site name: Croft Field, Etchingham
Site identification: Site identified through HELAA process (HELAA site reference ETC0024)
Greenfield/ Brownfield: Greenfield
Sub-area: Northern Rother
Allocated use and capacity: The site is allocated for residential development comprising some 55 new dwellings
Density statistics:
|
Area type: |
Village |
|
Site size (ha): |
3.05 |
|
Indicative size of area for built development (ha): |
1.53 |
|
Indicative residential density: |
35 dwellings per hectare |
Site specific development requirements:
Development on this site must:
- Provide a policy-compliant amount of on-site affordable housing in line with policy HOU2 of the Rother Local Plan
- Be informed by a landscape sensitivity assessment and ecological surveys to determine an appropriate layout, form and detailed design to ensure the conservation and enhancement of the landscape and character of the High Weald National Landscape and the protection and enhancement of Priority Habitat within the site;
- Subject to (ii), limit built development to the eastern half of the site, with the western portion forming an area of Green Infrastructure that includes habitat improvements to deliver biodiversity gains including the protection and enhancement of the existing grasslands/ meadow Priority Habitats.
- Provide vehicular, pedestrian, and cycle access via the southeastern end of the site onto the A265;
- Provide a new footway along the northern side of the A265 from the site access to connect eastwards to Parsonage Croft;
- Include any necessary off-site highway works and interventionsnecessary to make the development acceptable;
- Retain and enhance the hedgerows that form the southern, northern and western site boundaries, and supplement the northern site boundary with additional tree planting;
- Retain and protect the existing trees on the northern and western boundaries of the site, including an appropriate buffer to any built development including residential gardens, as informed by a tree survey;
- Include an appropriate buffer between the site and the recently planted woodland to the east, as informed by a tree survey;
- Where necessary, relocate the overhead power cables in accordance with the requirements of UK Power Networks;
- Include sustainable drainage within the site;
- Include an assessment and evaluation of the site’s archaeological potential and the implementation of any mitigation measures identified through the assessment.
Supporting text:
The site is a linear agricultural field that lies on the northern side of the A265, and west of the recently developed Parsonage Croft at the westernmost extent of Etchingham. The field is formed by historic field boundaries to the north, west and south. It is located within a sustainable location, with the primary school and village hall being located nearby to the east.
The site is relatively well screened within the wider landscape, being bound to the west and east by woodland, while the northern boundary forms a topographical ridge to the countryside that lies beyond to the north. The roadside (southern) boundary is less well screened but defined by a hedgerow.
Pedestrian connectivity to the nearby school and the remainder of the village will require the provision of a new stretch of footway along the northern side of the A265 from the southeastern end of the site to connect to the footway at the front of Parsonage Croft, across third party land.
Development would need to retain and enhance the existing boundary hedgerows, while a buffer will likely be required between the site’s developable area and the recently planted area of woodland that bounds the site to the east. A substantial northern tree line would be required to ensure adequate screening and a landscape buffer to the wider landscape.
The site forms an area of good quality semi-improved grassland Priority Habitat. Consequently, a significant portion of the site will need to be left undeveloped as Green Infrastructure with an emphasis on biodiversity net gain. Moreover, the western end of the site is more visible to countryside views from the south, meaning that development should be concentrated in the eastern section. In any event, the layout and detailed design will need to be informed by a landscape sensitivity assessment and ecological assessments.
While there are no known notable surface water flooding issues within its boundary, the site slopes from its northern edge down to the southern boundary with the A265. Sustainable drainage will therefore be required to ensure that runoff is kept at greenfield rates.
The site lies alongside a section of the A265 that operates the national speed limit, being just west of the 30mph zone that runs through the village. Initial comments from ESCC Highways indicate that the site’s development may require the westward extension of the 30mph zone from its current start point.”
55. Do you have any comments on the proposed site allocations in Etchingham, detailed in Policies EC1 to EC3? Comment
Hurst Green
Parish: Hurst Green
Policy Reference: HG1
Site name: Land south of Iridge Place, London Road, Hurst Green
Site identification: Site with planning permission (reference RR/2022/1526/P), approved 27/09/24)
Greenfield/ Brownfield: Greenfield
Sub-area: Northern Rother
Allocated use and capacity: The site is allocated for residential development comprising:
- Some 28 new dwellings
- Public open space (village green) of 1.35ha
- Community car parking area for those using the new village green
- Provision for a drop-off point for the primary school and an associated crossing on the A21
Density statistics:
|
Area type: |
Village |
|
Site size (ha): |
3.66 |
|
Indicative size of area for built development (ha): |
2.31 |
|
Indicative residential density: |
12 dwellings per hectare |
Site specific development requirements:
Development on this site must:
- Accord with the requirements and conditions set out under planning permission RR/2022/1526/P, including:
- Include affordable housing and housing mix;
- Provide a new village green;
- Include vehicular and pedestrian access, including Travel Plan(s) and internal road layout, as agreed with the relevant highway authorities;
- Include a scheme for the provision of foul water drainage works and a surface water drainage system to be approved by the local planning authority;
- Retain Public Footpath Hurst Green 29;
- Include noise mitigation measures to be incorporated in the final layout of the site and the design of individual properties, as agreed with Local Planning Authority;
- Be designed to ensure that residential amenities of future occupiers are protected from any environmental impacts as a result of the site’s proximity to the A21;
- Include an assessment and evaluation of the site’s archaeological potential and the implementation of any mitigation measures identified through the assessment;
- Be designed to protect the setting of the adjacent and nearby listed buildings;
- Be informed by a landscape sensitivity assessment to determine an appropriate layout, form and detailed design to ensure the conservation and enhancement of the landscape and character of the High Weald National Landscape.
Supporting text:
The site comprises a large linear section of a field on the eastern side of London Road (the A21 trunk road), in the southern part of Hurst Green village. The site is subject to planning permission for 28 dwellings, a new village green, a community car park, and drop-off and crossing facility to serve the nearby primary school (reference RR/2022/1526/P, approved 27/09/24). Construction is at only an early stage and consequently it is appropriate to allocate the site through the Local Plan. The site has some environmental constraints, including nearby listed buildings and its location within the High Weald National Landscape and an Archaeological Notification Area. A sensitive, well-designed scheme is therefore required, and the policy requirements reflect the requirements of the extant planning permission.
Reproduced from the Ordnance Survey mapping with the permission of the Controller of His Majesty’s Stationary Office. (Crown Copyright). Unauthorised reproduction infringes Crown copyright and may lead to prosecution or civil proceedings. No further copies may be made. Rother District Council Licence No. 100018643 2025
Policy Reference: HG2
Site name: Land South of Lodge Farm, Hurst Green
Site identification: Site with planning permission (reference RR/2023/27/P RR/2021/2798/P), approved 26/04/23
Greenfield/ Brownfield: Greenfield
Sub-area: Northern Rother
Allocated use and capacity: The site is allocated for residential development comprising:
- Some 26 new dwellings
- Public open space
- Provision of car park for the Church
Density statistics:
|
Area type: |
Village |
|
Site size (ha): |
1.70 |
|
Indicative size of area for built development (ha): |
.07 |
|
Indicative residential density: |
26 dwellings per hectare |
Site specific development requirements:
Development on this site must:
- Accord with the requirements and conditions set out under planning permission RR/2021/2798/P, including:
- Include affordable housing and housing mix;
- Include vehicular and pedestrian access, including Travel Plan(s), internal road layout, and cycle parking be agreed and delivered in accordance with the Highways Authority.
- Include a scheme for the provision of foul water drainage works and a surface water drainage system to be approved by the local planning authority;
- Provide A21 boundary treatment to be approved by the local planning authority
- Provide a lighting scheme that complies with the Institution of Lighting Professionals Guidance Note for the reduction of obtrusive light 2011;
- Include an assessment and evaluation of the site’s archaeological potential and the implementation of any mitigation measures identified through the assessment;
- Protect and enhance biodiversity within the site and adjacent, including the creation of and future management of a buffer zone of semi-natural habitat, at least 15m wide (which does not include residential gardens) to the ancient woodland to the west;
- Be informed by a landscape sensitivity assessment to determine an appropriate layout, form and detailed design to ensure the conservation and enhancement of the landscape and character of the High Weald National Landscape;
- Include necessary highway improvements.
Supporting text:
This is an enclosed field in the northern part of Hurst Green village on the eastern side of London Road (the A21 trunk road). It is bound by the Parish Church and road frontage development to the south and Lodge Farmhouse and Barn to the north. The site also abuts an area of Ancient Woodland (Burgh Wood) on northern west boundary.
The site has detailed planning permission for 26 dwellings, granted April 2023 (RR/2021/2798/P). The permission includes the provision of public open space and car parking for the nearby church, as well as detailed requirements for vehicular and pedestrian access. The site has some environmental constraints, including nearby listed buildings and its location within the High Weald National Landscape. A sensitive, well-designed scheme is therefore required, and the policy requirements reflect the requirements of the extant planning permission.
Reproduced from the Ordnance Survey mapping with the permission of the Controller of His Majesty’s Stationary Office. (Crown Copyright). Unauthorised reproduction infringes Crown copyright and may lead to prosecution or civil proceedings. No further copies may be made. Rother District Council Licence No. 100018643 2025
Policy Reference: HG3
Site name: Land to Rear of The Olde Bakery, London Rd, Hurst Green
Site identification: New site identified through HELAA (HELAA site reference HUG0033)
Greenfield/ Brownfield: Greenfield
Sub-area: Northern Rother
Allocated use and capacity: The site is allocated for residential development comprising some 35 new dwellings
Density statistics:
|
Area type: |
Village |
|
Site size (ha): |
1.43 |
|
Indicative size of area for built development (ha): |
1 |
|
Indicative residential density: |
35 dwellings per hectare |
Site specific development requirements:
Development on this site must:
- Provide a policy-compliant amount of on-site affordable housing in line with policy HOU2 of the Rother Local Plan;
- Include a vehicular, cycle and pedestrian access from Pringle Close to the north;
- Include appropriate pedestrian connection to the A21 via the south west corner of the site (along existing footpath 31);
- Include an area of Green Infrastructure within the centre of the site, that preserves the historic field boundary, while also including sustainable drainage in accordance with Policy ENV2 of the Rother Local Plan;
- Retain and enhance the existing hedgerow and trees bounding the site, including:
- Provide additional planting along the eastern boundary of the site to create a landscaped village edge to screen development from the wider landscape to the east;
- Retain the stream/ditch historic field boundary that sub-divides the two lower fields, and which is also to be incorporated within the layout;
- Avoid development in areas most at risk of surface water flooding within the centre of the site;
- Include any necessary off-site highway works necessary to make the development acceptable (or financial contributions to such works);
- Include an assessment and evaluation of the site’s archaeological potential and the implementation of any mitigation measures identified through the assessment, and;
- Be informed by a landscape sensitivity assessment to determine an appropriate layout, form and detailed design to ensure the conservation and enhancement of the landscape and character of the High Weald National Landscape.
Supporting text:
The site comprises two adjoining fields, east and to the rear of existing roadside development fronting London Road (the A21 trunk road), within Hurst Green village. The site is within the High Weald National Landscape but is relatively enclosed by boundary trees and hedges and it provides an opportunity for additional dwellings in a sustainable location within the village.
The site contains High Weald character features including intact historic field boundaries. The central field boundary, which forms a hedgerow, should be retained as far as possible (allowing for a necessary access through), and should form the centre of a new area of Green Infrastructure. This area of the site is vulnerable to surface water flooding which builds to the east, extending then further to the countryside to the east. Sustainable drainage should also be provided in this area, towards the east of the site.
Additional planting will be required to further screen the site from the countryside to the east.
Adjoining the site to the north is a recently constructed affordable housing development which is accessed via an extension to Foundry Close. Vehicular access to this site will need to come through this development, via Pringle Close and Foundry Close as there is not an opportunity to provide a safe vehicular access to the south of site. It is understood there is in principle landowner agreement to this access arrangement. It will be necessary to ensure that the access onto the A21 be subject to a highways assessment to ensure the proposed development does not impact upon the A21.
Pedestrian and cycle access will be required through the site and at its southern end as well, to join with the existing public footpath and onto the A21. The nearest bus stop is some 270m to the south of Foundry Close, and therefore proposals should consider additional bus stops near this access point. The provision for additional bus stops may be considered in combination with the requirements of allocation, Policy HG4: Land at the Lodge, to the north. National Highways also advise that there are currently no formalised pedestrian crossing points within the vicinity of the site. As such, they state that formalised pedestrian crossings, including dropped kerbs and tactile paving, should also be considered to provide safe and accessible links to any new bus stops and to improve overall pedestrian connectivity in the area.
An Archaeological Notification Area associated with Iridge Place is located some 240m to the south east of the site. The site may therefore have potential for archaeology and an assessment will be required as part of any planning application.
Reproduced from the Ordnance Survey mapping with the permission of the Controller of His Majesty’s Stationary Office. (Crown Copyright). Unauthorised reproduction infringes Crown copyright and may lead to prosecution or civil proceedings. No further copies may be made. Rother District Council Licence No. 100018643 2025
Policy Reference: HG4
Site name: Land at The Lodge, London Road, Hurst Green
Site identification: New site identified through HELAA (HUG0043)
Greenfield/ Brownfield: Greenfield
Sub-area: Northern Rother
Allocated use and capacity: The site is allocated for a residential-led mixed-use development comprising:
- Some 150 new dwellings
- A mix of uses that may include community, employment, leisure or retail
- A Local Equipped Area for Play (LEAP) of at least 400sqm (0.04ha)
- Some 4.7ha of Green Infrastructure
Density statistics:
|
Area type: |
Village |
|
Site size (ha): |
9.52 |
|
Indicative size of area for built development (ha): |
4.8 |
|
Indicative residential density: |
35 dwellings per hectare |
Site specific development requirements:
Development on this site must:
- Provide a policy-compliant amount of on-site affordable housing in line with policy HOU2 of the Rother Local Plan;
- Provide a mix of uses, including development to serve community needs, to be determined;
- Retain and protect the existing watercourse and lake in the centre of the site and provide an appropriate buffer to any built development including roadways, as informed by an ecological survey, to be completed.
- Include significant areas of Green Infrastructure (with public access provided where appropriate) across some 50% of the site area, notably including the central area containing an existing watercourse and lake.
- Include provision for the retention and future management of a buffer zone of semi-natural habitat, at least 15 metres wide (which does not include residential gardens), on the eastern boundary, between the edge of development and the ancient woodland;
- Retain and enhance existing hedgerows and trees bounding the site, most notably including those forming the eastern boundary of the site to create a strongly defined village edge screening the site in the National Landscape;
- Be informed by a landscape sensitivity assessment to determine an appropriate layout, form and detailed design to ensure the conservation and enhancement of the landscape and character of the High Weald National Landscape.
- Lighting should be designed in accordance with Policy LAN3 and in reference to the High Weald National Landscape Unit’s Technical Advice Note on Dark Skies in the High Weald.
- Be informed by a tree survey and layout which seeks to retain existing mature trees within the site where possible, having regard to incorporation of the site’s parkland features;
- Provide vehicular, pedestrian and cycle access onto the A21, to the satisfaction of the relevant highway authority;
- Include appropriate pedestrian and cycle infrastructure inside and outside the site in accordance with Policy LWL3 and LWL4, to enable improved pedestrian and cycle connections north-southwards to the A229;
- Include an eastern boundary pedestrian connection to the footpath east of the site: public right of way “Hurst Green 33”.
- Include any necessary off-site highway works necessary to make the development acceptable (or financial contributions to such works), including traffic and infrastructure improvements to the A21.
Phasing requirements:
No more than 50% of new dwellings may be occupied until the community building(s) and LEAP are provided within the site area
Supporting text:
The site comprises fields and associated outbuildings that form the private estate of a large residential dwelling known as ‘The Lodge’, totalling nearly 10 hectares. It has a parkland character containing mature trees and hedgerows. The site extends adjacent to and along the eastern side of the A21, between Pentwood Place to the junction with the A229 to the north of the village.
In addition to providing new housing within walking distance of the village centre, this development is also an opportunity to provide complementary, non-residential development including potential community uses, improving local services and facilities. It also offers the opportunity to provide safer and more attractive pedestrian and cycle links within the site, between the village and the A229.
While the site would represent a northwards extension to the village, it is generally enclosed from the wider High Weald landscape. However, it is acknowledged that this would be a large allocation for development within the National Landscape and securing appropriate mitigation and public benefit would be fundamental. The site is bound to the west and north by the A21 and A229 respectively, while its border with the countryside to the east is well defined by trees and hedgerows, which offer screening and also form a historic field boundary along the southern east facing boundary. There is also an adjacent section of ancient woodland along the eastern border. The policy would require the existing site screening to be further strengthened by additional border tree planting.
There is a watercourse that flows west to east through the site’s centre, and into a small lake that abuts ancient woodland at the site’s eastern boundary, before it continues an eastward path down through the Rother Basin. The area around the lake within the site is densely planted with trees, while the immediate area is vulnerable to surface water flooding. This area should form part of the site’s Green Infrastructure, with the potential to deliver a landscaped belt of public open space. The site layout should also create a pedestrian connection to public right of way “Hurst Green 33”, footpath to the south and east of the site, to connect residents to the surrounding countryside. Overall, the site’s parkland setting presents an opportunity to incorporate existing features and the use of Green Infrastructure to create a distinctive and high-quality development in accordance with Policy LWL5.
Sustainable drainage will be required to manage surface water generated by development.
Vehicular access onto the A21 trunk road will be required. The location and form of access(es) will need to be determined in consultation with National Highways.
Cycle and pedestrian access should ideally be included towards the southern end of the site as it is closest to the village centre. Early comments from National Highways indicate that A21 crossing points should be considered within the vicinity of the pedestrian site access, as well as the implementation of new bus stops, which are otherwise situated some 300m to the south at present.
Development at this scale would also be required to make financial contributions toward any necessary off-site road infrastructure improvements, to be determined in consultation with National Highways and the Parish Council.
Reproduced from the Ordnance Survey mapping with the permission of the Controller of His Majesty’s Stationary Office. (Crown Copyright). Unauthorised reproduction infringes Crown copyright and may lead to prosecution or civil proceedings. No further copies may be made. Rother District Council Licence No. 100018643 2025
56. Do you have any comments on the proposed site allocations in Hurst Green, detailed in Policies HG1 to HG4? Comment
Robertsbridge
Parish: Salehurst & Robertsbridge
Policy Reference: RB1
Site name: Land south of Heathfield Gardens, Robertsbridge
Site identification: Existing neighbourhood plan allocation and new site identified through HELAA (HELAA site reference SAL0042)
Greenfield/ Brownfield: Greenfield
Sub-area: Northern Rother
Allocated use and capacity: The site is allocated for residential development comprising:
- Some 65 new dwellings
- Public open space comprising and woodland area comprising 1.12ha
Density statistics:
|
Area type: |
Village |
|
Site size (ha): |
3.92 |
|
Indicative size of area for built development (ha): |
1.86 |
|
Indicative residential density: |
35 dwellings per hectare |
Site specific development requirements:
Development on this site must:
- Provide a policy-compliant amount of on-site affordable housing in line with policy HOU2 of the Rother Local Plan
- Include vehicular access from George Hill in the northeast of the site in accordance with requirements of the Highway Authority.
- Include appropriate pedestrian infrastructure inside and outside the site to link to footways on the western side of John’s Cross Road and the southern side of Heathfield Gardens;
- Include an area of some 1.12 hectares of green infrastructure, retained woodland and public open space across the southeastern part of the site;
- Retain and enhance the existing hedgerows and trees bounding the site, including those corresponding to historic field boundaries within the eastern half of the site area, and the “Locally important trees and hedgerows outside the Conservation Area” as designated through the Salehurst and Roberstbridge Neighbourhood Plan
- Include sustainable drainage within the north of the site along the boundary with Heathfield Gardens;
- Include an assessment and evaluation of the site’s archaeological potential and the implementation of any mitigation measures identified through the assessment;
- Lighting should be designed in accordance with Policy LAN3 and in reference to the High Weald National Landscape Unit’s Technical Advice Note on Dark Skies in the High Weald
- Be informed by a landscape sensitivity assessment to determine an appropriate layout, form and detailed design to ensure the conservation and enhancement of the landscape and character of the High Weald National Landscape.
Supporting text:
The site comprises two separate but contiguous fields on the western side of George Hill, in the southern part of Robertsbridge village. The site slopes up from north to south. The northern portion of the site, including a section of both fields, is allocated for residential development in the Salehurst and Roberstbridge Neighbourhood Plan. The new site area extends the site southward further into the two fields and provides an opportunity for further residential development and biodiversity net gain in this sustainable location.
The site is within the High Weald National Landscape and a sensitive form of development is required to protect landscape character and also biodiversity. The western field within the site is open agricultural land, and development here would need to be sensitive to the site’s rural setting, and should sit below the topographical ridge to the south of the site. Edge locations should feature a reduced development density to provide a softer edge between the site and the surrounding countryside. The eastern extension is substantially wooded, and contains historic field boundaries, and is therefore identified within the site for public greenspace and biodiversity net gain.
The site will require a new access to the northeast onto George Hill, while pedestrian connections should be created onto George Hill to the north east of the site, and a new pedestrian connection onto Heathfield Gardens to the north. In relation to pedestrian access into the village, initial comments from National Highways state that while the western footway of George Hill appears to be in relatively good condition, the provision of tactile paving dropped kerbs, and designated crossing points should be incorporated, as appropriate, to deliver inclusive access and enhance the safety and usability of the pedestrian environment.
In relation to vehicular access, National Highways state that while George Hill forms part of the local highway network, the site’s proximity to the A21 will require an assessment of its impact on the A21/George junction in compliance with DfT Circular 01/2022. In addition, the site’s access must be positioned so that it does not impact on the adjacent George Hill/Heathfield Gardens junction.
Where the site slopes northwards from the south towards the rear of Heathfield Gardens, sustainable drainage should be provided within northern sections of the site to ensure that surface water runoff is kept at greenfield rates.
An Archaeological Notification Area that covers the historic core of the village is located some 150m to the north. The site may therefore have potential for archaeology and an assessment may be required as part of any planning application.
Reproduced from the Ordnance Survey mapping with the permission of the Controller of His Majesty’s Stationary Office. (Crown Copyright). Unauthorised reproduction infringes Crown copyright and may lead to prosecution or civil proceedings. No further copies may be made. Rother District Council Licence No. 100018643 2025
Policy Reference: RB2
Site name: Grove Farm, Robertsbridge
Site identification: Site allocated in Neighbourhood Plan and with planning permission (reference RR/2017/1629/P & RR/2022/283/P, and RR/2022/1850/P), approved 11/02/19, 05/01/23 and 21/07/23)
Greenfield/ Brownfield: Part brownfield
Sub-area: Northern Rother
Allocated use and capacity: The site is allocated for residential development comprising:
- Some 32 new dwellings, comprising: 31 new build units, and the conversion of a Grade II listed barn including a curtilage-listed barn to be made ancillary to the Grade II listed barn conversion
Density statistics:
|
Area type: |
Village |
|
Site size (ha): |
1.70 |
|
Indicative size of area for built development (ha): |
1.23 |
|
Indicative residential density: |
26 dwellings per hectare |
Site specific development requirements:
Development on this site must:
- Accord to the requirements and conditions set out under planning permission RR/2017/1629/P & RR/2022/283/P, and RR/2022/1850/P including:
- Provide affordable housing and housing mix;
- Include vehicular and pedestrian access onto George Hill, including Travel Plan(s) and internal road layout, be agreed and delivered in accordance with the Highways Authority;
- Include a scheme for the provision of foul water drainage works and a surface water drainage system to be approved by the local planning authority;
- Lighting should be designed in accordance with Policy LAN3 and in reference to the High Weald National Landscape Unit’s Technical Advice Note on Dark Skies in the High Weald;
- Protect and enhance biodiversity within the site and include measures to protect badgers. Ecological protections will be pursuant to the approval of Natural England;
- Retain existing trees and hedgerows in accordance with tree and hedgerow retention plan within the submitted Arbocultrual Impact Assessment, including the submission to the local planning authority and their approval of an Arboricultural Method Statement;
- Include an assessment and evaluation of the site’s archaeological potential and the implementation of any mitigation measures identified through the assessment;
- Incorporate existing memorial bench on George Hill;
- Maintain an easement of 6m in respect of the water main the runs below the site;
- Submit a 'contamination investigation and remediation strategy';
- Be informed by a landscape sensitivity assessment to determine an appropriate layout, form and detailed design to ensure the conservation and enhancement of the landscape and character of the High Weald National Landscape.
Supporting text:
The site is located on the southeastern periphery of Robertsbridge village – specifically on the east side of George Hill so the site is contiguous with the village settlement. It comprises fields, the Grade II listed Grove Farm Barn and modern agricultural buildings within the northeast. It is bound by a pair of dwellings, a nursery school and community building to the north, and a couple of dwellings to the south. The undeveloped countryside between the eastern boundary and the A21 is allocated under Policy RB3 in this Plan. The site lies within the amber zone for great crested newts.
The road-frontage of the site currently comprises a native hedgerow interspersed with a few trees, which will need to be retained as far as possible. Additionally, the site is located in an Archaeological Notification Area, while the northeastern edge of the site of is within the Conservation Area.
The site is allocated for around 30 dwellings through Policy HO2 of the Salehurst and Robertsbridge Neighbourhood Plan 2018. It also has extant planning permissions for a total of 32 dwellings including 13 affordable housing units (RR/2022/283/P, RR/2022/1850/P, RR/2017/1642/P).
Reproduced from the Ordnance Survey mapping with the permission of the Controller of His Majesty’s Stationary Office. (Crown Copyright). Unauthorised reproduction infringes Crown copyright and may lead to prosecution or civil proceedings. No further copies may be made. Rother District Council Licence No. 100018643 2025
Policy Reference: RB3
Site name: Land at Grove Farm (Phase 2), Robertsbridge
Site identification: New site identified through HELAA (HELAA site reference SAL0022)
Greenfield/ Brownfield: Greenfield
Sub-area: Northern Rother
Allocated use and capacity: The site is allocated for residential development comprising:
- Some 70 new dwellings
- Public open space comprising and green infrastructure comprising 1.5ha
Density statistics:
|
Area type: |
Village |
|
Site size (ha): |
4.04 |
|
Indicative size of area for built development (ha): |
2 |
|
Indicative residential density: |
35 dwellings per hectare |
Site specific development requirements:
Development on this site must:
- Provide a policy-compliant amount of on-site affordable housing in line with policy HOU2 of the Rother Local Plan;
- Be informed by a landscape sensitivity assessment to determine an appropriate layout, form and detailed design to ensure the conservation and enhancement of the landscape and character of the High Weald National Landscape;
- Include a vehicular access from George Hill via the approved Grove Farm residential development (Grove Farm Phase 1), to the west of the site, to the satisfaction of the Highway Authority.
- Include appropriate pedestrian infrastructure inside and outside the site to link to the footways on the eastern side of George Hill and to Fair Lane;
- Include areas of Green Infrastructure including public open space of some 1.5 hectares, across the southern and northern sections of the site;
- Take account of Southern Water’s underground infrastructure in the design and layout of the site. Easements would be required, which may affect the site layout or require diversion, and these should be clear of all proposed buildings and tree planting.
- Provide sustainable drainage to eliminate additional surface water runoff where the site slopes down in a westerly and northernly manner;
- Include a pedestrian connection to Public Right of Way ‘Salehurst and Robertsbridge 46’ within the north of the site.
- Include an archaeological survey across the whole site, which will also inform the design and layout of the site;
- Retain and enhance the existing hedgerow/ trees forming the eastern boundary of the site;
- Lighting should be designed in accordance with Policy LAN3 and in reference to the High Weald National Landscape Unit’s Technical Advice Note on Dark Skies in the High Weald;
- Be designed to ensure that new residents are not adversely impacted by noise pollution from the A21 trunk road, in consultation with the Environmental Health department. Any physical structures forming part of any noise reduction scheme must respect the landscape character of the National Landscape;
- Include any necessary off-site highway works necessary to make the development acceptable (or financial contributions to such works);
- Include an assessment and evaluation of the site’s archaeological potential and the implementation of any mitigation measures identified through the assessment;
- Have regard to the setting of nearby listed buildings to the north west.
Supporting text:
This is a large site comprising a network of sloping fields on the eastern edge of Robertsbridge, bordered by the A21 on its eastern boundary. The Grove Farm (phase 1) site lies to the west, which is allocated in the Salehurst and Neighbourhood Plan and permitted for residential development. The site is in a sustainable location, in walking distance of services in the village and the mainline railway station, and this extended site provides an opportunity for additional residential development in this location.
Sensitive development is required due to the site’s location within the National Landscape. The southern and northern sections are higher topographically, and more sensitive in landscape terms, and should be retained and enhanced for public open space and biodiversity net gain, with a connection being made to public right of way “Salehurst and Robertsbridge 46”. Furthermore, the northern portion of the site is within an Archaeological Notification Area, and an archaeological survey of the site will be required to inform the design of the development. Where the site is adjacent to the Robertsbridge Conservation Area, the site’s design will need to ensure that the setting of nearby listed buildings are taken account of.
Vehicular access to the site would need to be from George Hill, ideally via the “Grove Farm phase 1” site. Fair Lane is unsuitable to provide vehicular access to the site but should be used for pedestrian and cycle access. A vehicular access onto the A21 trunk road would not be appropriate. A Transport Assessment and Travel Plan would be required to support the planning application.
Initial comments from National Highways have stated that the existing eastern footway of George Hill is relatively narrow and crossing facilities should be improved to encourage active travel trips to facilities within Robertsbridge and access to public transport.
The site undulates gradually downwards both from east to west and from south to north. Sustainable drainage will therefore be required to eliminate any additional runoff that development may cause, and to prevent parts of the village to the north and west from any increased risk of flooding.
Additionally, the site will need to be designed in a way that adequately protects future residents from noise pollution from traffic on the A21 trunk road adjacent to the site. A scheme to this effect will need to be developed in coordination with the Environmental Health department, while ensuring that any physical measures such as noise attenuation fencing does not have an adverse impact on the National Landscape or the rural setting of the village.
Reproduced from the Ordnance Survey mapping with the permission of the Controller of His Majesty’s Stationary Office. (Crown Copyright). Unauthorised reproduction infringes Crown copyright and may lead to prosecution or civil proceedings. No further copies may be made. Rother District Council Licence No. 100018643 2025
Policy Reference: RB4
Site name: Vicarage Land, Land south of the western end of Fair Lane, Robertsbridge
Site identification: Allocated site in the Salehurst and Robertsbridge Neighbourhood Plan
Greenfield/ Brownfield: Part brownfield, part greenfield
Sub-area: Northern Rother
Allocated use and capacity: The site is allocated for residential development comprising some 10 dwellings
Density statistics:
|
Area type |
Village |
|
Site size (ha): |
0.39 |
|
Indicative size of area for built development (ha): |
0.39 |
|
Indicative residential density: |
15 - 26 dwellings per hectare |
Site specific development requirements:
Development on this site must:
- Provide a policy-compliant amount of on-site affordable housing in line with policy HOU2 of the Rother Local Plan;
- Include a new vehicular and pedestrian access off Fair Lane, to the satisfaction of the Highway Authority;
- Retain and enhance the existing hedgerow/ trees along the site frontage and the south east facing boundary;
- Provide a new public right of way connection through the southern boundary to join up with Salehurst and Robertsbridge 45a;
- Include archaeological survey prior to development, and be carried out in accordance with its recommendations;
- Ensure design is sensitive in respect of the nearby listed buildings, and the site’s location within the Robertsbridge Conservation Area;
- Include sustainable drainage within the site’s northern boundary.
Supporting text:
The site is allocated for some 6-10 dwellings through Policy HO2 of the Salehurst and Robertsbridge Neighbourhood Plan 2018 but has not yet come forward for development, although is currently the subject of planning application RR/2024/998/P.
It is a part brownfield, part greenfield site, containing a vicarage and ‘mission hall’, which would likely need to be demolished to accommodate a reasonable density of new dwellings. The loss of these facilities has been accepted through the Neighbourhood Plan
The site is of a constrained nature, sloping south to north, while access on to Fair Lane is not straightforward, given its narrow width, concentration of listed buildings and the difference in level between the site and the road, and a sensitive design will be required. The site is also within the Robertsbridge Conservation Area and an Archaeological Notification Area. Development would need to be sensitive to these heritage constraints, and an archaeological assessment will be required given its potential for archaeology.
Development will additionally need to retain trees and hedgerow along the site’s frontage as well as the trees along the site’s southeastern boundary alongside footpath ‘Salehurst and Robertsbridge 45a’, which runs adjacent. A pedestrian connection to the footpath should be included in addition to pedestrian access onto Fair Lane.
Reproduced from the Ordnance Survey mapping with the permission of the Controller of His Majesty’s Stationary Office. (Crown Copyright). Unauthorised reproduction infringes Crown copyright and may lead to prosecution or civil proceedings. No further copies may be made. Rother District Council Licence No. 100018643 2025
Policy Reference: RB5
Site name: Culverwells, Land north of Station Road, Robertsbridge
Site identification: Site with planning permission (reference RR/2023/27/P), approved 31/07/24
Greenfield/ Brownfield: Greenfield
Sub-area: Northern Rother
Allocated use and capacity: The site is allocated for residential development comprising:
- Some 21 new dwellings
- Two storey doctor’s surgery containing 6 consulting rooms
Density statistics:
|
Area type: |
Village |
|
Site size (ha): |
1.94 |
|
Indicative size of area for built development (ha): |
1.46 |
|
Indicative residential density: |
15 dwellings per hectare |
Site specific development requirements:
Development on this site must:
- Provide a policy-compliant amount of on-site affordable housing in line with policy HOU2 of the Rother Local Plan;
- Include vehicular and pedestrian access onto Station Road;
- Provide the doctor’s surgery at the southern end of the site;
- Include a scheme for the provision of foul water drainage works and a surface water drainage system to be approved by the local planning authority;
- Provide separate parking for the doctor’s surgery that must be approved by the Highways Authority;
- Ensure that housing development avoids the lower parts of the site and is outside of Flood Zones 2 and 3. No buildings should be within Flood Zone 3;
- In site layout retain access to a flood protection embankment to the River Rother/ Darwell Stream which is adjacent to the eastern boundary of the site;
- Ensure that residential amenities are protected from any environmental impacts as a result of the site’s proximity to the railway;
- Retain and protect the existing ponds in the south-eastern part of the site and provide an appropriate buffer to any built development including roadways, as informed by an ecological survey, to be completed;
- Retain and enhance as far as possible existing trees and hedgerows within the site area;
- Use the eastern parts of the site that within flood zones for biodiversity improvements;
- Include an assessment and evaluation of the site’s archaeological potential and the implementation of any mitigation measures identified through the assessment;
- Lighting should be designed in accordance with Policy LAN3 and in reference to the High Weald National Landscape Unit’s Technical Advice Note on Dark Skies in the High Weald;
- Be informed by a landscape sensitivity assessment to determine an appropriate layout, form and detailed design to ensure the conservation and enhancement of the landscape and character of the High Weald National Landscape.
Phasing requirements:
Phase 1 - Access Road
Phase 2 – Surgery
Phase 3 – Residential Development
Supporting text:
The site is circa 1.94ha of undeveloped land to the north of Station Road. The site is bounded to the north by the former railway land (heritage line), woodlands, open landscape and the River Rother; to the east, an industrial estate, open landscape and the River Rother; to the south, Station Road and residential linear development along the road, and allotment gardens; and, to the west, Culverwell Garage, and Robertsbridge Station.
The site comprises areas of semi-improved grasslands, isolated semi-mature trees and tree groups, species-poor hedgerow and overgrown planting, and a pond to the northern portion of the site. These will require specific care to be made regarding the retention and enhancement of biodiversity within the site.
The northeast and eastern parts of the site are located in flood zone 3, with an adjacent strip of land in flood zone 2. New housing will need to be located on the highest point of the site, outside flood zone 3, with a small section of the surgery in flood zone 2. Adjacent to the eastern boundary of the site, a flood protection embankment to the River Rother/ Darwell Stream has been constructed, which will require access within the site layout. An overhead power line and an underground sewer servitude cross the site east to west.
Reproduced from the Ordnance Survey mapping with the permission of the Controller of His Majesty’s Stationary Office. (Crown Copyright). Unauthorised reproduction infringes Crown copyright and may lead to prosecution or civil proceedings. No further copies may be made. Rother District Council Licence No. 100018643 2025
Policy Reference: RB6a
Site name: Hodson's Mill, Northbridge Street, Robertsbridge
Site identification: Salehurst and Robertsbridge Neighbourhood Plan allocation and expired planning permission RR/2017/382/P
Greenfield/ Brownfield: Brownfield and Greenfield
Sub-area: Northern Rother
Allocated use and capacity: The site is allocated for residential and commercial development, including the conversion of Hodson's Mill, comprising:
- Some 96 dwellings
- 1,200sqm of Class E floorspace
Density statistics:
|
Area type: |
Village |
|
Site size (ha): |
3.96 |
|
Indicative size of area for built development (ha): |
2.41 |
|
Indicative residential density: |
40 |
Site specific development requirements:
Development on this site must:
- Provide a policy-compliant amount of on-site affordable housing in line with policy HOU2 of the Rother Local Plan;
- Include some 1,200sqm of Class E floorspace;
- Include the completion of restoration works to the Mill Building and the Grade II listed western part of the former oasthouse to Mill Farm;
- Include vehicular and pedestrian access onto Northbridge Street;
- Be informed by a landscape sensitivity assessment to determine an appropriate layout, form and detailed design to ensure the conservation and enhancement of the landscape and character of the High Weald National Landscape;
- Lighting should be designed in accordance with Policy LAN3 and in reference to the High Weald National Landscape Unit’s Technical Advice Note on Dark Skies in the High Weald;
- Include an emergency access track with connection to the A21 layby, to be shared with the adjoining site (allocation RB6b, Open Field);
- Provide for vehicular and pedestrian access to the adjoining allocated site (RB6b, Open Field);
- Have regard to the deciduous woodland priority habitat with the north of the site and adjacent, including the delivery of strategic landscaping and green infrastructure that incorporates Public Right of Ways “Salehurst and Robertsbridge 8a”, “Salehurst and Robertsbridge 8b” and “Salehurst and Robertsbridge 28” which cross sections the site;
- Ensure that housing development avoids the lower parts of the site which are shown to be at risk of flooding;
- Include a scheme for the provision of foul water drainage works and a surface water drainage system to be approved by the local planning authority;
- Have regard to the need to protect the setting of the Northbridge Street Conservation Area and the setting of the listed oasthouse within the site area;
- Include an assessment and evaluation of the site’s archaeological potential and the implementation of any mitigation measures identified through the assessment.
Supporting text:
This presently derelict, partly brownfield, Hodson’s Mill site is allocated for some 85-100 dwellings through Policy HO2 of the Salehurst and Robertsbridge Neighbourhood Plan 2018. It also had a planning permission (RR/2017/382/P) which expired in July 2024 for 96 dwellings and 1,200sqm employment floorspace.
The site has a number of environmental and other constraints. It is within the High Weald National Landscape and contains priority habitat. It is adjacent to the River Rother, with some western areas being within Flood Zones 2 and 3 (medium to high risk of flooding). There is also a public footpath running through the site. In addition, there is a Grade II listed former oasthouse to Mill Farm (the only surviving building of Mill Farm) within the site area while the site is partially within the Northbridge Street Conservation Area and an Archaeological Notification Area. An archaeological survey for the site area will be required, and should inform the site layout
However, development of this site would enable the restoration of both the listed oasthouse and the locally significant mill, which would also improve the site’s presentation within the Northbridge Street Conservation Area. It would also provide for a large number of new dwellings and employment floorspace in a reasonably sustainable location within walking distance of Robertsbridge village and its services, including the mainline railway station. However, given the number of constraints, development would need to be sensitive, avoiding site areas within the flood zone, while site design and landscaping would need to have regard to its landscape and heritage context.
Given that the site access is within the flood zone, an emergency access will need to be provided in case of flooding. The site must also provide access to the adjacent allocation RB6b (Open Field).
Reproduced from the Ordnance Survey mapping with the permission of the Controller of His Majesty’s Stationary Office. (Crown Copyright). Unauthorised reproduction infringes Crown copyright and may lead to prosecution or civil proceedings. No further copies may be made. Rother District Council Licence No. 100018643 2025
Policy Reference: RB6b
Site name: Openfield, north of Northbridge Street, Robertsbridge (extension to Mill site)
Site identification: New site identified through HELAA (HELAA site reference SAL0046)
Greenfield/ Brownfield: Greenfield
Sub-area: Northern Rother
Allocated use and capacity: The site is allocated for residential development comprising some 50 new dwellings
Density statistics:
|
Area type: |
Village |
|
Site size (ha): |
2.45 |
|
Indicative size of area for built development (ha): |
1.14ha – 1.71ha |
|
Indicative residential density: |
35 dwellings per hectare |
Site specific development requirements:
Development on this site must:
- Provide a policy-compliant amount of on-site affordable housing in line with policy HOU2 of the Rother Local Plan;
- Be delivered alongside site RB6a Hodson’s Mill;
- Include a new vehicular and pedestrian access from internal roads of adjacent Hodson’s Mill development;
- Include emergency access track with connection to the A21 layby, to be shared with adjacent Hodson’s Mill development;
- Retain and enhance the existing hedgerows and trees on the site boundaries, including also the historic hedgerow that runs north to south within the western half of the site;
- Protect and retain the existing WWII pillbox within the south-western part of the site;
- Include an area of Green Infrastructure within the northern part of the site, which is higher topographically and which should remain undeveloped, including new areas of woodland planting along the northern boundary;
- Be informed by a landscape sensitivity assessment to determine an appropriate layout, form and detailed design to ensure the conservation and enhancement of the landscape and character of the High Weald National Landscape;
- Be designed to ensure that the site layout, landscaping and architecture respects the site topography and protects the setting of the adjacent Northbridge Street Conservation Area and nearby listed buildings;
- Lighting should be designed in accordance with Policy LAN3 and in reference to the High Weald National Landscape Unit’s Technical Advice Note on Dark Skies in the High Weald;
- Link to Public Right of Way “Salehurst and Robertsbridge 8b” to the north;
- Include an assessment and evaluation of the site’s archaeological potential and the implementation of any mitigation measures identified through the assessment; and;
- Include sustainable drainage in accordance with Policy ENV2 of the Rother Local Plan.
Supporting text:
This is an open, undeveloped field adjacent to the former Mill site, a large brownfield site which is allocated in the Salehurst and Robertsbridge Neighbourhood Plan for residential development and which previously had a planning permission for 96 dwellings (which was not implemented and has now expired). It is understood that there are viability constraints with delivering the residential redevelopment of the Mill site, and that the extension of that site into this field would help improve viability and ensure the appropriate redevelopment of the Mill site.
The site, together with the Mill site, is within the High Weald National Landscape and the northern sections of the site are topographically prominent. The site also forms part of the setting of the Northbridge Street Conservation Area to the immediate south. The southeastern corner of the site is also within an Archaeological Notification Area. Consequently, development would need to be sensitively designed and should avoid the northern areas of the site, which should form an area of green infrastructure with new woodland planting to reinforce the settlement edge within the landscape. Additionally, historic field boundaries form the eastern, southern and most of the northern edges of the site, while a historic hedgerow also bisects the site north to south. Layout and architectural design will need to have regard to the adjacent Conservation Area and listed buildings. Given the environmental and heritage constraints of the site, development should be limited to that which is demonstrated to be necessary to facilitate the appropriate redevelopment of the Mill Site in viability terms.
Access to the site will need to come through the adjacent Mill site, and therefore this site can only be delivered alongside allocation SAL6b.
Reproduced from the Ordnance Survey mapping with the permission of the Controller of His Majesty’s Stationary Office. (Crown Copyright). Unauthorised reproduction infringes Crown copyright and may lead to prosecution or civil proceedings. No further copies may be made. Rother District Council Licence No. 100018643 2025
57. Do you have any comments on the proposed site allocations in Robertsbridge, detailed in Policies RB1 to RB6b? Comment
Staplecross
Parish: Ewhurst
Policy Reference: SC1
Site name: Land east of Stockwood Meadow, Northiam Road, Staplecross
Site identification: New site identified through HELAA (HELAA site reference EWH0010)
Greenfield/ Brownfield: Greenfield
Sub-area: Northern Rother
Allocated use and capacity: The site is allocated for residential development comprising:
-
Some 25 new dwellings
-
Public open space comprising an amenity green space of some 0.5 hectares
Density statistics:
|
Area type: |
Village |
|
Site size (ha): |
1.06 |
|
Indicative size of area for built development (ha): |
0.7 |
|
Indicative residential density: |
25 dwellings per hectare |
Site specific development requirements:
Development on this site must:
-
Provide a policy-compliant amount of on-site affordable housing in line with policy HOU2 of the Rother Local Plan
-
Include a new vehicular access from Northiam Road (the B2165)
-
Improve pedestrian access to join up with existing footways in consultation with the highways authority, which may include crossing points and extension of 30mph speed limit along Northiam road (the B2165);
-
Be designed to retain an open aspect across the site to the south to retain existing public views across the countryside to the south, with dwellings constructed to share a central access road;
-
Include no built development in the northwestern part of the site which is shown to be at risk of surface water flooding;
-
Retain and enhance the existing hedgerow and trees that bound the developable area of the site to the east, west and along the frontage on the northern boundary;
-
Be informed by a landscape sensitivity assessment to determine an appropriate layout, form and detailed design to ensure the conservation and enhancement of the landscape and character of the High Weald National Landscape;
-
Include an assessment and evaluation of the site’s archaeological potential and the implementation of any mitigation measures identified through the assessment;
-
Include sustainable drainage in the southern section of the site in accordance with Policy ENV2 of the Rother Local Plan, where there may be risk of runoff into the stream valley to the south.
Supporting text:
This is an open field in the eastern part of Staplecross village, adjacent to a recently constructed housing development at Stockwood Meadow, south of Northiam Road (the B2165). It is well located within walking distance of village services including the primary school and it is within the High Weald National Landscape.
Given the presence of some development on either side of the site and on the opposite side of Northiam Road, there is scope for additional residential development at this location, in line with the southern extent of the Stockwood Meadow development. This is subject to the retention of the roadside hedgerow, which is an important feature in the streetscape and a careful design which retains the existing public views across the countryside to the south. Development should also avoid the northwest portion of the site which has a high risk of surface water flooding.
An archaeological Notification Area covering the historic core of the village is located some 40m to the west of the site. It is therefore considered that an archaeological assessment survey of the site should be carried out before development can take place.
Reproduced from the Ordnance Survey mapping with the permission of the Controller of His Majesty’s Stationary Office. (Crown Copyright). Unauthorised reproduction infringes Crown copyright and may lead to prosecution or civil proceedings. No further copies may be made. Rother District Council Licence No. 100018643 2025
Policy Reference: SC2
Site name: Land east of Hop Gardens, Northiam Road, Staplecross
Site identification: New site identified through HELAA (HELAA site EWH0009)
Greenfield/ Brownfield: Greenfield
Sub-area: Northern Rother
Allocated use and capacity: The site is allocated for residential development comprising some 8 new dwellings
Density statistics:
|
Area type: |
Village |
|
Site size (ha): |
0.55 |
|
Indicative size of area for built development (ha): |
0.25 |
|
Indicative residential density: |
35 dwellings per hectare |
Site specific development requirements:
Development on this site must:
-
Provide a policy-compliant amount of on-site affordable housing in line with policy HOU2 of the Rother Local Plan;
-
Retain the eastern half of the site as undeveloped land which could potentially form green infrastructure, and/or, biodiversity net gain to support the development while retaining views north-south across the site;
-
Include a new vehicular access from Northiam Road (B2165);
-
Include an area of public open space in the south-western corner of the site to allow the retention of the mature oak tree within this part of the site;
-
Retain and enhance the existing trees and hedgerows on the southern and eastern boundaries of the site, except for the section that will have to be removed to form a singular vehicular and pedestrian access onto Northiam Road. The access point shall avoid the western corner of the site to protect the mature Oak tree;
-
Include an assessment and evaluation of the site’s archaeological potential and the implementation of any mitigation measures identified through the assessment;
-
Be designed to ensure that the setting of the Grade II listed “Brayburn Farm Barn” to the east is protected.
Supporting text:
The site forms part of an open field on the northern side of Northiam Road, in the eastern part of the village of Staplecross. It is set between Hop Gardens, a small affordable housing development to the west, and the curtilage of a Grade II listed barn to the east. It provides an opportunity for a small number of dwellings in a sustainable location within walking distance of services within the village, including the primary school.
The site is within the High Weald National Landscape, and the wider field allows for far reaching views across the wider landscape to the north. Consequently, a sensitive form of development is required in line with Local Plan policies, while the site orientation with dwellings in the western part of the wider field only will allow a substantial portion of the views to be retained. Policy requirements detailed above will ensure the retention of boundary hedgerows with the undeveloped eastern portion of the site being restored to unimproved grassland.
An archaeological Notification Area covering the historic core of the village is located some 135m to the west of the site, while there is a listed barn to the east of the site. It is therefore considered that an archaeological assessment survey of the site should be carried before development can take place.
Reproduced from the Ordnance Survey mapping with the permission of the Controller of His Majesty’s Stationary Office. (Crown Copyright). Unauthorised reproduction infringes Crown copyright and may lead to prosecution or civil proceedings. No further copies may be made. Rother District Council Licence No. 100018643 2025
58. Do you have any comments on the proposed site allocations in Staplecross, Ewhurst Parish, detailed in Policies SC1 and SC2? Comment
Flimwell
Parish: Ticehurst

Policy Reference: FW1
Site name: Land rear of Fruitfields, High Street, Flimwell
Site identification: Ticehurst Neighbourhood Plan allocation and additional land identified through HELAA process (HELAA site reference TIC0090)
Greenfield/ Brownfield: Greenfield
Sub-area: Northern Rother
Allocated use and capacity: The site is allocated for residential development comprising some 32 new dwellings
Density statistics:
|
Area type: |
Village |
|
Site size (ha): |
2.3 |
|
Indicative size of area for built development (ha): |
0.9 |
|
Indicative residential density: |
35 dwellings per hectare |
Site specific development requirements:
Development on this site must:
-
Provide a policy-compliant amount of on-site affordable housing in line with policy HOU2 of the Rother Local Plan
-
Provide new vehicular, pedestrian and cycle access onto Union Street to the satisfaction of the Highways Authority, whilst retaining Public Right of Way ‘Ticehurst 11b’.
-
Limit built development to the southern half of the site only with the northern half to comprise green infrastructure and necessary buffers to woodland, as detailed in Criterion v;
-
Retain and enhance trees and hedgerows within the site, including ancient woodland, deciduous woodland priority habitat, the trees forming the east and west site boundaries, and any other significant trees or groups of trees within the site
-
Retention and enhancement of trees and deciduous woodland will be inclusive of the provision for the retention and future management of a buffer zone of semi-natural habitat, at least 15 metres wide (which does not include residential gardens), within the north of the site, between the edge of development and the ancient woodland;
-
Include sustainable drainage in accordance with Policy ENV2 of the Rother Local Plan.
-
Be designed to protect the residential amenity of the occupiers of existing dwellings adjacent to the site
-
Lighting should be designed in accordance with Policy LAN3 and in reference to the High Weald National Landscape Unit’s Technical Advice Note on Dark Skies in the High Weald
-
Be informed by a landscape sensitivity assessment to determine an appropriate layout, form and detailed design to ensure the conservation and enhancement of the landscape and character of the High Weald National Landscape.
Supporting text:
This site is formed of two separate sites considered through the HELAA, comprising an existing site allocation at Wardsdown House (allocated through the Ticehurst Neighbourhood Plan) and the land to the east, to the rear of properties fronting Union Street. Development of the allocated site has not come forward and the landowners advise that this is due to viability, and that the site’s eastward extension would ensure overall viability. The extended site provides an opportunity to provide additional dwellings in the village without harming the landscape or character of the High Weald National Landscape, subject to the policy requirements.
While the site is well screened from the wider landscape by existing development and woodland, there are a number of constraints on site which ultimately reduce the developable area.
The northern areas of the site have considerable tree cover, including Wardsdown Wood, which forms an area of designated ancient woodland within the north of the site, and then an area of deciduous woodland priority habitat that lies just south of the ancient woodland. There are further areas of tree cover within the site and along the boundaries that will also need to be retained, to ensure the protection of landscape character and biodiversity. The more substantially treed sections of the site are included within the area that is suitable for Green Infrastructure and not for dwellings. Consequently, development should be focused within southern areas of the site.
Given the presence of ancient woodland and deciduous woodland priority habitat, it is important that the developable sections of the site be designed in line with the High Weald National Landscape Unit’s Technical Advice Note on Dark Skies in the High Weald.
There are areas within the east and notably the northeast of the site that are vulnerable to surface water flooding, which gathers northward of the site in a downhill direction as a tributary to the River Bewl, 125 metres to the north. Development should avoid these more vulnerable areas, while a Sustainable drainage infrastructure (SuDS) will be required in the northeast of the site. SuDS related development should be delivered south of the area of deciduous woodland.
Reproduced from the Ordnance Survey mapping with the permission of the Controller of His Majesty’s Stationary Office. (Crown Copyright). Unauthorised reproduction infringes Crown copyright and may lead to prosecution or civil proceedings. No further copies may be made. Rother District Council Licence No. 100018643 2025
Policy Reference: FW2
Site name: Hawkhurst Road, Flimwell
Site identification: Site identified through HELAA process (HELAA site reference TIC0091)
Greenfield/ Brownfield: Greenfield
Sub-area: Northern Rother
Whole allocation specific development requirements:
The development of sites which are the subject of policies FW2a and FW2b shall contribute to necessary shared infrastructure through:
-
The provision of an overarching foul and surface water drainage strategy, designed in conjunction with Southern Water and the Lead Local Flood Authority;
-
Addressing the transport requirements and impacts of the combined allocations and making proportionate financial contributions to, or direct provision of, necessary off-site highway and cycleway/footpath improvements. Each site must include new vehicular access from Hawkhurst Road (and not the A21), to the satisfaction of the Highway Authority;
-
Providing an integrated approach to ensuring safe and convenient movement for pedestrians and cyclists within and between the sites, to include pedestrian and cycle connections to Hawkhurst Road (and, in the case of site FW2a north, to the A21) in accordance with Policy LWL4: Walking, Wheeling, Cycling & Public Transport (Within the Site);
-
All residential development shall contribute to the provision of a facility or building for community use and a Local Equipped Area for Play (LEAP) both within site FW2b, either directly or through proportionate (to the respective quantum of residential development) financial contributions.
-
The provision and implementation of a shared Green Infrastructure and Public Open Space Strategy.
The above shared infrastructure requirements shall be implemented by a combination of direct provision and legal (Section 106) agreements attached to the respective development proposals.
Phasing requirements:
No more than 50% of new dwellings within each of site FW2a or FW2b may be occupied until either the community facility/ building and LEAP are provided within the site area of FW2b or, in the event of site FW2b coming forward after FW2a, until the necessary financial contribution towards their provision has been received.
Supporting text:
This is a broad location containing a number of individual land parcels and adjoining fields on the northern and southern sides of Hawkhurst Road, east of the A21 London Road. It is within the High Weald National Landscape.
The separation of this area from the western part of Flimwell by the A21 trunk road is a constraint, particularly as most services are within Ticehurst village, which is further south-west. However, the relatively large size of the land available offers the potential for a strategic mixed-use development that would include residential, employment, retail and community uses. This mix of uses would assist in mitigating the site’s separation from some key services such as the nearest primary school. However, improvements to pedestrian and cycle links will be required, to encourage active travel, which could include off-site improvements to the A21 crossroads and Hawkhurst Road.
Achieving safe vehicular access and the potential impacts on the capacity of the nearby A21 crossroads will require detailed highways assessments. Pedestrian and cycle links within and connecting FW2a and FW2b should allow access to the A21 crossing. In addition, footway improvements on the northern side of Hawkhurst Road between the sites and the A21 will need to enable safe and convenient pedestrian access. Initial comments from National Highways state that any new access will be subject to a Stage 1 Road Safety Audit and a Walking, Cycling & Horse-Riding Assessment. A full safety risk assessment covering impacts on the Strategic Road Network is necessary, also.
The site is relatively enclosed in the wider landscape although the presence of the adjacent Ancient Woodland and Deciduous Woodland Priority Habitat will require a site design that keeps lighting to a minimum, in accordance with Local Plan policy LAN3.
Policy FW2 above sets out the overarching infrastructure requirements of the strategic allocation, while policies FW2a and FW2b below set out the specific requirements of the individual land portions.
Policy Reference: FW2a
Site name: Hawkhurst Road, Flimwell - west
Allocated use and capacity: The site is allocated for a mixed-use residential and business development comprising:
-
Some 44 new dwellings
-
Some 1,650 sqm of new floorspace for employment
Density statistics:
|
Area type: |
Village |
|
Site size (ha): |
3.25 |
|
Indicative size of area for built development (ha): |
2 (1.45ha being residential development) |
|
Indicative residential density: |
35 dwellings per hectare |
Site specific development requirements:
Development on this site must:
-
Provide a policy-compliant amount of on-site affordable housing in line with policy HOU2 of the Rother Local Plan within the site to the north of Hawkhurst Road.
-
Provide employment floorspace of some 1,650sqm within the site to the south of Hawkhurst Road.
-
Provide new vehicular, pedestrian and cycle accesses onto Hawkhurst Road, to the satisfaction of the Highway Authority.
-
In addition to (iii), provide new pedestrian and cycle links from the northern portion to the A21 London Road.
-
Be informed by a landscape sensitivity assessment to determine an appropriate layout, form and detailed design to ensure the conservation and enhancement of the landscape and character of the High Weald National Landscape.
-
Include provision for the retention and future management of a buffer zone of semi-natural habitat, at least 15 metres wide (which does not include residential gardens), on the X boundary, between the edge of development and the ancient woodland;
-
Contain significant areas of Green Infrastructure which could include public open space and areas for biodiversity net gain , including the buffer zone to the ancient woodland.
-
Retain and enhance existing hedgerows and trees bounding both parts of the site, these being historic field boundaries, while having particular regard to the historic field boundary that bisects the northwest of the site;
-
Be informed by a tree survey and layout which seeks to retain all existing mature trees within both parts of the site where possible, having regard to incorporation of the parkland features of the northwestern section;
-
Be carefully designed to include a site layout within the eastern section that protects far-reaching views from the northwest;
-
Lighting should be designed in accordance with Policy LAN3 and in reference to the High Weald National Landscape Unit’s Technical Advice Note on Dark Skies in the High Weald, and to limit impacts on the adjacent ancient woodland.
Supporting text:
This site comprises two distinct sections, one to the north and one to the south of Hawkhurst Road. Fields in the north-western part of the broad location, adjacent to the road junction, are more constrained due to their sloping topography, mature trees and historic field boundaries. An appropriate development should retain these parkland features of the site. A substantial Green Infrastructure buffer will be required to protect both the ancient woodland to the northeast, and to protect long views from the landscape to the northwest given the raised topography of eastern areas of the site. Due to these constraints, sensitive lighting will be an important consideration for any development here.
The eastern area of the site will be required for vehicular access onto the A268, and should include connections to FW2b to the east to provide improved pedestrian and cycle links towards the crossroads. Pedestrian and cycle connections to the A21 should also be provided along the western boundary of FW2a. It is preferred that two access points of FW2a north and south of Hawkhurst Road form a staggered arrangement, which are considered safer than crossroads.
The field on the southern side of Hawkhurst Road is relatively well enclosed within the landscape and could accommodate a sensitive commercial development in keeping with the adjacent use. This is subject to the retention of mature boundary trees and the protection of the adjoining woodland.
Policy Reference: FW2b
Site name: Hawkhurst Road, Flimwell - east
Allocated use and capacity: The site is allocated for a residential-led mixed used development comprising:
-
Some 70 new dwellings
-
A new community use facility or building, to be informed by local needs
-
A convenience retail unit (or retention of existing retail use)
-
A Local Equipped Area for Play (LEAP) of at least 400sqm (0.04ha)
Density statistics:
|
Area type: |
Village |
|
Site size (ha): |
3 |
|
Indicative size of area for built development (ha): |
2.4 |
|
Indicative residential density: |
35 dwellings per hectare |
Site specific development requirements:
Development on this site must:
-
Provide a policy-compliant amount of on-site affordable housing in line with policy HOU2 of the Rother Local Plan within the site to the north of Hawkhurst Road.
-
Be informed by a landscape sensitivity assessment to determine an appropriate layout, form and detailed design to ensure the conservation and enhancement of the landscape and character of the High Weald National Landscape.
-
Provide a facility or building for community use (to be informed by an assessment of local needs) which could also contain new convenience retail floorspace (if this is not to be retained in the western section pursuant to criteria (iii)
-
Retain a retail or business use within the western section commensurate in size to the existing retail use in this location.
-
Include a substantial area of Green Infrastructure to include public open space and biodiversity net gain;
-
Include provision for the retention and future management of a buffer zone of semi-natural habitat, at least 15 metres wide (which does not include residential gardens), on the northern boundary, between the edge of development and the ancient woodland (which could form part of the Green Infrastructure required by v.);
-
Provide new vehicular, pedestrian and cycle accesses onto Hawkhurst Road, to the satisfaction of the Highway Authority.
-
Retain and enhance existing hedgerows bounding the site area, having particular regard to the site frontage.
-
Lighting should be designed in accordance with Policy LAN3 and in reference to the High Weald National Landscape Unit’s Technical Advice Note on Dark Skies in the High Weald, and to limit impacts on the adjacent Ancient Woodland.
Supporting Text:
This site to the north of Hawkhurst Road comprises an area just over 3ha, that includes interconnecting rectangular fields that extend to the rear of roadside cottages to the east. The site’s frontage also includes a nursey and a farm shop style convenience store. The fields gradually slope down in an easterly direction, but also to the north where the site is bound by and extensive area Ancient Replanted Woodland. Given the extent of this woodland, the site is relatively well contained within the landscape and could accommodate a sensitive, residential-led, mixed-use development without significant impacts on landscape character and views, subject to the retention of roadside boundary hedgerows (where present) and an appropriate buffer to the ancient woodland to the north. Sustainable drainage will be required to eliminate any additional surface water generated by development, and should form part of a suitable buffer of green infrastructure within the northern part of the site.
This site will provide a residential-led, mixed-use development, to include a facility or building for community use within the western portion of the site. There is an existing business/ retail use within the western part of the site and this should either be retained, or a new business or retail use included. FW2b will also include a Local Equipped Area for Play (LEAP).
Reproduced from the Ordnance Survey mapping with the permission of the Controller of His Majesty’s Stationary Office. (Crown Copyright). Unauthorised reproduction infringes Crown copyright and may lead to prosecution or civil proceedings. No further copies may be made. Rother District Council Licence No. 100018643 2025
Policy Reference: FW3
Site name: Cedar Farm, London Road
Site identification: Site submitted during call for sites (HELAA site reference TIC0087)
Greenfield/ Brownfield: Greenfield. The site contains agricultural buildings which are specifically excluded from the definition of “previously developed land” within national planning policy.
Sub-area: Northern Rother
Allocated use and capacity: The site is allocated for employment development comprising up to some 1,500 sqm of employment floorspace.
Density statistics:
|
Area type: |
Countryside |
|
Site size (ha): |
2.26 |
|
Indicative size of area for built development (ha): |
0.75 |
Site specific development requirements:
Development on this site must:
-
Be restricted to the area currently occupied by farm buildings and areas of hardstanding;
-
Be designed to be in keeping with the agricultural character of the site, including through the style of new buildings;
-
Utilise the existing farm access onto the A21, subject to the approval of National Highways;
-
Maintain a minimum 15 metres wide buffer to the Ancient Woodland, and;
-
Retain and enhance the pond and surrounding trees within the site, including a 10 metre buffer from any development, as informed by an ecological survey.
Supporting text:
The site comprises a collection of farm buildings and hardstanding on the eastern side of the A21 London Road, in the countryside between Swiftsden to the south and Flimwell to the north.
The site is generally well contained within the landscape due to the presence of Ancient Woodland that envelops the site from the west to the north, with the addition of a dense tree belt that forms the northeast boundary of the A21 in this location. To the east of the site area is a cluster of trees centred around a pond at the centre of the farmstead, as well as a residential building and polytunnels, all of which further contribute to the site’s screening from the wider landscape.
The site is not within walking distance of a settlement, however it benefits from an existing access from a trunk road and provides an opportunity for sensitive employment development. National planning policy supports the sustainable growth and expansion of all types of business in rural areas, recognising that sites in rural areas may have to be found beyond existing settlements.
Reproduced from the Ordnance Survey mapping with the permission of the Controller of His Majesty’s Stationary Office. (Crown Copyright). Unauthorised reproduction infringes Crown copyright and may lead to prosecution or civil proceedings. No further copies may be made. Rother District Council Licence No. 100018643 2025
59. Do you have any comments on the proposed site allocations in Flimwell, Ticehurst Parish, detailed in Policies FW1 to FW3? Comment
Ticehurst
Parish: Ticehurst
Policy Reference: TC1
Site name: Land at Steellands Farm, Field Rise, Ticehurst
Site identification: Site identified through HELAA process (HELAA site reference TIC0092)
Greenfield/ Brownfield: Greenfield
Sub-area: Northern Rother
Allocated use and capacity: The site is allocated for residential development comprising:
-
Some 54 new dwellings
-
Some 2ha of Green Infrastructure to comprise new tree planting and public open space
Density statistics:
|
Area type: |
Village |
|
Site size (ha): |
3.89 |
|
Indicative size of area for built development (ha): |
1.8 - 0.5 in southern field - 1.3 in northern field including access road |
|
Indicative residential density: |
30 dwellings per hectare |
Site specific development requirements:
Development on this site must:
-
Provide a policy-compliant amount of on-site affordable housing in line with policy HOU2 of the Rother Local Plan
-
Include vehicular and pedestrian access onto Field Rise to the satisfaction of the Highways Authority.
-
Be informed by a landscape sensitivity assessment to determine an appropriate layout, form and detailed design to ensure the conservation and enhancement of the landscape and character of the High Weald National Landscape.
-
Deliver green infrastructure within the southern field to include the planting of trees to provide screening in views from the south and a landscape buffer to the Grade II listed public house to the east of the site.
-
Deliver green infrastructure within the northern field to include a new tree boundary along the site’s northeast edge.
-
Retain and enhance hedgerows and treebelts that bound the southern site on all sides, bound the northern site to the southwest, northwest and southeast site;
-
Retain and protect the existing pond in the western part of the site and provide an appropriate buffer to any built development including roadways, as informed by an ecological survey, to be completed;
-
Lighting should be designed in accordance with Policy LAN3 and in reference to the High Weald National Landscape Unit’s Technical Advice Note on Dark Skies in the High Weald;
-
Include a new pedestrian and cycle path leading from Field Rise northwards through the site, and providing for a link beyond the northeastern boundary towards Tinkers Lane;
-
Include a Transport Assessment in line with recommendations from the Highways Authority.
Supporting text:
The site is formed of two adjacent fields that share a central access track leading north from Field Rise, a modern housing development opposite Ticehurst and Flimwell Primary School. It would represent a logical extension to the village in a sustainable location.
Both fields are almost entirely enclosed by historic field boundaries, dividing the site into two distinct areas. This dividing boundary hedge, together with the trees and hedgerows on the outer site boundaries will need to be retained and enhanced as character features of the High Weald National Landscape and for biodiversity reasons, they also serve to help screen the site from longer views
The southern portion of the site forms an open field which slopes up from south to north, although it is relatively well contained other than on its southern boundary. However, the site itself is topographically prominent to the immediate landscape and village to the south. Additionally, this part of the site lies adjacent to a grade II listed public house to the east. Consequently, development opportunities here are more limited, and this part of the site could be more suited to low-rise dwellings. It will be necessary for this part of the site to contain significant areas of Green Infrastructure, including tree planting along the southern boundaries, while the prominent northern end of the site should remain undeveloped. A landscape buffer will be required to protect the setting of the listed building. The area of trees and the pond at the western end of the site should also be retained as part of the Green Infrastructure.
The northern field is less visible in the landscape, being enclosed by trees to the east, south and west. Further boundary planting will be required to more effectively screen the site from landscape views from the north. This part of the site contains a number of modern farm buildings, which will need to be demolished.
Vehicular, pedestrian and cycle access should be made via the formalisation of the existing track to Steelands Farm. Initial comments of the Highway Authority suggest that a vehicular access is likely to be achievable but the impact of development traffic on the nearby school drop and pick up periods, alongside other development traffic, would need to be assessed.
Given the scale and location of the development, it is also appropriate to require off-site improvements to pedestrian and cycle infrastructure as currently there is no footway on a long stretch of the B2087 between Flimwell (to the northeast) and Ticehurst Primary School (to the south). This could potentially include a new pedestrian and cycle path leading from the northeastern boundary of the site towards Tinkers Lane, subject to land being available.
Reproduced from the Ordnance Survey mapping with the permission of the Controller of His Majesty’s Stationary Office. (Crown Copyright). Unauthorised reproduction infringes Crown copyright and may lead to prosecution or civil proceedings. No further copies may be made. Rother District Council Licence No. 100018643 2025
Policy Reference: TC2
Site name: Orchard Farm, Ticehurst Village
Site identification: Site allocated in Neighbourhood Plan and with planning permission (reference RR/2022/1265/P), approved 24/02/24
Greenfield/ Brownfield: Greenfield
Sub-area: Northern Rother
Allocated use and capacity: The site is allocated for residential development comprising at least 5 dwellings
Density statistics:
|
Area type: |
Village |
|
Site size (ha): |
0.23 |
|
Indicative size of area for built development (ha): |
0.23 |
|
Indicative residential density: |
42 dwellings per hectare |
Site specific development requirements:
Development on this site must:
-
Provide a policy-compliant amount of on-site affordable housing in line with policy HOU2 of the Rother Local Plan;
-
Include a new vehicular and pedestrian access from Lower St Mary’s;
-
Retain and enhance the hedgerow fronting the site where possible;
-
Include SUDS in the southern section of the site in accordance with Policy ENV2 of the Rother Local Plan;
-
Where possible, locate built development within the eastern part of the site as western areas are shown to be at risk of surface water flooding;
-
Retain and enhance trees and hedgerows along the site boundary where possible.
Supporting text:
This is a small site of 0.23ha forms an enclosed section of garden to the south of Marlpit House on the High Street, and with existing development on all sides except for the south. The southern and western boundaries contain a number of trees. Primary site access should utilise Lower St Mary’s, while the private drive that serves Orchard House providing an additional secondary access.
There is almost half of the site is vulnerable to surface water flooding, particularly the northwest of the site.
The site is allocated for 6 dwellings through Policy H2 of the Ticehurst Neighbourhood Plan 2019. It also has an extant planning permission for 5 dwellings, granted 2024 (RR/2022/1265/P).
Reproduced from the Ordnance Survey mapping with the permission of the Controller of His Majesty’s Stationary Office. (Crown Copyright). Unauthorised reproduction infringes Crown copyright and may lead to prosecution or civil proceedings. No further copies may be made. Rother District Council Licence No. 100018643 2025
60. Do you have any comments on the proposed site allocations in Ticehurst, detailed in Policies TC1 and TC2? Comment
Policy Reference: TC3
Area Policy
Name: Bewl Water
Policy Text:
Development within or affecting the setting of Bewl Water must:
-
Conserve and enhance its distinctive landscape character and scenic beauty;
-
Conserve and enhance its biodiversity and ecological value in accordance with Policy ENV5: Habitats and Species;
-
Maintain its tranquillity;
-
Maintain dark skies in accordance with Policy LAN3: Dark Skies;
-
Safeguard Bewl Water as a recreational, economic and social amenity for the local community.
Subject to the above criteria and other Local Plan policies, proposals for compatible recreational uses including water-based recreation, will be supported.
Supporting Text:
Draft Local Plan (2024) policy ENV1 includes measures to support the effective management of water resources. Draft Local Plan policy HWB5 safeguards existing green and blue infrastructure and supports sensitive water-based recreation. The purpose of this additional policy is to highlight the special landscape and ecological qualities of Bewl Water and to support appropriate recreational uses.
Bewl Water Reservoir is situated at the northern edge of the district and straddles the boundaries with the adjacent authorities of Tunbridge Wells and Wealden. With an area of some 310 hectares and maximum capacity of 31,000 megalitres, it is an important regional water resource and the largest inland water body in the southeast. It lies wholly within the High Weald National Landscape.
The reservoir was dammed in the mid-1970s and featured the design of landscape architect Dame Sylvia Crowe. The 2016 East Sussex County Landscape Assessment describes Bewl Water as being formed from the upper tributaries of the Bewl River, situated within a landscape characterised by gentle spurs, stream valleys, steep wooded ghylls, ancient woodlands and historic farmsteads.
The reservoir is a highly significant area for wildlife, confirmed by its designation as a Local Wildlife Site. The area’s wetland habitat, tranquillity and dark skies mean that it is an important site for a wide variety of bird species including water fowl and migrating birds in the spring and autumn. More specifically, Bewl Water is also a notable habitat for the Common Gull and Black-Headed Gull, of which there are very large populations at Bewl during wintering months.
The reservoir is also a significant recreational amenity, drawing upon a wide catchment area. It offers recreational activities including walking, cycling, rowing, sailing and fishing.
Development pressures, including from tourist-related development at Bewl Water has the potential to impact on its landscape, tranquility, and ecological sensitivities. Consequently, careful consideration must be given to such proposals to ensure that development is consistent with the reservoir’s function as an open space for daytime recreation connected to its natural features, and for example, inappropriate nighttime lighting is not included.
A number of policies in the Draft Local Plan (2024) are relevant to development proposals within or otherwise affecting the setting of Bewl Water, including Policies LAN3 (Dark Skies) and ENV5 (Habitats and Species). Additionally, Policy GTC9 (High Weald National Landscape) requires that development within or affecting the setting of the National Landscape to have regard to its character components as set out in the latest version of the High Weald Management Plan.
61. Do you have any comments on proposed Policy TC3: Bewl Water? Comment
Stoneygate
Parish: Ticehurst
Policy Reference: SG1
Site name: Land at Lymden Lane, Stonegate
Site identification: New site identified through HELAA (HELAA site reference TIC0079)
Greenfield/ Brownfield: Greenfield
Sub-area: Northern Rother
Allocated use and capacity: The site is allocated for residential development comprising some 5 new terrace dwellings
Density statistics:
|
Area type |
Village |
|
Site size (ha): |
0.12 |
|
Indicative size of area for built development (ha): |
0.12 |
|
Indicative residential density: |
42 dwellings per hectare |
Site specific development requirements:
Development on this site must:
-
Provide a policy-compliant amount of on-site affordable housing in line with policy HOU2 of the Rother Local Plan;
-
Include five dwellings in a terraced formation;
-
Include vehicular and pedestrian access from Lymden Lane;
-
Include area for onsite turning;
-
Include any necessary on-site or off-site highway works necessary to make the development acceptable;
-
Retain and enhance the hedgerow fronting the site where possible.
Supporting text:
The site forms a small section of a larger field on the eastern side of Lymden Lane, on the northern edge of Stonegate. It is relatively well contained and relates well to adjoining residential development. It provides an opportunity for a small number of dwellings in a village with some key services including a primary school and nearby railway station.
The site is limited in size, however, reflecting the terraced housing of nearby Mabbs Hill Cottages across the road, it is considered that it could accommodate five small (two to three bedroom) terraced dwellings. While the existing hedgerow frontage would need to be removed in part to accommodate access, there is an opportunity to enhance the remaining hedgerow sections with additional native planting.
Reproduced from the Ordnance Survey mapping with the permission of the Controller of His Majesty’s Stationary Office. (Crown Copyright). Unauthorised reproduction infringes Crown copyright and may lead to prosecution or civil proceedings. No further copies may be made. Rother District Council Licence No. 100018643 2025
Policy Reference: SG2
Site name: Land east of Bardown Road, Stonegate
Site identification: New site identified through HELAA (HELAA reference TIC0035)
Greenfield/ Brownfield: Greenfield
Sub-area: Northern Rother
Allocated use and capacity: The site is allocated for residential development comprising some 20 new dwellings.
Density statistics:
|
Area type: |
Village |
|
Site size (ha): |
1.25 |
|
Indicative size of area for built development (ha): |
0.63 |
|
Indicative residential density: |
35 dwellings per hectare |
Site specific development requirements:
Development on this site must:
-
Provide a policy-compliant amount of on-site affordable housing in line with policy HOU2 of the Rother Local Plan;
-
Include a new vehicular and pedestrian access from Bardown Road;
-
Include any necessary on-site or off-site highway works necessary to make the development acceptable;
-
Be informed by a landscape sensitivity assessment to determine an appropriate layout, form and detailed design to ensure the conservation and enhancement of the landscape and character of the High Weald National Landscape;
-
Green Infrastructure areas must include additional tree planting along the western and northern boundaries and the retention of footpath ‘Ticehurst 24’;
-
Retain and enhance hedgerows and tree belts that enclose the site on all sides, except for any short sections that need to be removed to facilitate access, which should be minimised as far as possible;
-
Lighting should be designed in accordance with Policy LAN3 and in reference to the High Weald National Landscape Unit’s Technical Advice Note on Dark Skies in the High Weald.
-
Include an assessment and evaluation of the site’s archaeological potential and the implementation of any mitigation measures identified through the assessment;
-
Ensure there is no adverse effect on groundwater.
Supporting text:
This is a field on the northern edge of Stonegate within the High Weald National Landscape. It is adjacent to residential development to the south, while open countryside extends to the north and the west. The site is located between Bardown Road to the west and a strip of residential curtilages that front Lymden Lane to the east. The field slopes slightly up to the north and northeast, while the landscape falls away to the north and west.
Vehicular access to the site would need to come from Bardown Road through the removal of a section of hedgerow and tree belt. However, Bardown Road is narrow with no footways at this point and the national speed limit. Consequently, the suitability of vehicular and pedestrian access will require consultation with the highway authority.
Public footpath ‘Ticehurst 34’ runs east to west through the north of the site. It is not easily accessed at present from either entry point. Any development would need to retain this footpath within an area of on-site Green Infrastructure, while it would be expected that the site’s development would provide an opportunity for both footpath access points to be made accessible through footpath maintenance.
The site is bound on all side by hedgerows and tree belts, which are effective in screening much of the site from the surrounding area, however the site’s topographical prominence means rooftops would be visible from the west, while, as mentioned, the land level falls away to the north of the site. In addition, access would require the removal of a small length of this screening along the western boundary. For these reasons, additional tree planting will be required to bolster site screening along the western boundary and parts of the northern boundary, while development should also be the most concentrated within the southern and eastern areas of the site as far as possible, as informed by a landscape sensitivity assessment to be completed by the applicant. This should also allow for a substantial area of Green Infrastructure relative to the site’s developable area. There is a large archaeological notification area associated with Bardown Farm that is less than 300m to the north. Development of the site would therefore require a prior arachnological survey.
The north-western corner of the site is within a Source Protection Zone (SPZ3), which covers a wide area around a water abstraction point, and development will need to ensure there is no adverse effect on groundwater.
Reproduced from the Ordnance Survey mapping with the permission of the Controller of His Majesty’s Stationary Office. (Crown Copyright). Unauthorised reproduction infringes Crown copyright and may lead to prosecution or civil proceedings. No further copies may be made. Rother District Council Licence No. 100018643 2025
62. Do you have any comments on the proposed site allocations in Stonegate, Ticehurst Parish, detailed in Policies SG1 and SG2? Comment
63. Do you consider that there are any other possible sites in the Northern Rother sub-area (which includes the parishes of Bodiam, Burwash, Etchingham, Ewhurst, Hurst Green, Salehurst and Robertsbridge and Ticehurst) which should be allocated for development in the Local Plan? Comment
Proposed Site Allocations for Gypsies, Travellers and Travelling Showpeople
Policy Reference: GYP1
Site name: Land adjacent to High Views, Loose Farm Lane, Battle
Site identification: Existing Local Plan allocation (Policy GYP1, Development and Site Allocations Local Plan)
Sub-area: Battle and Surrounding Settlements
Allocated use and capacity: The site is allocated for one permanent pitch for gypsies and travellers.
Site specific development requirements:
Development on this site must:
-
Include native planting on the site boundaries, in accordance with a scheme to be approved as part of the planning application.
Supporting text:
This policy takes forward an existing site allocation in the DaSA Local Plan which is still expected to come forward.
The site is located on the urban edge of Battle adjacent to an existing gypsy and traveller site which comprises of six pitches. The site forms part of a disused smallholding which itself is an area of despoiled land which adjoins residential dwellings in ribbon development to the north and rolling open countryside to the south. It has previously been granted planning permission for a single pitch, and while this was not implemented, the site remains suitable for the use in principle.
The site is accessed via a single track off Loose Farm Lane, a narrow lane which connects the small complex of buildings at Loose Farm with the A2100 (Hastings Road). It is within the High Weald National Landscape but it is not prominent when viewed from the adjacent countryside to the south and appears to be well screened by existing fencing, although would benefit from some soft landscaping from further native species screening on the southern and western boundaries. Care should be taken to respect the amenity of adjoining properties on the northern boundary.
The provision of one pitch is considered to be acceptable in terms of access by vehicles, impact on the local environment and the amenity of residential neighbours and in terms of its proximity to services and the relationship and scale with the settled community.
Reproduced from the Ordnance Survey mapping with the permission of the Controller of His Majesty’s Stationary Office. (Crown Copyright). Unauthorised reproduction infringes Crown copyright and may lead to prosecution or civil proceedings. No further copies may be made. Rother District Council Licence No. 100018643 2025
Policy Reference: GYP2
Site name: Land south of Hastings Road, Battle
Site identification: Existing planning permissions plus land submitted through the Call for Sites
Sub-area: Battle and Surrounding Settlements
Allocated use and capacity: The site is allocated for up to five additional permanent pitches for gypsies and travellers.
Site specific development requirements:
Development on this site must:
-
Retain and enhance existing hedgerows and trees on the site boundaries.
Supporting text:
The site comprises four adjoining parcels of land which currently have planning permissions for a total of six pitches for gypsies and travellers (which are all occupied), plus an additional adjoining parcel of land to the west, within the same ownership. It has been submitted through the Call for Sites for an additional five pitches.
This would include two pitches on the additional parcel of land, plus an additional three pitches within two of the parcels with planning permission. As such, this represents both an extension to, and intensification of use of, existing permitted gypsy and traveller sites.
The site adjoins site allocation GYP1 (Land adjacent to High Views), on the urban edge of Battle, forming part of a disused smallholding. Residential dwellings in ribbon development lies to the north and rolling open countryside to the south. Like site GYP1, the site is accessed via a single track off Loose Farm Lane, a narrow lane which connects Loose Farm with the A2100 (Hastings Road). It is within the High Weald National Landscape.
The site is well enclosed by boundary trees and hedges, and positioned adjacent to existing development. Consequently, it is not prominent when viewed from the adjacent countryside to the south, and would not represent an intrusion into the rural area. Existing boundary hedgerows should be retained as part of any development and enhanced with additional native planting where possible.
The site is an appropriate location for a small number of additional gypsy and traveller pitches, which can be accommodated without harming the landscape or character of the High Weald or the residential amenity of adjoining occupiers.
Reproduced from the Ordnance Survey mapping with the permission of the Controller of His Majesty’s Stationary Office. (Crown Copyright). Unauthorised reproduction infringes Crown copyright and may lead to prosecution or civil proceedings. No further copies may be made. Rother District Council Licence No. 100018643 2025
Policy Reference: GYP3
Site name: Land on the east side of Kingwood Hill, Cackle Street, Brede
Site identification: Site with temporary planning permission (RR/2020/1613/P)
Sub-area: Rye and the Eastern Settlements Cluster
Allocated use and capacity: The site is allocated for one permanent pitch for gypsies and travellers.
Site specific development requirements:
Development on this site must:
-
Retain visibility splays from the site access onto Kingwood Hill (A28) of at least 2.4 metres by 90 metres;
-
Retain an appropriate turning space for vehicles on-site;
-
Retain and protect the existing trees and hedges on the eastern and southern boundaries of the site.
Supporting text:
This policy allocates an existing gypsy and traveller site, comprising one pitch, which currently benefits from a temporary planning permission.
The site is on the eastern side of the A28 and is sustainably located within walking distance of services in Broad Oak and Cackle Street, including a primary school and bus stops.
The site is within the High Weald National Landscape, and in considering the planning application it was determined that the site does cause limited harm to the National Landscape due to the caravan and residential paraphernalia being out of keeping with the rural character of the area. However, the development is of a small scale and is well-screened by mature trees and hedges on three boundaries. Furthermore, the site has a history of development including polytunnels and stables and is close to existing scattered residential development along this stretch of the A28.
Consequently, subject to measures to secure highway safety and retain existing boundary trees and hedges, the site is suitable for a permanent allocation for one pitch.
Reproduced from the Ordnance Survey mapping with the permission of the Controller of His Majesty’s Stationary Office. (Crown Copyright). Unauthorised reproduction infringes Crown copyright and may lead to prosecution or civil proceedings. No further copies may be made. Rother District Council Licence No. 100018643 2025
Policy Reference: GYP4
Site name: Land adjacent to Fir Tree Cottage, Netherfield Hill, Battle
Site identification: Site with temporary planning permission (RR/2022/2791/P)
Sub-area: Battle and Surrounding Settlements
Allocated use and capacity: The site is allocated for two permanent pitches for gypsies and travellers.
Site specific development requirements:
Development on this site must:
-
Retain visibility splays from the site access onto Netherfield of at least 2.4 metres by 95 metres to the north-west and 2.4 metres by 155 metres to the south-east;
-
Include provision for the retention and future management of a buffer zone of semi-natural habitat, at least 15 metres wide (which does not include residential gardens), on the north-western boundary, between the edge of development and the ancient woodland;
-
Retain and protect the existing mixed native hedgerows on the south-western and north-western edges of development.
Supporting text:
This policy allocates an existing gypsy and traveller site, comprising two pitches, which currently benefits from a temporary planning permission.
The site is on the southern side of Netherfield Road, midway between Battle (to the south-east) and Netherfield (to the north-west). It is not ideally located for sustainable travel options but is a short driving distance to facilities in both settlements. The site is within the High Weald National Landscape and adjoins an area of ancient woodland and Priority Habitat.
While the site is screened to an extent from the road and the north by existing woodland, it is open to views from the south and does have some harmful landscape impact due to the caravans and residential paraphernalia being out of keeping with the rural character of the area, a concern that has been raised in planning and appeal decisions at the site.
However, the site is of a small scale, and additional planting has recently been established on site boundaries, which, over time, will assist in screening the development from the wider countryside. There is a level of development along Netherfield Road, and given the need for gypsy and traveller pitches in the district over the Plan period it is appropriate to retain this existing, currently temporary site through a permanent site allocation.
Reproduced from the Ordnance Survey mapping with the permission of the Controller of His Majesty’s Stationary Office. (Crown Copyright). Unauthorised reproduction infringes Crown copyright and may lead to prosecution or civil proceedings. No further copies may be made. Rother District Council Licence No. 100018643 2025
Policy Reference: GYP5
Site name: Land south of Redlands Lane, Salehurst
Site identification: New site submitted through Call for Sites
Sub-area: Northern Rother
Allocated use and capacity: The site is allocated for four permanent pitches for gypsies and travellers.
Site specific development requirements:
Development on this site must:
-
Provide for up to four pitches for gypsies and travellers, to be managed and controlled by East Sussex County Council as an extension to the existing adjoining site;
-
Be accessed from Redlands Lane or via the adjoining Gypsy and Traveller site;
-
Protect and retain the existing trees on the boundaries of the site.
-
Be subject to a site-specific flood risk assessment which demonstrates that no built development within the site boundary, including access or escape routes, land raising or other potentially vulnerable elements, would be located on an area that would be at risk of flooding from any source, now and in the future.
-
Include sustainable drainage measures in accordance with Policy ENV2 of the Rother Local Plan.
Supporting text:
The site is on the southern side of Redlands Lane, just east of the A21 Robertsbridge bypass. It comprises an overgrown area of hard-standing, formerly a County Council depot, and adjoins an established gypsy and traveller Site comprising eight pitches to the east.
The site is within walking distance of services and facilities in Robertsbridge, although it is on the opposite side of the A21 to the village.
The site offers an opportunity to provide an extension of four pitches to the adjoining Gypsy and Traveller Site, which is managed by East Sussex County Council (ESCC). To ensure appropriate management and cohesion with the adjoining use, the additional pitches would also need to be managed by ESCC.
The site is within the High Weald National Landscape and forms part of a larger plot of land which contains Priority Habitat (deciduous woodland) across its northern and western sections and a small area at risk of surface water flooding in its central section. Boundary trees would need to be retained and protected, and built development would need to avoid the flood risk area, and measures included to ensure sustainable drainage.
Reproduced from the Ordnance Survey mapping with the permission of the Controller of His Majesty’s Stationary Office. (Crown Copyright). Unauthorised reproduction infringes Crown copyright and may lead to prosecution or civil proceedings. No further copies may be made. Rother District Council Licence No. 100018643 2025
Policy Reference: GYP6
Site name: Land adjacent to Valentine Ridge, A2100, Mountfield
Site identification: New site submitted through Call for Sites (extension to existing site)
Sub-area: Battle and surrounding settlements
Allocated use and capacity: The site is allocated for up to six additional permanent pitches for gypsies and travellers.
Site specific development requirements:
Development on this site must:
-
Utilise the existing vehicular access from the A2100 which serves the existing gypsy and traveller pitches in the northern part of the site;
-
Include provision for the retention and future management of a buffer zone of semi-natural habitat, at least 15 metres wide (which does not include residential gardens), on the north-western, south-western and south-eastern boundaries, between the edge of development and the ancient woodland;
-
Be informed by a landscape sensitivity assessment to determine an appropriate layout and planting scheme to ensure the conservation and enhancement of the landscape and character of the High Weald National Landscape and the protection of biodiversity.
Supporting text:
The site is on the western side of the A2100 London Road some two kilometres north of Battle and one kilometre south of Mountfield Village. It comprises a field surrounded by ancient woodland on three boundaries, with mature hedging and trees on the remaining (roadside) boundary. The northern half of the field benefits from permanent planning permission for four pitches for gypsies and travellers. As such, the allocation represents an extension to an existing permitted gypsy and traveller site.
The site is not ideally located for sustainable travel options but is a short driving distance to services and facilities in Battle.
The site is within the High Weald National Landscape but is not in an area of the highest landscape value or sensitivity due to its proximity to the busy A2100 and scattered development alongside the road. The site is very well screened in the local landscape by the adjoining trees and woodland and could accommodate a small number of additional gypsy and traveller pitches without harming the landscape and character of the area, subject to an appropriate layout, and separation from the adjoining ancient woodland.
Reproduced from the Ordnance Survey mapping with the permission of the Controller of His Majesty’s Stationary Office. (Crown Copyright). Unauthorised reproduction infringes Crown copyright and may lead to prosecution or civil proceedings. No further copies may be made. Rother District Council Licence No. 100018643 2025
64. Do you have any comments on the proposed site allocations for Gypsies, Travellers and Travelling Showpeople, detailed in Policies GYP1 to GYP6? Comment
65. Do you consider that there are any other possible sites for Gypsy, Traveller or Travelling Showpeople sites which should be allocated in the Local Plan? Comment
[1] There are no site allocations proposed in Pett.
[2] There are no site allocations proposed in Ashburnham, Dallington, Mountfield or Whatlington.
[3] No site allocations are proposed in East Guldeford, Rye Foreign or Udimore.
[4] There are no site allocations proposed in Bodiam.
[5] This does not include places where the station is not in the settlement - i.e. Winchelsea, Stonegate and Doleham
[6] This option was progressed as a preferred approach at the first Regulation 18 stage, but was not accurately signposted in the Local Plan due to an editorial error.
[48] Not all of a site allocation area will be ‘developable’ as land/space may be needed for open space or other green blue infrastructure, highways and public realm, utilities and other land-uses (such as commercial space in allocations for mixed-use development).
[49] In line with the NPPF, flood risk Sequential Teats, and where necessary Exception Tests, will also be undertaken and informed by the SFRA findings.



























